iFlightPlanner

 

...
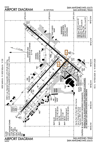
SAN ANTONIO INTL - Airport Diagram
LiveATC.net: Live Air Traffic - From Their Headsets to You

KSAT
ICAO KSATIATA SATLocal SAT
SAN ANTONIO INTL
PublicPUB

7 miles N of SAN ANTONIO, TX, US
LiveATC.net: Live Air Traffic - From Their Headsets to You
Status
Operational
Coordinates
29° 32' 02"N 98° 28' 09"W
Elevation
809' MSL
Pattern Alt
1809' MSL
Mag Variation
4°E
Declination
4°E
Fuel
JET A, 100LL
FSS
SAN ANGELO (SJT)
Sectional
SAN ANTONIO
ARTCC
HOUSTON (ZHU)
Data Effective
2/19/26-3/19/26
KSAT VFR
10:51 PM CST  
Broken 25,000'
10sm
72°F
65°F
30.01"Hg
140° 9kts
AO2 SLP144 T02220183 $
METAR KSAT 040451Z 14009KT 10SM BKN250 22/18 A3001 RMK AO2 SLP144 T02220183 $

KSAT FBOs

No FBOs (Fixed Base Operators) are listed for this airport.
X

Send Message to Airport Company
Enter your information and message below.

Your Information
 
Processing 

Weather and Advisory

Digital ATIS 118.9
(210) 805-5515
ASOS (210) 939-4003

Common

UNICOM 122.95

Clearance

Clearance Delivery 126.7

Ground

SAN ANTONIO GROUND 121.9

Tower

SAN ANTONIO TOWER 119.8

Arrival

CENTERPOINT STAR 125.1
RWY 13R, 22
CENTERPOINT STAR 125.7
RWY 04, 31L
CRVZA RNAV STAR 125.7
DNKIN RNAV STAR 125.1
LEMIG STAR 125.7
MARCS STAR 127.1
POPPO RNAV STAR 125.1
QERVO RNAV STAR 127.1
STONEWALL STAR 125.1

Approach

SAN ANTONIO APPROACH 118.05
141-270 SAT
SAN ANTONIO APPROACH 121.375
SAN ANTONIO APPROACH 124.45
360-090 SAT
SAN ANTONIO APPROACH 125.1
Initial Contact - 271-359 SAT
SAN ANTONIO APPROACH 128.05
091-140 SAT
SAN ANTONIO APPROACH 125.7
Secondary
SAN ANTONIO APPROACH 127.1
Secondary

Departure

ALAMO DP 125.1
RWY 04, 22, 31
ALAMO DP 127.1
RWY 13
ALISS DP 125.1
RY 31L/R
ALISS DP 125.7
RY 13L/R, 22
ALISS DP 127.1
RWY 4
BOWIE DP 125.1
RWY 04 LRD TRANSITION
BOWIE DP 125.7
RWY 13, 22, 31
BOWIE DP 127.1
RWY 04 CRP TRANSITION
LEJON DP 125.1
RWY 04, 22, 31
LEJON DP 125.7
RWY 13
SAN ANTONIO DEPARTURE 118.05
141-270 SAT
SAN ANTONIO DEPARTURE 124.45
360-090 SAT
SAN ANTONIO DEPARTURE 125.1
Initial Contact - 271-359 SAT
SAN ANTONIO DEPARTURE 128.05
091-140 SAT
SLENA DP 125.7
RY 13R/L 31L/R, 22
SLENA DP 127.1
RY 4
SNIDR DP 125.7
RY 22
SNIDR DP 127.1
RY 13R/L, 31L/R, 4
TJANO DP 125.7
RY 13R/L, 31L/R, 22
TJANO DP 127.1
RY 4
YODUH DP 125.1
RY 31L/R
YODUH DP 125.7
RY 22
YODUH DP 127.1
RY 13R/L, 4
SAN ANTONIO DEPARTURE 125.7
Secondary
SAN ANTONIO DEPARTURE 127.1
Secondary

Flight Service

Flight Service 122.3
(SJT)

Emergency

Emergency 121.5

Other

CLASS C 118.05
141-270 SAT
CLASS C 124.45
360-090 SAT
CLASS C 125.1
271-359 SAT
CLASS C 128.05
091-140 SAT

Terminal Area Forecast

KSAT
Tue, 3/3 8:57 PM CST
Tue, 3/3 9:00 PM CST - Thu, 3/5 12:00 AM CST
VFR
9:00 PM CST - 11:00 PM CST
Few 25,000'
6sm
130° 12kts
MVFR
11:00 PM CST - 6:00 AM CST
Overcast 1,200'
6sm
140° 12kts
MVFR
6:00 AM CST - 11:00 AM CST
Light Drizzle
Overcast 1,200'
6sm
160° 10kts
MVFR
11:00 AM CST - 1:00 PM CST
Overcast 1,800'
6sm
160° 12kts
Gusts 22kts
VFR
1:00 PM CST - 12:00 AM CST
Broken 4,000'
Scattered 2,000'
6sm
160° 14kts
Gusts 24kts
TAF KSAT 040257Z 0403/0506 13012KT P6SM FEW250
   FM040500 14012KT P6SM OVC012
   FM041200 16010KT P6SM -DZ OVC012
   FM041700 16012G22KT P6SM OVC018
   FM041900 16014G24KT P6SM SCT020 BKN040
KSAT
EffectiveExpiresCategoryNOTAM
Domestic
2/24/26
1929Z
3/6/26
2300Z
!SAT 02/083 SAT TWY G RUNUP PAD FOR RWY 13R, K, Z EDGE MARKINGS NOT STD 2602241929-2603062300
2/23/26
1400Z
3/7/26
0100Z
Runway!SAT 02/075 SAT RWY 13L/31R CLSD DLY 1400-0100 2602231400-2603070100
2/22/26
1715Z
2/27/26
2300Z
!SAT 02/076 SAT TWY G HLDG PSN MARKINGS FOR APCH END RWY 13R NOT STD 2602221715-2602272300
2/22/26
1400Z
Runway!SAT 02/074 SAT RWY 22 RVRR U/S 2602221400-2603072000EST
2/22/26
1400Z
Runway!SAT 02/073 SAT RWY 04 RVRT U/S 2602221400-2603072000EST
2/16/26
0848Z
5/17/26
2300Z
!SAT 02/050 SAT TWY J BTN RWY 13R/31L AND TWY S CLSD 2602160848-2605172300
2/16/26
0847Z
5/17/26
2300Z
!SAT 02/049 SAT TWY P CLSD 2602160847-2605172300
2/16/26
0846Z
5/17/26
2300Z
!SAT 02/048 SAT TWY M CLSD 2602160846-2605172300
2/11/26
2214Z
3/6/26
2300Z
!SAT 02/036 SAT TWY D BTN TWY R AND TWY G CLSD 2602112214-2603062300
2/11/26
1514Z
6/1/27
2359Z
!SAT 02/031 SAT OBST CRANE LGT (ASN 2025-ASW-2006-NRA) 293143N0982824W (0.4NM SW SAT) 988FT (200FT AGL) U/S 2602111514-2706012359
2/10/26
0712Z
3/3/26
2300Z
!SAT 02/026 SAT TWY S SFC MARKINGS BTN APCH END RWY 13L AND TWY G NOT STD 2602100712-2603032300
1/27/26
0219Z
!SAT 01/100 SAT NAV ILS RWY 31L GP U/S 2601270219-2603272000EST
1/22/26
0300Z
3/7/26
1300Z
!SAT 01/076 SAT TWY Z CLSD DLY 0300-1300 2601220300-2603071300
1/20/26
2250Z
2/28/26
2359Z
!SAT 01/071 SAT OBST TOWER LGT (ASR 1052545) 293131.20N0983706.60W (7.9NM W SAT) 1113.2FT (205.1FT AGL) U/S 2601202250-2602282359
1/20/26
2249Z
2/28/26
2359Z
!SAT 01/070 SAT OBST TOWER LGT (ASR 1052544) 293129.60N0983705.80W (7.9NM W SAT) 1110.9FT (205.1FT AGL) U/S 2601202249-2602282359
1/20/26
2249Z
2/28/26
2359Z
!SAT 01/069 SAT OBST TOWER LGT (ASR 1052543) 293129.60N0983711.80W (8.0NM W SAT) 1117.1FT (205.1FT AGL) U/S 2601202249-2602282359
1/20/26
2248Z
2/28/26
2359Z
!SAT 01/068 SAT OBST TOWER LGT (ASR 1052542) 293127.90N0983711.00W (8.0NM W SAT) 1113.2FT (205.1FT AGL) U/S 2601202248-2602282359
1/20/26
2248Z
2/28/26
2359Z
!SAT 01/067 SAT OBST TOWER LGT (ASR 1052541) 293126.30N0983710.20W (8.0NM W SAT) 1104.0FT (205.1FT AGL) U/S 2601202248-2602282359
1/20/26
2247Z
2/28/26
2359Z
!SAT 01/066 SAT OBST TOWER LGT (ASR 1238562) 293132.90N0983707.40W (7.9NM W SAT) 1321.2FT (413.1FT AGL) U/S 2601202247-2602282359
1/19/26
1438Z
3/7/26
2300Z
!SAT 01/063 SAT APRON INNER RAMP TXL 800FT W OF TERMINAL B WIP ADJ N AND S SIDE 2601191438-2603072300
1/12/26
1400Z
3/6/26
2359Z
Runway!SAT 01/014 SAT RWY 13R PAPI U/S 2601121400-2603062359
1/12/26
1400Z
3/6/26
2359Z
Runway!SAT 01/013 SAT RWY 31L PAPI U/S 2601121400-2603062359
1/12/26
1400Z
3/6/26
2359Z
Runway!SAT 01/012 SAT RWY 13R ALS U/S 2601121400-2603062359
1/12/26
1400Z
3/6/26
2359Z
Runway!SAT 01/011 SAT RWY 31L ALS U/S 2601121400-2603062359
1/12/26
1400Z
3/6/26
2359Z
Runway!SAT 01/010 SAT RWY 13L RWY END ID LGT U/S 2601121400-2603062359
1/12/26
1400Z
3/6/26
2359Z
!SAT 01/009 SAT NAV ILS RWY 13R U/S 2601121400-2603062359
1/12/26
1400Z
3/6/26
2359Z
!SAT 01/008 SAT NAV ILS RWY 31L U/S 2601121400-2603062359
1/12/26
1300Z
3/6/26
2300Z
!SAT 01/031 SAT TWY G BTN TWY L AND TWY V CLSD 2601121300-2603062300
1/12/26
0601Z
3/6/26
2300Z
!SAT 01/044 SAT TWY G BTN APCH END RWY 13R AND TWY Z CLSD 2601120601-2603062300
1/12/26
0601Z
3/6/26
2300Z
!SAT 01/043 SAT TWY K BTN RWY 13R/31L AND TWY G CLSD 2601120601-2603062300
1/12/26
0601Z
3/6/26
2300Z
!SAT 01/042 SAT TWY J BTN RWY 13R/31L AND TWY G CLSD 2601120601-2603062300
1/12/26
0601Z
3/6/26
2300Z
!SAT 01/041 SAT TWY B BTN RWY 13R/31L AND TWY G CLSD 2601120601-2603062300
1/12/26
0601Z
3/6/26
2300Z
!SAT 01/040 SAT TWY L BTN RWY 13R/31L AND TWY G CLSD 2601120601-2603062300
1/12/26
0601Z
3/6/26
2300Z
!SAT 01/039 SAT TWY W BTN RWY 13R/31L AND TWY G CLSD 2601120601-2603062300
1/12/26
0601Z
3/6/26
2300Z
!SAT 01/030 SAT TWY A BTN COMPASS ROSE AND RWY 13R/31L CLSD 2601120601-2603062300
1/12/26
0601Z
3/6/26
2300Z
Runway!SAT 01/027 SAT RWY 13R/31L CLSD 2601120601-2603062300
FDC
2/11/26
1400Z
!FDC 6/1401 SAT IAP SAN ANTONIO INTL, SAN ANTONIO, TX.
RNAV (GPS) Y RWY 4, AMDT 4A...
LNAV/VNAV DA 1260/HAT 474 ALL CATS. VIS RVR 6000 ALL CATS.
LNAV MDA 1360/HAT 574 ALL CATS. VIS CAT C/D 1 3/8.
CIRCLING CAT A/B MDA 1360/HAA 551. VDP 1.55 NM TO RW04.
FOR INOP ALS, INCREASE LNAV/VNAV ALL CATS VISIBILITY TO 1 3/8 SM. INCREASE LNAV CATS A/B VISIBILITY TO RVR 5500, CATS C/D VISIBILITY TO 1 5/8 SM.
TEMPORARY CRANES, 1049 MSL, BEGINNING 2287FT NW OF RWY 04 (2025-ASW-2001 THRU 2005-NRA), TEMPORARY CRANE, 988 MSL, 2274FT NW OF RWY 4 (2025-ASW-2006-NRA).
2602111400-2606011402EST
2/11/26
1400Z
!FDC 6/1400 SAT IAP SAN ANTONIO INTL, SAN ANTONIO, TX.
ILS OR LOC RWY 4, AMDT 23...
RNAV (GPS) Y RWY 22, AMDT 4...
CIRCLING CAT A MDA 1340/HAA 531.
TEMPORARY CRANE, 988 MSL, 2364FT SW OF KSAT AIRPORT (2025-ASW-2006-NRA).
2602111400-2606011402EST
2/11/26
1400Z
!FDC 6/1399 SAT IAP SAN ANTONIO INTL, SAN ANTONIO, TX.
RNAV (GPS) Y RWY 31L, AMDT 2...
LPV DA 1136/HAT 346, VIS ALL CATS RVR 3000.
FOR INOP ALS, INCREASE LPV ALL CATS VISIBILITY TO RVR 5500.
DISREGARD NOTE: *RVR 1800 AUTHORIZED WITH USE OF FD OR AP OR HUD TO DA.
TEMPORARY CRANES, 1049 MSL, BEGINNING 2791FT WEST OF RWY 31L (2025-ASW-2001 THRU 2005-NRA), TEMPORARY CRANE, 892 MSL, 1286FT SOUTH OF RWY 31L (2025-ASW-2305-NRA), TEMPORARY CRANE, 1115 MSL, 3836FT NW OF RWY 31L (2025-ASW-6516-NRA), TEMPORARY CRANE, 988 MSL, 2553FT WEST OF RWY 31L (2025-ASW-2006-NRA).
2602111400-2606011402EST
2/11/26
1400Z
!FDC 6/1398 SAT IAP SAN ANTONIO INTL, SAN ANTONIO, TX.
ILS OR LOC RWY 31L, AMDT 12...
S-ILS 31L* DA 1136/HAT 346, VIS ALL CATS RVR 3000.
FOR INOP ALS, INCREASE S-ILS 31L* ALL CATS VISIBILITY TO RVR 5500.
DISREGARD NOTE: *RVR 1800 AUTHORIZED WITH USE OF FD OR AP OR HUD TO DA.
TEMPORARY CRANES, 1049 MSL, BEGINNING 2791FT WEST OF RWY 31L (2025-ASW-2001 THRU 2005-NRA), TEMPORARY CRANE, 892 MSL, 1286FT SOUTH OF RWY 31L (2025-ASW-2305-NRA), TEMPORARY CRANE, 1115 MSL, 3836FT NW OF RWY 31L (2025-ASW-6516-NRA), TEMPORARY CRANE, 988 MSL, 2553FT WEST OF RWY 31L (2025-ASW-2006-NRA).
2602111400-2606011402EST
12/4/25
2306Z
!FDC 5/4942 SAT IAP SAN ANTONIO INTL, SAN ANTONIO, TX.
RNAV (RNP) Z RWY 22, AMDT 3...
RNP 0.15 DA 1130/HAT 360, VIS ALL CATS 1. TEMPORARY CRANE, 1115 MSL, 1.35NM SW OF RWY 22.
2512042306-2805102000EST
12/4/25
2306Z
!FDC 5/4941 SAT IAP SAN ANTONIO INTL, SAN ANTONIO, TX.
RNAV (RNP) Z RWY 13R, AMDT 1...
RNP 0.15 DA 1187/HAT 378, VIS ALL CATS RVR 3500. FOR INOP ALS, INCREASE RNP 0.15 ALL CATS VISIBILITY TO RVR 5500. TEMPORARY CRANE, 1115 MSL, 4857FT SE OF RWY 13R.
2512042306-2805102000EST
12/4/25
2306Z
!FDC 5/4940 SAT IAP SAN ANTONIO INTL, SAN ANTONIO, TX.
RNAV (RNP) Z RWY 4, AMDT 1...
RNP 0.15 DA 1247/HAT 461, VIS ALL CATS 1 3/8. TEMPORARY CRANE, 1115 MSL, 3819FT NW OF RWY 4.
2512042306-2805102000EST
12/4/25
2306Z
!FDC 5/4938 SAT IAP SAN ANTONIO INTL, SAN ANTONIO, TX.
RNAV (RNP) X RWY 22, ORIG-A...
RNP 0.15 DA 1139/HAT 369 ALL CATS, VIS ALL CATS 1. TEMPORARY CRANE, 1115 MSL, 1.35NM SW OF RWY 22.
2512042306-2805102000EST
Yes
ALL
CITY OF SAN ANTONIO
100 MILITARY PLAZA
SAN ANTONIO, TX 78207
Phone: 210-207-7253
JESUS H. SAENZ, JR.
9800 AIRPORT BLVD
SAN ANTONIO, TX 78216
Phone: 210-207-3444
SAN ANGELO FSS (SJT)
Toll Free: 1-800-WX-BRIEF
SAT
Sunset to Sunrise
--
N/A
Yes - Lighted
No
Yes
Hanger, Tie-Down
Landing Rights Airport
NOT an Airport of Entry
Major
Major
High & Low Pressure
High & Low Pressure
Avionics
Cargo Handling
Charter Service
Pilot Instruction
Aircraft Rental
Aircraft Sales

Runway 04/22

8505 ft. x 150 ft.
CONC  
Good 
GRVD 
HIGH 
 
95,000lbs 
190,000lbs 
270,000lbs 
-- 
  Runway 04 Runway 22
True Heading 41°221°
Traffic Pattern Left Left
Markings PIR PIR
Markings Condition GOOD GOOD
Latitude 29° 31' 24"N 29° 32' 27"N
Longitude 98° 28' 12"W 98° 27' 09"W
Elevation 786' 754'
Threshold Crossing Height 79 ft. AGL 85 ft. AGL
Visual Glide Path Angle
Visual Slope Indicator P4R P4L
Approach Lights MALS
Centerline Lights Yes Yes
Runway End Identifier Lights Yes

Runway 13L/31R

5519 ft. x 100 ft.
ASPH  
Fair 
NONE 
MED 
 
59,000lbs 
120,000lbs 
-- 
-- 
  Runway 13L Runway 31R
True Heading 132°312°
Traffic Pattern Left Left
Markings NPI BSC
Markings Condition GOOD GOOD
Latitude 29° 32' 25"N 29° 31' 49"N
Longitude 98° 28' 40"W 98° 27' 53"W
Elevation 797' 779'
Threshold Crossing Height 40 ft. AGL 60 ft. AGL
Visual Glide Path Angle
Visual Slope Indicator P4L P4L
Approach Lights
Centerline Lights
Runway End Identifier Lights Yes Yes

Runway 13R/31L

8502 ft. x 150 ft.
CONC  
Poor 
GRVD 
HIGH 
 
95,000lbs 
190,000lbs 
270,000lbs 
-- 
  Runway 13R Runway 31L
True Heading 132°312°
Traffic Pattern Left Left
Markings PIR PIR
Markings Condition GOOD GOOD
Latitude 29° 32' 34"N 29° 31' 38"N
Longitude 98° 29' 08"W 98° 27' 56"W
Elevation 809' 778'
Threshold Crossing Height 75 ft. AGL 82 ft. AGL
Visual Glide Path Angle
Visual Slope Indicator P4L P4L
Approach Lights ALSF2 MALSR
Centerline Lights Yes Yes
Runway End Identifier Lights
A110-12GLIDER/SOARING OPNS APRXLY 17 MILES NW OF ARPT DURG VFR.
A110-16NOISE SENSITIVE AREAS EXIST ON ALL SIDES OF ARPT, AT PILOTS DISCRETION CLIMB AS QUICKLY AND QUIETLY AS SAFELY POSSIBLE ON DEPARTURE AND USE CONSIDERATION WHEN FLYING OVER POPULATED AREAS BY MINIMIZING FLT AND HIGH PWR SETTINGS. MILITARY AIRCRAFT: DEPARTING AND ARRIVING AIRCRAFT WILL USE MINIMUM POWER SETTINGS CONSISTENT WITH AIRCRAFT FLIGHT MANUALS, AFTERBURNER TAKEOFF IS PROHIBITED UNLESS REQUIRED FOR SAFETY OF FLIGHT. ENGINE-UPS ARE PERMITTED BTN 0600-2300.
A110-17ACFT TAXIING ON RY 04 NE BOUND LOOK FOR HOLD SHORT TO RY 31L.
A110-18ACFT TAXIING ON TWY N SW BOUND LOOK FOR HOLD SHORT TO RY 31R.
A110-20GROUND RUN-UP ENCLOSURE AVBL 24 HRS.
A110-21TERMINAL GATES A2, A6, A7, A8, USE ONLY WITH PPR CALL OPNS 210-413-4928.
A110-25THE FLWG TWYS ARE NOT AVBL FOR ACFT 59000 LBS OR OVR: TWY A, TWY M, TWY H NORTHWEST OF TWY Z AND TWY E EAST OF RWY 04/22.
A110-26TWY Z CLSD TO ACFT WITH WINGSPAN GREATER THAN 118 FT.
A110-27C130 AND C17 TYPE ACFT MUST PARK ON WEST RAMP TO CLR CUST.
A110-31INNER RAMP TAXILANE NORTH OF TRML A AND B IS CLSD TO ACFT WITH WINGSPAN GTR THAN 135 FT.
A110-33PPR WITH ARPT OPNS FOR ACFT POWERING BACK FM TERMINAL GATES.
A110-34TWYS L & B CLSD TO ACFT WITH WINGSPANS GREATER THAN 118 FT EXITING RY 31L.
A110-38ACFT AT TERMINAL A & B ADVISE GND CTL PRIOR TO PUSH.
A110-4TWY L CLSD NORTHBOUND.
A110-46ARPT RSTD TO ACFT WITH WINGSPAN GTR THAN 171 FT, PPR WITH 24HR OPS 210-413-4928. RQRD FOR AUTH.
A110-49APRON EAST CARGO RAMP INT OF RWY 04/22 AND TWY DELTA ACFT ARE REQ TO APPLY THE MNM THRUST WHEN XNG THE RWY TO AVOID DMG DUE TO JET BLAST.
A110-50ALL INTL GENERAL AVIATION CLEAR U.S. CSTMS AT NORTH FIXED BASE OPERATOR RAMP EAST SIDE, CALL U.S. CSTMS 210-821-6965 UPON ARR.
A110-52FOREIGN MIL ACFT WITH WINGSPAN LESS THAN 100 FT MUST REP TO GA RAMP FED INSPECTION STATION FOR CUST PROCESSING, CTC AP MANAGEMENT AT 210-207-3433.
A110-7NUMEROUS FLOCKS OF BIRDS INVOF ARPT.
A26SAT IS ARFF INDEX C; ARFF INDEX D AVBL WITH PPR.
A30-13L/31RRWY 13L/31R NOT AVBL FOR PART 121/PART 380 OPS WITH SKED PAX CARRYING OPS MORE THAN 9 PAX SEATS AND NON-SKED PAX CARRYING OPS MORE THAN 30 PAX SEATS.
A33-13R/31L_CONDRUNWAY HAS MET ITS SERVICE LIFE CYCLE AND IS IN NEED OF OVERHAUL.
A39-04/22PCR VALUE: 950/R/B/W/T
A39-13L/31RPCR VALUE: 570/F/C/X/T
A39-13R/31LPCR VALUE: 810/R/B/W/T
SAN ANTONIO INTL (ICAO: KSAT, IATA: SAT) is a public airport located in SAN ANTONIO, TX, US.