iFlightPlanner

 

...
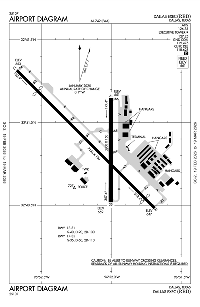
DALLAS EXEC - Airport Diagram
LiveATC.net: Live Air Traffic - From Their Headsets to You

KRBD
ICAO KRBDIATA RBDLocal RBD
DALLAS EXEC
PublicPUB

6 miles SW of DALLAS, TX, US
LiveATC.net: Live Air Traffic - From Their Headsets to You
Status
Operational
Coordinates
32° 40' 53"N 96° 52' 08"W
Elevation
661' MSL
Pattern Alt
1661' MSL
Mag Variation
3°E
Declination
6°E
Fuel
JET A, 100LL
FSS
FORT WORTH (FTW)
Sectional
DALLAS-FT WORTH
ARTCC
FORT WORTH (ZFW)
Data Effective
2/19/26-3/19/26
KRBD MVFR
1:53 AM CST  
Broken 2,200'
10sm
70°F
65°F
30.00"Hg
170° 13kts
Gusts 23kts
AO2 SLP152 T02110183
METAR KRBD 040753Z AUTO 17013G23KT 10SM BKN022 21/18 A3000 RMK AO2 SLP152 T02110183

KRBD FBOs

No FBOs (Fixed Base Operators) are listed for this airport.
X

Send Message to Airport Company
Enter your information and message below.

Your Information
 
Processing 

Weather and Advisory

ATIS 126.35
ASOS (214) 330-5317

Common

CTAF 127.25
WHEN ATCT CLSD MIRL RWYS 13/31& 17/35 PRESET LOW INTST; TO INCR INTST ACTVT - CTAF.
UNICOM 122.95

Clearance

Clearance Delivery 118.625

Ground

EXECUTIVE GROUND 119.475
0700-2100

Tower

EXECUTIVE TOWER 127.25
0700-2100

Arrival

DODJE STAR 125.2
DODJE STAR 125.9
FINGR STAR 124.3
FINGR STAR 125.275
GREGS STAR 118.1
HERBZ STAR 118.1
JFRYE STAR 118.1
REEKO STAR 125.2
SLANT STAR 125.275
SWVAY STAR 135.975

Approach

LONE STAR APPROACH 125.2

Departure

BOTCH DP 125.2
DALLAS AREA DP 125.2
GARLAND DP 125.2
JOE POOL DP 125.2
LONE STAR DEPARTURE 125.2
NANDR RNAV DP 125.2

Emergency

Emergency 121.5

Terminal Area Forecast

KDAL (10nm)
Tue, 3/3 11:22 PM CST
Wed, 3/4 12:00 AM CST - Thu, 3/5 12:00 AM CST
VFR
12:00 AM CST - 2:00 AM CST
Scattered 25,000'
6sm
160° 11kts
MVFR
2:00 AM CST - 1:00 PM CST
Broken 1,800'
6sm
180° 15kts
VFR
1:00 PM CST - 5:00 PM CST
Showers in vicinity
Broken 25,000'
Scattered 2,500'
6sm
180° 14kts
VFR
5:00 PM CST - 10:00 PM CST
Thunderstorm in vicinity
Broken 5,000'
Scattered 2,500'
6sm
190° 13kts
VFR
10:00 PM CST - 12:00 AM CST
Broken 5,000'
6sm
200° 11kts
TAF KDAL 040522Z 0406/0506 16011KT P6SM SCT250
   FM040800 18015KT P6SM BKN018
   FM041900 18014KT P6SM VCSH SCT025 BKN250
   FM042300 19013KT P6SM VCTS SCT025 BKN050CB
   FM050400 20011KT P6SM BKN050
KRBD
EffectiveExpiresCategoryNOTAM
Domestic
3/4/26
1530Z
3/4/26
2200Z
!RBD 02/018 RBD AIRSPACE FLTCK ACFT OPS WI AN AREA DEFINED AS 5NM RADIUS OF RBD SFC-3500FT AGL ACFT CS FLC78
2603041530-2603042200
2/25/26
1300Z
10/31/26
2338Z
!RBD 02/011 RBD AIRSPACE SEE CVE 02/667 UAS DLY SR-SS
2602251300-2610312338
2/25/26
1300Z
10/31/26
2338Z
!RBD 02/010 RBD AIRSPACE SEE TTT 02/665 UAS DLY SR-SS
2602251300-2610312338
2/25/26
1300Z
10/31/26
2338Z
!RBD 02/009 RBD AIRSPACE SEE TTT 02/661 UAS DLY SR-SS
2602251300-2610312338
12/9/25
1200Z
6/10/26
0900Z
!RBD 12/011 RBD AIRSPACE SEE 73T 12/254 UAS DLY 1200-0900
2512091200-2606100900
FDC
3/4/26
0221Z
4/1/26
0321Z
!FDC 6/3252 RBD SID DALLAS EXEC, DALLAS, TX.
WORTH ONE DEPARTURE...
CORONA TRANSITION,LUBBOCK TRANSITION,TEXICO TRANSITION NA EXCEPT FOR ACFT EQUIPPED WITH SUITABLE RNAV SYSTEM WITH GPS,
LBB VOR OUT OF SERVICE. 2603040221-2604010321EST
2/23/26
1510Z
4/15/26
1510Z
!FDC 6/8498 RBD IAP DALLAS EXEC, DALLAS, TX.
ILS OR LOC RWY 31, AMDT 9A...
PROCEDURE NA EXCEPT FOR ACFT EQUIPPED WITH SUITABLE RNAV SYSTEM WITH GPS,
CVE VOR/DME OUT OF SERVICE. 2602231510-2604151510EST
12/5/25
1903Z
!FDC 5/5331 RBD SID DALLAS EXEC, DALLAS, TX.
KINGDOM FIVE DEPARTURE...
LUBBOCK TRANSITION, MILLSAP TRANSITION, WICHITA FALLS TRANSITION NA EXCEPT FOR AIRCRAFT EQUIPPED WITH SUITABLE RNAV SYSTEM WITH GPS,
MQP VORTAC OUT OF SERVICE. 2512051903-2607171903EST
12/5/25
1903Z
!FDC 5/5315 RBD SID DALLAS EXEC, DALLAS, TX.
WORTH ONE DEPARTURE...
ABILENE TRANSITION, CORONA TRANSITION, LUBBOCK TRANSITION, TEXICO TRANSITION: NA EXCEPT FOR AIRCRAFT EQUIPPED WITH SUITABLE RNAV SYSTEM WITH GPS,
MQP VORTAC OUT OF SERVICE. 2512051903-2607171903EST
8/11/25
1824Z
!FDC 5/5472 RBD SID DALLAS EXEC, DALLAS, TX.
BOTCH ONE DEPARTURE (RNAV)...
BRHMA TRANSITION: RUFFS TO KATZZ, MOCA 3500. ALIAN TRANSITION: FUMED TO ALIAN, MOCA 3200. CIKAN TRANSITION, DOSXX TRANSITION, WSTEX TRANSITION: LYNDE TO WSTEX, MOCA 3300.
ALL OTHER DATA REMAINS AS PUBLISHED. 2508111824-2603231824EST
3/13/25
1300Z
6/7/26
1218Z
!FDC 5/2681 RBD SID DALLAS EXEC, DALLAS, TX.
WORTH ONE DEPARTURE...
CORONA TRANSITION NA EXCEPT FOR ACFT EQUIPPED WITH SUITABLE RNAV SYSTEM WITH GPS,
CNX VORTAC OUT OF SERVICE. 2503131300-2606071218EST
8/27/24
2025Z
!FDC 4/6796 RBD IAP DALLAS EXEC, DALLAS, TX.
ILS OR LOC RWY 31, AMDT 9A...
DME REQUIRED.
2408272025-2608282023EST
Yes
0600-2000
ON CALL AFT HRS.
CITY OF DALLAS
1500 MARILLA
DALLAS, TX 75201
Phone: 214-670-7612
RAFAEL GARZA JR.
5303 CHALLENGER DR
DALLAS, TX 75237
Phone: 214-670-7612
FORT WORTH FSS (FTW)
Toll Free: 1-800-WX-BRIEF
RBD
--
WHEN ATCT CLSD MIRL RWYS 13/31& 17/35 PRESET LOW INTST; TO INCR INTST ACTVT - CTAF.
N/A
Yes - Lighted
Yes
No
Hanger, Tie-Down
No
Major
Major
None
High & Low Pressure
Avionics
Charter Service
Pilot Instruction
Aircraft Rental
Aircraft Sales

Runway 13/31

7136 ft. x 100 ft.
CONC  
Excellent 
GRVD 
MED 
 
40,000lbs 
90,000lbs 
130,000lbs 
-- 
  Runway 13 Runway 31
True Heading 135°315°
Traffic Pattern Left Left
Markings NPI PIR
Markings Condition GOOD GOOD
Latitude 32° 41' 19"N 32° 40' 29"N
Longitude 96° 52' 41"W 96° 51' 42"W
Elevation 653' 647'
Threshold Crossing Height 40 ft. AGL 45 ft. AGL
Visual Glide Path Angle
Visual Slope Indicator P4L P4R
Approach Lights
Centerline Lights
Runway End Identifier Lights Yes Yes

Runway 17/35

3800 ft. x 150 ft.
CONC  
Good 
NONE 
MED 
 
35,000lbs 
60,000lbs 
110,000lbs 
-- 
  Runway 17 Runway 35
True Heading 180°
Traffic Pattern Left Left
Markings NPI NPI
Markings Condition GOOD GOOD
Latitude 32° 41' 09"N 32° 40' 31"N
Longitude 96° 52' 00"W 96° 52' 01"W
Elevation 651' 659'
Threshold Crossing Height 43 ft. AGL --
Visual Glide Path Angle --
Visual Slope Indicator P4R --
Approach Lights
Centerline Lights
Runway End Identifier Lights Yes Yes
A110-1BIRDS & WILDLIFE ON & INVOF ARPT.
A17-H1ON CALL AFT HRS.
A57-13APCH SLOPE 0:1 TO DSPLCD THLD OVR 20 FT TREES, 0 FT DSTC, 395 FT R.
A58-1325 FT TREES, 0-199 FT DSTC, 399 FT R. 15 FT CONC WALL, 0 FT DSTC, 385 L.
A70-100LLFUEL AVBL 24 HR.
A81-APTWHEN ATCT CLSD MIRL RWYS 13/31& 17/35 PRESET LOW INTST; TO INCR INTST ACTVT - CTAF.
E111PRE-DATES ACT.
DALLAS EXEC (ICAO: KRBD, IATA: RBD) is a public airport located in DALLAS, TX, US.