iFlightPlanner

 

...
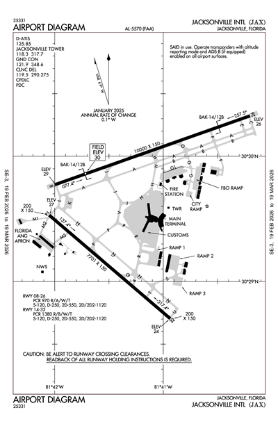
JACKSONVILLE INTL - Airport Diagram
LiveATC.net: Live Air Traffic - From Their Headsets to You

KJAX
ICAO KJAXIATA JAXLocal JAX
JACKSONVILLE INTL
PublicPUB

9 miles N of JACKSONVILLE, FL, US
LiveATC.net: Live Air Traffic - From Their Headsets to You
Status
Operational
Coordinates
30° 29' 39"N 81° 41' 16"W
Elevation
30' MSL
Pattern Alt
1030' MSL
Mag Variation
7°W
Declination
6°W
Fuel
JET A, 100LL
FSS
GAINESVILLE (GNV)
Sectional
JACKSONVILLE
ARTCC
JACKSONVILLE (ZJX)
Data Effective
2/19/26-3/19/26
KJAX VFR
5:56 PM EST  
Few 1,800'
10sm
71°F
63°F
30.20"Hg
070° 9kts
AO2 SLP228 T02170172 $
METAR KJAX 042256Z 07009KT 10SM FEW018 22/17 A3020 RMK AO2 SLP228 T02170172 $

KJAX FBOs

No FBOs (Fixed Base Operators) are listed for this airport.
X

Send Message to Airport Company
Enter your information and message below.

Your Information
 
Processing 

Weather and Advisory

Digital ATIS 125.85
ASOS 125.85
(904) 549-9655

Common

UNICOM 122.95

Clearance

Clearance Delivery 119.5

Ground

JACKSONVILLE GROUND 121.9

Tower

JACKSONVILLE TOWER 118.3

Arrival

ALCRN STAR 127.0
HOTAR STAR 119.0
270-090
HOTAR STAR 124.9
091-180
HOTAR STAR 127.0
270-090
HOTAR STAR 127.775
181-269
LUNNI STAR 119.0
270-090
LUNNI STAR 124.9
091-180
LUNNI STAR 127.0
270-090
LUNNI STAR 127.775
181-269
MARQO STAR 119.0
270-090
MARQO STAR 124.9
091-180
MARQO STAR 127.0
270-090
MARQO STAR 127.775
181-269
OHDEA STAR 119.0
270-090
OHDEA STAR 124.9
091-180
OHDEA STAR 127.0
270-090
OHDEA STAR 127.775
181-269
POGIE STAR 127.775
QUBEN STAR 119.0
270-090
QUBEN STAR 124.9
091-180
QUBEN STAR 127.0
270-090
QUBEN STAR 127.775
181-269
TEBOW STAR 119.0
270-090
TEBOW STAR 124.9
091-180
TEBOW STAR 127.0
270-090
TEBOW STAR 127.775
181-269

Approach

JACKSONVILLE APPROACH 119.0
Initial Contact
JACKSONVILLE APPROACH 121.3
ABV 6000 FT
JACKSONVILLE APPROACH 124.9
091-180 5000 FT & BLW
JACKSONVILLE APPROACH 127.0
270-090
JACKSONVILLE APPROACH 127.775
181-269
JACKSONVILLE APPROACH 132.775
091-180 ABV 5000 FT
JACKSONVILLE APPROACH 119.0
Secondary - 270-090

Departure

ARNEY DP 127.0
CROSB DP 127.0
EXBOX DP 124.9
JACKSONVILLE DEPARTURE 119.0
Initial Contact
JACKSONVILLE DEPARTURE 121.3
ABV 6000 FT
JACKSONVILLE DEPARTURE 124.9
091-180 5000 FT & BLW
JACKSONVILLE DEPARTURE 127.0
270-090
JACKSONVILLE DEPARTURE 127.775
181-269
JACKSONVILLE DEPARTURE 132.775
091-180 ABV 5000 FT
JACKSONVILLE DP 127.0
JETIN DP 127.0
SAWGY DP 124.9
JACKSONVILLE DEPARTURE 119.0
Secondary - 270-090

Emergency

Emergency 121.5

Other

CLASS C 124.9
091-180 5000 FT & BLW
CLASS C 127.0
270-090
CLASS C 127.775
181-269
CLASS C 132.775
091-180 ABV 5000 FT
CLASS C/S 119.0
Secondary - 270-090

Terminal Area Forecast

KJAX
Wed, 3/4 6:39 PM EST
Wed, 3/4 7:00 PM EST - Thu, 3/5 7:00 PM EST
VFR
7:00 PM EST - 10:00 PM EST
Few 5,000'
6sm
080° 8kts
VFR
10:00 PM EST - 1:00 AM EST
Mist
Scattered 300'
6sm
080° 4kts
LIFR
1:00 AM EST - 8:30 AM EST
Fog
Overcast 200'
0.25sm
VRB° 2kts
VFR
8:30 AM EST - 10:00 AM EST
Mist
Scattered 200'
6sm
VRB° 4kts
VFR
10:00 AM EST - 7:00 PM EST
Scattered 4,000'
6sm
120° 10kts
TAF KJAX 042339Z 0500/0524 08008KT P6SM FEW050
   FM050300 08004KT 6SM BR SCT003
   FM050600 VRB02KT 1/4SM FG OVC002
   FM051330 VRB04KT 6SM BR SCT002
   FM051500 12010KT P6SM SCT040
KJAX
EffectiveExpiresCategoryNOTAM
Domestic
3/5/26
1300Z
3/5/26
2200Z
Runway!JAX 02/062 JAX RWY 14/32 CLSD 2603051300-2603052200
3/4/26
1300Z
3/4/26
1900Z
!JAX 03/011 JAX SVC SSR U/S 2603041300-2603041900
3/4/26
1230Z
3/4/26
2200Z
!JAX 03/009 JAX APRON KILO RAMP CLSD 2603041230-2603042200
3/2/26
1300Z
3/6/26
2200Z
!JAX 02/059 JAX APRON AIR CARGO RAMP 3 CLSD 2603021300-2603062200
3/2/26
1000Z
4/3/26
2300Z
Runway!JAX 02/056 JAX RWY 26 ALS U/S 2603021000-2604032300
2/27/26
2156Z
!JAX 02/064 JAX NAV ILS RWY 14 U/S 2602272156-2603202200EST
2/20/26
1613Z
8/20/26
2359Z
!JAX 02/052 JAX OBST CRANE (ASN 2025-ASO-11528-NRA) 302924N0814053W (0.4NM SE JAX) 225FT (200FT AGL) FLAGGED AND LGTD 2602201613-2608202359
2/20/26
1612Z
8/20/26
2359Z
!JAX 02/051 JAX OBST CRANE (ASN 2025-ASO-11527-NRA) 302924N0814051W (0.4NM ESE JAX) 226FT (200FT AGL) FLAGGED AND LGTD 2602201612-2608202359
2/20/26
1611Z
8/20/26
2359Z
!JAX 02/050 JAX OBST CRANE (ASN 2025-ASO-11526-NRA) 302924N0814049W (0.5NM ESE JAX) 226FT (200FT AGL) FLAGGED AND LGTD 2602201611-2608202359
2/20/26
1611Z
8/20/26
2359Z
!JAX 02/049 JAX OBST CRANE (ASN 2025-ASO-11525-NRA) 302926N0814049W (0.4NM ESE JAX) 226FT (200FT AGL) FLAGGED AND LGTD 2602201611-2608202359
2/20/26
1609Z
8/20/26
2359Z
!JAX 02/048 JAX OBST CRANE (ASN 2025-ASO-11524-NRA) 302928N0814048W (0.4NM ESE JAX) 226FT (200FT AGL) FLAGGED AND LGTD 2602201609-2608202359
2/20/26
1607Z
8/20/26
2359Z
!JAX 02/047 JAX OBST CRANE (ASN 2025-ASO-11523-NRA) 302930N0814048W (0.4NM ESE JAX) 226FT (200FT AGL) FLAGGED AND LGTD 2602201607-2608202359
2/20/26
1606Z
8/20/26
2359Z
!JAX 02/046 JAX OBST CRANE (ASN 2025-ASO-11522-NRA) 302931N0814050W (0.4NM ESE JAX) 226FT (200FT AGL) FLAGGED AND LGTD 2602201606-2608202359
2/17/26
1956Z
!JAX 02/035 JAX NAV DINNS LOM NDB U/S 2602171956-2608112111EST
2/16/26
1310Z
5/17/26
0500Z
!JAX 02/032 JAX OBST TOWER LGT (ASR 1227772) 302911.30N0815244.90W (10.0NM W JAX) 336.0FT (254.9FT AGL) U/S 2602161310-2605170500
2/9/26
1800Z
4/30/26
1800Z
!JAX 02/019 JAX TWY P BTN TWY V AND AIR CARRIER RAMP CLSD 2602091800-2604301800
2/9/26
1800Z
4/30/26
1800Z
!JAX 02/018 JAX TWY V CLSD 2602091800-2604301800
2/9/26
1500Z
!JAX 02/017 JAX TWY W BTN TWY J AND TWY P COMMISSIONED 2454FT X 75FT CONC LGTD 2602091500-PERM
2/3/26
1248Z
!JAX 02/007 JAX NAV ILS RWY 08 OM U/S 2602031248-2603042000EST
1/20/26
0502Z
12/31/26
0500Z
!JAX 01/036 JAX OBST CRANE (ASN UNKNOWN) 302930N0814123W (0.7NM S APCH END RWY 08)
154FT (130FT AGL) FLAGGED AND LGTD 2601200502-2612310500
1/12/26
1300Z
9/26/26
2000Z
!JAX 01/019 JAX OBST CRANE (ASN 2025-ASO-586-NRA) 302941N0814050W (0.4NM E JAX) 81FT (60FT AGL) FLAGGED AND LGTD 2601121300-2609262000
1/12/26
1300Z
9/26/26
2000Z
!JAX 01/017 JAX OBST CRANE (ASN 2025-ASO-584-NRA) 302942N0814052W (0.4NM E JAX) 80FT (60FT AGL) FLAGGED AND LGTD 2601121300-2609262000
1/12/26
1300Z
9/26/26
2000Z
!JAX 01/016 JAX OBST CRANE (ASN 2025-ASO-583-NRA) 302942N0814052W (0.4NM E JAX) 80FT (60FT AGL) FLAGGED AND LGTD 2601121300-2609262000
1/12/26
1300Z
9/26/26
2000Z
!JAX 01/015 JAX OBST CRANE (ASN 2025-ASO-582-NRA) 302943N0814052W (0.4NM E JAX) 80FT (60FT AGL) FLAGGED AND LGTD 2601121300-2609262000
1/12/26
1300Z
9/26/26
2000Z
!JAX 01/014 JAX OBST CRANE (ASN 2025-ASO-581-NRA) 302943N0814051W (0.4NM E JAX) 80FT (60FT AGL) FLAGGED AND LGTD 2601121300-2609262000
1/12/26
1300Z
9/26/26
2000Z
!JAX 01/013 JAX OBST CRANE (ASN 2025-ASO-580-NRA) 302944N0814051W (0.4NM ENE JAX) 81FT (60FT AGL) FLAGGED AND LGTD 2601121300-2609262000
1/12/26
1300Z
9/26/26
2000Z
!JAX 01/012 JAX OBST CRANE (ASN 2025-ASO-579-NRA) 302943N0814049W (0.4NM ENE JAX) 81FT (60FT AGL) FLAGGED AND LGTD 2601121300-2609262000
1/12/26
0800Z
9/26/26
1300Z
!JAX 01/018 JAX OBST CRANE (ASN 2025-ASO-585-NRA) 302941N0814052W (0.4NM E JAX) 80FT (60FT AGL) FLAGGED AND LGTD 2601120800-2609261300
12/30/25
0139Z
12/21/26
2359Z
!JAX 12/045 JAX APRON GOLF RAMP CLSD 2512300139-2612212359
12/30/25
0138Z
12/21/26
2359Z
!JAX 12/046 JAX APRON TXL G S OF FIDELITY FIXED BASE OPR RAMP CLSD 2512300138-2612212359
12/18/25
1410Z
!JAX 12/035 JAX NAV ILS RWY 26 OM U/S 2512181410-2606262111EST
12/18/25
0158Z
12/21/26
2100Z
!JAX 12/031 JAX OBST CRANE (ASN 2023-ASO-10643-NRA) 302940N0814045W (0.5NM E JAX) 115FT (90FT AGL) FLAGGED AND LGTD 2512180158-2612212100
12/18/25
0157Z
12/21/26
2100Z
!JAX 12/030 JAX OBST CRANE (ASN 2023-ASO-10641-NRA) 302942N0814043W (0.5NM E JAX) 115FT (90FT AGL) FLAGGED AND LGTD 2512180157-2612212100
12/18/25
0157Z
12/21/26
2100Z
!JAX 12/029 JAX OBST CRANE (ASN 2023-ASO-10642-NRA) 302940N0814043W (0.5NM E JAX) 115FT (90FT AGL) FLAGGED AND LGTD 2512180157-2612212100
12/18/25
0156Z
12/21/26
2100Z
!JAX 12/028 JAX OBST CRANE (ASN 2023-ASO-10640-NRA) 302943N0814044W (0.5NM E JAX) 115FT (90FT AGL) FLAGGED AND LGTD 2512180156-2612212100
11/11/25
0005Z
5/31/26
2200Z
!JAX 11/020 JAX OBST CRANE (ASN 2024-ASO-15074-NRA) 302914N0814046W (0.6NM SE JAX) 148FT (125FT AGL) FLAGGED AND LGTD 2511110005-2605312200
11/6/25
0256Z
11/4/26
0459Z
!JAX 11/017 JAX OBST CRANE (ASN 2024-ASO-5714-NRA) 302932N0814108W (0.2NM SE JAX) 279FT (250FT AGL) FLAGGED AND LGTD 2511060256-2611040459
11/6/25
0255Z
11/4/26
0459Z
!JAX 11/016 JAX OBST CRANE (ASN 2024-ASO-5713-NRA) 302928N0814109W (0.2NM SSE JAX) 279FT (250FT AGL) FLAGGED AND LGTD 2511060255-2611040459
11/6/25
0255Z
11/4/26
0459Z
!JAX 11/015 JAX OBST CRANE (ASN 2024-ASO-5718-NRA) 302934N0814117W (0.1NM SSW JAX) 279FT (250FT AGL) FLAGGED AND LGTD 2511060255-2611040459
11/6/25
0254Z
11/4/26
0459Z
!JAX 11/014 JAX OBST CRANE (ASN 2024-ASO-5717-NRA) 302934N0814119W (0.1NM SSW JAX) 279FT (250FT AGL) FLAGGED AND LGTD 2511060254-2611040459
11/6/25
0253Z
11/4/26
0459Z
!JAX 11/013 JAX OBST CRANE (ASN 2024-ASO-5716-NRA) 302930N0814119W (0.1NM SSW JAX) 279FT (250FT AGL) FLAGGED AND LGTD 2511060253-2611040459
11/6/25
0252Z
11/4/26
0459Z
!JAX 11/012 JAX OBST CRANE (ASN 2024-ASO-5715-NRA) 302929N0814119W (0.2NM SSW JAX) 279FT (250FT AGL) FLAGGED AND LGTD 2511060252-2611040459
10/6/25
1200Z
10/6/26
2100Z
!JAX 10/011 JAX OBST CRANE (ASN 2025-ASO-8921-NRA) 302943N0814049W (0.4NM ENE JAX) 172FT (150FT AGL) FLAGGED AND LGTD 2510061200-2610062100
10/6/25
1200Z
10/6/26
2100Z
!JAX 10/010 JAX OBST CRANE (ASN 2025-ASO-8920-NRA) 302943N0814051W (0.4NM E JAX) 170FT (150FT AGL) FLAGGED AND LGTD 2510061200-2610062100
10/6/25
1200Z
10/6/26
2100Z
!JAX 10/009 JAX OBST CRANE (ASN 2025-ASO-8919-NRA) 302943N0814052W (0.4NM E JAX) 170FT (150FT AGL) FLAGGED AND LGTD 2510061200-2610062100
10/6/25
1200Z
10/6/26
2100Z
!JAX 10/008 JAX OBST CRANE (ASN 2025-ASO-8918-NRA) 302942N0814052W (0.4NM E JAX) 170FT (150FT AGL) FLAGGED AND LGTD 2510061200-2610062100
10/6/25
1200Z
10/6/26
2100Z
!JAX 10/007 JAX OBST CRANE (ASN 2025-ASO-8916-NRA) 302941N0814052W (0.4NM E JAX) 170FT (150FT AGL) FLAGGED AND LGTD 2510061200-2610062100
10/6/25
1200Z
10/6/26
2100Z
!JAX 10/006 JAX OBST CRANE (ASN 2025-ASO-8917-NRA) 302942N0814052W (0.4NM E JAX) 170FT (150FT AGL) FLAGGED AND LGTD 2510061200-2610062100
10/6/25
1200Z
10/6/26
2100Z
!JAX 10/004 JAX OBST CRANE (ASN 2025-ASO-8915-NRA) 302941N0814050W (0.4NM E JAX) 171FT (150FT AGL) FLAGGED AND LGTD 2510061200-2610062100
10/6/25
1200Z
10/6/26
2100Z
!JAX 10/003 JAX OBST CRANE (ASN 2025-ASO-8914-NRA) 302944N0814051W (0.4NM ENE JAX) 172FT (150FT AGL) FLAGGED AND LGTD 2510061200-2610062100
7/21/25
1915Z
8/1/26
1200Z
!JAX 07/030 JAX APRON WEST AIR CARRIER RAMP BTN TWY J AND TWY P CLSD 2507211915-2608011200
7/13/25
2301Z
7/7/26
2000Z
!JAX 07/019 JAX OBST CRANE (ASN 2024-ASO-15247-NRA) 302930N0814048W (0.4NM ESE JAX) 176FT (150FT AGL) FLAGGED AND LGTD 2507132301-2607072000
7/13/25
2300Z
7/7/26
2000Z
!JAX 07/018 JAX OBST CRANE (ASN 2024-ASO-15243-NRA) 302924N0814051W (0.4NM ESE JAX) 176FT (150FT AGL) FLAGGED AND LGTD 2507132300-2607072000
7/13/25
2259Z
7/7/26
2000Z
!JAX 07/017 JAX OBST CRANE (ASN 2024-ASO-15245-NRA) 302926N0814049W (0.4NM ESE JAX) 176FT (150FT AGL) FLAGGED AND LGTD 2507132259-2607072000
7/13/25
2258Z
7/7/26
2000Z
!JAX 07/016 JAX OBST CRANE (ASN 2024-ASO-15244-NRA) 302924N0814049W (0.5NM ESE JAX) 176FT (150FT AGL) FLAGGED AND LGTD 2507132258-2607072000
7/13/25
2257Z
7/7/26
2000Z
!JAX 07/015 JAX OBST CRANE (ASN 2024-ASO-15248-NRA) 302931N0814050W (0.4NM ESE JAX) 176FT (150FT AGL) FLAGGED AND LGTD 2507132257-2607072000
7/13/25
2256Z
7/7/26
2000Z
!JAX 07/014 JAX OBST CRANE (ASN 2024-ASO-15246-NRA) 302928N0814048W (0.4NM ESE JAX) 176FT (150FT AGL) FLAGGED AND LGTD 2507132256-2607072000
6/30/25
0826Z
!JAX 06/035 JAX NAV ILS RWY 08 IM U/S 2506300826-2606252111EST
FDC
2/24/26
1430Z
!FDC 6/9147 JAX IAP JACKSONVILLE INTL, JACKSONVILLE, FL.
ILS Y OR LOC Y RWY 14, AMDT 8...
MISSED APPROACH: CLIMB TO 3000 ON HEADING 140, EXPECT RADAR VECTORS. RADAR REQUIRED.
KUYER FIX MINIMUMS NA EXCEPT FOR ACFT EQUIPPED WITH SUITABLE RNAV SYSTEM WITH GPS,
CRG VORTAC OUT OF SERVICE. 2602241430-2604021430EST
2/24/26
1430Z
4/2/26
1430Z
!FDC 6/9146 JAX IAP U.S. DOD JACKSONVILLE INTL, JACKSONVILLE, FL.
HI-ILS Z OR LOC Z RWY 14, AMDT 3B...
MISSED APPROACH: CLIMB TO 2000 THEN CLIMBING LEFT TURN TO 4000 ON HEADING 315. EXPECT RADAR VECTORS (RADAR REQUIRED).
RADAR REQUIRED FOR PROCEDURE ENTRY EXCEPT FOR ACFT EQUIPPED WITH SUITABLE RNAV SYSTEM WITH GPS.
2602241430-2604021430EST
2/24/26
1430Z
4/2/26
1430Z
!FDC 6/9145 JAX IAP JACKSONVILLE INTL, JACKSONVILLE, FL.
HI-ILS Z OR LOC Z RWY 8, AMDT 6A...
MISSED APPROACH: CLIMB TO 1000 THEN CLIMBING LEFT TURN TO 4000 ON HEADING 250, EXPECT RADAR VECTORS (RADAR REQUIRED).
RADAR REQUIRED FOR PROCEDURE ENTRY EXCEPT FOR ACFT EQUIPPED WITH SUITABLE RNAV SYSTEM WITH GPS,
CRG VORTAC OUT OF SERVICE. 2602241430-2604021430EST
2/24/26
1430Z
4/2/26
1430Z
!FDC 6/9144 JAX IAP JACKSONVILLE INTL, JACKSONVILLE, FL.
HI-ILS Z OR LOC Z RWY 26, AMDT 3A...
MISSED APPROACH: CLIMB TO 1200 THEN CLIMBING RIGHT TURN TO 4000 ON HEADING 360. EXPECT RADAR VECTORS (RADAR REQUIRED).
RADAR REQUIRED FOR PROCEDURE ENTRY EXCEPT FOR ACFT EQUIPPED WITH SUITABLE RNAV SYSTEM WITH GPS,
CRG VORTAC OUT OF SERVICE. 2602241430-2604021430EST
2/24/26
1430Z
4/2/26
1430Z
!FDC 6/9141 JAX IAP JACKSONVILLE INTL, JACKSONVILLE, FL.
ILS Y OR LOC Y RWY 8, AMDT 14...
ILS Y RWY 8 (SA CAT I), AMDT 14...
ILS Y RWY 8 (CAT II-III), AMDT 14...
MISSED APPROACH: CLIMB TO 1000 THEN CLIMBING LEFT TURN TO 3000 ON HEADING 250, EXPECT RADAR VECTORS (RADAR REQUIRED).
RADAR REQUIRED FOR PROCEDURE ENTRY EXCEPT FOR ACFT EQUIPPED WITH SUITABLE RNAV SYSTEM WITH GPS,
CRG VORTAC OUT OF SERVICE. 2602241430-2604021430EST
2/24/26
1430Z
4/2/26
1430Z
!FDC 6/9140 JAX SID JACKSONVILLE INTL, JACKSONVILLE, FL.
SAWGY THREE DEPARTURE...
DEPARTURE PROCEDURE NA EXCEPT FOR ACFT EQUIPPED WITH SUITABLE RNAV SYSTEM WITH GPS,
CRG VORTAC OUT OF SERVICE. 2602241430-2604021430EST
1/6/26
1532Z
!FDC 6/0883 JAX IAP U.S. DOD JACKSONVILLE INTL, JACKSONVILLE, FL.
HI - TACAN RWY 14, AMDT 4D...
HI-ILS Z OR LOC Z RWY 14, AMDT 3C...
HI-ILS Z OR LOC Z RWY 26, AMDT 3A...
HI-ILS Z OR LOC Z RWY 8, AMDT 6A...
CIRCLING RWY 32 NA AT NIGHT. TEMPORARY CRANE 100 MSL 1067FT SE OF RWY 32 (2024-ASO-2685-NRA).
2601061532-2603301532EST
1/6/26
1532Z
!FDC 6/0882 JAX IAP JACKSONVILLE INTL, JACKSONVILLE, FL.
ILS Y OR LOC Y RWY 14, AMDT 8...
ILS Y OR LOC Y RWY 26, AMDT 3...
ILS Y OR LOC Y RWY 8, AMDT 14...
RNAV (GPS) Z RWY 14, AMDT 2D...
RNAV (GPS) Z RWY 26, AMDT 2E...
RNAV (GPS) Z RWY 32, AMDT 3...
CIRCLING RWY 32 NA AT NIGHT. TEMPORARY CRANE 100 MSL 1067FT SE OF RWY 32 (2024-ASO-2685-NRA).
2601061532-2603301532EST
1/6/26
1532Z
!FDC 6/0881 JAX IAP U.S. DOD JACKSONVILLE INTL, JACKSONVILLE, FL.
HI - TACAN RWY 14, AMDT 4D...
HI-ILS Z OR LOC Z RWY 14, AMDT 3C...
HI-ILS Z OR LOC Z RWY 26, AMDT 3A...
HI-ILS Z OR LOC Z RWY 8, AMDT 6A...
CIRCLING RWY 32 NA AT NIGHT. TEMPORARY CRANE 100 MSL 1067FT SE OF RWY 32 (2024-ASO-2685-NRA).
2601061532-2603301532EST
1/6/26
1532Z
!FDC 6/0880 JAX IAP JACKSONVILLE INTL, JACKSONVILLE, FL.
ILS Y OR LOC Y RWY 14, AMDT 8...
ILS Y OR LOC Y RWY 26, AMDT 3...
ILS Y OR LOC Y RWY 8, AMDT 14...
RNAV (GPS) Z RWY 14, AMDT 2D...
RNAV (GPS) Z RWY 26, AMDT 2E...
RNAV (GPS) Z RWY 8, AMDT 2D...
CIRCLING RWY 32 NA AT NIGHT. TEMPORARY CRANE 100 MSL 1067FT SE OF RWY 32 (2024-ASO-2685-NRA).
2601061532-2603301532EST
1/6/26
1532Z
!FDC 6/0879 JAX IAP JACKSONVILLE INTL, JACKSONVILLE, FL.
RNAV (GPS) Z RWY 32, AMDT 3...
VOR/DME RWY 32, AMDT 2D...
STRAIGHT IN RWY 32 NA AT NIGHT, CIRCLING RWY 32 NA AT NIGHT. CHANGE NOTE TO READ: RWY 32 HELICOPTER VISIBILITY REDUCTION BELOW 1 SM NA. VDP NA. TEMPORARY CRANE 100 MSL 1067FT SE OF RWY 32 (2024-ASO-2685-NRA).
2601061532-2603301532EST
1/6/26
1532Z
!FDC 6/0878 JAX IAP JACKSONVILLE INTL, JACKSONVILLE, FL.
RNAV (RNP) Y RWY 32, AMDT 1A...
PROCEDURE NA AT NIGHT. TEMPORARY CRANE 100 MSL 1067FT SE OF RWY 32 (2024-ASO-2685-NRA).
2601061532-2603301532EST
1/6/26
1532Z
!FDC 6/0877 JAX ODP JACKSONVILLE INTL, JACKSONVILLE, FL.
TAKEOFF MINIMUMS AND (OBSTACLE) DEPARTURE PROCEDURES AMDT 2...
ADD TAKEOFF OBSTACLE NOTE: RWY 14, TEMPORARY CRANE 1026FT FROM DER, 291FT LEFT OF CENTERLINE, 75FT AGL/ 100FT MSL (2024-ASO-2685-NRA).
ALL OTHER DATA REMAINS AS PUBLISHED. 2601061532-2603301532EST
12/19/25
1752Z
!FDC 5/1907 JAX IAP JACKSONVILLE INTL, JACKSONVILLE, FL.
RNAV (GPS) Z RWY 32, AMDT 3...
LNAV MDA 460/HAT 436 ALL CATS, VIS CATS C/D 1 1/4. TEMPORARY CRANE 148 MSL 3351FT N OF RWY 32 (2024-ASO-15074-NRA).
2512191752-2606301752EST
12/1/25
1815Z
!FDC 5/2959 JAX IAP JACKSONVILLE INTL, JACKSONVILLE, FL.
HI-ILS Z OR LOC Z RWY 26, AMDT 3...
TERMINAL ROUTE FROM AMG VORTAC TO BIGS NA.
2512011815-2712011815EST
12/1/25
1333Z
!FDC 5/2766 JAX IAP U.S. DOD JACKSONVILLE INTL, JACKSONVILLE, FL.
HI-ILS Z OR LOC Z RWY 14, AMDT 3C...
ILS Y OR LOC Y RWY 14, AMDT 8...
PROCEDURE NA.
2512011333-2712011333EST
11/27/25
1700Z
!FDC 5/2360 JAX IAP U.S. DOD JACKSONVILLE INTL, JACKSONVILLE, FL.
HI-ILS Z OR LOC Z RWY 14, AMDT 3C...
CIRCLING CAT C MDA 640/HAA 610, VIS CAT C 1 3/4. TEMPORARY CRANES 279 MSL 536FT S OF JAX AIRPORT (2024-ASO-5713/5715 THRU 5718-NRA).
2511271700-2606031700EST
11/27/25
1700Z
!FDC 5/2359 JAX IAP JACKSONVILLE INTL, JACKSONVILLE, FL.
ILS Y OR LOC Y RWY 14, AMDT 8...
CIRCLING MDA 640/HAA 610 ALL CATS. KUYER FIX MINIMUMS (DME REQUIRED): CIRCLING MDA 640/HAA 610 ALL CATS. TEMPORARY CRANES 279 MSL 536FT S OF JAX AIRPORT (2024-ASO-5713/5715 THRU 5718-NRA). TEMPORARY CRANES 176 MSL 2409FT SE OF JAX AIRPORT (2024-ASO-15242 THRU 15248-NRA). TEMPORARY CRANES 179 MSL 4785FT SE OF JAX AIRPORT (2025-ASO-1151/1152-NRA).
2511271700-2606031700EST
11/27/25
1700Z
!FDC 5/2358 JAX IAP JACKSONVILLE INTL, JACKSONVILLE, FL.
RNAV (GPS) Z RWY 14, AMDT 2D...
RNAV (GPS) Z RWY 32, AMDT 3...
RNAV (GPS) Z RWY 8, AMDT 2D...
CIRCLING MDA 640/HAA 610 ALL CATS. TEMPORARY CRANES 279 MSL 536FT S OF JAX AIRPORT (2024-ASO-5713/5715 THRU 5718-NRA). TEMPORARY CRANES 176 MSL 2409FT SE OF JAX AIRPORT (2024-ASO-15242 THRU 15248-NRA). TEMPORARY CRANES 179 MSL 4785FT SE OF JAX AIRPORT (2025-ASO-1151/1152-NRA).
2511271700-2606031700EST
11/27/25
1700Z
!FDC 5/2357 JAX IAP JACKSONVILLE INTL, JACKSONVILLE, FL.
RNAV (GPS) Z RWY 26, AMDT 2E...
CIRCLING CAT A/B/C MDA 640/HAA 610. TEMPORARY CRANES 279 MSL 536FT S OF JAX AIRPORT (2024-ASO-5713/5715 THRU 5718-NRA). TEMPORARY CRANES 176 MSL 2409FT SE OF JAX AIRPORT (2024-ASO-15242 THRU 15248-NRA). TEMPORARY CRANES 179 MSL 4785FT SE OF JAX AIRPORT (2025-ASO-1151/1152-NRA).
2511271700-2606031700EST
11/27/25
1700Z
!FDC 5/2355 JAX IAP JACKSONVILLE INTL, JACKSONVILLE, FL.
ILS Y OR LOC Y RWY 26, AMDT 3...
CIRCLING MDA 640/HAA 610 ALL CATS. ZETRI FIX MINIMUMS (DUAL VOR RECEIVERS REQUIRED): CIRCLING MDA 640/HAA 610 ALL CATS. TEMPORARY CRANES 279 MSL 536FT S OF JAX AIRPORT (2024-ASO-5713/5715 THRU 5718-NRA). TEMPORARY CRANES 176 MSL 2409FT SE OF JAX AIRPORT (2024-ASO-15242 THRU 15248-NRA). TEMPORARY CRANES 179 MSL 4785FT SE OF JAX AIRPORT (2025-ASO-1151/1152-NRA).
2511271700-2606031700EST
11/27/25
1700Z
!FDC 5/2354 JAX IAP JACKSONVILLE INTL, JACKSONVILLE, FL.
ILS Y OR LOC Y RWY 8, AMDT 14...
VOR/DME RWY 32, AMDT 2D...
CIRCLING CAT A/B/C/D MDA 640/HAA 610. TEMPORARY CRANES 279 MSL 536FT S OF JAX AIRPORT (2024-ASO-5713/5715 THRU 5718-NRA). TEMPORARY CRANES 176 MSL 2409FT SE OF JAX AIRPORT (2024-ASO-15242 THRU 15248-NRA). TEMPORARY CRANES 179 MSL 4785FT SE OF JAX AIRPORT (2025-ASO-1151/1152-NRA).
2511271700-2606031700EST
11/27/25
1700Z
!FDC 5/2353 JAX IAP JACKSONVILLE INTL, JACKSONVILLE, FL.
HI-ILS Z OR LOC Z RWY 26, AMDT 3A...
CIRCLING CAT C/D MDA 640/HAA 610, VIS CAT C 1 3/4. ZETRI FIX MINIMUMS (DUAL VOR RECEIVERS REQUIRED): CIRCLING CAT C/D MDA 640/HAA 610, VIS CAT C 1 3/4. TEMPORARY CRANES 279 MSL 536FT S OF JAX AIRPORT (2024-ASO-5713/5715 THRU 5718-NRA).
2511271700-2606031700EST
11/27/25
1700Z
!FDC 5/2352 JAX IAP U.S. DOD JACKSONVILLE INTL, JACKSONVILLE, FL.
HI - TACAN RWY 14, AMDT 4C...
S-14* CAT C/D/E MDA 520/493, VIS CAT C/D/E 1. CIRCLING CAT C MDA 640/HAA 610, VIS CAT C 1 3/4. *WHEN ALS INOP, INCREASE VIS TO 1 3/8 SM. TEMPORARY CRANES 279 MSL 536FT S OF JAX AIRPORT (2024-ASO-5713/5715 THRU 5718-NRA). TEMPORARY CRANE 143 MSL 1959FT W OF RWY 14 (2023-ASO-5675-NRA)..
2511271700-2606031700EST
11/27/25
1700Z
!FDC 5/2351 JAX IAP JACKSONVILLE INTL, JACKSONVILLE, FL.
RNAV (GPS) Z RWY 26, AMDT 2E...
CIRCLING CAT A/B/C MDA 640/HAA 610. TEMPORARY CRANES 279 MSL 536FT S OF JAX AIRPORT (2024-ASO-5713/5715 THRU 5718-NRA).
2511271700-2606031700EST
11/27/25
1315Z
!FDC 5/2231 JAX IAP U.S. DOD JACKSONVILLE INTL, JACKSONVILLE, FL.
HI-ILS Z OR LOC Z RWY 14, AMDT 3C...
CIRCLING CAT C MDA 640/HAA 610, VIS CAT C 1 3/4. TEMPORARY CRANES 279 MSL 536FT S OF JAX AIRPORT (2024-ASO-5713/5715 THRU 5718-NRA).
2511271315-2607092355EST
11/27/25
1309Z
!FDC 5/2229 JAX IAP JACKSONVILLE INTL, JACKSONVILLE, FL.
ILS Y OR LOC Y RWY 14, AMDT 8...
CIRCLING MDA 640/HAA 610 ALL CATS. KUYER FIX MINIMUMS (DME REQUIRED): CIRCLING MDA 640/HAA 610 ALL CATS. TEMPORARY CRANES 279 MSL 536FT S OF JAX AIRPORT (2024-ASO-5713/5715 THRU 5718-NRA). TEMPORARY CRANES 176 MSL 2409FT SE OF JAX AIRPORT (2024-ASO-15242 THRU 15248-NRA). TEMPORARY CRANES 179 MSL 4785FT SE OF JAX AIRPORT (2025-ASO-1151/1152-NRA).
2511271309-2607092355EST
10/8/25
1832Z
!FDC 5/8263 JAX IAP JACKSONVILLE INTL, JACKSONVILLE, FL.
RNAV (RNP) Y RWY 8, ORIG-B...
RNP 0.11 DA 382/HAT 352 ALL CATS. TEMPORARY CRANE 143 MSL 3020FT SW OF RWY 14 (2023-ASO-5675-NRA).
2510081832-2605202355EST
8/22/25
1515Z
!FDC 5/1741 JAX IAP JACKSONVILLE INTL, JACKSONVILLE, FL.
ILS Y RWY 8 (CAT II AND III), AMDT 14 ...
S-ILS 8 CAT II NA EXCEPT FOR AIRCRAFT EQUIPPED WITH RADIO ALTIMETER. I-JAX IM OUT OF SERVICE. 2508221515-2604031515EST
Yes
ALL
JACKSONVILLE INTL AIRPORT
14201 PECAN PARK ROAD
JACKSONVILLE, FL 32218
Phone: 904-741-2000
MR. TERRY DLUGOS
14201 PECAN PARK ROAD
JACKSONVILLE, FL 32218
Phone: (904) 741-3866
GAINESVILLE FSS (GNV)
Toll Free: 1-800-WX-BRIEF
JAX
Sunset to Sunrise
--
N/A
Yes - Lighted
Yes
No
Hanger, Tie-Down
Landing Rights Airport
NOT an Airport of Entry
Major
Minor
None
None
Air Freight
Avionics
Cargo Handling
Charter Service
Annual Surveying

Runway 08/26

10000 ft. x 150 ft.
CONC  
Good 
GRVD 
HIGH 
 
120,000lbs 
250,000lbs 
550,000lbs 
1,120,000lbs 
  Runway 08 Runway 26
True Heading 71°251°
Traffic Pattern Left Left
Markings PIR PIR
Markings Condition FAIR FAIR
Latitude 30° 29' 46"N 30° 30' 19"N
Longitude 81° 41' 60"W 81° 40' 12"W
Elevation 29' 26'
Threshold Crossing Height 70 ft. AGL 70 ft. AGL
Visual Glide Path Angle
Visual Slope Indicator P4L P4R
Approach Lights ALSF2 MALSR
Centerline Lights Yes Yes
Runway End Identifier Lights No

Runway 14/32

7701 ft. x 150 ft.
CONC  
Good 
GRVD 
HIGH 
 
120,000lbs 
250,000lbs 
550,000lbs 
1,120,000lbs 
  Runway 14 Runway 32
True Heading 131°311°
Traffic Pattern Left Left
Markings PIR PIR
Markings Condition GOOD GOOD
Latitude 30° 29' 32"N 30° 28' 42"N
Longitude 81° 42' 03"W 81° 40' 56"W
Elevation 27' 24'
Threshold Crossing Height 70 ft. AGL 67 ft. AGL
Visual Glide Path Angle
Visual Slope Indicator P4L P4L
Approach Lights MALSR
Centerline Lights Yes Yes
Runway End Identifier Lights Yes
A110-1BIRD ACTIVITY INVOF ARPT, WILDLIFE PRESENTLY ON AIRFIELD.
A110-11NON-LOAD BEARING ASPHALT ON WEST AIR CARRIER RAMP BTWN OUTER HIGH MAST LIGHTS AND TERMINAL. AIRCRAFT RQRD TO MAINTAIN TAXI OPS OVER CTRLN ON THE AIR CARRIER RAMP.
A110-12PPR FOR HIGH POWER JET ENGINE RUN UPS CTC APT OPS AT 904-741-2020.
A110-13MILITARY: ANG: OPR DAYS VARY. BASE OPS 1130-2100Z++. OFFL BUS ONLY. PPR FOR ALL TRAN AFCT (CALL FANG OPS) DSN 641-7122/40/25,C 904-741-7122/40/25. PPR NEEDED TO PROCD ON TWY M1, M2, M3 FANG MAIN RAMP AND ALERT RAMP. PPR NO RESTRD TO ONLY 1 HR EARLIER OR LTR THAN APVL TIME, BFR/AFT THOSE TIMES THE NO IS NOT VALID. TRAN SVCS UNAVBL. FOR CURRENT BWC CTC SOF (FANG OPS) 251.25. BASH PHASE II 1 NOV THRU 31 MAR FOR MIGRATORY BIRD ACT. FOR MORE DTLD INFO SEE AP/1.
A110-14ARPT CLSD TO ACFT WINGSPAN MORE THAN 171 FT EXC 6 HR PPR 904-741-2020.
A110-1524 HR PPR FOR ACFT EQUIPPED WITH WEATHER MODIFICATION OR GEOENGINEERING EQPT 904-741-2020.
A110-3BAK-14 CABLE RAISED FOR TAILHOOK ENGAGEMENT BY TWR ON PILOT REQ ONLY, 1537 FT FM AER 08 AND 1612 FT FM AER 26.
A110-7ARPT CLSD TO INTL GEN AVIATION ARR EXE 6HR PPR ARPT OPS AT 904-741-2020 & CTC U. S. CUSTOMS & SERVICING FBO FOR PROCESSING & INSTRUCTIONS.
A110-8RADIO CONTROLLED ACFT ACTIVITY 3.5 NM 'NNW' OF ARPT.
A110-9SMALL PORTION OF TERMINAL RAMP NOT VISIBLE FM TWR. TWR UNABLE TO DETERMINE IF RAMP IS CLEAR.
A26PPR 24 HRS FOR UNSKED ACR OPNS WITH MORE THAN 30 PSGR SEATS CALL AMGR 904-741-2020.
A39-08/26PCR VALUE: 970/R/A/W/T
A39-14/32PCR VALUE: 1380/R/B/W/T
E60-08_BAK-14BAK-14 BAK-12B(B) (1537 FT).
E60-26_BAK-14BAK-14 BAK-12B-(B) (1612 FT)
JACKSONVILLE INTL (ICAO: KJAX, IATA: JAX) is a public airport located in JACKSONVILLE, FL, US.