iFlightPlanner

 

...
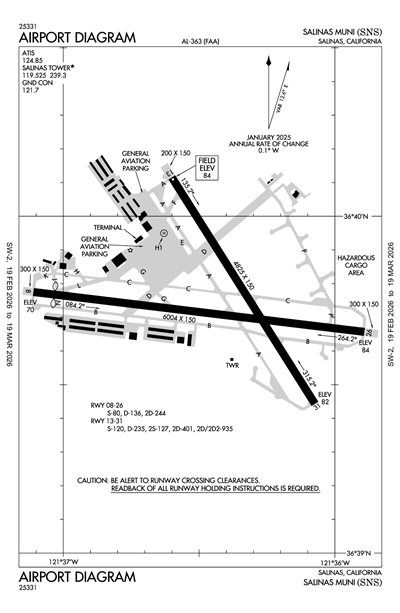
SALINAS MUNI - Airport Diagram
LiveATC.net: Live Air Traffic - From Their Headsets to You

KSNS
ICAO KSNSIATA SNSLocal SNS
SALINAS MUNI
PublicPUB

3 miles SE of SALINAS, CA, US
LiveATC.net: Live Air Traffic - From Their Headsets to You
Status
Operational
Coordinates
36° 39' 45"N 121° 36' 26"W
Elevation
84' MSL
Pattern Alt
884' MSL
Mag Variation
13°E
Declination
13°E
Fuel
JET A, 100LL
FSS
OAKLAND (OAK)
Sectional
SAN FRANCISCO
ARTCC
OAKLAND (ZOA)
Data Effective
2/19/26-3/19/26
KSNS MVFR
2:53 AM PST  
Broken 1,000'
10sm
49°F
47°F
30.10"Hg
160° 3kts
AO2 SLP200 T00940083
METAR KSNS 041053Z 16003KT 10SM BKN010 09/08 A3010 RMK AO2 SLP200 T00940083

KSNS FBOs

No FBOs (Fixed Base Operators) are listed for this airport.
X

Send Message to Airport Company
Enter your information and message below.

Your Information
 
Processing 

Weather and Advisory

ATIS 124.85
ASOS (831) 422-2830

Common

CTAF 119.525
WHEN ATCT CLSD ACTVT MALSR RWY 31; REIL RWY 13 & 26; PAPI RWY 31; HIRL RWY 13/31; MIRL RWY 08/26; H1 - CTAF. VASI RWY 08, 13, & 26 OPR CONSLY.
UNICOM 123.0

Ground

SALINAS GROUND 121.7
0600-1900 OCT-MAR; 0500-1900 APR-SEP

Tower

SALINAS TOWER 119.525
0600-1900 OCT-MAR; 0500-1900 APR-SEP

Approach

NORCAL APPROACH 133.0
Initial Contact - 001-135 MRY, ALL RADIALS OFF MRY ARPT.

Departure

NORCAL DEPARTURE 133.0
Initial Contact - 001-135 MRY, ALL RADIALS OFF MRY ARPT.

Flight Service

Flight Service 122.6
(OAK)

Other

CLASS C 133.0
001-135 MRY, ALL RADIALS OFF MRY ARPT.

Terminal Area Forecast

KSNS
Tue, 3/3 9:22 PM PST
Tue, 3/3 10:00 PM PST - Wed, 3/4 10:00 PM PST
MVFR
10:00 PM PST - 10:00 AM PST
Overcast 1,000'
6sm
290° 10kts
MVFR
10:00 AM PST - 1:00 PM PST
Broken 2,000'
6sm
300° 8kts
VFR
1:00 PM PST - 7:00 PM PST
Scattered 2,500'
6sm
300° 18kts
Gusts 28kts
MVFR
7:00 PM PST - 10:00 PM PST
Broken 1,500'
6sm
280° 12kts
TAF KSNS 040522Z 0406/0506 29010KT P6SM OVC010
   FM041800 30008KT P6SM BKN020
   FM042100 30018G28KT P6SM SCT025
   FM050300 28012KT P6SM BKN015
KSNS
EffectiveExpiresCategoryNOTAM
Domestic
3/7/26
1530Z
3/8/26
2330Z
!SNS 03/003 SNS TWY P BTN TWY D AND TWY C CLSD DLY 1530-2330 2603071530-2603082330
3/7/26
1530Z
3/8/26
2330Z
!SNS 03/002 SNS TWY D BTN RWY 13/31 AND TWY P CLSD DLY 1530-2330 2603071530-2603082330
3/5/26
1700Z
3/5/26
2300Z
!SNS 03/006 SNS NAV ILS RWY 31 U/S 2603051700-2603052300
3/2/26
2036Z
Runway!SNS 03/005 SNS RWY 13 VASI U/S 2603022036-2603092359EST
2/28/26
1500Z
3/28/26
0330Z
!SNS 02/060 SNS AIRSPACE UAS WI AN AREA DEFINED AS 4NM RADIUS OF 365426N1215041W (3NM SW WVI) SFC-10000FT AGL DLY 1500-0330 2602281500-2603280330
2/13/26
2227Z
3/25/27
2359Z
!SNS 02/023 SNS OBST POLE LGT (ASN 2022-AWP-13592-OE) 364022N1213643W (0.7NM NNW SNS) 134FT (51FT AGL) U/S 2602132227-2703252359
2/5/26
1400Z
3/6/26
0200Z
!SNS 02/005 SNS OBST CRANE (ASN 2026-AWP-2003-OE) 363959N1213718W (0.8NM SW SNS) 163FT (100FT AGL) FLAGGED AND LGTD 2602051400-2603060200
1/26/26
1741Z
6/1/26
0319Z
!SNS 01/059 SNS AIRSPACE UAS WI AN AREA DEFINED AS 4NM RADIUS OF 364216N1214314W (2NM NE OAR) SFC-11000FT 2601261741-2606010319
10/17/25
2110Z
3/30/26
2359Z
!SNS 10/044 SNS COM UNICOM FREQ 123.00 NOW 129.075 2510172110-2603302359
9/1/25
0000Z
8/14/26
2359Z
!SNS 08/060 SNS AIRSPACE UAS WI AN AREA DEFINED AS 1.5NM RADIUS OF
SNS029018 (3.9NM E CVH) SFC-400FT AGL DLY 0000-2359
2509010000-2608142359
3/25/25
1946Z
3/25/26
2359Z
!SNS 03/042 SNS OBST POLE LGT (ASN 2022-AWP-13539-OE) 364021N1213654W (0.7NM NNW SNS) 135FT (53FT AGL) U/S 2503251946-2603252359
3/25/25
1946Z
3/25/26
2359Z
!SNS 03/041 SNS OBST POLE LGT (ASN 2022-AWP-13591-OE) 364021N1213654W (0.7NM NNW SNS) 137FT (55FT AGL) U/S 2503251946-2603252359
FDC
1/8/26
1601Z
!FDC 6/1605 SNS IAP SALINAS MUNI, SALINAS, CA.
LOC RWY 31, AMDT 6...
RNAV (GPS) RWY 13, AMDT 2...
RNAV (GPS) Y RWY 31, AMDT 2...
VOR RWY 13, AMDT 13...
CIRCLING CAT A/B MDA 640/HAA 556. TEMPORARY CRANES UP TO 287 MSL BEGINNING 1.2NM SW OF SNS AIRPORT (2024-AWP-14410 THRU 14413-OE AND 2025-AWP-1812 THRU 1815-OE).
2601081601-2610251601EST
Yes
ALL
CITY OF SALINAS
200 LINCOLN AVE
SALINAS, CA 93901
Phone: 831-758-7214
MATT NELSON
30 MORTENSEN AVE
SALINAS, CA 93905
Phone: 831-758-7214
OAKLAND FSS (OAK)
Toll Free: 1-800-WX-BRIEF
SNS
--
WHEN ATCT CLSD ACTVT MALSR RWY 31; REIL RWY 13 & 26; PAPI RWY 31; HIRL RWY 13/31; MIRL RWY 08/26; H1 - CTAF. VASI RWY 08, 13, & 26 OPR CONSLY.
N/A
Yes - Lighted
No
No
Hanger, Tie-Down
NOT a Landing Rights Airport
NOT an Airport of Entry
Major
Major
High Pressure
None
Crop Dusting
Charter Service
Pilot Instruction
Aircraft Rental
Aircraft Sales

Runway 08/26

6004 ft. x 150 ft.
ASPH  
Good 
NONE 
MED 
 
80,000lbs 
136,000lbs 
244,000lbs 
-- 
  Runway 08 Runway 26
True Heading 97°277°
Traffic Pattern Right Left
Markings NPI NPI
Markings Condition GOOD GOOD
Latitude 36° 39' 46"N 36° 39' 39"N
Longitude 121° 37' 07"W 121° 35' 54"W
Elevation 70' 84'
Threshold Crossing Height 53 ft. AGL 43 ft. AGL
Visual Glide Path Angle
Visual Slope Indicator V2L V2L
Approach Lights
Centerline Lights No No
Runway End Identifier Lights No Yes

Runway 13/31

4825 ft. x 150 ft.
ASPH  
Good 
NONE 
HIGH 
 
120,000lbs 
235,000lbs 
401,000lbs 
935,000lbs 
  Runway 13 Runway 31
True Heading 148°328°
Traffic Pattern Left Right
Markings PIR PIR
Markings Condition GOOD GOOD
Latitude 36° 40' 07"N 36° 39' 27"N
Longitude 121° 36' 36"W 121° 36' 04"W
Elevation 84' 82'
Threshold Crossing Height 50 ft. AGL 59 ft. AGL
Visual Glide Path Angle
Visual Slope Indicator V4L P2L
Approach Lights MALSR
Centerline Lights No No
Runway End Identifier Lights Yes No

Runway H1

90 ft. x 90 ft.
ASPH  
CONC 
AFSC 
FLD 
 
-- 
-- 
-- 
-- 
  Runway H1 Runway
True Heading Not ListedNot Listed
Traffic Pattern
Markings
Markings Condition
Latitude 36° 39' 57"N N/A
Longitude 121° 36' 36"W N/A
Elevation 78' --
Threshold Crossing Height -- --
Visual Glide Path Angle -- --
Visual Slope Indicator -- --
Approach Lights
Centerline Lights
Runway End Identifier Lights
A110-4PORTIONS OF TWY B BETWEEN D & N LIMITED ATCT SERVICES PROVIDED
A110-56 FT TALL SECURITY FENCE 400 FT PRIOR TO RY 13 THLD ON CNTRLN AND STEEPLY DESCENDING TERRAIN 350 FT PRIOR TO RY 31 THLD ON CNTRLN BOTH IN RY 13/31 SAFETY AREA.
A110-6FOR CD WHEN ATCT IS CLSD CTC NORCAL APCH AT 916-361-3748.
A14EARLP@CI.SALINAS.CA.US
A31-13/31200 FT ASPH STWY RY 31.
A81-APTWHEN ATCT CLSD ACTVT MALSR RWY 31; REIL RWY 13 & 26; PAPI RWY 31; HIRL RWY 13/31; MIRL RWY 08/26; H1 - CTAF. VASI RWY 08, 13, & 26 OPR CONSLY.
SALINAS MUNI (ICAO: KSNS, IATA: SNS) is a public airport located in SALINAS, CA, US.