iFlightPlanner

 

...
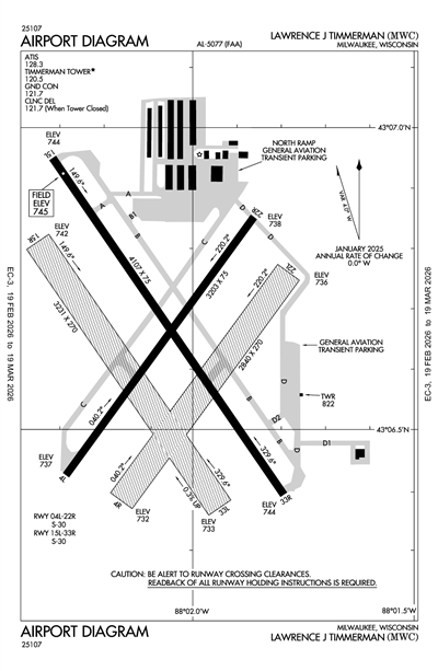
LAWRENCE J TIMMERMAN - Airport Diagram
LiveATC.net: Live Air Traffic - From Their Headsets to You

KMWC
ICAO KMWCIATA MWCLocal MWC
LAWRENCE J TIMMERMAN
PublicPUB

5 miles NW of MILWAUKEE, WI, US
LiveATC.net: Live Air Traffic - From Their Headsets to You
Status
Operational
Coordinates
43° 06' 37"N 88° 02' 04"W
Elevation
745' MSL
Pattern Alt
1745' MSL
Mag Variation
4°W
Declination
2°W
Fuel
JET A (FSII), 100LL
FSS
GREEN BAY (GRB)
Sectional
CHICAGO
ARTCC
CHICAGO (ZAU)
Data Effective
2/19/26-3/19/26
KMWC MVFR
3:55 AM CST  
Mist
Clear
5sm
25°F
23°F
30.22"Hg
Calm
AO2
METAR KMWC 040955Z AUTO 00000KT 5SM BR CLR M04/M05 A3022 RMK AO2

KMWC FBOs

No FBOs (Fixed Base Operators) are listed for this airport.
X

Send Message to Airport Company
Enter your information and message below.

Your Information
 
Processing 

Weather and Advisory

ATIS 128.3
AWOS-3 (414) 461-2954

Common

CTAF 120.5
WHEN ATCT CLSD, MIRL RWY 15L/33R PRESET TO LOW SS-SR; TO INCR INTST AND ACTVT REIL RWY 04L, 15L, 22R, & 33R; PAPI RWY 15L & 33R; VASI RWY 04L & 22R; AND MIRL RWY 04L/22R - CTAF.
UNICOM 122.95

Clearance

Clearance Delivery 121.7
WHEN TWR CLSD

Ground

TIMMERMAN GROUND 121.7
0700-2100

Tower

TIMMERMAN TOWER 120.5
0700-2100

Arrival

GOPAC STAR 126.5

Approach

MILWAUKEE APPROACH 125.35

Departure

MILWAUKEE DEPARTURE 125.35

FAA A/FD Pages

Airport Diagrams

Airport Minimums

Departure Procedures

Arrival Procedures

Instrument Approach

Terminal Area Forecast

KUES (10nm)
Wed, 3/4 2:33 AM CST
Wed, 3/4 3:00 AM CST - Thu, 3/5 12:00 AM CST
IFR
Temporary 3:00 AM CST - 7:00 AM CST
Mist
Broken 1,000'
2sm
Calm
MVFR
3:00 AM CST - 9:00 AM CST
Mist
Scattered 1,000'
5sm
Calm
MVFR
9:00 AM CST - 11:00 AM CST
Broken 1,000'
6sm
Calm
VFR
11:00 AM CST - 7:00 PM CST
Scattered 2,000'
6sm
VRB° 4kts
VFR
7:00 PM CST - 9:00 PM CST
Broken 9,000'
6sm
Calm
MVFR
9:00 PM CST - 10:00 PM CST
Broken 3,000'
6sm
Calm
MVFR
10:00 PM CST - 12:00 AM CST
Broken 1,700'
6sm
Calm
TAF KUES 040833Z 0409/0506 00000KT 5SM BR SCT010
   TEMPO 0409/0413 2SM BR BKN010
   FM041500 00000KT P6SM BKN010
   FM041700 VRB04KT P6SM SCT020
   FM050100 00000KT P6SM BKN090
   FM050300 00000KT P6SM BKN030
   FM050400 00000KT P6SM BKN017
KMWC
EffectiveExpiresCategoryNOTAM
Domestic
3/4/26
0239Z
3/5/26
0239Z
Runway!MWC 03/018 MWC RWY 22R FICON 20 PCT WET OBS AT 2603040239. 2603040239-2603050239
3/4/26
0239Z
3/5/26
0239Z
Runway!MWC 03/017 MWC RWY 15L FICON 20 PCT WET OBS AT 2603040239. 2603040239-2603050239
3/4/26
0238Z
3/5/26
0238Z
!MWC 03/016 MWC APRON ALL FICON PATCHY WET OBS AT 2603040238. 2603040238-2603050238
3/4/26
0237Z
3/5/26
0237Z
!MWC 03/015 MWC TWY ALL FICON PATCHY WET OBS AT 2603040237. 2603040237-2603050237
2/1/26
2351Z
3/18/26
2351Z
!MWC 02/001 MWC OBST TOWER LGT (ASR 1051799) 430524.00N0875455.00W (5.3NM ESE MWC) 1331.7FT (655.8FT AGL) U/S 2602012351-2603182351
FDC
4/30/25
1811Z
!FDC 5/3855 MWC IAP LAWRENCE J TIMMERMAN, MILWAUKEE, WI.
RNAV (GPS) RWY 4L, ORIG-E...
STRAIGHT-IN MINIMUMS NA AT NIGHT. CIRCLING RWY 4L, 33R NA AT NIGHT. VDP NA. CHANGE HELICOPTER NOTE TO READ: RWY 4L HELICOPTER VISIBILITY REDUCTION BELOW 1 SM NOT AUTHORIZED.
2504301811-2704301811EST
4/30/25
1811Z
!FDC 5/3853 MWC IAP LAWRENCE J TIMMERMAN, MILWAUKEE, WI.
LOC RWY 15L, AMDT 6F...
RNAV (GPS) RWY 15L, ORIG-E...
RNAV (GPS) RWY 22R, ORIG-F...
CIRCLING RWY 4L, 33R NA AT NIGHT.
2504301811-2704301811EST
Yes
0800-1600
MILWAUKEE COUNTY
COUNTY COURTHOUSE
MILWAUKEE, WI 53233
Phone: 414-747-5300
BRIAN DRANZIK
5300 S HOWELL
MILWAUKEE, WI 53207
Phone: 414-747-5775
GREEN BAY FSS (GRB)
Toll Free: 1-800-WX-BRIEF
MWC
--
WHEN ATCT CLSD, MIRL RWY 15L/33R PRESET TO LOW SS-SR; TO INCR INTST AND ACTVT REIL RWY 04L, 15L, 22R, & 33R; PAPI RWY 15L & 33R; VASI RWY 04L & 22R; AND MIRL RWY 04L/22R - CTAF.
N/A
Yes
No
No
Hanger, Tie-Down
NOT a Landing Rights Airport
NOT an Airport of Entry
Major
Major
High & Low Pressure
High & Low Pressure
Charter Service
Pilot Instruction
Aircraft Rental
Aircraft Sales

Runway 04L/22R

3203 ft. x 75 ft.
ASPH  
Excellent 
NONE 
MED 
 
30,000lbs 
-- 
-- 
-- 
  Runway 04L Runway 22R
True Heading 36°216°
Traffic Pattern Left Left
Markings NPI NPI
Markings Condition GOOD GOOD
Latitude 43° 06' 26"N 43° 06' 51"N
Longitude 88° 02' 17"W 88° 01' 52"W
Elevation 737' 738'
Threshold Crossing Height 44 ft. AGL 45 ft. AGL
Visual Glide Path Angle
Visual Slope Indicator V4L V4L
Approach Lights
Centerline Lights No No
Runway End Identifier Lights Yes Yes

Runway 04R/22L

2840 ft. x 270 ft.
TURF  
Good 
NONE 
 
 
-- 
-- 
-- 
-- 
  Runway 04R Runway 22L
True Heading 36°216°
Traffic Pattern Left Left
Markings
Markings Condition
Latitude 43° 06' 23"N 43° 06' 46"N
Longitude 88° 02' 10"W 88° 01' 47"W
Elevation 732' 736'
Threshold Crossing Height -- --
Visual Glide Path Angle -- --
Visual Slope Indicator -- --
Approach Lights
Centerline Lights No No
Runway End Identifier Lights No No

Runway 15L/33R

4107 ft. x 75 ft.
ASPH  
Excellent 
NONE 
MED 
 
30,000lbs 
-- 
-- 
-- 
  Runway 15L Runway 33R
True Heading 146°326°
Traffic Pattern Left Left
Markings NPI NPI
Markings Condition GOOD GOOD
Latitude 43° 06' 57"N 43° 06' 23"N
Longitude 88° 02' 19"W 88° 01' 48"W
Elevation 744' 744'
Threshold Crossing Height 41 ft. AGL 40 ft. AGL
Visual Glide Path Angle
Visual Slope Indicator P4R P4L
Approach Lights
Centerline Lights No No
Runway End Identifier Lights Yes Yes

Runway 15R/33L

3231 ft. x 270 ft.
TURF  
Good 
NONE 
 
 
-- 
-- 
-- 
-- 
  Runway 15R Runway 33L
True Heading 145°325°
Traffic Pattern Left Left
Markings
Markings Condition
Latitude 43° 06' 49"N 43° 06' 22"N
Longitude 88° 02' 21"W 88° 01' 56"W
Elevation 742' 733'
Threshold Crossing Height -- --
Visual Glide Path Angle -- --
Visual Slope Indicator -- --
Approach Lights
Centerline Lights No No
Runway End Identifier Lights No No
A110-3BCN ELEV 797' MSL.
A110-4TURF RYS 04R/22L & 15R/33L & ALL TURF TWYS CLSD 15 OCT - 1 MAY.
A110-6BIRDS ON & INVOF ARPT.
A110-7CONDS UNMON MON-FRI 1530-0630, SAT, SUN, OR FED HOLS.
A15EMAIL ADDRESS: BDRANZIK@MITCHELLAIRPORT.COM (ALL LOWER CASE)
A42-04R_MARKMKD BY WHITE TFC CONES.
A42-15R_MARKMKD BY WHITE TFC CONES.
A42-22L_MARKMKD BY WHITE TFC CONES.
A42-33L_MARKMKD BY WHITE TFC CONES.
A43-04LWHEN VASI OTS, RWY CLSD TO LDG SS-SR.
A43-22RWHEN VASI OTS, RWY CLSD TO LDG SS-SR.
A43-33RUNUSBL BYD 8 DEGS RIGHT OF CNTRLN. WHEN PAPI OTS, RWY CLSD TO LDG SS-SR.
A81-APTWHEN ATCT CLSD, MIRL RWY 15L/33R PRESET TO LOW SS-SR; TO INCR INTST AND ACTVT REIL RWY 04L, 15L, 22R, & 33R; PAPI RWY 15L & 33R; VASI RWY 04L & 22R; AND MIRL RWY 04L/22R - CTAF.
LAWRENCE J TIMMERMAN (ICAO: KMWC, IATA: MWC) is a public airport located in MILWAUKEE, WI, US.