iFlightPlanner
»
Sign In
X
Home
Features
Join
Resources
A/FD - Airport/Facility Directory
Aviation Charts & Wx on Google Maps
Flight Instructor Directory
METAR & TAF Translator
Coded Departure Route Lookup
Preferred Route Lookup
Data Services
Aviation Chart Map Tile Service
Business & Fuel Price Data
Blog
Contact Us
KRVS
ICAO
KRVS
IATA
RVS
Local
RVS
TULSA RIVERSIDE
Public
PUB
5 miles S of TULSA, OK, US
View on
Map
Status
Operational
Coordinates
36° 02' 23"N
95° 59' 05"W
Elevation
638' MSL
Pattern Alt
1638' MSL
Mag Variation
2°E
Declination
3°E
Fuel
JET A, JET A (FSII), 100LL
FSS
MC ALESTER (MLC)
Sectional
KANSAS CITY
ARTCC
KANSAS CITY (ZKC)
Data Effective
2/19/26-3/19/26
KRVS
IFR
4:53 AM CST
RAW
Overcast 700'
Viz
7sm
Temp
50°F
Dew
48°F
Pres
30.08"Hg
Wind
310° 5kts
RMK
AO2 PRESRR SLP191 T01000089
METAR KRVS 041053Z AUTO 31005KT 7SM OVC007 10/09 A3008 RMK AO2 PRESRR SLP191 T01000089
Services
Frequencies & Documents
Freqs & Docs
TAF
NOTAM
Operations
Runways
Remarks
Add Your Business
KRVS FBOs
No FBOs (Fixed Base Operators) are listed for this airport.
X
Send Message to Airport Company
Enter your information and message below.
Your Information
Business
x
Weather and Advisory
ATIS
126.5
ASOS
126.5
(918) 299-0740
Common
CTAF
120.3
WHEN ATCT CLSD ACTVT MIRL RWY 01R/19L & 13/31; HIRL RWY 01L/19R; TWY H, L, T & Z; TXL DD - CTAF. HIRL RWY 01L/19R PRESET MED INTST; INCR INTST - CTAF.
UNICOM
122.95
Clearance
RIVERSIDE CLEARANCE DELIVERY
124.5
Ground
RIVERSIDE GROUND
121.7
0700-2200
Tower
RIVERSIDE TOWER
120.3
0700-2200
RIVERSIDE TOWER
119.2
0700-2200, Secondary, USE AS PRI LCL/TWR FREQ ONLY WHEN ADZD BY ATIS OR ATC.
Arrival
VINTA STAR
119.1
Approach
TULSA APPROACH
119.85
356-174
TULSA APPROACH
134.7
Initial Contact - 175-355
Departure
TULSA DEPARTURE
119.85
356-174
TULSA DEPARTURE
134.7
Initial Contact - 175-355
TULSA DP
124.0
FAA A/FD Pages
FAA A/FD Page
Airport Diagrams
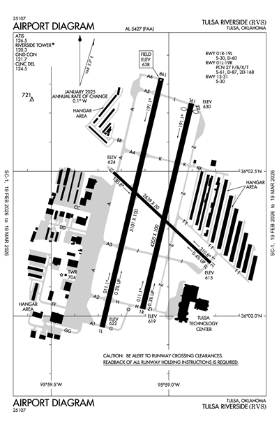
AIRPORT DIAGRAM
Airport Minimums
ALTERNATE MINIMUMS
TAKEOFF MINIMUMS
Departure Procedures
TULSA ONE
Arrival Procedures
VINTA THREE
Instrument Approach
ILS OR LOC RWY 01L
RNAV (GPS) RWY 01L
RNAV (GPS) RWY 19R
VOR/DME-A
Terminal Area Forecast
KRVS
RAW
Reported
Tue, 3/3 11:20 PM CST
Valid
Wed, 3/4 12:00 AM CST - Thu, 3/5 12:00 AM CST
VFR
12:00 AM CST - 4:00 AM CST
Broken 12,000'
Broken 5,000'
Viz
6sm
Wind
340° 11kts
MVFR
Temporary
2:00 AM CST - 4:00 AM CST
Broken 1,500'
Viz
N/A
Wind
Calm
MVFR
4:00 AM CST - 7:00 AM CST
Light Rain and Mist
Broken 1,000'
Viz
4sm
Wind
Calm
MVFR
4:00 AM CST - 7:00 AM CST
Broken 5,000'
Broken 1,500'
Viz
6sm
Wind
350° 7kts
IFR
7:00 AM CST - 3:00 PM CST
Light Showers and Rain and Mist
Broken 1,500'
Broken 800'
Viz
4sm
Wind
360° 5kts
IFR
Temporary
8:00 AM CST - 12:00 PM CST
Thunderstorm and Rain and Mist
Broken 700'
Viz
2sm
Wind
VRB° 11kts
IFR
3:00 PM CST - 11:00 PM CST
Broken 700'
Viz
6sm
Wind
340° 5kts
MVFR
5:00 PM CST - 11:00 PM CST
Light Thunderstorm and Rain and Mist
Broken 1,000'
Viz
4sm
Wind
Calm
MVFR
11:00 PM CST - 12:00 AM CST
Broken 1,200'
Viz
6sm
Wind
VRB° 3kts
TAF KRVS 040520Z 0406/0506 34011KT P6SM BKN050 BKN120
TEMPO 0408/0410 BKN015
FM041000 35007KT P6SM BKN015 BKN050
PROB30 0410/0413 4SM -RA BR BKN010
FM041300 36005KT 4SM -SHRA BR BKN008 BKN015
TEMPO 0414/0418 VRB11KT 2SM TSRA BR BKN007CB
FM042100 34005KT P6SM BKN007
PROB30 0423/0505 4SM -TSRA BR BKN010CB
FM050500 VRB03KT P6SM BKN012
KRVS
Effective
Expires
Category
NOTAM
Domestic
3/3/26
2354Z
!RVS 03/001 RVS NAV ILS RWY 01L LOC/DME NOT MNT 2603032354-2604242000EST
2/27/26
0759Z
!RVS 02/011 RVS NAV ILS RWY 01L GP NOT MNT 2602270759-2604242000EST
2/15/26
2256Z
3/13/26
2359Z
!RVS 02/005 RVS OBST TOWER LGT (ASN 2022-ASW-19598-OE) 355737N0955308W (6.8NM SE RVS) 824FT (220FT AGL) U/S 2602152256-2603132359
2/4/26
1310Z
3/21/26
1309Z
!RVS 02/001 RVS OBST TOWER LGT (ASR 1228228) 360101.90N0960304.00W (3.5NM WSW RVS) 971.1FT (250.0FT AGL) U/S 2602041310-2603211309
10/25/23
1426Z
!RVS 10/012 RVS OBST BLDG (ASN UNKNOWN) 360235N0955915W (.10NM NW APCH END RWY 13)
645.5FT (21.75FT AGL) ERECTED 2310251426-PERM
ATC Tower
Yes
Attendance
0600 - 2200
AFT HR PPR.
Owner
CITY OF TULSA
TULSA ARPT IMPROVEMENT TRUST
BOX 581838 TULSA, OK 74158
Phone: 918-838-5000
Manager
AUSTIN WHEELER
8303 S. HANGAR RD.
TULSA, OK 74132
Phone: 918-299-5886
FSS
MC ALESTER FSS (MLC)
Toll Free: 1-800-WX-BRIEF
NOTAM
RVS
Light Schedule
--
Lights
WHEN ATCT CLSD ACTVT MIRL RWY 01R/19L & 13/31; HIRL RWY 01L/19R; TWY H, L, T & Z; TXL DD - CTAF. HIRL RWY 01L/19R PRESET MED INTST; INCR INTST - CTAF.
Beacon
N/A
Wind Indicator
Yes - Lighted
Segmented Cir.
Yes
Landing Fee
No
Parking
Hanger, Tie-Down
Int'l Operations
NOT a Landing Rights Airport
NOT an Airport of Entry
Airframe Repair
Major
Pwrplant Repair
Major
Bottled Oxygen
Low Pressure
Bulk Oxygen
None
Other Services
Air Ambulance
Avionics
Charter Service
Pilot Instruction
Aircraft Rental
Aircraft Sales
Runway 01L/19R
Dimensions
5101 ft. x 100 ft.
Surface Type
ASPH
Surface Cond
Good
Treatment
GRVD
Rwy Edge Lgts
HIGH
Pavement Class
27/F/B/X/T
Single Wheel
61,000lbs
Double Wheel
87,000lbs
Double Tandem
168,000lbs
Dual Dbl Tand
--
Runway 01L
Runway 19R
True Heading
13°
193°
Traffic Pattern
Right
Markings
PIR
NPI
Markings Condition
GOOD
GOOD
Latitude
36° 01' 59"N
36° 02' 48"N
Longitude
95° 59' 16"W
95° 59' 02"W
Elevation
622'
638'
Threshold Crossing Height
48 ft. AGL
48 ft. AGL
Visual Glide Path Angle
3°
3.2°
Visual Slope Indicator
P4L
P4L
Approach Lights
Centerline Lights
No
Runway End Identifier Lights
Yes
Yes
Runway 01R/19L
Dimensions
4205 ft. x 100 ft.
Surface Type
ASPH
Surface Cond
Good
Treatment
NONE
Rwy Edge Lgts
MED
Pavement Class
Single Wheel
30,000lbs
Double Wheel
60,000lbs
Double Tandem
--
Dual Dbl Tand
--
Runway 01R
Runway 19L
True Heading
13°
193°
Traffic Pattern
Right
Markings
BSC
BSC
Markings Condition
GOOD
GOOD
Latitude
36° 02' 02"N
36° 02' 43"N
Longitude
95° 59' 07"W
95° 58' 55"W
Elevation
619'
630'
Threshold Crossing Height
40 ft. AGL
40 ft. AGL
Visual Glide Path Angle
2.83°
2.83°
Visual Slope Indicator
P4L
P4L
Approach Lights
Centerline Lights
No
Runway End Identifier Lights
Runway 13/31
Dimensions
2639 ft. x 50 ft.
Surface Type
ASPH
Surface Cond
Fair
Treatment
NONE
Rwy Edge Lgts
MED
Pavement Class
Single Wheel
30,000lbs
Double Wheel
--
Double Tandem
--
Dual Dbl Tand
--
Runway 13
Runway 31
True Heading
133°
313°
Traffic Pattern
Right
Markings
BSC
BSC
Markings Condition
GOOD
GOOD
Latitude
36° 02' 29"N
36° 02' 12"N
Longitude
95° 59' 14"W
95° 58' 50"W
Elevation
624'
615'
Threshold Crossing Height
--
--
Visual Glide Path Angle
--
--
Visual Slope Indicator
--
--
Approach Lights
Centerline Lights
Runway End Identifier Lights
A110-1
NE, NW & SW RAMPS, PTNS OF TXL CC, DD & GG NOT VSB FM ATCT.
A110-2
NOISE ABATEMENT: TURNS ON DEP PRIOR TO 1500 FT MSL NA.
A110-3
BIRDS ON & INVOF ARPT.
A110-4
TXL BB & NW PVT HNGR AREA TXL 20 FT WIDE.
A110-7
NE & NW PVT HNGR AREA WINGSPAN GTR THAN 49 FT NA; TXL WT LMT 12500 LB.
A17-H1
AFT HR PPR.
A30A-13
L TURN ON DEP BFR 1500 FT MSL NA.
A30A-31
MNTN TPA UNTIL ABEAM AER ON DOWNWIND LEG.
A34-01L/19R
ONLY CNTR 80 FT GRVD.
A57-01R
48 FT PLINE 826 FT FM RWY 19L END CREATES 20:1 APCH CLNC SLP TO DTHR.
A58-19L
8 FT ROAD 200 FT FM RWY THR, BOTH SIDES.
A81-APT
WHEN ATCT CLSD ACTVT MIRL RWY 01R/19L & 13/31; HIRL RWY 01L/19R; TWY H, L, T & Z; TXL DD - CTAF. HIRL RWY 01L/19R PRESET MED INTST; INCR INTST - CTAF.
TULSA RIVERSIDE (ICAO: KRVS, IATA: RVS) is a public airport located in TULSA, OK, US.
© iFlightPlanner | Web, iPad, & iPhone Flight Planning
|
Site Map
|
Privacy Policy