iFlightPlanner

 

...
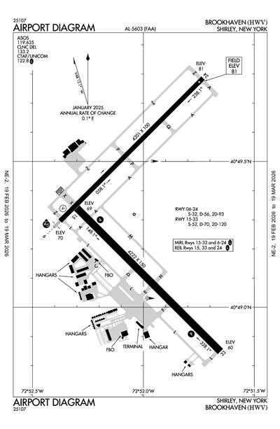
BROOKHAVEN - Airport Diagram
LiveATC.net: Live Air Traffic - From Their Headsets to You

KHWV
ICAO KHWVIATA WSHLocal HWV
BROOKHAVEN
PublicPUB

1 miles N of SHIRLEY, NY, US
LiveATC.net: Live Air Traffic - From Their Headsets to You
Status
Operational
Coordinates
40° 49' 19"N 72° 52' 01"W
Elevation
81' MSL
Pattern Alt
1081' MSL
Mag Variation
13°W
Declination
14°W
Fuel
JET A, 100LL
FSS
NEW YORK (ISP)
Sectional
NEW YORK
ARTCC
NEW YORK (ZNY)
Data Effective
2/19/26-3/19/26
KHWV IFR
8:56 PM EST  
Mist
Overcast 700'
Few 300'
1.5sm
33°F
33°F
30.25"Hg
Calm
AO2 SLP243 T00060006 PWINO FZRANO
METAR KHWV 040156Z AUTO 00000KT 1 1/2SM BR FEW003 OVC007 01/01 A3025 RMK AO2 SLP243 T00060006 PWINO FZRANO

KHWV FBOs

No FBOs (Fixed Base Operators) are listed for this airport.
X

Send Message to Airport Company
Enter your information and message below.

Your Information
 
Processing 

Weather and Advisory

ASOS 119.625
(631) 399-7095

Common

CTAF 122.8
ACTVT MALSR RWY 06; REIL RWYS 24, 15, & 33; PAPI RWYS 15 & 33; MIRL RWYS 06/24 & 15/33 - CTAF.
UNICOM 122.8

Clearance

Clearance Delivery 133.2

Approach

NEW YORK APPROACH 120.05

Departure

NEW YORK DEPARTURE 120.05

Terminal Area Forecast

KISP (11nm)
Tue, 3/3 6:39 PM EST
Tue, 3/3 7:00 PM EST - Wed, 3/4 7:00 PM EST
IFR
7:00 PM EST - 10:00 PM EST
Light Rain and Mist
Overcast 500'
2sm
VRB° 4kts
LIFR
10:00 PM EST - 6:00 AM EST
Light Rain and Drizzle and Mist
Overcast 300'
1sm
Calm
LIFR
Temporary 11:00 PM EST - 3:00 AM EST
Fog
Overcast 200'
0.5sm
Calm
IFR
6:00 AM EST - 9:00 AM EST
Mist
Overcast 500'
2sm
VRB° 2kts
MVFR
9:00 AM EST - 12:00 PM EST
Mist
Broken 1,500'
5sm
VRB° 1kts
VFR
12:00 PM EST - 4:00 PM EST
Scattered 25,000'
Few 1,500'
6sm
360° 4kts
VFR
4:00 PM EST - 7:00 PM EST
Broken 25,000'
Scattered 10,000'
6sm
VRB° 5kts
TAF KISP 032339Z 0400/0424 VRB04KT 2SM -RA BR OVC005
   FM040300 00000KT 1SM -RADZ BR OVC003
   TEMPO 0404/0408 1/2SM FG OVC002
   FM041100 VRB02KT 2SM BR OVC005
   FM041400 VRB01KT 5SM BR BKN015
   FM041700 36004KT P6SM FEW015 SCT250
   FM042100 VRB05KT P6SM SCT100 BKN250
KHWV
EffectiveExpiresCategoryNOTAM
Domestic
2/24/26
1631Z
2/26/26
1700Z
!HWV 02/011 HWV AD AP CLSD 2602241631-2602261700
2/24/26
0835Z
3/11/26
0735Z
!HWV 02/010 HWV OBST TOWER LGT (ASR 1007666) 405323.00N0725711.00W (5.6NM NW HWV) 822.2FT (681.1FT AGL) U/S 2602240835-2603110735
2/18/26
0509Z
3/5/26
0409Z
!HWV 02/008 HWV OBST TOWER LGT (ASR 1004116) 405118.20N0724608.90W (4.9NM ENE HWV) 753.6FT (509.8FT AGL) U/S 2602180509-2603050409
2/12/26
0135Z
7/1/26
2359Z
!HWV 02/006 HWV OBST TOWER LGT (ASR 1003715) 405726.00N0725257.00W (8.2NM N HWV) 540.0FT (419.9FT AGL) U/S 2602120135-2607012359
2/2/26
1329Z
!HWV 02/001 HWV NAV ILS RWY 06 OM U/S 2602021329-2703092111EST
12/11/25
1451Z
Runway!HWV 12/002 HWV RWY 24 RWY END ID LGT U/S 2512111451-2606112111EST
FDC
9/15/25
1540Z
9/15/27
1540Z
!FDC 5/3809 HWV PART 1 OF 3 ODP BROOKHAVEN, SHIRLEY, NY.
TAKEOFF MINIMUMS AND (OBSTACLE) DEPARTURE PROCEDURES ORIG...
NOTE: RWY 15: SOLAR PANELS BEGINNING 1 FT FROM DER, 251 FT RIGHT OF
CENTERLINE, UP TO 7 FT AGL/64 FT MSL.
SOLAR PANELS BEGINNING 1 FT FROM DER, 485 FT RIGHT OF CENTERLINE,
UP TO 7 FT AGL/66 FT MSL.
TREES BEGINNING 35 FT FROM DER, 407 FT LEFT OF CENTERLINE, UP TO 63
FT AGL/123 FT MSL.
TRAVERSE WAY 56 FT FROM DER, 493 FT RIGHT OF CENTERLINE, 76 FT MSL.
TREE 167 FT FROM DER, 469 FT LEFT OF CENTERLINE, 65 FT AGL/125 FT
MSL.
TREES BEGINNING 241 FT FROM DER, 231 FT LEFT OF CENTERLINE, UP TO
127 FT MSL.
TREES BEGINNING 446 FT FROM DER, 242 FT RIGHT OF CENTERLINE, UP TO
127 FT MSL.
TREES BEGINNING 2337 FT FROM DER, 334 FT LEFT OF CENTERLINE, UP TO
84 FT AGL/139 FT MSL.
TREE 2556 FT FROM DER, 616 FT RIGHT OF CENTERLINE, 133 FT MSL.
NOTE: RWY 24: ELECTRICAL SYSTEM 13 FT FROM DER, 124 FT LEFT OF
CENTERLINE, 3 FT AGL/71 FT MSL.
TERRAIN 42 FT FROM DER, 270 FT LEFT OF CENTERLINE, 72 FT MSL.
ALL OTHER DATA REMAINS AS PUBLISHED. 2509151540-2709151540EST
END PART 1 OF 3
!FDC 5/3809 HWV PART 2 OF 3 ODP BROOKHAVEN, SHIRLEY, NY.
TRAVERSE WAY, TERRAIN BEGINNING 55 FT FROM DER, 287 FT RIGHT OF
CENTERLINE, UP TO 73 FT MSL.
SOLAR PANELS BEGINNING 198 FT FROM DER, 503 FT RIGHT OF CENTERLINE,
UP TO 7 FT AGL/77 FT MSL.
TREE 785 FT FROM DER, 686 FT LEFT OF CENTERLINE, 137 FT MSL.
TREE, POLE BEGINNING 941 FT FROM DER, 425 FT LEFT OF CENTERLINE, UP
TO 67 FT AGL/138 FT MSL.
TREES BEGINNING 1099 FT FROM DER, 600 FT RIGHT OF CENTERLINE, UP TO
135 FT MSL.
TREES BEGINNING 1262 FT FROM DER, 199 FT RIGHT OF CENTERLINE, UP TO
140 FT MSL.
TREES BEGINNING 1314 FT FROM DER, 242 FT LEFT OF CENTERLINE, UP TO
141 FT MSL.
TREES BEGINNING 1655 FT FROM DER, 280 FT RIGHT OF CENTERLINE, UP TO
153 FT MSL.
TREES BEGINNING 1672 FT FROM DER, 635 FT LEFT OF CENTERLINE, UP TO
143 FT MSL.
TREES BEGINNING 1747 FT FROM DER, 215 FT LEFT OF CENTERLINE, UP TO
144 FT MSL.
TREES BEGINNING 1996 FT FROM DER, 165 FT LEFT OF CENTERLINE, UP TO
ALL OTHER DATA REMAINS AS PUBLISHED. 2509151540-2709151540EST
END PART 2 OF 3
!FDC 5/3809 HWV PART 3 OF 3 ODP BROOKHAVEN, SHIRLEY, NY.
145 FT MSL.
TREES BEGINNING 2090 FT FROM DER, 417 FT RIGHT OF CENTERLINE, UP TO
157 FT MSL.
TREE 3036 FT FROM DER, 288 FT LEFT OF CENTERLINE, 77 FT AGL/147 FT
MSL.
ALL OTHER DATA REMAINS AS PUBLISHED. 2509151540-2709151540EST
END PART 3 OF 3
1/3/25
1818Z
!FDC 5/0387 HWV IAP BROOKHAVEN, SHIRLEY, NY.
RNAV (GPS) RWY 15, ORIG-C...
STRAIGHT-IN MINIMUMS NA. CIRCLING RWY 6,15 NA AT NIGHT.
2501031818-2701031817EST
1/3/25
1739Z
!FDC 5/0374 HWV IAP BROOKHAVEN, SHIRLEY, NY.
ILS OR LOC RWY 6, AMDT 2D...
ADD NOTE: AUTOPILOT COUPLED APPROACH NA BELOW 490FT MSL.
2501031739-2701031739EST
No
0700-1900
TOWN OF BROOKHAVEN
135 DAWN DRIVE
SHIRLEY, NY 11967
Phone: 631-451-5300
DAVID MORAN
135 DAWN DRIVE
SHIRLEY, NY 11967
Phone: 631-451-6299
NEW YORK FSS (ISP)
Toll Free: 1-800-WX-BRIEF
HWV
--
ACTVT MALSR RWY 06; REIL RWYS 24, 15, & 33; PAPI RWYS 15 & 33; MIRL RWYS 06/24 & 15/33 - CTAF.
N/A
Yes - Lighted
Yes
Yes
Hanger, Tie-Down
NOT a Landing Rights Airport
NOT an Airport of Entry
Major
Major
None
None
Charter Service
Glider Service
Pilot Instruction
Aircraft Rental
Aircraft Sales
Glider Towing

Runway 06/24

4201 ft. x 100 ft.
ASPH  
Good 
NONE 
MED 
 
32,000lbs 
56,000lbs 
93,000lbs 
-- 
  Runway 06 Runway 24
True Heading 45°225°
Traffic Pattern Left Left
Markings PIR BSC
Markings Condition FAIR FAIR
Latitude 40° 49' 18"N 40° 49' 47"N
Longitude 72° 52' 23"W 72° 51' 44"W
Elevation 70' 81'
Threshold Crossing Height 47 ft. AGL --
Visual Glide Path Angle --
Visual Slope Indicator V4L --
Approach Lights MALSR
Centerline Lights No No
Runway End Identifier Lights No Yes

Runway 15/33

4222 ft. x 150 ft.
ASPH CONC  
Good 
NONE 
MED 
 
52,000lbs 
70,000lbs 
120,000lbs 
-- 
  Runway 15 Runway 33
True Heading 135°315°
Traffic Pattern Left Left
Markings NPI NPI
Markings Condition GOOD GOOD
Latitude 40° 49' 20"N 40° 48' 51"N
Longitude 72° 52' 18"W 72° 51' 39"W
Elevation 69' 60'
Threshold Crossing Height 47 ft. AGL 46 ft. AGL
Visual Glide Path Angle
Visual Slope Indicator P2L P2L
Approach Lights
Centerline Lights No No
Runway End Identifier Lights Yes Yes
A110-1GLIDER OPNS DALGT HOURS.
A110-11OVERNIGHT RAMP PARKING $5.00.
A110-13EXTENSIVE PARACHUTE JUMPING ACTIVITY INVOF ARPT.
A110-14ALL TWY LIGHTS OPR.
A110-16FOR CD CTC NEW YORK APCH AT 516-683-2449 OR 133.2
A110-17TGL ON HOL, WKENDS & NON-DALGT HRS NOT RCMDD.
A110-18RELOCATED THRESHOLD IS TAXIWAY Z1
A110-19DINER/LUNCHEONETTE OPN 7 DAYS/WEEK 0700-1600.
A110-2GLIDERS USE RIGHT TRAFFIC PATTERN FOR RYS 24 & 33; GLIDERS USE LEFT TRAFFIC PATTERN FOR RYS 06 & 15
A110-5UPPER AIR OBSERVATION BALLOONS LAUNCHED 3 MI NORTH OF ARPT 0600 & 1800.
A110-8PILOTS BE AWARE WHEN CONDUCTING PRACTICE ILS APCHS: EXTENSIVE LIGHT ACFT TRAINING ON & INVOF ARPT ALL HRS.
A110-9DEER ALL AREAS OF ARPT ESPECIALLY AT NIGHT.
A16ALTN PHONE 631-451-6291 OR 631-451-6299.
A24LNDG FEES VARY. SEE ARPT WEBSITE FOR MORE INFO.
A81-APTACTVT MALSR RWY 06; REIL RWYS 24, 15, & 33; PAPI RWYS 15 & 33; MIRL RWYS 06/24 & 15/33 - CTAF.
BROOKHAVEN (ICAO: KHWV, IATA: HWV) is a public airport located in SHIRLEY, NY, US.