iFlightPlanner

 

...
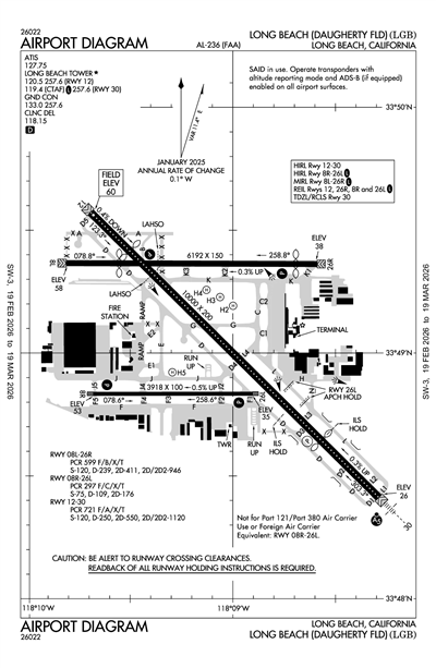
LONG BEACH (DAUGHERTY FLD) - Airport Diagram
LiveATC.net: Live Air Traffic - From Their Headsets to You

KLGB
ICAO KLGBIATA LGBLocal LGB
LONG BEACH (DAUGHERTY FLD)
PublicPUB

3 miles NE of LONG BEACH, CA, US
LiveATC.net: Live Air Traffic - From Their Headsets to You
Status
Operational
Coordinates
33° 49' 05"N 118° 09' 07"W
Elevation
60' MSL
Pattern Alt
1060' MSL
Mag Variation
12°E
Declination
14°E
Fuel
JET A, 100LL, UL94
FSS
HAWTHORNE (HHR)
Sectional
LOS ANGELES
ARTCC
LOS ANGELES (ZLA)
Data Effective
2/19/26-3/19/26
KLGB VFR
6:53 PM PST  
Clear
10sm
61°F
54°F
29.99"Hg
310° 7kts
AO2 SLP153 T01610122 53004 $
METAR KLGB 040253Z 31007KT 10SM CLR 16/12 A2999 RMK AO2 SLP153 T01610122 53004 $

KLGB FBOs

No FBOs (Fixed Base Operators) are listed for this airport.
X

Send Message to Airport Company
Enter your information and message below.

Your Information
 
Processing 

Weather and Advisory

ATIS 127.75
ASOS (562) 247-0378

Common

CTAF 119.4
WHEN ATCT CLSD ACTVT MALSR RWY 30; REIL RWYS 08R, 12, 26L & 26R; PAPI RWYS 12, 08R, 26L & 26R; HIRL RWY 08R/26L; MIRL RWY 08L/26R - CTAF. HIRL, TDZL & CL LIGHTS RWY 12/30 OPER CONSLY WHEN ATCT CLSD. PAPI RWY 30 OPER CONSLY.
UNICOM 122.95

Clearance

Clearance Delivery 118.15

Ground

LONG BEACH GROUND 133.0
0615-2345

Tower

LONG BEACH TOWER 119.4
Initial Contact, 0615-2345 - RWY 30 APCH, RWY 12 DEP
LONG BEACH TOWER 120.5
Initial Contact, 0615-2345 - RWY 12 APCH, RWY 30 DEP

Arrival

BAUBB STAR 127.4
DSNEE STAR 134.0
EMMLN STAR 127.0
PCIFC STAR 127.4
ROOBY STAR 134.0
TANDY STAR 127.4

Approach

SOCAL APPROACH 125.35

Departure

ANAHEIM DP 125.35
RWY 08L, 08R, 12, VENTURA TRANSITION
ANAHEIM DP 127.2
RWY 26L/R, RWY 30, HECTOR, LAKE HUGHES
ANAHEIM DP 134.9
RWY 26L/R, RWY 30 VENTURA TRANSITION
FRITR DP 125.35
RWY 12
FRITR DP 127.2
RWY 26R, RWY 30
HAWWC DP 125.35
RWY 8L/R, RWY 12
HAWWC DP 134.9
RWY 26L/R, RWY 30
SOCAL DEPARTURE 127.2
TOPMM DP 125.35
RWY 12
TOPMM DP 134.9
RWY 26R, RWY 30
ZOOMM DP 125.35
RWY 12
ZOOMM DP 127.2
RWY 26R, 30
ZOOMM DP 127.2
RWY 26R, RWY 30

Emergency

Emergency 121.5

Other

CLASS B 134.9

Terminal Area Forecast

KLGB
Tue, 3/3 3:57 PM PST
Tue, 3/3 4:00 PM PST - Wed, 3/4 4:00 PM PST
VFR
4:00 PM PST - 8:00 PM PST
Scattered 25,000'
6sm
300° 10kts
VFR
8:00 PM PST - 2:00 AM PST
Scattered 25,000'
6sm
VRB° 3kts
MVFR
2:00 AM PST - 11:00 AM PST
Overcast 1,000'
6sm
130° 4kts
VFR
11:00 AM PST - 4:00 PM PST
Broken 25,000'
Few 2,000'
6sm
170° 8kts
TAF KLGB 032357Z 0400/0424 30010KT P6SM SCT250
   FM040400 VRB03KT P6SM SCT250
   FM041000 13004KT P6SM OVC010
   FM041900 17008KT P6SM FEW020 BKN250
KLGB
EffectiveExpiresCategoryNOTAM
Domestic
2/24/26
0558Z
!LGB 02/054 LGB NAV ILS RWY 30 NOT MNT 2602240558-2603182359EST
2/21/26
1206Z
Runway!LGB 02/053 LGB RWY 30 ALS U/S 2602211206-2603252359EST
2/16/26
2204Z
3/3/26
2204Z
!LGB 02/033 LGB OBST POWER LINE LGT (ASN 2021-AWP-1586-OE) 334556N1181331W (4.8NM SW LGB) 218FT (232FT AGL) U/S 2602162204-2603032204
2/2/26
0312Z
3/1/26
0759Z
Runway!LGB 02/002 LGB RWY 12/30 RCLL NOT STD 2602020312-2603010759
1/27/26
1715Z
2/27/26
2359Z
!LGB 01/098 LGB OBST CRANE (ASN UNKNOWN) 334902N1180938W (.2NM SE LGB) 226FT (180FT AGL) FLAGGED AND LGTD 2601271715-2602272359
12/5/25
1819Z
!LGB 12/016 LGB TWY B BTN RWY 12/30 AND TWY A CLSD 2512051819-PERM
12/5/25
1818Z
!LGB 12/015 LGB TWY A BTN RWY 12/30 AND TWY B CLSD 2512051818-PERM
12/1/25
1918Z
12/1/26
2359Z
!LGB 12/002 LGB AIRSPACE UAS WI AN AREA DEFINED AS 335200N1181330W (2NM SE CPM) TO 335200N1181226W (2.3NM ESE CPM) TO 335000N1181300W (3.5NM SE CPM) TO 334902N1181255W (5NM SE CPM) TO 334757N1181257W (3NM SW LGB) TO 334820N1181443W (4NM W LGB) TO POINT OF ORIGIN SFC-400FT AGL 2512011918-2612012359
7/31/19
1502Z
!LGB 07/067 LGB OBST STACK (ASN UNKNOWN) 334545N1180542W (5.1NM SE LGB) UNKNOWN (239FT AGL) NOT LGTD 1907311502-PERM
7/31/19
1501Z
!LGB 07/066 LGB OBST STACK (ASN UNKNOWN) 334545N1180543W (5.1NM SE LGB) UNKNOWN (239FT AGL) NOT LGTD 1907311501-PERM
7/31/19
1500Z
!LGB 07/065 LGB OBST STACK (ASN UNKNOWN) 334547N1180542W (5.1NM SE LGB) UNKNOWN (239FT AGL) NOT LGTD 1907311500-PERM
7/31/19
1500Z
!LGB 07/064 LGB OBST STACK (ASN UNKNOWN) 334547N1180543W (5.4NM SE LGB) UNKNOWN (239FT AGL) NOT LGTD 1907311500-PERM
7/31/19
1458Z
!LGB 07/063 LGB OBST STACK (ASN UNKNOWN) 334549N1180541W (5.3NM SE LGB) UNKNOWN (239FT AGL) NOT LGTD 1907311458-PERM
7/31/19
1457Z
!LGB 07/062 LGB OBST STACK (ASN UNKNOWN) 334551N1180541W (5.2NM SE LGB) UNKNOWN (239FT AGL) NOT LGTD 1907311457-PERM
FDC
1/26/26
1342Z
9/7/26
1342Z
!FDC 6/6811 LGB SID LONG BEACH (DAUGHERTY FLD), LONG BEACH, CA.
ANAHEIM ONE DEPARTURE...
VENTURA TRANSITION NA EXCEPT FOR AIRCRAFT EQUIPPED WITH SUITABLE RNAV SYSTEM WITH GPS,
VTU VOR/DME OUT OF SERVICE. 2601261342-2609071342EST
9/29/25
1402Z
!FDC 5/1673 LGB SID LONG BEACH (DAUGHERTY FLD), LONG BEACH, CA.
ANAHEIM ONE DEPARTURE...
LAKE HUGHES TRANSITION NA EXCEPT FOR ACFT EQUIPPED WITH SUITABLE RNAV SYSTEM WITH GPS,
LHS VORTAC OUT OF SERVICE. 2509291402-2605111402EST
6/21/24
1845Z
!FDC 4/1814 LGB IAP LONG BEACH (DAUGHERTY FLD), LONG BEACH, CA.
VOR OR TACAN RWY 30, AMDT 9A...
CIRCLING CAT A/B/C/D MDA 860/HAA 800. TOWER 541 MSL 1.2NM SW OF LGB AIRPORT (2024-AWP-3831-OE).
2406211845-2606211845EST
6/21/24
1845Z
!FDC 4/1813 LGB IAP LONG BEACH (DAUGHERTY FLD), LONG BEACH, CA.
ILS OR LOC RWY 30, AMDT 35...
CIRCLING CAT A/B/C/D MDA 860/HAA 800. TOWER 541 MSL 1.2NM SW OF LGB AIRPORT (2024-AWP-3831-OE).
2406211845-2606211845EST
6/21/24
1845Z
!FDC 4/1812 LGB IAP LONG BEACH (DAUGHERTY FLD), LONG BEACH, CA.
RNAV (GPS) Z RWY 30, AMDT 4...
CIRCLING CAT A/B/C/D MDA 860/HAA 800, VIS CAT C 2 1/4, CAT D 2 1/2. ALTERNATE MINIMUMS: STANDARD - CATEGORY C 800-2 1/4, CATEGORY D 800-2 1/2; NA WHEN LOCAL WEATHER NOT AVAILABLE. VDP AT 1.3NM TO RW30. TOWER 541 MSL 1.2NM SW OF LGB AIRPORT (2024-AWP-3831-OE).
2406211845-2606211845EST
Yes
ALL
CITY OF LONG BEACH
CITY HALL 333 W. OCEAN
LONG BEACH, CA 90802
Phone: 562-570-2640
CYNTHIA GUIDRY
4100 DONALD DOUGLAS DR
LONG BEACH, CA 90808
Phone: (562) 570-2605
HAWTHORNE FSS (HHR)
Toll Free: 1-800-WX-BRIEF
LGB
--
WHEN ATCT CLSD ACTVT MALSR RWY 30; REIL RWYS 08R, 12, 26L & 26R; PAPI RWYS 12, 08R, 26L & 26R; HIRL RWY 08R/26L; MIRL RWY 08L/26R - CTAF. HIRL, TDZL & CL LIGHTS RWY 12/30 OPER CONSLY WHEN ATCT CLSD. PAPI RWY 30 OPER CONSLY.
N/A
Yes - Lighted
No
No
Hanger, Tie-Down
NOT a Landing Rights Airport
NOT an Airport of Entry
Major
Major
High & Low Pressure
High & Low Pressure
Air Freight
Air Ambulance
Avionics
Beaching Gear
Charter Service
Pilot Instruction
Aircraft Rental
Aircraft Sales
Annual Surveying

Runway 08L/26R

6192 ft. x 150 ft.
ASPH  
Excellent 
GRVD 
MED 
 
120,000lbs 
239,000lbs 
411,000lbs 
946,000lbs 
  Runway 08L Runway 26R
True Heading 90°270°
Traffic Pattern Left Right
Markings NPI NPI
Markings Condition GOOD GOOD
Latitude 33° 49' 22"N 33° 49' 22"N
Longitude 118° 09' 49"W 118° 08' 35"W
Elevation 58' 38'
Threshold Crossing Height -- 62 ft. AGL
Visual Glide Path Angle -- 3.1°
Visual Slope Indicator -- P4L
Approach Lights
Centerline Lights No No
Runway End Identifier Lights No Yes

Runway 08R/26L

3918 ft. x 100 ft.
ASPH  
Good 
NONE 
HIGH 
 
75,000lbs 
109,000lbs 
176,000lbs 
-- 
  Runway 08R Runway 26L
True Heading 90°270°
Traffic Pattern Right Left
Markings NPI NPI
Markings Condition GOOD GOOD
Latitude 33° 48' 50"N 33° 48' 50"N
Longitude 118° 09' 41"W 118° 08' 54"W
Elevation 53' 35'
Threshold Crossing Height 38 ft. AGL 34 ft. AGL
Visual Glide Path Angle
Visual Slope Indicator P4L P4L
Approach Lights
Centerline Lights No No
Runway End Identifier Lights Yes Yes

Runway 12/30

10000 ft. x 200 ft.
ASPH  
Good 
GRVD 
HIGH 
 
120,000lbs 
250,000lbs 
550,000lbs 
1,120,000lbs 
  Runway 12 Runway 30
True Heading 135°315°
Traffic Pattern Left Left
Markings PIR PIR
Markings Condition GOOD GOOD
Latitude 33° 49' 34"N 33° 48' 25"N
Longitude 118° 09' 42"W 118° 08' 17"W
Elevation 60' 26'
Threshold Crossing Height 70 ft. AGL 64 ft. AGL
Visual Glide Path Angle
Visual Slope Indicator P4L P4L
Approach Lights MALSR
Centerline Lights Yes Yes
Runway End Identifier Lights Yes No

Runway H2

20 ft. x 20 ft.
ASPH  
Good 
NONE 
 
 
-- 
-- 
-- 
-- 
  Runway H2 Runway
True Heading Not ListedNot Listed
Traffic Pattern
Markings NRS
Markings Condition GOOD
Latitude 33° 49' 12"N N/A
Longitude 118° 08' 60"W N/A
Elevation 40' --
Threshold Crossing Height -- --
Visual Glide Path Angle -- --
Visual Slope Indicator -- --
Approach Lights
Centerline Lights
Runway End Identifier Lights

Runway H3

300 ft. x 35 ft.
ASPH  
Good 
NONE 
 
 
-- 
-- 
-- 
-- 
  Runway H3 Runway
True Heading Not ListedNot Listed
Traffic Pattern
Markings NRS
Markings Condition GOOD
Latitude 33° 49' 14"N N/A
Longitude 118° 09' 04"W N/A
Elevation 42' --
Threshold Crossing Height -- --
Visual Glide Path Angle -- --
Visual Slope Indicator -- --
Approach Lights
Centerline Lights
Runway End Identifier Lights

Runway H4

20 ft. x 20 ft.
ASPH  
Good 
NONE 
 
 
-- 
-- 
-- 
-- 
  Runway H4 Runway
True Heading Not ListedNot Listed
Traffic Pattern
Markings NRS
Markings Condition GOOD
Latitude 33° 49' 15"N N/A
Longitude 118° 09' 08"W N/A
Elevation 43' --
Threshold Crossing Height -- --
Visual Glide Path Angle -- --
Visual Slope Indicator -- --
Approach Lights
Centerline Lights
Runway End Identifier Lights

Runway H5

20 ft. x 20 ft.
ASPH  
Good 
NONE 
 
 
-- 
-- 
-- 
-- 
  Runway H5 Runway
True Heading Not ListedNot Listed
Traffic Pattern
Markings NRS
Markings Condition GOOD
Latitude 33° 48' 55"N N/A
Longitude 118° 09' 18"W N/A
Elevation 41' --
Threshold Crossing Height -- --
Visual Glide Path Angle -- --
Visual Slope Indicator -- --
Approach Lights
Centerline Lights
Runway End Identifier Lights
A110-106 FT LIGHTED CHAIN LINK FENCE LCTD 130 FT SOUTH OF CNTRLN OF TWY F. FENCE BEGINS NW CORNER OF ATCT & EXTENDS 400 FT TO WEST.
A110-13ENGINE RUN-UPS, OTHER THAN PRE-FLIGHT, ARE LIMITED TO HRS OF 0700-2100 WEEKDAYS & 0900-2100 WEEKENDS & HOLIDAYS.
A110-19HELIPAD H2, H4, & H5 20 X 20 ASPH. HELIPAD H3 35 X 300 ASPH.
A110-3RY 12/30 FAA STRENGTH EVALUATION DC-10-10 440000 LBS; DC-10-30 550000 LBS; L-1011 460000 LBS.
A110-30MAX LDG WGT FOR C17AT OR BYD GLIDE SLOPE OR RY AIMING POINT MARKING 538600 LBS; RY 30 LDG PRIOR TORY AIMING POINT MARKING 344000 LBS.
A110-31AIRSHIPS MOORED IN INFIELD AND OPERATING INVOF ARPT.
A110-34MAX TKOF WGT DC-10 30/40 & MD-11 588100 LBS; C-17 538600 LBS. TWYS D3 & L3 WGT LIMITS A-340 DC-10 30/40 & MD-11 541000 LBS; C-17 450000 LBS.
A110-35THE FLWG WT LMTNS ARE IMPOSED BASED ON POTENTIAL STRUCTURAL STRENGTH OF LAKEWOOD BLVD AND SPRING STREET TUNNELS: RWY 12/30 MAX LDG WTS A-330 347000 LBS; A-340 379000 LBS; DC-10-10, DC-10-30/40 & MD-11 379000 LBS; L-1011 354000 LBS. RWY 12/30 MAX TKOF WTS DC-10-30/40 & MD-11 588000 LBS; C-17 538600 LBS.
A110-38NO TWY ACCESS TO RWY 08L W OF TWY D; 4897 FT REMAINING ON RWY 08L FROM TWY D.
A110-3924 HR PRIOR NOTICE REQD FOR MIL JETS AND CIVILIAN NON-STAGE III JETS; CTC NOISE OFC 562-570-2635 MON-FRI 0800-1700.
A110-4ALL RYS CLSD 2200-0700 LCL EXCP RY 12/30.
A110-43BIRDS ON & INV OF ARPT
A110-46TRNG HELIPADS H2, H3 & H4 LOCATED N OF RWY 12/30 MIDFIELD BTN TWYS G & K. TRNG HELIPAD H5 LOCATED S OF RWY 12/30 BTN TWYS D & J FOR HOVER WORK ONLY.
A110-47NO RUNNING LDGS/TKOFS BY HELS WITH SKID-TYPE LDG GEAR, ON RWY 08L-26R. ROLLING LDGS/TKOFS WITH HELS WITH WHEEL-TYPE LDG GEAR ARE PMTD.
A110-49TOUCH & GO, STOP & GO, PRACTICE LOW APCH, VFR PRACTICE MISSED APCH ONLY PMTD 0700-1900 WKDAYS & 0800-1500 WKENDS & HOLS ONLY ON RWYS 08L/26R & 08R/26L.
A110-50NO FLD COND NOTAMS AVBL 2200-0700.
A110-51ALL ACFT ON OR ENTERING LEFT DOWNWIND RWY 26L MUST REMAIN NORTH OF SIGNAL HILL UNLESS SPECIFICALLY INSTRUCTED BY ATC OTHERWISE.
A110-52ALL ACFT ON DOWNWIND RWY 26L ARE NOT AUTH TO TURN BASE OR BEGIN DESCENT UNTIL EAST OF RWY 30 UNLESS SPECIFICALLY INSTRUCTED TO DO SO BY ATC.
A110-53ALL ACFT ON DOWNWIND RWY 08L ARE NOT AUTH TO TURN BASE OR BEGIN DESCENT UNTIL WEST OF RWY 12 UNLESS SPECIFICALLY INSTRUCTED TO DO SO BY ATC.
A110-54FOR CD WHEN ATCT CLSD CTC SOCAL APCH AT 800-448-3724.
A110-6RY 12/30 LGTD DISTANCE REMAINING SIGNS WEST SIDE.
A110-7NOISE LIMITS (DECIBELS SGL EVENT NOISE EXPOSURE LEVEL) RWY 26R TKOF 92.0 LDG 88.0; RWY 08L TKOF 88.0 LDG 92.0; RWY 26L TKOF 95.0 LDG 93.0; RWY 08R TKOF 95.0 LDG 92.0. RWYS 12 & 30 0700-2200 TKOF 102.5 LDG 101.5; 0600-0700 & 2200-2300 TKOF 90.0 LDG 90.0; 2300-0600 TKOF 79.0 LDG 79.0.
A110-9TWYS D3 AND L3 WGT LIMITS A340 DC10 30/40 & MD11 541000 LBS; C17 450000 LBS.
A14DIRECTOR
A16JUAN LOPEZ-RIOS (DEPUTY DIR) 562-570-2608. RON REEVES (SUPT ARPT OPNS) 562-570-1251. ARPT BUR FAX 562-570-2601; NOISE OFC 562-570-2635; PUB AFFAIRS 562-570-2665.
A30-08R/26LRWY 08R/26L NOT AVBL FOR PART 121/PART 380 OPS WITH SKED PAX CARRYING OPS MORE THAN 9 PAX SEATS AND NON-SKED PAX CARRYING OPS MORE THAN 30 PAX SEATS.
A35-12/30MAX LDG WGTS A-330 347000 LBS; A-340 379000 LBS; DC-10-10 DC-10 30/40 & MD-11 379000 LBS; L-1011 354000 LBS. RY 12/30 MAX TKOF WGTS DC-10 30/40 & MD-11 588000 LBS; C-17 538600 LBS.
A39-08L/26RPCR VALUE: 599/F/B/X/T
A39-08R/26LPCR VALUE: 297/F/C/X/T
A39-12/30PCR VALUE: 721/F/A/X/T
A52-08RLGTD TOWER 152 FT AGL 2500 FT WEST & 500 FT SOUTH OF RY THLD.
A57-08LAPCH RATIO 20:1 TO DSPLCD THR.
A57-12APCH RATIO 50:1 TO DSPLCD THR.
A57-26RAPCH RATIO 34:1 TO DSPLCD THR.
A57-30APCH RATIO 50:1 TO DSPLCD THR.
A58-08L6 FT FENCE 190 FT FM RY END WITH OBSTRUCTION LGT.
A58-126 FT POLE 190 FT FM RY END; FENCE 490 FT L OF CNTRLN.
A81-APTWHEN ATCT CLSD ACTVT MALSR RWY 30; REIL RWYS 08R, 12, 26L & 26R; PAPI RWYS 12, 08R, 26L & 26R; HIRL RWY 08R/26L; MIRL RWY 08L/26R - CTAF. HIRL, TDZL & CL LIGHTS RWY 12/30 OPER CONSLY WHEN ATCT CLSD. PAPI RWY 30 OPER CONSLY.
E111PRVDD DAY USE ONLY; OPNS COORDINATED WITH ATCT.
LONG BEACH (DAUGHERTY FLD) (ICAO: KLGB, IATA: LGB) is a public airport located in LONG BEACH, CA, US.