iFlightPlanner
»
Sign In
X
Home
Features
Join
Resources
A/FD - Airport/Facility Directory
Aviation Charts & Wx on Google Maps
Flight Instructor Directory
METAR & TAF Translator
Coded Departure Route Lookup
Preferred Route Lookup
Data Services
Aviation Chart Map Tile Service
Business & Fuel Price Data
Blog
Contact Us
PADQ
ICAO
PADQ
IATA
ADQ
Local
ADQ
KODIAK
Public
PUB
4 miles SW of KODIAK, AK, US
View on
Map
Status
Operational
Coordinates
57° 44' 59"N
152° 29' 38"W
Elevation
79' MSL
Pattern Alt
1079' MSL
Mag Variation
14°E
Declination
14°E
Fuel
JET A-1, 100LL
FSS
KENAI (ENA)
Sectional
KODIAK
ARTCC
ANCHORAGE (ZAN)
Data Effective
2/19/26-3/19/26
PADQ
VFR
7:53 PM AKST
RAW
Clear
Viz
10sm
Temp
23°F
Dew
10°F
Pres
29.48"Hg
Wind
320° 6kts
RMK
AO2 SLP983 T10501122 $
METAR PADQ 040453Z 32006KT 10SM CLR M05/M12 A2948 RMK AO2 SLP983 T10501122 $
Services
Frequencies & Documents
Freqs & Docs
TAF
NOTAM
Operations
Runways
Remarks
Add Your Business
PADQ FBOs
No FBOs (Fixed Base Operators) are listed for this airport.
X
Send Message to Airport Company
Enter your information and message below.
Your Information
Business
x
Weather and Advisory
ATIS
134.45
ASOS
(907) 621-4189
Common
CTAF
119.8
ACTVT REIL RWY 01 & 26; VASI RWY 01, 26, 29; HIRL RWY 01/19, 08/26, 11/29; TWY LGTS - CTAF.
UNICOM
122.8
Ground
KODIAK GROUND
121.9
0630-2000 1 OCT-31 MAR, 0700-2200 1 APR-30 SEP.
Tower
KODIAK TOWER
119.8
0630-2000 1 OCT-31 MAR, 0700-2200 1 APR-30 SEP.
Center
ANCHORAGE CENTER
125.1
LOW, APCH/DEP SVC PRVDD BY ANCHORAGE ARTCC ON FREQS 125.1/281.4 (KODIAK RCAG).
Flight Service
Flight Service
119.8
(ENA)
Emergency
Emergency
121.5
FAA A/FD Pages
FAA A/FD Page
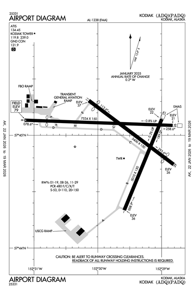
Airport Diagrams
AIRPORT DIAGRAM
Airport Minimums
ALTERNATE MINIMUMS
TAKEOFF MINIMUMS
Departure Procedures
KODIAK SEVEN (OBSTACLE)
Instrument Approach
ILS Y OR LOC Y RWY 26
RNAV (GPS) RWY 26
VOR RWY 26
Terminal Area Forecast
PADQ
RAW
Reported
Tue, 3/3 2:21 PM AKST
Valid
Tue, 3/3 3:00 PM AKST - Wed, 3/4 3:00 PM AKST
VFR
3:00 PM AKST - 7:00 PM AKST
Few 3,500'
Viz
6sm
Wind
290° 15kts
Gusts 25kts
VFR
Temporary
3:00 PM AKST - 7:00 PM AKST
No Clouds
Viz
N/A
Wind
290° 8kts
Gusts 18kts
VFR
7:00 PM AKST - 1:00 AM AKST
Sky Clear
Viz
6sm
Wind
290° 11kts
VFR
1:00 AM AKST - 3:00 PM AKST
Sky Clear
Viz
6sm
Wind
280° 7kts
TAF PADQ 032321Z 0400/0424 29015G25KT P6SM FEW035
TEMPO 0400/0404 29008G18KT
FM040400 29011KT P6SM SKC
FM041000 28007KT P6SM SKC
PADQ
Effective
Expires
Category
NOTAM
Domestic
2/13/26
1627Z
Runway
!ADQ 02/108 ADQ RWY 26 RWY END ID LGT U/S 2602131627-2605301500EST
2/12/26
1620Z
Runway
!ADQ 02/106 ADQ RWY 29 VASI U/S 2602121620-2603291500EST
2/10/26
1656Z
Runway
!ADQ 02/070 ADQ RWY 01 VASI U/S 2602101656-2603291500EST
12/25/25
0643Z
!ADQ 12/149 ADQ NAV ILS RWY 26 DME NOT MNT 2512250643-2611301500EST
ATC Tower
Yes
Attendance
SAME AS ARPT MAINT HRS
ARPT INFO - 907-487-4952 MON-FRI 0700-1630.
Owner
ALASKA DOT&PF SOUTHCOAST REGION
P O BOX 112500
JUNEAU, AK 99811
Phone: 907-465-4512
Manager
CLARK YATSIK
1500 ANTON LARSON RD
KODIAK, AK 99615
Phone: 907-487-4952
FSS
KENAI FSS (ENA)
Toll Free: 1-866-864-1737
NOTAM
ADQ
Light Schedule
--
Lights
ACTVT REIL RWY 01 & 26; VASI RWY 01, 26, 29; HIRL RWY 01/19, 08/26, 11/29; TWY LGTS - CTAF.
Beacon
N/A
Wind Indicator
Yes - Lighted
Segmented Cir.
Yes
Landing Fee
No
Parking
None
Int'l Operations
NOT a Landing Rights Airport
NOT an Airport of Entry
Airframe Repair
Minor
Pwrplant Repair
Minor
Bottled Oxygen
None
Bulk Oxygen
None
Other Services
Air Freight
Cargo Handling
Charter Service
Runway 01/19
Dimensions
5010 ft. x 150 ft.
Surface Type
ASPH
Surface Cond
Good
Treatment
GRVD
Rwy Edge Lgts
HIGH
Pavement Class
Single Wheel
53,000lbs
Double Wheel
110,000lbs
Double Tandem
150,000lbs
Dual Dbl Tand
--
Runway 01
Runway 19
True Heading
22°
202°
Traffic Pattern
Right
Left
Markings
PIR
BSC
Markings Condition
GOOD
GOOD
Latitude
57° 44' 23"N
57° 45' 08"N
Longitude
152° 29' 35"W
152° 28' 60"W
Elevation
36'
22'
Threshold Crossing Height
57 ft. AGL
--
Visual Glide Path Angle
3.75°
--
Visual Slope Indicator
V2L
--
Approach Lights
Centerline Lights
Runway End Identifier Lights
Yes
Runway 08/26
Dimensions
7534 ft. x 150 ft.
Surface Type
ASPH
Surface Cond
Good
Treatment
GRVD
Rwy Edge Lgts
HIGH
Pavement Class
Single Wheel
53,000lbs
Double Wheel
110,000lbs
Double Tandem
150,000lbs
Dual Dbl Tand
--
Runway 08
Runway 26
True Heading
92°
272°
Traffic Pattern
Left
Right
Markings
BSC
PIR
Markings Condition
GOOD
GOOD
Latitude
57° 45' 08"N
57° 45' 05"N
Longitude
152° 31' 08"W
152° 28' 50"W
Elevation
79'
21'
Threshold Crossing Height
--
54 ft. AGL
Visual Glide Path Angle
--
2.05°
Visual Slope Indicator
--
V2L
Approach Lights
Centerline Lights
Runway End Identifier Lights
Yes
Runway 11/29
Dimensions
5400 ft. x 150 ft.
Surface Type
ASPH
Surface Cond
Good
Treatment
GRVD
Rwy Edge Lgts
HIGH
Pavement Class
Single Wheel
53,000lbs
Double Wheel
110,000lbs
Double Tandem
150,000lbs
Dual Dbl Tand
--
Runway 11
Runway 29
True Heading
127°
307°
Traffic Pattern
Left
Right
Markings
NPI
NPI
Markings Condition
FAIR
FAIR
Latitude
57° 45' 18"N
57° 44' 46"N
Longitude
152° 30' 08"W
152° 28' 49"W
Elevation
37'
26'
Threshold Crossing Height
--
--
Visual Glide Path Angle
--
--
Visual Slope Indicator
--
V2L
Approach Lights
Centerline Lights
Runway End Identifier Lights
A110-1
JASU-5(A/M32A-86); 1(MA-1A). AVBL USCG ONLY.
A110-10
TSNT MIL CTC MAINT - 164.550 OR KODIAK AIR 345.0 FOR MARSHALLER.
A110-13
PAEW ON & INVOF RWY.
A110-15
72 HR PPR FOR ACES TO CG RAMP. TSNT MUST PRVD OWN SVC & MAINT CREW. EXP DLA OTR TIME EXC SAR & MEDEVAC - V487-5889/C907-487-5889.
A110-16
ARR CTC KODIAK AIR 345.0 OR 164.55 FOR CLRNC ON CG RAMP, MARSHALLER & PRKG SVC. TXY TO CG RAMP XS TWO ROADS; ACTVT CROSSING LIGHTS 122.8; ON 5 CLICKS; OFF 7 CLICKS. NONSTD TAX LINE OBS CLNC ON CG RAMP.
A110-17
CG RAMP CLSD TO WINGSPAN GTR THAN 132.5 FT.
A110-18
WX CAMERA AVBL ON INTERNET AT HTTPS://WEATHERCAMS.FAA.GOV.
A110-19
ARPT SAND LRG GRAD THAN FAA RCMDD/SEE AC150/5200-30.
A110-2
FIRST 3000 FT RWY 08, FIRST 2000 FT RWY 01 & PTNS OF ALL TXYS NOT VIS FM ATCT.
A110-22
WX BLN LAUNCH FAC ON ARPT; SEE INSIDE BACK CVR FOR OPS DTLS.
A110-23
LIFEFLIGHT/MEDEVAC USE RAMP AREA IN OR ADJ TO TSNT PRKG E SIDE OF COML RAMP; OUTSIDE OF SIDA MARKINGS.
A110-25
LOCKED WHEEL TURNS NA ALL SFCS.
A110-26
PPR ALL OPS GTR THAN 200000 LB GROSS TKOF & LNDG WT.
A110-27
TSA REGULATED ARPT. SEE 49 CFR 1542. ALL GATES & DOORS MUST BE SECURED AT ALL TIMES. TSNT OR UNFAMILIAR PILOTS - AMGR WITH QUESTIONS.
A110-3
UNLGT HIGH TRRN ALL QUADS. BIRDS, WATERFOWL & WILDLIFE ON & INVOF OF ARPT.
A110-4
SNOW REMOVAL & DEICING NA 1830-0500.
A110-7
ROAD WI 50 FT OF THR ALL RWYS.
A110-8
LNDG RWY 08 & 11; TKOF RWY 26 & 29 NOT RCMDD DURG DARKNESS OR WHEN MT PEAKS OBSCD.
A17-M1
ARPT INFO - 907-487-4952 MON-FRI 0700-1630.
A26
CLSD TO ACR OPS GTR THAN 30 PAX SEATS EXC PPR IN WRITING - AMGR P.O. BOX 1500 ANTON LARSON ROAD KODIAK AK 99615.
A30-08/26
WHEN ATCT CLSD; LNDG RWY 26 OR DEP RWY 08 PSBL TALL VESSELS XNG RWY 26 APCH 3200-5000 FT FM APCH END. 120 FT SHIPS X CHNL BTN PUFFIN ISLAND/ADQ; ALL HR.
A30A-08
MTUS TRRN ON APCH; RCMD USE ONLY BY PILOTS FAMILIAR. HEAVY LIFT CARGO RSTRD FM FULL PWR TKOFF WO PPR - AMGR.
A39-01/19
PCR VALUE: 480/F/C/X/T
A39-08/26
PCR VALUE: 480/F/C/X/T
A39-11/29
PCR VALUE: 480/F/C/X/T
A43-01
RWY 01 VASI DOES NOT PRVD OBS CLNC BYD 2.0 NM FM THR; UNUSBL BYD 2.0 NM.
A48-01
OMNI DRCTNL.
A57-08
APCH RATIO 2:1 TO DTHR.
A58-08
7 FT BLAST BARRIER 40 FT FM THR; HWY 60 FT FM THR.
A76-AFRT
SUMMER MAINT APR 1 - OCT 13 DAILY 0600-1830. WINTER MAINT OCT 14 - MAR 31 DAILY 0500-1830.
A81-APT
ACTVT REIL RWY 01 & 26; VASI RWY 01, 26, 29; HIRL RWY 01/19, 08/26, 11/29; TWY LGTS - CTAF.
KODIAK (ICAO: PADQ, IATA: ADQ) is a public airport located in KODIAK, AK, US.
© iFlightPlanner | Web, iPad, & iPhone Flight Planning
|
Site Map
|
Privacy Policy