iFlightPlanner

 

...
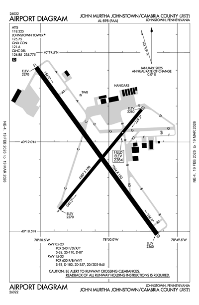
JOHN MURTHA JOHNSTOWN/CAMBRIA COUNTY - Airport Diagram
LiveATC.net: Live Air Traffic - From Their Headsets to You

KJST
ICAO KJSTIATA JSTLocal JST
JOHN MURTHA JOHNSTOWN/CAMBRIA COUNTY
PublicPUB

3 miles NE of JOHNSTOWN, PA, US
LiveATC.net: Live Air Traffic - From Their Headsets to You
Status
Operational
Coordinates
40° 18' 56"N 78° 50' 05"W
Elevation
2284' MSL
Pattern Alt
3284' MSL
Mag Variation
10°W
Declination
10°W
Fuel
JET A, JET A (FSII), 100LL
FSS
ALTOONA (AOO)
Sectional
DETROIT
ARTCC
CLEVELAND (ZOB)
Data Effective
2/19/26-3/19/26
KJST LIFR
5:54 AM EST  
Light Rain and Fog
Obscured 200'
0.25sm
45°F
45°F
30.16"Hg
060° 6kts
AO2 SLP225 P0001 T00720072
METAR KJST 041054Z AUTO 06006KT 1/4SM -RA FG VV002 07/07 A3016 RMK AO2 SLP225 P0001 T00720072

KJST FBOs

No FBOs (Fixed Base Operators) are listed for this airport.
X

Send Message to Airport Company
Enter your information and message below.

Your Information
 
Processing 

Weather and Advisory

ATIS 118.325
ASOS (814) 535-3511

Common

CTAF 125.75
WHEN TWR CLSD ACTVT MALSR RWY 33; PAPI RWY 33; HIRL RWY 15/33, MIRL RWY 5/23 AND ALL TWY LGTS - CTAF. PAPI RWY 05 UNAVBL WHEN ATCT CLSD.
UNICOM 122.95
UNICOM FREQ 122.950 AVBL FOR GND SVCS ONLY.

Clearance

Clearance Delivery 126.85

Ground

JOHNSTOWN GROUND 121.6
0700-2300

Tower

JOHNSTOWN TOWER 125.75
0700-2300

Approach

JOHNSTOWN APPROACH 121.2

Departure

JOHNSTOWN DEPARTURE 121.2

Operations

Operations 138.55
ARNG KEYSTONE

Center

JOHNSTOWN CENTER 124.4
LOW, APCH/DEP SVC PRVDD BY CLEVELAND ARTCC (ZOB) ON FREQS 124.4/327.1 (ALTOONA RCAG ) WHEN JOHNSTOWN APCH CTL CLSD.

Military

ARNG OPS 46.75
KEYSTONE OPS

Terminal Area Forecast

KJST
Wed, 3/4 12:30 AM EST
Wed, 3/4 1:00 AM EST - Thu, 3/5 1:00 AM EST
LIFR
1:00 AM EST - 2:00 AM EST
Light Showers and Rain and Mist
Overcast 200'
1.5sm
240° 6kts
LIFR
2:00 AM EST - 10:00 AM EST
Fog
Overcast 200'
0.25sm
270° 5kts
LIFR
10:00 AM EST - 3:00 PM EST
Mist
Overcast 300'
2sm
VRB° 4kts
LIFR
10:00 AM EST - 3:00 PM EST
Light Showers and Rain and Mist
Overcast 300'
1.5sm
Calm
IFR
3:00 PM EST - 7:00 PM EST
Mist
Overcast 500'
5sm
180° 5kts
LIFR
7:00 PM EST - 10:00 PM EST
Mist
Overcast 300'
2sm
160° 5kts
LIFR
10:00 PM EST - 1:00 AM EST
Fog
Overcast 200'
0.5sm
180° 5kts
TAF KJST 040530Z 0406/0506 24006KT 1 1/2SM -SHRA BR OVC002
   FM040700 27005KT 1/4SM FG OVC002
   FM041500 VRB04KT 2SM BR OVC003
   PROB30 0415/0420 1 1/2SM -SHRA BR OVC003
   FM042000 18005KT 5SM BR OVC005
   FM050000 16005KT 2SM BR OVC003
   FM050300 18005KT 1/2SM FG OVC002
KJST
EffectiveExpiresCategoryNOTAM
Domestic
3/3/26
2347Z
3/31/26
2359Z
!JST 03/027 JST OBST TOWER LGT (ASR 1226360) 402217.00N0785855.00W (7.5NM WNW JST) 3011.8FT (354.3FT AGL) U/S 2603032347-2603312359
3/3/26
1654Z
3/4/26
1654Z
!JST 03/026 JST TWY A, A1, B, B1, B2, C, D, E, F, M FICON PATCHY 1/8IN SLUSH AND WET BA GOOD TO MEDIUM OBS AT 2603031654. 2603031654-2603041654
3/3/26
1654Z
3/4/26
1654Z
!JST 03/025 JST APRON MAIN RAMP FICON PATCHY 1/8IN SLUSH AND WET BA GOOD TO MEDIUM OBS AT 2603031654. 2603031654-2603041654
3/3/26
1653Z
3/4/26
1653Z
Runway!JST 03/024 JST RWY 15 FICON 5/5/5 20 PCT 1/8IN SLUSH AND 80 PCT WET OBS AT 2603031653. 2603031653-2603041653
3/3/26
1652Z
3/4/26
1652Z
Runway!JST 03/023 JST RWY 23 FICON 5/5/5 10 PCT 1/8IN SLUSH AND 90 PCT WET OBS AT 2603031652. 2603031652-2603041652
2/27/26
0947Z
!JST 02/197 JST TWY F1, F2, G CLSD 2602270947-2603061700EST
2/25/26
1150Z
6/25/26
1150Z
!JST 02/174 JST OBST TOWER LGT (ASR 1234653) 402323.70N0790539.80W (12.6NM WNW JST) 1755.9FT (355.0FT AGL) U/S 2602251150-2606251150
2/16/26
1224Z
5/18/26
0500Z
!JST 02/101 JST OBST TOWER LGT (ASR 1235110) 402545.30N0785958.50W (10.1NM NW JST) 1673.9FT (264.8FT AGL) U/S 2602161224-2605180500
2/7/26
1353Z
5/8/26
0500Z
!JST 02/054 JST OBST TOWER LGT (ASR 1064888) 401700.50N0785026.00W (2.0NM S JST) 2497.0FT (178.1FT AGL) U/S 2602071353-2605080500
2/4/26
2220Z
3/21/26
2219Z
!JST 02/028 JST OBST TOWER LGT (ASR 1024678) 401945.00N0785353.00W (3.0NM WNW JST) 2328.1FT (503.9FT AGL) U/S 2602042220-2603212219
1/30/26
0155Z
Runway!JST 01/260 JST RWY 33 RAI LGT U/S 2601300155-2603272000EST
1/28/26
0808Z
3/14/26
0807Z
!JST 01/248 JST OBST TOWER LGT (ASN 2025-AEA-2389-OE) 401638N0784342W (5.3NM ESE JST) 2826FT (260FT AGL) U/S 2601280808-2603140807
FDC
2/17/26
1959Z
!FDC 6/5283 JST IAP JOHN MURTHA JOHNSTOWN/CAMBRIA COUNTY, JOHNSTOWN, PA.
ILS OR LOC RWY 33, AMDT 7C...
S-ILS 33 DA 2520/HAT 239 ALL CATS..
2602171959-2802171959EST
12/15/25
1956Z
!FDC 5/9401 JST ODP JOHN MURTHA JOHNSTOWN/CAMBRIA COUNTY, JOHNSTOWN, PA.
TAKEOFF MINIMUMS AND (OBSTACLE) DEPARTURE PROCEDURES AMDT 4A...
TAKE-OFF MINIMUMS: RWY 15, STANDARD WITH MINIMUM CLIMB OF 220 FT PER NM TO 3600. PERM WIND TURBINES UP TO 3246FT MSL BEGINNING 5.8NM SOUTHEAST OF RWY 15 (42-160875, 42-160874, 42-160877).
ALL OTHER DATA REMAINS AS PUBLISHED. 2512151956-2712151951EST
11/25/25
1504Z
!FDC 5/1488 JST IAP JOHN MURTHA JOHNSTOWN/CAMBRIA COUNTY, JOHNSTOWN, PA.
VOR Y RWY 15, AMDT 9B...
VOR Z RWY 15, AMDT 7B...
PROCEDURE NA.
2511251504-2607071504EST
8/25/25
1637Z
!FDC 5/2885 JST IAP JOHN MURTHA JOHNSTOWN/CAMBRIA COUNTY, JOHNSTOWN, PA.
VOR Z RWY 23, AMDT 4B...
TERMINAL ROUTES FROM JST VOR/DME TO JUDEY/JST 10.00 DME/RADAR MINIMUM ALTITUDE 4600..
2508251637-2708271637EST
Yes
0700-2300
JOHNSTOWN-CAMBRIA CO APT AUTH
479 ARPT ROAD
JOHNSTOWN, PA 15904
Phone: 814-536-0002
CORY CREE
479 ARPT ROAD
JOHNSTOWN, PA 15904
Phone: 814-536-0002
ALTOONA FSS (AOO)
Toll Free: 1-800-WX-BRIEF
JST
--
WHEN TWR CLSD ACTVT MALSR RWY 33; PAPI RWY 33; HIRL RWY 15/33, MIRL RWY 5/23 AND ALL TWY LGTS - CTAF. PAPI RWY 05 UNAVBL WHEN ATCT CLSD.
N/A
Yes - Lighted
No
Yes
Hanger, Tie-Down
No
Major
Major
None
None
Air Freight
Charter Service
Pilot Instruction
Aircraft Rental
Annual Surveying

Runway 05/23

4387 ft. x 100 ft.
ASPH  
Good 
GRVD 
MED 
 
62,000lbs 
87,000lbs 
-- 
-- 
  Runway 05 Runway 23
True Heading 39°219°
Traffic Pattern Left Left
Markings NPI NPI
Markings Condition GOOD GOOD
Latitude 40° 18' 37"N 40° 19' 11"N
Longitude 78° 50' 22"W 78° 49' 46"W
Elevation 2,270' 2,280'
Threshold Crossing Height 44 ft. AGL 45 ft. AGL
Visual Glide Path Angle
Visual Slope Indicator P4L V4L
Approach Lights
Centerline Lights
Runway End Identifier Lights Yes Yes

Runway 15/33

7004 ft. x 150 ft.
CONC  
Good 
GRVD 
HIGH 
 
93,000lbs 
183,000lbs 
357,000lbs 
845,000lbs 
  Runway 15 Runway 33
True Heading 144°324°
Traffic Pattern Left Left
Markings PIR PIR
Markings Condition GOOD GOOD
Latitude 40° 19' 25"N 40° 18' 29"N
Longitude 78° 50' 32"W 78° 49' 39"W
Elevation 2,270' 2,260'
Threshold Crossing Height 52 ft. AGL 53 ft. AGL
Visual Glide Path Angle
Visual Slope Indicator V4L P4R
Approach Lights MALSR
Centerline Lights
Runway End Identifier Lights
A110-10TWY B BTN RWY 05/23 AND TWY B2 RSTRD TO ACFT WITH WINGSPAN 78 FT OR LESS.
A110-3ARNG: RSTD PPR 24 HR, CALL DUR NML DUTY HOURS 1300-2130Z++ EXC WKEND AND HOL. CTC OPS C814-532-7720. ALL TFC TO ARNG MILITARY RAMP CTC KEYSTONE OPS: 138.55, 241.35, 46.75, RAMP DECONFLICTION 46.75.
A110-7DEER & BIRDS ON & INVOF ARPT.
A110-9FOR CD CTC JOHNSTOWN APCH AT 814-532-5960, WHEN APCH CLSD CTC CLEVELAND ARTCC AT 440-774-0213.
A2648 HR PPR FOR UNSKED ACR OPS WITH MORE THAN 30 PAX SEATS; CALL AMGR 814-536-0002.
A35-05/232S-110.
A39-05/23PCR VALUE: 240/F/D/X/T
A39-15/33PCR VALUE: 630/R/B/W/T
A81-APTWHEN TWR CLSD ACTVT MALSR RWY 33; PAPI RWY 33; HIRL RWY 15/33, MIRL RWY 5/23 AND ALL TWY LGTS - CTAF. PAPI RWY 05 UNAVBL WHEN ATCT CLSD.
A82UNICOM FREQ 122.950 AVBL FOR GND SVCS ONLY.
JOHN MURTHA JOHNSTOWN/CAMBRIA COUNTY (ICAO: KJST, IATA: JST) is a public airport located in JOHNSTOWN, PA, US.