iFlightPlanner
»
Sign In
X
Home
Features
Join
Resources
A/FD - Airport/Facility Directory
Aviation Charts & Wx on Google Maps
Flight Instructor Directory
METAR & TAF Translator
Coded Departure Route Lookup
Preferred Route Lookup
Data Services
Aviation Chart Map Tile Service
Business & Fuel Price Data
Blog
Contact Us
KNPA
ICAO
KNPA
IATA
NPA
Local
NPA
PENSACOLA NAS (FORREST SHERMAN FLD)
Private
PVT
6 miles SW of PENSACOLA, FL, US
View on
Map
Status
Operational
Coordinates
30° 21' 12"N
87° 19' 05"W
Elevation
28' MSL
Pattern Alt
1028' MSL
Mag Variation
3°W
Declination
3°W
Fuel
None Listed
FSS
GAINESVILLE (GNV)
Sectional
NEW ORLEANS
ARTCC
JACKSONVILLE (ZJX)
Data Effective
2/19/26-3/19/26
KNPA
VFR
7:56 PM CST
RAW
Broken 6,500'
Few 800'
Viz
10sm
Temp
64°F
Dew
63°F
Pres
30.23"Hg
Wind
120° 5kts
RMK
AO2 SLP237 T01780172 $
METAR KNPA 040156Z 12005KT 10SM FEW008 BKN065 18/17 A3023 RMK AO2 SLP237 T01780172 $
Services
Frequencies & Documents
Freqs & Docs
TAF
NOTAM
Operations
Runways
Remarks
Add Your Business
KNPA FBOs
No FBOs (Fixed Base Operators) are listed for this airport.
X
Send Message to Airport Company
Enter your information and message below.
Your Information
Business
x
Weather and Advisory
ATIS
124.35
Hours: 1300-0300Z++ MON-FRI; CLSD SAT; 2100-0230Z++ SUN, HOL BY NOTAM.
Clearance
Clearance Delivery
134.1
DEP ACFT CTC CLNC DEL PRIOR TAXI.
Ground
SHERMAN GROUND
121.7
1300-0300Z++ MON-FRI; CLSD SAT; 2100-0230Z++ SUN, HOL BY NOTAM.
Tower
SHERMAN TOWER
120.7
1300-0300Z++ MON-FRI; CLSD SAT; 2100-0230Z++ SUN, HOL BY NOTAM.
Approach
PENSACOLA APPROACH
120.65
PENSACOLA APPROACH
120.65
Departure
PENSACOLA DEPARTURE
120.65
PENSACOLA DEPARTURE
120.65
Other
CLASS C
120.65
FAA A/FD Pages
FAA A/FD Page
Airport Diagrams
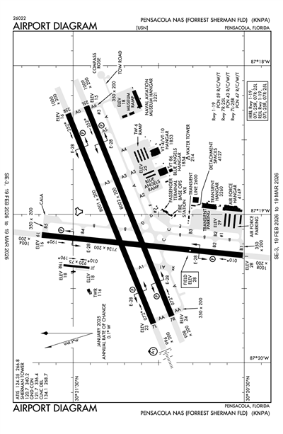
AIRPORT DIAGRAM
Airport Minimums
RADAR MINIMUMS
TAKEOFF MINIMUMS
Instrument Approach
HI-TACAN Z RWY 01
HI-TACAN Z RWY 07L
HI-TACAN Z RWY 07R
HI-TACAN Z RWY 25L
HI-TACAN Z RWY 25R
HI-VOR Z RWY 19
ILS OR RNAV (GPS) Y RWY 07L
ILS Z OR LOC Z RWY 07L
RNAV (GPS) RWY 01
RNAV (GPS) RWY 07R
RNAV (GPS) RWY 19
RNAV (GPS) RWY 25L
RNAV (GPS) RWY 25R
TACAN Y RWY 01
TACAN Y RWY 07L
TACAN Y RWY 07R
TACAN Y RWY 19
TACAN Y RWY 25L
TACAN Y RWY 25R
VOR Y RWY 19
Terminal Area Forecast
KNPA
RAW
Reported
Tue, 3/3 5:00 PM CST
Valid
Tue, 3/3 5:00 PM CST - Wed, 3/4 5:00 PM CST
VFR
5:00 PM CST - 12:00 AM CST
Scattered 1,100'
Viz
6sm
Pres
30.18"Hg
Wind
120° 8kts
IFR
Temporary
6:00 PM CST - 12:00 AM CST
Overcast 6,000'
Broken 800'
Viz
N/A
Wind
Calm
IFR
12:00 AM CST - 7:00 AM CST
Mist
Broken 500'
Viz
2.98sm
Pres
30.15"Hg
Wind
100° 5kts
LIFR
Temporary
2:00 AM CST - 7:00 AM CST
Fog
Broken 200'
Viz
0.25sm
Wind
Calm
IFR
7:00 AM CST - 12:00 PM CST
Mist
Broken 500'
Viz
4.97sm
Pres
30.18"Hg
Wind
110° 10kts
VFR
Temporary
7:00 AM CST - 10:00 AM CDT
Scattered 500'
Viz
N/A
Wind
Calm
MVFR
12:00 PM CST - 3:00 PM CST
Overcast 1,200'
Viz
6sm
Pres
30.21"Hg
Wind
120° 11kts
VFR
3:00 PM CST - 5:00 PM CST
Broken 25,000'
Scattered 1,500'
Viz
6sm
Pres
30.15"Hg
Wind
140° 10kts
TAF KNPA 0323/0423 12008KT 9999 SCT011 BKN60 QNH3017INS
TEMPO 0400/0406 BKN008 OVC060
FM040600 10005KT 4800 BR BKN005 QNH3015INS
TEMPO 0408/0413 0400 FG BKN002
FM041300 11010KT 8000 BR BKN005 QNH3018INS
TEMPO 0413/1415 SCT005
FM041800 12011KT 9999 OVC012 QNH3021INS
FM042100 14010KT 9999 SCT015 BKN250 QNH3015INS AUTOMATED SENSOR METWATCH 0403 TIL 0412 TX23/0420Z TN17/0412Z FN20034
KNPA
Effective
Expires
Category
NOTAM
Military
1/30/26
2034Z
4/23/26
1700Z
TRANSIENT ALERT SERVICE ARE LIMITED TO 0700-1430L (1300-2030Z)
12/3/25
1450Z
3/3/26
1450Z
Taxiway
TWY A6 IS
CLOSED
BETWEEN ALPHA AND TOW RD.
12/3/25
1450Z
3/3/26
1450Z
Runway
RWY 01 IN THE EVENT OF OVERRUN UTILIZE CAUTION DUE TO BROKEN ASPHALT ON LAST 500 FEET.
12/3/25
1450Z
3/3/26
1450Z
Aerodrome
AERODROME SINK HOLES THROUGHOUT THE AIRFIELD IN THE LATERAL SAFETY AREAS OF TAXIWAYS AND RUNWAYS MARKED BY CONES. UTILIZE CAUTION.
ATC Tower
Yes
Attendance
MAR-NOV MON-FRI 1200-0300Z
SAT CLSD
SUN 2100-0230Z++
NOV-MAR 1300-0300Z
HOL BY NOTAM. SEE FLIP AP/1 SUPPLEMENTARY ARPT RMK.
Owner
US NAVY
OCEANOGRAPHIC OFC-CODE 3142
WASHINGTON, DC 20373
Manager
COMMANDING OFFICER
NAVAL AIR STATION
PENSACOLA, FL 32508
Phone: 850-452-2735
FSS
GAINESVILLE FSS (GNV)
Toll Free: 1-800-WX-BRIEF
NOTAM
NPA
Light Schedule
--
Lights
AVBL ONLY DURING HRS OF OPERATION.
Beacon
N/A
Wind Indicator
N/A
Segmented Cir.
No
Landing Fee
No
Parking
None
Int'l Operations
No
Airframe Repair
None
Pwrplant Repair
None
Bottled Oxygen
None
Bulk Oxygen
None
Other Services
None
Runway 01/19
Dimensions
7136 ft. x 200 ft.
Surface Type
Surface Cond
ASPH
Treatment
NONE
Rwy Edge Lgts
HIGH
Pavement Class
59/R/C/W/T
Single Wheel
--
Double Wheel
--
Double Tandem
--
Dual Dbl Tand
--
Runway 01
Runway 19
True Heading
6°
186°
Traffic Pattern
Markings
Markings Condition
Latitude
30° 20' 31"N
30° 21' 41"N
Longitude
87° 19' 18"W
87° 19' 09"W
Elevation
28'
16'
Threshold Crossing Height
55 ft. AGL
55 ft. AGL
Visual Glide Path Angle
3°
3°
Visual Slope Indicator
P4L
P4L
Approach Lights
Centerline Lights
Runway End Identifier Lights
Runway 07L/25R
Dimensions
8001 ft. x 200 ft.
Surface Type
Surface Cond
ASPH
Treatment
NONE
Rwy Edge Lgts
HIGH
Pavement Class
47/R/C/W/T
Single Wheel
--
Double Wheel
--
Double Tandem
--
Dual Dbl Tand
--
Runway 07L
Runway 25R
True Heading
68°
248°
Traffic Pattern
Markings
Markings Condition
Latitude
30° 21' 03"N
30° 21' 32"N
Longitude
87° 19' 45"W
87° 18' 20"W
Elevation
23'
16'
Threshold Crossing Height
56 ft. AGL
56 ft. AGL
Visual Glide Path Angle
3°
3°
Visual Slope Indicator
P4L
P4L
Approach Lights
ALSF1
Centerline Lights
Runway End Identifier Lights
Yes
Runway 07R/25L
Dimensions
8000 ft. x 200 ft.
Surface Type
Surface Cond
ASPH
Treatment
NONE
Rwy Edge Lgts
HIGH
Pavement Class
43/R/C/W/T
Single Wheel
--
Double Wheel
--
Double Tandem
--
Dual Dbl Tand
--
Runway 07R
Runway 25L
True Heading
68°
248°
Traffic Pattern
Markings
Markings Condition
Latitude
30° 20' 56"N
30° 21' 26"N
Longitude
87° 19' 42"W
87° 18' 17"W
Elevation
24'
15'
Threshold Crossing Height
55 ft. AGL
52 ft. AGL
Visual Glide Path Angle
3°
3°
Visual Slope Indicator
P4L
P4L
Approach Lights
Centerline Lights
Runway End Identifier Lights
A110-10
TFC PAT: LDG/TAXI LGT RQR ALL LDG WHEN WX COND PERMIT. WHEELS WATCH NOT ON STN. SEE MANDATORY IFR ARR PRO-FLIP AP/1 SUPPLEMENTARY ARPT RMK. REDUCED RWY SEPARATION STD IN EFF CNATRA ACFT ONLY. MULTIPLE APCH SEVERELY LTD DUR SINGLE RWY OPR.
A110-11
NS ABTMT: REQ ALL ACFT REMAIN AT OR ABV 500' AND 0.5 NM OFF-SHORE FR NAVARRE BEACH TO W OF JOHNSON BEACH DUE TO NESTING OF PROTECTED SPECIES APR-OCT.
A110-12
CSTMS/AG/IMG: CSTMS, AG AVBL IF PRIOR ARNG MADE WITH MIN 48 HR ADVANCE NTC.
A110-14
CAUTION: EXPECT SIMULTANEOUS OPR DUR DUAL RY OPERATIONS. PONDING OCCURS AFTER MODERATE TO HVY RAIN AT ALL RY INT AND HOLD SHORT AREAS. RY 7L-R/25L-R GROOVED. RY 1/19 NOT GROOVED.
A110-15
MISC- SECTOR CONTROL PENSACOLA, FL KNPA (CALL SIGN SEABREEZE) C850-452-2041, SKEDS HOURS 1200-2100Z++ MON-FRI, MAR-NOV; 1300-2200Z MON-FRI; NOV-MAR. (R) CTL SVC AND SKED PROVIDED IN W155 TO ALL MIL AND DESIGNATED CIV AIR OPR. ALL ACFT OPR IN W155 SHALL BE SKED, CHECK IN/OUT ON PRIM FREQ AND REMAIN IN CONTINUOUS RDO COM WITH SEABREEZE OR WITH THE MIL RADAR UNIT/FAC SPECIFICALLY AUTH BY SEABREEZE TO PROVIDE CTL/CONTAINMENT SVC. ACFT OPR BLW 3500- MAY NOT RECEIVE RADAR SVC DUE TO LIMITED RADAR/RADIO COVERAGE. FOR DETAILED WARNING OP AREA SKED/USE PRO, CTC SECTOR CONTROL PENSACOLA. SEABREEZE - (PRIM)-(E) (127.45 351.625) 348.0 3102.4 6835.4 H-5D, L18E, F. FLT PLANS FOR NAS PENSACOLA CAN BE SUBMITTED TO BASE OPS VIA FAX AT C850-452-8105 OR E-MAIL: CNIC_SE_PNSC_NPA_BASE_OPS@US.NAVY.MIL. TO CONFIRM RECEIPT OF FLT PLANS CTC FLT PLANNING DISPATCHER C850-452-2265/2041. KNPA ASOS DIAL-IN C850-452-3040.
A110-16
ACFT EXP TO CONDUCT OPR FR SHERMAN FLD CTC FLEET LIAISON OFFICE DSN 459-4333, C850-452-4333 FOR SKED.
A110-17
CIV ACFT LDG PMT CTC DEPUTY AIR OPS OFFICER DSN:459-2547 C:850-452-2547.
A110-18
RSTD - B-52 OPS PROH. PPR REQ FOR ALL TRANSIENT AIRCRAFT. PPR VALID PLUS OR MINUS 30 MIN. OF APPRVD TIME NOT TO EXCEED BEYOND NORMAL AIRFLD CLOSURE TIME. FAILURE TO ARRIVE WITHIN THE ASSIGNED WINDOW MAY RESULT IN DENIAL OF LANDING CLEARANCE., CTC TRAN LINE DSN 850-459-2672, C850-452-2672.
A110-2
A-GEAR: 15 MIN NTC FOR SHORT FIELD ARRESTMENT.
A110-3
JASU - 2(NC-10) 2(MSU-200)
A110-4
FUEL: JET A++
A110-5
FLUID - SP LHOX LOX OXRB ACFT NITROGEN AND OX SVCG AVBL MAR-NOV 1200-0300Z, MON-FRI, NOV-MAR 1300-0300Z, CLSD SAT-SUN, OPEN BY NOTAM, AND HOL BY NOTAM.
A110-6
OIL: O-128-148-156
A110-7
TRAN SVC AVBL, CTC FOR HOURS, CLSD SAT-SUN, HOL BY NOTAM ; OT NO TRAN ACFT AUTH.
A17-M1
HOL BY NOTAM. SEE FLIP AP/1 SUPPLEMENTARY ARPT RMK.
A81-APT
AVBL ONLY DURING HRS OF OPERATION.
A86
FSS-GAINESVILLE GNV- NOTAM PNS
E60-01_E5
HOOK E28(B)(1554')
E60-07L_E5
HOOK E28(B) (1200')
E60-07R_E5
HOOK E28(B) (1300')
E60-19_E5
HOOK E28(B) (1100')
E60-25L_E5
HOOK E28(B) (1450')
E60-25R_E5
HOOK E28(B) (1300')
PENSACOLA NAS (FORREST SHERMAN FLD) (ICAO: KNPA, IATA: NPA) is a private airport located in PENSACOLA, FL, US.
© iFlightPlanner | Web, iPad, & iPhone Flight Planning
|
Site Map
|
Privacy Policy