iFlightPlanner

 

...
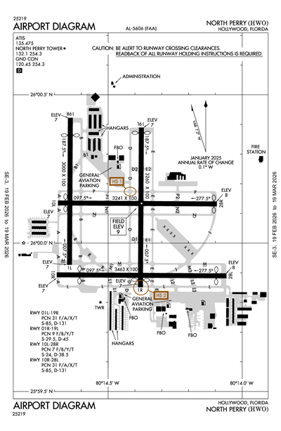
NORTH PERRY - Airport Diagram
LiveATC.net: Live Air Traffic - From Their Headsets to You

KHWO
ICAO KHWOIATA HWOLocal HWO
NORTH PERRY
PublicPUB

5 miles W of HOLLYWOOD, FL, US
LiveATC.net: Live Air Traffic - From Their Headsets to You
Status
Operational
Coordinates
26° 00' 05"N 80° 14' 26"W
Elevation
9' MSL
Pattern Alt
809' MSL
Mag Variation
7°W
Declination
6°W
Fuel
JET A, 100LL
FSS
MIAMI (MIA)
Sectional
MIAMI
ARTCC
MIAMI (ZMA)
Data Effective
2/19/26-3/19/26
KOPF (6nm) VFR
11:53 PM EST  
Clear
10sm
73°F
68°F
30.18"Hg
080° 6kts
AO2 SLP220 T02280200 402890194 PWINO $
METAR KOPF 040453Z AUTO 08006KT 10SM CLR 23/20 A3018 RMK AO2 SLP220 T02280200 402890194 PWINO $

KHWO FBOs

No FBOs (Fixed Base Operators) are listed for this airport.
X

Send Message to Airport Company
Enter your information and message below.

Your Information
 
Processing 

Weather and Advisory

ATIS 135.475
ASOS 135.475
(954) 983-5904

Common

CTAF 132.1
ATC-CTL. WHEN ATCT CLSD ACTVT MIRL RWY 10R/28L, 01L/19R - CTAF.
UNICOM 122.95

Ground

NORTH PERRY GROUND 120.45
0700-2100

Tower

NORTH PERRY TOWER 132.1
0700-2100
NORTH PERRY TOWER 134.3
0700-2100, Secondary

Arrival

DEKAL STAR 126.85
FORTL STAR 133.775
KYAKS STAR 128.6
LUUCE STAR 126.05
9000 FT
LUUCE STAR 133.775
7000 FT
TARPN STAR 124.6
12000 FT
TARPN STAR 126.05
9000 FT
TARPN STAR 133.775
7000 FT
TOREZ STAR 126.85

Approach

MIAMI APPROACH 128.6

Departure

MIAMI DEPARTURE 128.6
MIAMI DP 125.5
GWAVA, KETLL, MAYNR TRANSITIONS
MIAMI DP 126.85
ALTNN,BEECH,BNGOS,DORRL,FLMGO,HURCN,FOLZZ,ZFP

FAA A/FD Pages

Airport Diagrams

Airport Minimums

Departure Procedures

Arrival Procedures

Instrument Approach

Hotspot

Terminal Area Forecast

KOPF (6nm)
Tue, 3/3 9:52 PM EST
Tue, 3/3 10:00 PM EST - Wed, 3/4 7:00 PM EST
VFR
10:00 PM EST - 10:00 AM EST
Showers in vicinity
Scattered 5,000'
Scattered 2,500'
6sm
100° 13kts
VFR
10:00 AM EST - 3:00 PM EST
Scattered 5,000'
Scattered 3,000'
6sm
100° 14kts
Gusts 24kts
MVFR
3:00 PM EST - 7:00 PM EST
Broken 5,000'
Broken 3,000'
6sm
090° 12kts
Gusts 22kts
TAF KOPF 040252Z 0403/0424 10013KT P6SM VCSH SCT025 SCT050
   FM041500 10014G24KT P6SM SCT030 SCT050
   FM042000 09012G22KT P6SM BKN030 BKN050
KHWO
EffectiveExpiresCategoryNOTAM
Domestic
2/13/26
0236Z
2/27/26
2200Z
Runway!HWO 02/008 HWO RWY 01L PAPI U/S 2602130236-2602272200
2/13/26
0235Z
2/27/26
2200Z
Runway!HWO 02/007 HWO RWY 19R PAPI U/S 2602130235-2602272200
2/5/26
1418Z
3/31/26
2359Z
!HWO 02/003 HWO OBST TOWER LGT (ASR 1015978) 260842.00N0802043.00W (10.1NM NNW HWO) 443.9FT (435.0FT AGL) U/S 2602051418-2603312359
1/31/26
1350Z
5/31/26
1350Z
!HWO 01/033 HWO OBST TOWER LGT (ASR 1026553) 255808.00N0801319.00W (2.1NM SSE HWO) 1048.9FT (1041.0FT AGL) U/S 2601311350-2605311350
1/22/26
0409Z
2/27/26
2200Z
Runway!HWO 01/028 HWO RWY 10R PAPI U/S 2601220409-2602272200
1/21/26
0231Z
2/27/26
2100Z
!HWO 01/027 HWO TWY R HLDG PSN SIGN FOR RWY 10R/28L OBSC 2601210231-2602272100
1/21/26
0229Z
2/27/26
2100Z
!HWO 01/026 HWO TWY M HLDG PSN SIGN FOR APCH END RWY 01L LGT U/S 2601210229-2602272100
1/8/26
1551Z
3/31/26
2300Z
!HWO 01/013 HWO TWY L RUNUP PAD FOR RWY 10R EAST 100FT CLSD 2601081551-2603312300
9/13/24
1100Z
Runway!HWO 09/015 HWO RWY 01L/19R CHANGED TO 3000FT X 100FT. DECLARED DIST: RWY 01L TORA 3000FT TODA 3000FT ASDA 3000FT LDA 3000FT. RWY 19R TORA 3000FT TODA 3000FT ASDA 3000FT LDA 2650FT. 2409131100-PERM
FDC
2/25/26
1300Z
3/3/26
1700Z
!FDC 6/9395 HWO SID NORTH PERRY, HOLLYWOOD, FL.
MIAMI TWO DEPARTURE...
ALTNN AND BEECH TRANSITIONS NA EXCEPT FOR ACFT EQUIPPED WITH SUITABLE RNAV SYSTEM WITH GPS,
FLL VOR/DME OUT OF SERVICE. 2602251300-2603031700EST
2/18/26
1457Z
3/25/26
1457Z
!FDC 6/5750 HWO SID NORTH PERRY, HOLLYWOOD, FL.
MIAMI TWO DEPARTURE...
KETLL TRANSITION NA EXCEPT FOR ACFT EQUIPPED WITH SUITABLE RNAV SYSTEM WITH GPS,
VKZ VOR/DME OUT OF SERVICE. 2602181457-2603251457EST
1/13/26
1647Z
!FDC 6/2792 HWO ODP NORTH PERRY, HOLLYWOOD, FL.
TAKEOFF MINIMUMS AND (OBSTACLE) DEPARTURE PROCEDURES AMDT 5A...
ADD TAKEOFF OBSTACLE NOTES: RWY 28R, TEMPORARY CRANE 5762FT FROM DER, 22FT LEFT OF CENTERLINE, 150FT AGL/ 157FT MSL (2024-ASO-24170-OE). TEMPORARY CRANE 5772FT FROM DER, 258FT RIGHT OF CENTERLINE, 150FT AGL/ 157FT MSL (2024-ASO-24168-OE). ALL OTHER DATA REMAINS AS PUBLISHED. 2601131647-2606301647EST
3/19/24
2045Z
!FDC 4/8814 HWO ODP NORTH PERRY, HOLLYWOOD, FL.
TAKEOFF MINIMUMS AND (OBSTACLE) DEPARTURE PROCEDURES AMDT 5B...
TAKEOFF MINIMUMS: RWY 10L/10R: STANDARD WITH A MINIMUM CLIMB OF 500FT PER NM TO 1400 OR 1400-3 FOR CLIMB IN VISUAL CONDITIONS. TEXTUAL DEPARTURE PROCEDURE: RWY 10L/10R: CLIMBING HEADING 096.34 TO 1400 BEFORE TURNING RIGHT. VISUAL CLIMB OVER AIRPORT: RWY 10L/10R: OBTAIN ATC APPROVAL FOR VCOA WHEN REQUESTING IFR CLEARANCE. CLIMB IN VISUAL CONDITIONS TO CROSS NORTH PERRY AIRPORT AT OR ABOVE 1400 BEFORE PROCEEDING ON COURSE. ALL OTHER DATA REMAINS AS PUBLISHED. 2403192045-2603192045EST
Yes
0700-2100
BROWARD COUNTY
320 TERMINAL DR SUITE 200
FT LAUDERDALE, FL 33315
Phone: 954-359-6100
NINA MACPHERSON
101 SOUTHWEST 77TH WAY
PEMBROKE PINES, FL 33023
Phone: 954-359-1016
MIAMI FSS (MIA)
Toll Free: 1-800-WX-BRIEF
HWO
--
ATC-CTL. WHEN ATCT CLSD ACTVT MIRL RWY 10R/28L, 01L/19R - CTAF.
N/A
Yes - Lighted
Yes
No
Hanger, Tie-Down
NOT a Landing Rights Airport
NOT an Airport of Entry
Major
Major
None
None
Avionics
Charter Service
Pilot Instruction
Aircraft Rental
Aircraft Sales

Runway 01L/19R

3000 ft. x 100 ft.
ASPH  
Good 
NONE 
MED 
31/F/A/X/T 
85,000lbs 
131,000lbs 
-- 
-- 
  Runway 01L Runway 19R
True Heading 180°
Traffic Pattern Left Right
Markings BSC BSC
Markings Condition GOOD GOOD
Latitude 25° 59' 56"N 26° 00' 25"N
Longitude 80° 14' 39"W 80° 14' 38"W
Elevation 7' 7'
Threshold Crossing Height 40 ft. AGL 24 ft. AGL
Visual Glide Path Angle 3.5° 3.5°
Visual Slope Indicator P2L P2L
Approach Lights
Centerline Lights No No
Runway End Identifier Lights Yes Yes

Runway 01R/19L

3260 ft. x 100 ft.
ASPH  
Good 
NONE 
 
9/F/B/Y/T 
30,000lbs 
45,000lbs 
-- 
-- 
  Runway 01R Runway 19L
True Heading 180°
Traffic Pattern Right Left
Markings BSC BSC
Markings Condition FAIR FAIR
Latitude 25° 59' 51"N 26° 00' 23"N
Longitude 80° 14' 23"W 80° 14' 23"W
Elevation 7' 7'
Threshold Crossing Height 40 ft. AGL 33 ft. AGL
Visual Glide Path Angle 3.5° 3.5°
Visual Slope Indicator P2L P2L
Approach Lights
Centerline Lights No No
Runway End Identifier Lights No No

Runway 10L/28R

3241 ft. x 100 ft.
ASPH  
Good 
NONE 
 
7/F/B/Y/T 
24,000lbs 
38,000lbs 
-- 
-- 
  Runway 10L Runway 28R
True Heading 90°270°
Traffic Pattern Left Right
Markings BSC NPI
Markings Condition GOOD GOOD
Latitude 26° 00' 08"N 26° 00' 08"N
Longitude 80° 14' 41"W 80° 14' 06"W
Elevation 7' 8'
Threshold Crossing Height 40 ft. AGL 39 ft. AGL
Visual Glide Path Angle 3.5° 3.5°
Visual Slope Indicator P2L P2L
Approach Lights
Centerline Lights No No
Runway End Identifier Lights No No

Runway 10R/28L

3463 ft. x 100 ft.
ASPH  
Fair 
NONE 
MED 
31/F/A/X/T 
85,000lbs 
131,000lbs 
-- 
-- 
  Runway 10R Runway 28L
True Heading 90°270°
Traffic Pattern Right Left
Markings NPI BSC
Markings Condition GOOD GOOD
Latitude 25° 59' 54"N 25° 59' 53"N
Longitude 80° 14' 41"W 80° 14' 04"W
Elevation 7' 8'
Threshold Crossing Height 45 ft. AGL 24 ft. AGL
Visual Glide Path Angle 3.5° 3.5°
Visual Slope Indicator P4L P2L
Approach Lights
Centerline Lights No No
Runway End Identifier Lights Yes Yes
A11CONTACT PERSON: MARK GALE A.A.E. 954-359-6100
A110-1ARPT CLSD TO ACFT OVER 12500 LBS MAX CERTD TOG.
A110-2NUMEROUS TALL TOWERS SE OF ARPT CAUSE RADIO INTFC.
A110-4HIGH VOL OF BANNER TOWING AND STUDENT FLT INVOF ARPT.
A110-5BIRD ACTIVITY ON & INVOF AIRPORT.
A110-6RWY CONDITION NOT MONITORED WHEN TOWER CLOSED.
A110-724 HR PPR FOR ACFT EQUIPPED WITH WEATHER MODIFICATION OR GEOENGINEERING EQPT 954-336-2973.
A57-01RRWY 01R APCH SLOPE 25:1 TO THE DSPLCD THR.
A57-10LRWY 10L APCH SLOPE 24:1 TO THE DSPLCD THR.
A57-10RRY 10R APCH SLOPE 32:1 TO THE DSPLCD THLD.
A57-19RRWY 19R APCH SLOPE 32:1 TO THE DSPLCD THR.
A57-28LRWY 28L APCH SLOPE 26:1 TO THE DSPLCD THR.
A57-28RRWY 28R APCH SLOPE 31:1 TO THE DSPLCD THR.
A81-APTATC-CTL. WHEN ATCT CLSD ACTVT MIRL RWY 10R/28L, 01L/19R - CTAF.
E111VFR OPERS ONLY
NORTH PERRY (ICAO: KHWO, IATA: HWO) is a public airport located in HOLLYWOOD, FL, US.