iFlightPlanner

 

...
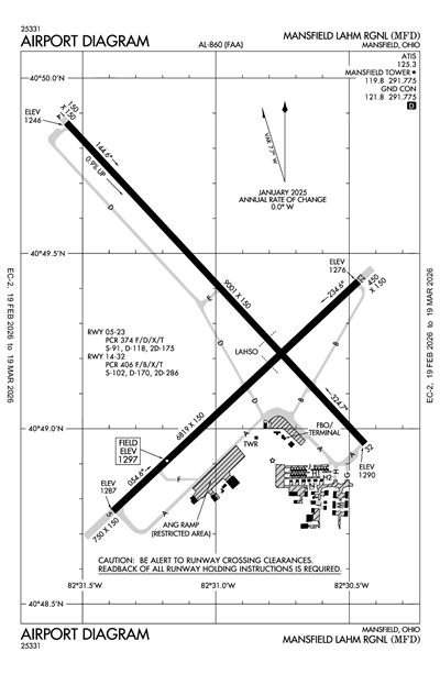
MANSFIELD LAHM RGNL - Airport Diagram
LiveATC.net: Live Air Traffic - From Their Headsets to You

KMFD
ICAO KMFDIATA MFDLocal MFD
MANSFIELD LAHM RGNL
PublicPUB

3 miles N of MANSFIELD, OH, US
LiveATC.net: Live Air Traffic - From Their Headsets to You
Status
Operational
Coordinates
40° 49' 17"N 82° 30' 60"W
Elevation
1297' MSL
Pattern Alt
2297' MSL
Mag Variation
8°W
Declination
6°W
Fuel
JET A-1+, 100LL
FSS
CLEVELAND (CLE)
Sectional
DETROIT
ARTCC
CLEVELAND (ZOB)
Data Effective
2/19/26-3/19/26
KMFD IFR
8:52 PM EST  
Overcast 600'
8sm
50°F
49°F
30.10"Hg
160° 6kts
AO2 RAB13E31 SLP201 P0000 T01000094 $
METAR KMFD 050152Z 16006KT 8SM OVC006 10/09 A3010 RMK AO2 RAB13E31 SLP201 P0000 T01000094 $

KMFD FBOs

No FBOs (Fixed Base Operators) are listed for this airport.
X

Send Message to Airport Company
Enter your information and message below.

Your Information
 
Processing 

Weather and Advisory

ATIS 125.3
ASOS 125.3
(419) 520-7277

Common

CTAF 119.8
WHEN ATCT CLSD ACTVT MALSR RWY 32; REIL RWY 05 & 23; PAPI RWY 14, 05, & 23; HIRL RWY 05/23 & 14/32 - CTAF.
UNICOM 122.95

Ground

MANSFIELD GROUND 121.8
0600-2300

Tower

MANSFIELD TOWER 119.8
0600-2300

Approach

CLEVELAND APPROACH 128.35

Departure

CLEVELAND DEPARTURE 128.35

Center

CLEVELAND CENTER 134.9
LOW, APCH/DEP SVC PRVDD BY CLEVELAND APCH (CLE) 0600-0100. APCH/DEP SVC PRVDD BY CLEVELAND ARTCC (ZOB) ON FREQS 134.9/269.475 (MANSFIELD RCAG) 0100-0600.

Emergency

Emergency 121.5

Terminal Area Forecast

KMFD
Wed, 3/4 6:47 PM EST
Wed, 3/4 7:00 PM EST - Thu, 3/5 7:00 PM EST
MVFR
7:00 PM EST - 8:00 PM EST
Broken 1,200'
6sm
150° 5kts
IFR
8:00 PM EST - 10:00 PM EST
Broken 800'
6sm
140° 5kts
LIFR
10:00 PM EST - 3:00 AM EST
Showers and Rain and Mist
Overcast 400'
2sm
140° 4kts
LIFR
3:00 AM EST - 11:00 AM EST
Mist and Showers in vicinity
Overcast 200'
0.75sm
VRB° 3kts
LIFR
Temporary 5:00 AM EST - 8:00 AM EST
Fog
Overcast 100'
0.25sm
Calm
LIFR
11:00 AM EST - 3:00 PM EST
Rain and Mist
Overcast 300'
1sm
190° 7kts
IFR
3:00 PM EST - 7:00 PM EST
Mist and Showers in vicinity
Overcast 600'
5sm
230° 7kts
TAF KMFD 042347Z 0500/0524 15005KT P6SM BKN012
   FM050100 14005KT P6SM BKN008
   FM050300 14004KT 2SM SHRA BR OVC004
   FM050800 VRB03KT 3/4SM BR VCSH OVC002
   TEMPO 0510/0513 1/4SM FG OVC001
   FM051600 19007KT 1SM RA BR OVC003
   FM052000 23007KT 5SM BR VCSH OVC006
KMFD
EffectiveExpiresCategoryNOTAM
Domestic
3/5/26
0200Z
3/5/26
1100Z
!MFD 02/114 MFD COM REMOTE COM OUTLET 122.6 U/S 2603050200-2603051100
3/5/26
0200Z
3/5/26
1100Z
!MFD 02/113 MFD SVC ATIS 125.3 U/S 2603050200-2603051100
3/3/26
2341Z
4/17/26
2341Z
!MFD 03/001 MFD OBST TOWER LGT (ASN 2024-AGL-3696-OE) 403743N0822250W (13.1NM SSE MFD) 1351FT (260FT AGL) U/S 2603032341-2604172341
2/26/26
1958Z
!MFD 02/111 MFD OBST TOWER LGT (ASR 1295983) 405211.40N0822612.70W (4.7NM NE MFD) 1378.6FT (309.7FT AGL) U/S 2602261958-2603281700EST
2/10/26
0056Z
3/27/26
0055Z
!MFD 02/049 MFD OBST TOWER LGT (ASR 1212593) 404259.20N0823245.60W (6.5NM SSW MFD) 1773.0FT (353.0FT AGL) U/S 2602100056-2603270055
1/24/26
0506Z
3/10/26
0505Z
!MFD 01/126 MFD OBST TOWER LGT (ASN 2022-AGL-9830-OE) 404517N0822532W (5.7NM SE MFD) 1534FT (275FT AGL) U/S 2601240506-2603100505
12/11/25
2020Z
3/11/26
2359Z
!MFD 12/081 MFD OBST TOWER LGT (ASR 1007816) 404726.30N0823022.30W (1.9NM SSE MFD) 1442.9FT (263.1FT AGL) U/S 2512112020-2603112359
11/20/25
1241Z
!MFD 11/039 MFD NAV ILS RWY 32 OM U/S 2511201241-2605202111EST
FDC
3/27/25
1837Z
!FDC 5/8958 MFD IAP MANSFIELD LAHM RGNL, MANSFIELD, OH.
RNAV (GPS) RWY 14, AMDT 1B...
RNAV (GPS) RWY 23, AMDT 1A...
RNAV (GPS) RWY 32, ORIG-F...
CIRCLING CAT B 1820 MDA/523 HAA.
2503271837-2703271837EST
Yes
MON-FRI 0700-1900
SAT-SUN 0800-1800
FBO AFT HRS CTC: 419-524-4261 / 419-989-2911.
CITY OF MANSFIELD
2000 HARRINGTON MEMORIAL RD
MANSFIELD, OH 44903
Phone: 419-522-2191
MARK T DAUGHERTY
2000 HARRINGTON MEMORIAL RD
MANSFIELD, OH 44903
Phone: 419-522-2191
CLEVELAND FSS (CLE)
Toll Free: 1-800-WX-BRIEF
MFD
--
WHEN ATCT CLSD ACTVT MALSR RWY 32; REIL RWY 05 & 23; PAPI RWY 14, 05, & 23; HIRL RWY 05/23 & 14/32 - CTAF.
N/A
Yes - Lighted
Yes
No
Hanger, Tie-Down
NOT a Landing Rights Airport
NOT an Airport of Entry
Major
Major
High Pressure
None
Avionics
Charter Service
Pilot Instruction
Aircraft Rental
Aircraft Sales

Runway 05/23

6819 ft. x 150 ft.
ASPH  
Good 
GRVD 
HIGH 
 
91,000lbs 
118,000lbs 
175,000lbs 
-- 
  Runway 05 Runway 23
True Heading 47°227°
Traffic Pattern Left Left
Markings NPI NPI
Markings Condition FAIR FAIR
Latitude 40° 48' 41"N 40° 49' 27"N
Longitude 82° 31' 29"W 82° 30' 25"W
Elevation 1,287' 1,276'
Threshold Crossing Height 50 ft. AGL 45 ft. AGL
Visual Glide Path Angle
Visual Slope Indicator P4L P4L
Approach Lights
Centerline Lights
Runway End Identifier Lights Yes Yes

Runway 14/32

9001 ft. x 150 ft.
ASPH  
Fair 
GRVD 
HIGH 
 
102,000lbs 
170,000lbs 
286,000lbs 
-- 
  Runway 14 Runway 32
True Heading 137°317°
Traffic Pattern Left Left
Markings PIR PIR
Markings Condition GOOD GOOD
Latitude 40° 49' 59"N 40° 48' 54"N
Longitude 82° 31' 42"W 82° 30' 22"W
Elevation 1,246' 1,290'
Threshold Crossing Height 42 ft. AGL --
Visual Glide Path Angle --
Visual Slope Indicator P4L --
Approach Lights MALSR
Centerline Lights
Runway End Identifier Lights No
A110-1111 FT FENCE, 95 FT FM TWY A CNTRLN BTN AER 05 & TWY F, DOES NOT HAVE RQRD CLNC FM TWY CNTRLN.
A110-15ACFT WITH WINGSPAN GTR THAN 132 FT ARE RESTRICTED TO 15 MPH ON TWY A.
A110-16FOR CD CTC CLEVELAND APCH AT 216-352-2323, WHEN APCH CLSD CTC CLEVELAND ARTCC AT 440-774-0223/0490.
A110-17LGTD & BARRICADED MIL RAMP CLSD TO ALL ACFT.
A110-3DEER, BIRDS, & WATERFOWL ON & INVOF ARPT.
A110-4ACFT ON EITHER END OF RWY 05/23 & 14/32 NOT VSB ON THE OTR END DUE TO RWY GRADE.
A110-6ACFT LARGER THAN A 'G1' OR WITH A WING SPAN GREATER THAN 80 FT (TIP TO TIP) ARE RESTRICTED ON TWYS G/H/J/L/M/N & SHOULD USE THE MAIN RAMP AREA.
A17-H1FBO AFT HRS CTC: 419-524-4261 / 419-989-2911.
A24LDG FEES ON ALL COML OPRS INVOICED MONTHLY; FOR OTR ARNGMTS CTC AMGR.
A26CLSD TO SKEDD ACR OPS GTR THAN 9 PAX SEATS - CALL AMGR.
A39-05/23PCR VALUE: 374/F/D/X/T
A39-14/32PCR VALUE: 406/F/B/X/T
A81-APTWHEN ATCT CLSD ACTVT MALSR RWY 32; REIL RWY 05 & 23; PAPI RWY 14, 05, & 23; HIRL RWY 05/23 & 14/32 - CTAF.
MANSFIELD LAHM RGNL (ICAO: KMFD, IATA: MFD) is a public airport located in MANSFIELD, OH, US.