iFlightPlanner

 

...
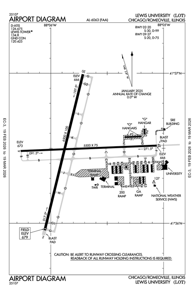
LEWIS UNIVERSITY - Airport Diagram
LiveATC.net: Live Air Traffic - From Their Headsets to You

KLOT
ICAO KLOTIATA LOTLocal LOT
LEWIS UNIVERSITY
PublicPUB

20 miles SW of CHICAGO/ROMEOVILLE, IL, US
LiveATC.net: Live Air Traffic - From Their Headsets to You
Status
Operational
Coordinates
41° 36' 29"N 88° 05' 47"W
Elevation
679' MSL
Pattern Alt
1679' MSL
Mag Variation
4°W
Declination
2°W
Fuel
JET A, 100LL
FSS
KANKAKEE (IKK)
Sectional
CHICAGO
ARTCC
CHICAGO (ZAU)
Data Effective
2/19/26-3/19/26
KLOT VFR
9:55 PM CST  
Clear
7sm
34°F
32°F
30.21"Hg
120° 4kts
AO2
METAR KLOT 040355Z AUTO 12004KT 7SM CLR 01/M00 A3021 RMK AO2

KLOT FBOs

No FBOs (Fixed Base Operators) are listed for this airport.
X

Send Message to Airport Company
Enter your information and message below.

Your Information
 
Processing 

Weather and Advisory

Digital ATIS 126.675
AWOS-3PT 126.675
(815) 588-4802

Common

CTAF 134.8
MIRL RY 02/20 & 09/27 PRESET ON LOW INTST; TO INCR INTST ACTVT - CTAF. ACTVT REIL RYS 02/20 & 09/27 & PAPI RYS 02/ 20 & 09/27 - CTAF.

Ground

LEWIS GROUND 120.425
0600-2000

Tower

LEWIS TOWER 134.8
0600-2000

Approach

CHICAGO APPROACH 119.35
Initial Contact

Departure

CHICAGO DEPARTURE 119.35
Initial Contact

Terminal Area Forecast

KMDW (19nm)
Tue, 3/3 8:56 PM CST
Tue, 3/3 9:00 PM CST - Thu, 3/5 12:00 AM CST
VFR
9:00 PM CST - 12:00 AM CST
Mist
Scattered 1,200'
Scattered 900'
6sm
050° 5kts
MVFR
Temporary 10:00 PM CST - 12:00 AM CST
Broken 1,200'
N/A
Calm
MVFR
12:00 AM CST - 2:00 AM CST
Mist
Broken 1,000'
5sm
040° 5kts
MVFR
2:00 AM CST - 10:00 AM CST
Mist
Broken 1,000'
Scattered 400'
3sm
040° 5kts
IFR
Temporary 3:00 AM CST - 7:00 AM CST
Mist
Broken 600'
Scattered 300'
2sm
Calm
MVFR
10:00 AM CST - 12:00 PM CST
Mist
Broken 2,000'
Scattered 600'
6sm
090° 10kts
MVFR
12:00 PM CST - 4:00 PM CST
Overcast 1,500'
Scattered 1,000'
6sm
090° 9kts
MVFR
4:00 PM CST - 9:00 PM CST
Light Showers and Rain and Mist
Overcast 1,000'
5sm
060° 9kts
IFR
9:00 PM CST - 12:00 AM CST
Light Drizzle and Mist
Overcast 500'
Scattered 300'
3sm
040° 6kts
TAF KMDW 040256Z 0403/0506 05005KT 6SM BR SCT009 SCT012
   TEMPO 0404/0406 BKN012
   FM040600 04005KT 5SM BR BKN010
   FM040800 04005KT 3SM BR SCT004 BKN010
   TEMPO 0409/0413 2SM BR SCT003 BKN006
   FM041600 09010KT 6SM BR SCT006 BKN020
   FM041800 09009KT P6SM SCT010 OVC015
   FM042200 06009KT 5SM -SHRA BR OVC010
   FM050300 04006KT 3SM -DZ BR SCT003 OVC005
KLOT
EffectiveExpiresCategoryNOTAM
Domestic
2/23/26
0105Z
5/23/26
0500Z
!LOT 02/004 LOT OBST TOWER LGT (ASR 1291642) 413728.60N0880015.20W (4.3NM ENE LOT) 1097.1FT (309.1FT AGL) U/S 2602230105-2605230500
12/5/25
2257Z
6/30/26
2000Z
!LOT 12/012 LOT NAV ILS RWY 09 LOC/DME U/S 2512052257-2606302000
FDC
6/12/25
1139Z
!FDC 5/3065 LOT IAP LEWIS UNIVERSITY, CHICAGO/ROMEOVILLE, IL.
LOC/DME RWY 9, AMDT 1B...
RNAV (GPS) RWY 2, AMDT 2B...
RNAV (GPS) RWY 9, ORIG-A...
CIRCLING CAT C AND D MDA 1480/HAA 801.
2506121139-2705131954EST
5/12/25
1859Z
5/13/27
1859Z
!FDC 5/9544 LOT PART 1 OF 3 ODP LEWIS UNIVERSITY,
CHICAGO/ROMEOVILLE, IL.
TAKEOFF MINIMUMS AND (OBSTACLE) DEPARTURE PROCEDURES AMDT 1...
CHANGE TAKEOFF OBSTACLE NOTES TO READ:
NOTE: RWY 2: LIGHT POLES BEGINNING 9 FT FROM DER, 29 FT LEFT OF
CENTERLINE, 2 FT AGL/668 FT MSL.
LIGHT POLES BEGINNING 10 FT FROM DER, 30 FT RIGHT OF CENTERLINE, 2
FT AGL/668 FT MSL.
TREE 1195 FT FROM DER, 49 FT LEFT OF CENTERLINE, 701 FT MSL.
ANTENNA, TOWER, TRANSMISSION LINES BEGINNING 4983 FT FROM DER, 361
FT LEFT OF CENTERLINE, UP TO 203 FT AGL/845 FT MSL.
ELECTRICAL SYSTEM, TRANSMISSION LINES BEGINNING 5280 FT FROM DER,
1102 FT LEFT OF CENTERLINE, UP TO 189 FT AGL/851 FT MSL.
ELECTRICAL SYSTEM 5431 FT FROM DER, 1293 FT LEFT OF CENTERLINE, 204
FT AGL/866 FT MSL.
TOWER, TRANSMISSION LINE BEGINNING 5480 FT FROM DER, 1133 FT LEFT
OF CENTERLINE, UP TO 210 FT AGL/875 FT MSL.
TRANSMISSION LINE 5570 FT FROM DER, 1235 FT LEFT OF CENTERLINE, 212
FT AGL/876 FT MSL.
NOTE: RWY 9: BUILDING, TERRAIN BEGINNING 0 FT FROM DER, 488 FT LEFT
OF CENTERLINE, UP TO 689 FT MSL.
POLE 473 FT FROM DER, 452 FT RIGHT OF CENTERLINE, 26 FT AGL/687 FT
ALL OTHER DATA REMAINS AS PUBLISHED. 2505121859-2705131859EST
END PART 1 OF 3
!FDC 5/9544 LOT PART 2 OF 3 ODP LEWIS UNIVERSITY,
CHICAGO/ROMEOVILLE, IL.
MSL.
TREES BEGINNING 559 FT FROM DER, 520 FT LEFT OF CENTERLINE, UP TO
707 FT MSL.
TREE 804 FT FROM DER, 655 FT LEFT OF CENTERLINE, 716 FT MSL.
TREES BEGINNING 811 FT FROM DER, 105 FT RIGHT OF CENTERLINE, UP TO
721 FT MSL.
TREE 865 FT FROM DER, 515 FT LEFT OF CENTERLINE, 722 FT MSL.
TREES BEGINNING 964 FT FROM DER, 626 FT LEFT OF CENTERLINE, UP TO
733 FT MSL.
TREES BEGINNING 1052 FT FROM DER, 259 FT LEFT OF CENTERLINE, UP TO
735 FT MSL.
NOTE: RWY 20: LIGHTING 9 FT FROM DER, 29 FT RIGHT OF CENTERLINE, 2
FT AGL/681 FT MSL.
LIGHTING 10 FT FROM DER, 29 FT LEFT OF CENTERLINE, 2 FT AGL/681 FT
MSL.
NOTE: RWY 27: LIGHT POLES BEGINNING 10 FT FROM DER, 16 FT LEFT OF
CENTERLINE, 2 FT AGL/675 FT MSL.
LIGHT POLES BEGINNING 10 FT FROM DER, 17 FT RIGHT OF CENTERLINE, 2
FT AGL/675 FT MSL.
TREES BEGINNING 1143 FT FROM DER, 689 FT RIGHT OF CENTERLINE, UP TO
ALL OTHER DATA REMAINS AS PUBLISHED. 2505121859-2705131859EST
END PART 2 OF 3
!FDC 5/9544 LOT PART 3 OF 3 ODP LEWIS UNIVERSITY,
CHICAGO/ROMEOVILLE, IL.
708 FT MSL.
TREE 1303 FT FROM DER, 640 FT RIGHT OF CENTERLINE, 725 FT MSL.
ALL OTHER DATA REMAINS AS PUBLISHED. 2505121859-2705131859EST
END PART 3 OF 3
5/12/25
1858Z
!FDC 5/9543 LOT IAP LEWIS UNIVERSITY, CHICAGO/ROMEOVILLE, IL.
RNAV (GPS) RWY 20, AMDT 1A...
CIRCLING CAT C AND D MDA 1480/HAA 801.
VDP NA.
VISUAL SEGMENT - OBSTACLES.
2505121858-2705131858EST
5/12/25
1858Z
!FDC 5/9541 LOT IAP LEWIS UNIVERSITY, CHICAGO/ROMEOVILLE, IL.
LOC RWY 2, AMDT 1B...
CIRCLING AND TURRK FIX MINIMUMS CIRCLING CAT C AND D MDA 1480/HAA 801.
2505121858-2705131858EST
4/15/25
1816Z
!FDC 5/6562 LOT SID LEWIS UNIVERSITY, CHICAGO/ROMEOVILLE, IL.
OBENE THREE DEPARTURE (RNAV)...
DEPARTURE ROUTE DESCRIPTION RWY 02: CLIMB HEADING 014.73 TO 1300, THEN CONTINUE CLIMB ON 014.73 HEADING OR AS ASSIGNED BY ATC, FOR VECTORS TO OREOS, THENCE...
ALL OTHER DATA REMAINS AS PUBLISHED. 2504151816-2704151816EST
7/30/24
1906Z
!FDC 4/0179 LOT IAP LEWIS UNIVERSITY, CHICAGO/ROMEOVILLE, IL.
LOC/DME RWY 9, AMDT 1B...
PROCEDURE NA EXCEPT FOR ACFT EQUIPPED WITH SUITABLE RNAV SYSTEM WITH GPS,
LOT DME OUT OF SERVICE. 2407301906-2607301906EST
Yes
0600-2200
JOLIET REGIONAL PORT DIST
555 EXECUTIVE TERMINAL, GEORGE MICHAS DR
ROMEOVILLE, IL 60446
Phone: 815-838-9497
CHRIS LAWSON
555 EXECUTVE TERMINAL, GEORGE MICHAS DR
ROMEOVILLE, IL 60446
Phone: 815-838-9497
KANKAKEE FSS (IKK)
Toll Free: 1-800-WX-BRIEF
LOT
--
MIRL RY 02/20 & 09/27 PRESET ON LOW INTST; TO INCR INTST ACTVT - CTAF. ACTVT REIL RYS 02/20 & 09/27 & PAPI RYS 02/ 20 & 09/27 - CTAF.
N/A
Yes - Lighted
No
No
Hanger, Tie-Down
NOT a Landing Rights Airport
NOT an Airport of Entry
Major
Major
None
None
Pilot Instruction
Aircraft Rental

Runway 02/20

6500 ft. x 100 ft.
CONC  
Good 
GRVD 
MED 
 
30,000lbs 
99,000lbs 
-- 
-- 
  Runway 02 Runway 20
True Heading 13°193°
Traffic Pattern
Markings NPI NPI
Markings Condition GOOD GOOD
Latitude 41° 35' 57"N 41° 36' 60"N
Longitude 88° 06' 03"W 88° 05' 43"W
Elevation 679' 666'
Threshold Crossing Height 37 ft. AGL 40 ft. AGL
Visual Glide Path Angle 3.2°
Visual Slope Indicator P4L P4L
Approach Lights
Centerline Lights
Runway End Identifier Lights Yes Yes

Runway 09/27

5500 ft. x 75 ft.
ASPH  
Good 
PFC 
MED 
 
20,000lbs 
75,000lbs 
-- 
-- 
  Runway 09 Runway 27
True Heading 88°268°
Traffic Pattern Left Left
Markings NPI NPI
Markings Condition GOOD GOOD
Latitude 41° 36' 29"N 41° 36' 31"N
Longitude 88° 06' 16"W 88° 05' 04"W
Elevation 673' 666'
Threshold Crossing Height 41 ft. AGL 35 ft. AGL
Visual Glide Path Angle
Visual Slope Indicator P4L P4L
Approach Lights
Centerline Lights No No
Runway End Identifier Lights Yes Yes
A110-2N PARKING RAMP CLSD TO ALL MULTI ENGINE ACFT.
A110-4BIRDS ON & INVOF ARPT.
A110-5CHICAGO APPROACH CLEARANCE 847-289-0926
A110-6FOR CD CTC CHICAGO APCH AT 847-289-0926.
A110-7TWYS N1 AND N2 CLSD TO FIXED WING ACFT MORE THAN 6000LB.
A110-8BA CONDS ARE NOT RPRTD BTN 2100 - 0600.
A15EAMIL ADDRESS: CLAWSON@FLYLOT.COM (ALL LOWER CASE)
A16AMGR ADDNL PHONE NUMBER - 815-838-9512. EMAIL: CLAWSON@FLYLOT.COM
A81-APTMIRL RY 02/20 & 09/27 PRESET ON LOW INTST; TO INCR INTST ACTVT - CTAF. ACTVT REIL RYS 02/20 & 09/27 & PAPI RYS 02/ 20 & 09/27 - CTAF.
LEWIS UNIVERSITY (ICAO: KLOT, IATA: LOT) is a public airport located in CHICAGO/ROMEOVILLE, IL, US.