iFlightPlanner

 

...
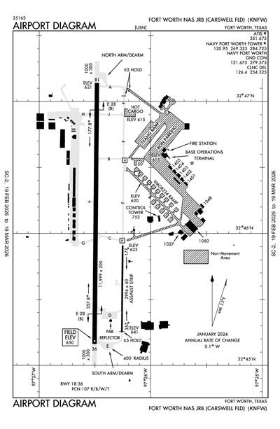
FORT WORTH NAS JRB (CARSWELL FLD) - Airport Diagram
LiveATC.net: Live Air Traffic - From Their Headsets to You

KNFW
ICAO KNFWIATA FWHLocal NFW
FORT WORTH NAS JRB (CARSWELL FLD)
PrivatePVT

5 miles W of FORT WORTH, TX, US
LiveATC.net: Live Air Traffic - From Their Headsets to You
Status
Operational
Coordinates
32° 46' 09"N 97° 26' 30"W
Elevation
650' MSL
Pattern Alt
1650' MSL
Mag Variation
3°E
Declination
4°E
Fuel
None Listed
FSS
FORT WORTH (FTW)
Sectional
DALLAS-FT WORTH
ARTCC
FORT WORTH (ZFW)
Data Effective
2/19/26-3/19/26
KNFW MVFR
2:52 AM CST  
Overcast 2,000'
10sm
72°F
65°F
29.99"Hg
180° 13kts
Gusts 21kts
AO2 SLP140 T02220183 51005 $
METAR KNFW 040852Z AUTO 18013G21KT 10SM OVC020 22/18 A2999 RMK AO2 SLP140 T02220183 51005 $

KNFW FBOs

No FBOs (Fixed Base Operators) are listed for this airport.
X

Send Message to Airport Company
Enter your information and message below.

Your Information
 
Processing 

Clearance

Clearance Delivery 126.4

Ground

NAVY FORT WORTH GROUND 121.675
1300-0500Z++ MON-FRI; 1500-2300Z++ SAT & SUN, OT BY NOTAM.

Tower

NAVY FORT WORTH TOWER 120.95
1300-0500Z++ MON-FRI; 1500-2300Z++ SAT & SUN, OT BY NOTAM.

Arrival

ARRIVAL 128.775
DODJE STAR 125.2
DODJE STAR 125.9
LIKES STAR 125.8
SOUTH
LIKES STAR 135.975
NORTH
MOTZA STAR 118.1
SOUTH
MOTZA STAR 125.8
NORTH
REEKO STAR 125.2
SASIE STAR 124.3
TRUUK RNAV STAR 124.3
WESAT STAR 118.1
SOUTH
WESAT STAR 125.8
NORTH

Approach

LONE STAR APPROACH 125.8

Departure

BOTCH DP 125.8
DALLAS AREA DP 125.8
GARLAND DP 125.8
JOE POOL DP 125.8
LONE STAR DEPARTURE 125.8
NANDR RNAV DP 125.8

Terminal Area Forecast

KNFW
Wed, 3/4 2:54 AM CST
Wed, 3/4 2:00 AM CST - Thu, 3/5 1:00 AM CST
MVFR
Temporary 2:00 AM CST - 8:00 AM CST
Overcast 16,000'
Broken 2,000'
N/A
Calm
VFR
2:00 AM CST - 11:00 AM CST
Broken 16,000'
Few 13,000'
Scattered 2,000'
6sm
29.97"Hg
170° 18kts
Gusts 25kts
MVFR
11:00 AM CST - 2:00 PM CST
Broken 2,500'
6sm
29.97"Hg
180° 18kts
Gusts 25kts
MVFR
2:00 PM CST - 1:00 AM CST
Light Showers and Rain and Thunderstorm in vicinity
Broken 25,000'
Broken 15,000'
Scattered 3,000'
3.73sm
29.94"Hg
190° 18kts
Gusts 25kts
IFR
Temporary 3:00 PM CST - 5:00 PM CST
Thunderstorm and Rain
Overcast 2,000'
2.98sm
VRB° 20kts
Gusts 30kts
TAF AMD KNFW 0408/0507 17018G25KT 9999 SCT020 FEW130 BKN160 BKN250 QNH2997INS
   TEMPO 0408/0414 BKN020 OVC160
   FM041700 18018G25KT 9999 BKN025 QNH2998INS
   FM042000 19018G25KT 6000 -SHRA VCTS SCT030CB BKN150 BKN250 QNH2995INS
   TEMPO 0421/0423 VRB20G30KT 4800 TSRA OVC020CB AUTOMATED SENSOR METWATCH 0408 TIL 0412 TX28/0421Z TN19/0413Z AMD 0845 FN00320
KNFW
EffectiveExpiresCategoryNOTAM
FDC
3/4/26
0221Z
4/1/26
0321Z
!FDC 6/3254 NFW SID FORT WORTH NAS JRB (CARSWELL FLD), FORT WORTH, TX.
WORTH ONE DEPARTURE...
CORONA TRANSITION,LUBBOCK TRANSITION,TEXICO TRANSITION NA EXCEPT FOR ACFT EQUIPPED WITH SUITABLE RNAV SYSTEM WITH GPS,
LBB VOR OUT OF SERVICE. 2603040221-2604010321EST
12/5/25
1903Z
!FDC 5/5371 NFW SID FORT WORTH NAS JRB (CARSWELL FLD), FORT WORTH, TX.
KINGDOM FIVE DEPARTURE...
LUBBOCK TRANSITION, MILLSAP TRANSITION, WICHITA FALLS TRANSITION NA EXCEPT FOR AIRCRAFT EQUIPPED WITH SUITABLE RNAV SYSTEM WITH GPS,
MQP VORTAC OUT OF SERVICE. 2512051903-2607171903EST
12/5/25
1903Z
!FDC 5/5304 NFW SID FORT WORTH NAS JRB (CARSWELL FLD), FORT WORTH, TX.
WORTH ONE DEPARTURE...
ABILENE TRANSITION, CORONA TRANSITION, LUBBOCK TRANSITION, TEXICO TRANSITION: NA EXCEPT FOR AIRCRAFT EQUIPPED WITH SUITABLE RNAV SYSTEM WITH GPS,
MQP VORTAC OUT OF SERVICE. 2512051903-2607171903EST
8/11/25
1824Z
!FDC 5/5489 NFW SID FORT WORTH NAS JRB (CARSWELL FLD), FORT WORTH, TX.
BOTCH ONE DEPARTURE (RNAV)...
BRHMA TRANSITION: RUFFS TO KATZZ, MOCA 3500. ALIAN TRANSITION: FUMED TO ALIAN, MOCA 3200. CIKAN TRANSITION, DOSXX TRANSITION, WSTEX TRANSITION: LYNDE TO WSTEX, MOCA 3300.
ALL OTHER DATA REMAINS AS PUBLISHED. 2508111824-2603231824EST
3/13/25
1300Z
6/7/26
1218Z
!FDC 5/2695 NFW SID FORT WORTH NAS JRB (CARSWELL FLD), FORT WORTH, TX.
WORTH ONE DEPARTURE...
CORONA TRANSITION NA EXCEPT FOR ACFT EQUIPPED WITH SUITABLE RNAV SYSTEM WITH GPS,
CNX VORTAC OUT OF SERVICE. 2503131300-2606071218EST
4/29/24
1450Z
4/29/26
2359Z
!FDC 4/6153 NFW STAR
LIKES THREE RNAV STAR MOCA BTN BIEST AND HRLIP CHANGED TO 3100
2404291450-2604292359EST
Military
3/3/26
1758Z
3/6/26
1758Z
M0108/26 NOTAMC M0105/26
3/3/26
1757Z
3/6/26
1757Z
M0107/26 NOTAMC M0104/26
3/2/26
1816Z
4/15/26
1630Z
QUIET HOURS 15APR26 1000L-1030L. DURING QUIET HOUR PERIODS, NORMAL QUIET HOUR RESTRICTIONS WILL BE OBSERVED: - ENGINE START UP, DEPARTURES, OR LANDING STRAIGHT-IN ONLY WITH OPERATIONS OFFICER APPROVAL.
2/11/26
1711Z
3/12/26
1600Z
QUIET HOURS 12MAR26 1000L-1100L. DUE TO CHANGE OF COMMAND CEREMONY AT VR-59 HANGAR. DURING QUIET HOUR PERIODS, NORMAL QUIET HOUR RESTRICTIONS WILL BE OBSERVED: - ENGINE START UP, DEPARTURES, OR LANDING STRAIGHT-IN ONLY WITH OPERATIONS OFFICER APPROVAL.
1/16/26
1458Z
4/15/26
2300Z
IFR TAKEOFF PROCEDURES. RWY 36, STANDARD WITH MINIMUM CLIMB OF 241 FT/NM TO 880 FT OR 300-1½. ALTERNATIVELY, WITH STANDARD TAKEOFF MINIMUMS AND A STANDARD 200 FEET PER NM CLIMB GRADIENT, TAKEOFF MUST OCCUR NO LATER THAN 1900 FT PRIOR TO DEPARTURE END OF RUNWAY. INCREASE MINIMA ALL PROCEDURES CIRCLING CAT D 1440-2½ 790 (800-2½) CIRCLING CAT E 1440-2¾ 790 (800-2¾).
1/16/26
1455Z
4/15/26
2300Z
IFR TAKEOFF PROCEDURES. RWY 18, STANDARD WITH MINIMUM CLIMB OF 271 FT/NM TO 900 FT OR 300-1¾. ALTERNATIVELY, WITH STANDARD TAKEOFF MINIMUMS AND A STANDARD 200 FEET PER NM CLIMB GRADIENT, TAKEOFF MUST OCCUR NO LATER THAN 1600 FT PRIOR TO DEPARTURE END OF RUNWAY. INCREASE MINIMA ALL PROCEDURES CIRCLING CAT D 1440-2½ 790 (800-2½) CIRCLING CAT E 1440-2¾ 790 (800-2¾).
1/7/26
1459Z
3/7/26
1400Z
RunwayRWY36/SOUTH PAPIS OTS
Yes
MON-FRI 1300-0500Z++
SAT-SUN 1500-2300Z++
OT BY NOTAM
U.S. NAVY
FORT WORTH NAS
FORT WORTH, TX 76127
U.S. NAVY
FORT WORTH NAS
FORT WORTH, TX 76127
FORT WORTH FSS (FTW)
Toll Free: 1-800-WX-BRIEF
NFW
--
AVBL ONLY DURING HRS OF OPERATION.
N/A
Yes
No
No
None
No
Major
Major
None
None
None

Runway 176/356

3996 ft. x 60 ft.
 
CONC 
NONE 
 
 
-- 
-- 
-- 
-- 
  Runway 176 Runway 356
True Heading Not ListedNot Listed
Traffic Pattern
Markings
Markings Condition
Latitude N/A N/A
Longitude N/A N/A
Elevation -- --
Threshold Crossing Height -- --
Visual Glide Path Angle -- --
Visual Slope Indicator -- --
Approach Lights
Centerline Lights
Runway End Identifier Lights

Runway 18/36

11999 ft. x 200 ft.
 
CONC 
NONE 
HIGH 
107/R/B/W/T 
-- 
-- 
-- 
-- 
  Runway 18 Runway 36
True Heading 181°
Traffic Pattern Right Left
Markings PIR PIR
Markings Condition GOOD GOOD
Latitude 32° 47' 08"N 32° 45' 10"N
Longitude 97° 26' 29"W 97° 26' 30"W
Elevation 622' 650'
Threshold Crossing Height 62 ft. AGL 58 ft. AGL
Visual Glide Path Angle
Visual Slope Indicator P4L P4L
Approach Lights ALSF1
Centerline Lights No No
Runway End Identifier Lights Yes
A110-1CSTMS/AG/IMG: US MIL CSTMS SKED 1400-2200Z++ MON-FRI 48 HR PN THRU NAS SECURITY DSN 739-5200, C817-782-5200.
A110-11JASU: 1(NCPP-105) 1(NC-8) 4(AM32A-86D) 7(AM32A-60A).
A110-12FUEL: OPR 1200-0430Z++. JA.
A110-13FLUID: SP PRESAIR LTD LOX.
A110-14OIL: O-133-148 LTD JOAP.
A110-15TRAN ALERT: NO PRIORITY BASIS. LTD TRAN SVC/MAINT AVBL, EMERG ONLY. HGR SPACE/FLEET SVC/DE-ICE UNAVBL.
A110-16RSTD: PPR ALL ACFT CTC AIR ODO C817-825-6411, DSN 739-5715.
A110-18MISC: FLT PLAN DISPATCH DSN 739-7531, C817-782-7531. DUTY DRIVER NOT AVBL.
A110-19MISC: LOCKHEED MARTIN OFFICIAL BUSINESS ONLY. FOR ACCESS, CTC LOCKHEED MARTIN FLT OPNS DSN 838-5677, C817-763-3624, SEE AP1 FOR ADDITIONAL INFORMATION.
A110-2CAUTION: MODERATE AND STRONG W WIND REDUCED AT TD PT RWY 18 BY LOCKHEED COMPLEX. BIRD HAZ.
A110-20AFRC - DSN 739-6888.
A110-23TRAN ALERT: TRANSIENT ACFT SHALL CTC TOWER ON GND FREQ PRIOR TO ENGINE START AND/OR TAXIING.
A110-25FLUID: LOX SVC NOT AVBL W/NON-REMOVABLE LOX CONVERTERS UFN.
A110-26TRAN ALERT: 48 HR PN FOR PPR ACFT REQUIRING DLY TRANSIENT/ATC SERVICE. RULES OF ATC SERVICES BRIEF REQUIRED FOR AIRCRAFT DETS OPERATING OUT OF NAS FT WORTH.
A110-27MISC: ON SITE WX FORECASTING AVBL, CTC 1-888-PILOT-WX (1-888-745-6899) FOR FORECASTING SVC.
A110-28RSTD: ADDL PPR ALL ACFT PARKING ANG RAMP, DSN 874-3256, C817-852-3256, NML OPR 1130-2215Z++ TUE-FRI; CLSD SAT, SUN, MON AND HOL. ALL TRAN ACFT CTC ANG OPS 226.9, 15 MIN PRIOR TO LDG.
A110-29CAUTION: TAXI ON CNTRLN, INCREASE INTERVAL. FOUR-ENG ACFT, SECURE OUTBD ENG.
A110-30MISC: POC FOR THE AFM AND CALP C817-782-6824.
A110-5MISC: RWY 18 FIRST 1000 FT CONCRETE, 6700 FT HI-FRICTION ASPHALT, 2800 FT GROOVED CONCRETE, REMAINING 1500 FT CONCRETE, TWY B EAST OF TWY F 50 FT.
A110-9BEARING STRENGTH RWY 18/36: ST175 SBTT593 TRT585.
A81-APTAVBL ONLY DURING HRS OF OPERATION.
E147TPA: 1050 FT AGL RECTANGULAR, 1550 FT AGL OVERHEAD, 550 FT AGL HELICOPTER.
E60-18_E28HOOK E28(B) (1251').
E60-36_E28HOOK E28(B) (1375').
FORT WORTH NAS JRB (CARSWELL FLD) (ICAO: KNFW, IATA: NFW) is a private airport located in FORT WORTH, TX, US.