iFlightPlanner

 

...
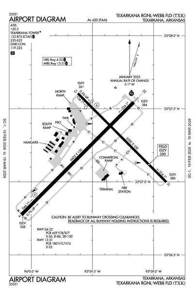
TEXARKANA RGNL-WEBB FLD - Airport Diagram
LiveATC.net: Live Air Traffic - From Their Headsets to You

KTXK
ICAO KTXKIATA TXKLocal TXK
TEXARKANA RGNL-WEBB FLD
PublicPUB

3 miles NE of TEXARKANA, AR, US
LiveATC.net: Live Air Traffic - From Their Headsets to You
Status
Operational
Coordinates
33° 27' 13"N 93° 59' 28"W
Elevation
390' MSL
Pattern Alt
1590' MSL
Mag Variation
1°E
Declination
5°E
Fuel
JET A, 100LL
FSS
JONESBORO (JBR)
Sectional
MEMPHIS
ARTCC
FORT WORTH (ZFW)
Data Effective
2/19/26-3/19/26
KTXK VFR
7:53 PM CST  
Overcast 6,000'
10sm
75°F
62°F
30.03"Hg
120° 3kts
AO2 SLP165 T02390167
METAR KTXK 040153Z 12003KT 10SM OVC060 24/17 A3003 RMK AO2 SLP165 T02390167

KTXK FBOs

No FBOs (Fixed Base Operators) are listed for this airport.
X

Send Message to Airport Company
Enter your information and message below.

Your Information
 
Processing 

Weather and Advisory

ATIS 120.2
ASOS 120.2
(870) 774-0404

Common

CTAF 123.875
WHEN ATCT CLSD ACTVT MALSR RWY 22; HIRL RWY 04/22; MIRL RWY 13/31 - CTAF.

Ground

TEXARKANA GROUND 119.225
0600-2200

Tower

TEXARKANA TOWER 123.875
0600-2200

Center

FORT WORTH CENTER 123.925
LOW, APCH/DEP CTL SVC PRVDD BY FORT WORTH ARTCC (ZFW) ON FREQS 123.925/269.475 (TEXARKANA RCAG).

Flight Service

Flight Service 122.2
(JBR)

Emergency

Emergency 121.5

Terminal Area Forecast

KTXK
Tue, 3/3 5:40 PM CST
Tue, 3/3 6:00 PM CST - Wed, 3/4 6:00 PM CST
VFR
6:00 PM CST - 4:00 AM CST
Broken 5,000'
6sm
180° 11kts
MVFR
4:00 AM CST - 9:00 AM CST
Overcast 2,500'
6sm
180° 7kts
MVFR
9:00 AM CST - 2:00 PM CST
Overcast 1,500'
6sm
180° 10kts
VFR
2:00 PM CST - 5:00 PM CST
Broken 4,000'
6sm
190° 10kts
VFR
5:00 PM CST - 6:00 PM CST
Thunderstorm in vicinity
Overcast 3,500'
6sm
200° 8kts
TAF KTXK 032340Z 0400/0424 18011KT P6SM BKN050
   FM041000 18007KT P6SM OVC025
   FM041500 18010KT P6SM OVC015
   FM042000 19010KT P6SM BKN040
   FM042300 20008KT P6SM VCTS OVC035CB
KTXK
EffectiveExpiresCategoryNOTAM
Domestic
2/27/26
0600Z
2/27/26
1200Z
!TXK 02/016 TXK NAV VORTAC NOT MNT 2602270600-2602271200
2/24/26
1752Z
6/24/26
1752Z
!TXK 02/028 TXK OBST TOWER LGT (ASR 1309401) 332842.80N0942227.90W (19.3NM W TXK) 663FT (282FT AGL) U/S 2602241752-2606241752
2/24/26
0837Z
3/11/26
0737Z
!TXK 02/027 TXK OBST TOWER LGT (ASR 1064711) 333506.80N0940229.30W (8.2NM NNW TXK) 571.2FT (260.2FT AGL) U/S 2602240837-2603110737
2/23/26
2239Z
3/31/26
2359Z
!TXK 02/024 TXK TWY A HLDG PSN SIGN FOR APCH END RWY 04 LGT U/S 2602232239-2603312359
2/23/26
2237Z
3/31/26
2359Z
!TXK 02/023 TXK TWY D HLDG PSN SIGN FOR APCH END RWY 04 LGT U/S 2602232237-2603312359
2/23/26
2237Z
6/30/26
2359Z
!TXK 02/022 TXK AD AP SELF SERVE 100LL FUEL NOT AVBL 2602232237-2606302359
2/23/26
0047Z
3/9/26
2347Z
!TXK 02/019 TXK OBST TOWER LGT (ASR 1061700) 332927.00N0935750.10W (2.6NM NNE TXK) 560.0FT (256.9FT AGL) U/S 2602230047-2603092347
2/18/26
0758Z
3/4/26
2000Z
!TXK 02/013 TXK NAV VORTAC NOT MNT 2602180758-2603042000
2/15/26
0948Z
3/15/26
2359Z
!TXK 02/011 TXK OBST TOWER LGT (ASR 1038238) 332336.00N0935135.00W (7.5NM ESE TXK) 892.7FT (440.0FT AGL) U/S 2602150948-2603152359
2/9/26
1736Z
3/26/26
1735Z
!TXK 02/007 TXK OBST TOWER LGT (ASN 2016-ASW-3728-OE) 332112N0935522W (6.9NM SSE TXK) 714FT (350FT AGL) U/S 2602091736-2603261735
2/5/26
0720Z
3/22/26
0719Z
!TXK 02/003 TXK OBST TOWER LGT (ASR 1205289) 334154.40N0940726.70W (16.0NM NNW TXK) 625.0FT (305.1FT AGL) U/S 2602050720-2603220719
1/16/26
2152Z
4/16/26
2359Z
!TXK 01/012 TXK OBST TOWER LGT (ASR UNKNOWN) 334046.04N0934942.06W (8.5NM SW M18) UNKNOWN (490FT AGL) U/S 2601162152-2604162359
1/16/26
2152Z
4/16/26
2359Z
!TXK 01/011 TXK OBST TOWER LGT (ASR UNKNOWN) 332549.08N0940715.60W (6.6NM WSW TXK) 453FT (404FT AGL) U/S 2601162152-2604162359
12/22/25
2219Z
3/22/26
2359Z
!TXK 12/021 TXK OBST TOWER LGT (ASR 1052767) 332725.00N0941060.00W (9.7NM W TXK) 820.2FT (449.5FT AGL) U/S 2512222219-2603222359
FDC
1/5/26
1319Z
!FDC 6/0356 TXK IAP TEXARKANA RGNL-WEBB FLD, TEXARKANA, AR.
RNAV (GPS) RWY 13, ORIG-D...
RNAV (GPS) RWY 22, ORIG-B...
VOR RWY 13, AMDT 16C...
ILS OR LOC RWY 22, AMDT 17A...
CIRCLING CAT A MDA 900/HAA 510.
TEMPORARY CRANES 534 MSL BEGINNING 1070FT SE OF TXK AIRPORT (2021-ASW-6277 THRU 6281-NRA).
2601051319-2608171319EST
3/8/25
0847Z
!FDC 5/0602 TXK IAP TEXARKANA RGNL-WEBB FLD, TEXARKANA, AR.
ILS OR LOC RWY 22, AMDT 17A...
RNAV (GPS) RWY 13, ORIG-D...
RNAV (GPS) RWY 22, ORIG-B...
RNAV (GPS) RWY 31, ORIG-D...
RNAV (GPS) RWY 4, ORIG-B...
VOR RWY 13, AMDT 16C...
CIRCLING CAT C MDA 1020/HAA 630.
ANTENNA TOWER, 702 MSL, 2.65NM SOUTH OF KTXK AIRPORT (2025-ASW-1657-OE).
2503080847-2703230847EST
2/19/25
1957Z
!FDC 5/4380 TXK ODP TEXARKANA RGNL-WEBB FLD, TEXARKANA, AR.
TAKEOFF MINIMUMS AND (OBSTACLE) DEPARTURE PROCEDURES AMDT 4A...
TAKEOFF OBSTACLE NOTES: RWY 22, BUILDING, BEGINNING 1171FT FROM DER, 803FT LEFT OF CENTERLINE, 23 AGL/381 MSL (2023-ASW-2755 AND 2758-OE). ALL OTHER DATA REMAINS AS PUBLISHED. 2502191957-2702191957EST
Yes
0600-2200
TEXARKANA AIRPORT AUTHORITY
201 AIRPORT DR
TEXARKANA, AR 71854
Phone: 870-774-2171
FERDINAND PAUL MEHRLICH III, ACE
201 AIRPORT DR
TEXARKANA, AR 71854
Phone: 870-774-2171
JONESBORO FSS (JBR)
Toll Free: 1-800-WX-BRIEF
TXK
--
WHEN ATCT CLSD ACTVT MALSR RWY 22; HIRL RWY 04/22; MIRL RWY 13/31 - CTAF.
N/A
Yes - Lighted
Yes
Yes
Hanger, Tie-Down
NOT a Landing Rights Airport
NOT an Airport of Entry
Major
Major
High Pressure
None
Air Freight
Charter Service
Pilot Instruction
Aircraft Rental
Aircraft Sales

Runway 04/22

6602 ft. x 150 ft.
ASPH  
Good 
GRVD 
HIGH 
 
50,000lbs 
86,000lbs 
120,000lbs 
-- 
  Runway 04 Runway 22
True Heading 45°225°
Traffic Pattern Left Left
Markings PIR PIR
Markings Condition GOOD GOOD
Latitude 33° 26' 47"N 33° 27' 33"N
Longitude 94° 00' 05"W 93° 59' 10"W
Elevation 338' 384'
Threshold Crossing Height 52 ft. AGL --
Visual Glide Path Angle --
Visual Slope Indicator V4L --
Approach Lights MALSR
Centerline Lights
Runway End Identifier Lights

Runway 13/31

5200 ft. x 100 ft.
ASPH  
Good 
GRVD 
MED 
 
25,000lbs 
-- 
-- 
-- 
  Runway 13 Runway 31
True Heading 135°315°
Traffic Pattern Left Left
Markings NPI NPI
Markings Condition GOOD GOOD
Latitude 33° 27' 36"N 33° 26' 60"N
Longitude 93° 59' 37"W 93° 58' 54"W
Elevation 361' 386'
Threshold Crossing Height 48 ft. AGL --
Visual Glide Path Angle --
Visual Slope Indicator P4L --
Approach Lights
Centerline Lights
Runway End Identifier Lights
A11TEXARKANA AIRPORT AUTHORITY
A110-1DEER ON & INVOF ARPT.
A110-2FOR CD IF UNA TO CTC ON FSS FREQ, CTC FORT WORTH ARTCC AT 817-858-7584.
A110-3BIRDS ON & INVOF ARPT.
A39-04/22PCR VALUE: 459/F/B/X/T
A39-13/31PCR VALUE: 180/F/C/Y/U
A81-APTWHEN ATCT CLSD ACTVT MALSR RWY 22; HIRL RWY 04/22; MIRL RWY 13/31 - CTAF.
TEXARKANA RGNL-WEBB FLD (ICAO: KTXK, IATA: TXK) is a public airport located in TEXARKANA, AR, US.