iFlightPlanner

 

...
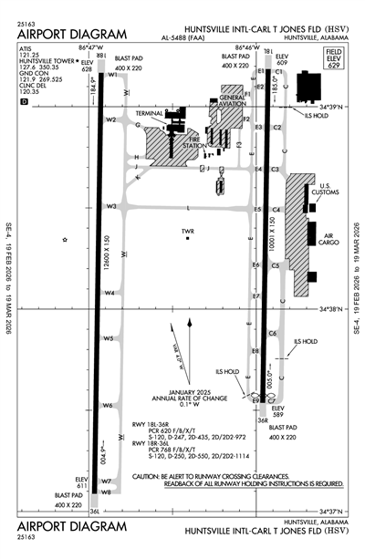
HUNTSVILLE INTL-CARL T JONES FLD - Airport Diagram
LiveATC.net: Live Air Traffic - From Their Headsets to You

KHSV
ICAO KHSVIATA HSVLocal HSV
HUNTSVILLE INTL-CARL T JONES FLD
PublicPUB

9 miles SW of HUNTSVILLE, AL, US
LiveATC.net: Live Air Traffic - From Their Headsets to You
Status
Operational
Coordinates
34° 38' 14"N 86° 46' 30"W
Elevation
629' MSL
Pattern Alt
1629' MSL
Mag Variation
4°W
Declination
4°W
Fuel
JET A, 100LL
FSS
ANNISTON (ANB)
Sectional
ATLANTA
ARTCC
MEMPHIS (ZME)
Data Effective
2/19/26-3/19/26
KHSV VFR
10:53 PM CST  
Few 25,000'
8sm
60°F
55°F
30.20"Hg
180° 7kts
AO2 SLP223 T01560128 $
METAR KHSV 040453Z 18007KT 8SM FEW250 16/13 A3020 RMK AO2 SLP223 T01560128 $

KHSV FBOs

No FBOs (Fixed Base Operators) are listed for this airport.
X

Send Message to Airport Company
Enter your information and message below.

Your Information
 
Processing 

Weather and Advisory

ATIS 121.25
ASOS 121.25
(256) 207-5925

Common

CTAF 127.6
CTC HSV ARFF ON CTAF OR PHONE 256-461-1115 FOR EMERG WHEN ATCT CLSD.; ACTVT MALSR RWY 18L, 36L & 36R; HIRL RWY 18L/36R & 18R/36L - CTAF. RWY 18R ALSF ON STEP 2 WHEN ATCT CLSD.
UNICOM 122.95

Clearance

Clearance Delivery 120.35

Ground

HUNTSVILLE GROUND 121.9
0600-0000

Tower

HUNTSVILLE TOWER 127.6
0600-0000

Approach

HUNTSVILLE APPROACH 118.05
185-004
HUNTSVILLE APPROACH 125.6
Initial Contact - 005-184
HUNTSVILLE APPROACH 118.75
Secondary

Departure

HUNTSVILLE DEPARTURE 118.05
185-004
HUNTSVILLE DEPARTURE 125.6
Initial Contact - 005-184

Center

HUNTSVILLE CENTER 120.8
LOW, APCH/DEP SVC PRVDD BY MEMPHIS ARTCC ON FREQS 120.8/307.0 (HUNTSVILLE RCAG) WHEN HUNTSVILLE APCH CTL CLSD.

Flight Service

Flight Service 122.2
(ANB)

Emergency

Emergency 121.5

Other

CLASS C 118.05
185-004
CLASS C 125.6
005-184

Terminal Area Forecast

KHSV
Tue, 3/3 5:30 PM CST
Tue, 3/3 6:00 PM CST - Wed, 3/4 6:00 PM CST
VFR
6:00 PM CST - 8:00 PM CST
Broken 25,000'
Scattered 4,000'
6sm
170° 7kts
VFR
8:00 PM CST - 7:00 AM CST
Broken 25,000'
Scattered 3,500'
6sm
150° 6kts
MVFR
7:00 AM CST - 11:00 AM CST
Broken 2,000'
6sm
150° 6kts
VFR
11:00 AM CST - 6:00 PM CST
Broken 25,000'
Broken 5,000'
6sm
190° 10kts
TAF KHSV 032330Z 0400/0424 17007KT P6SM SCT040 BKN250
   FM040200 15006KT P6SM SCT035 BKN250
   FM041300 15006KT P6SM BKN020
   FM041700 19010KT P6SM BKN050 BKN250
KHSV
EffectiveExpiresCategoryNOTAM
Domestic
2/25/26
1330Z
2/25/26
2130Z
!HSV 02/040 HSV NAV ILS RWY 36L U/S 2602251330-2602252130
2/25/26
0500Z
2/25/26
0800Z
Runway!HSV 02/041 HSV RWY 18R/36L WIP INSPECTION 2602250500-2602250800
2/11/26
0645Z
5/12/26
0500Z
!HSV 02/014 HSV OBST TOWER LGT (ASR 1039310) 344609.00N0864916.00W (8.2NM NNW HSV) 982.0FT (265.1FT AGL) U/S 2602110645-2605120500
1/30/26
1807Z
3/1/26
0559Z
!HSV 01/132 HSV AIRSPACE UAS WI AN AREA DEFINED AS 1.5NM RADIUS OF 343757N0864755W (.8NM S HSV) SFC-400FT AGL 2601301807-2603010559
1/29/26
1329Z
5/1/26
2100Z
Runway!HSV 01/130 HSV RWY 18L PAPI U/S 2601291329-2605012100
1/29/26
1329Z
5/1/26
2100Z
!HSV 01/129 HSV NAV ILS RWY 36R U/S 2601291329-2605012100
1/29/26
1328Z
5/1/26
2100Z
!HSV 01/128 HSV NAV ILS RWY 18L U/S 2601291328-2605012100
1/29/26
1328Z
5/1/26
2100Z
Runway!HSV 01/127 HSV RWY 36R PAPI U/S 2601291328-2605012100
1/29/26
1327Z
5/1/26
2100Z
Runway!HSV 01/126 HSV RWY 18L ALS U/S 2601291327-2605012100
1/29/26
1327Z
5/1/26
2100Z
Runway!HSV 01/125 HSV RWY 36R ALS U/S 2601291327-2605012100
1/28/26
1507Z
2/27/26
2100Z
!HSV 01/124 HSV APRON GA APN WIP CONST ADJ E EDGE LGTD AND BARRICADED 2601281507-2602272100
1/28/26
1507Z
2/27/26
2100Z
!HSV 01/123 HSV APRON GA APN SE 200FT CLSD 2601281507-2602272100
1/28/26
1506Z
2/27/26
2100Z
!HSV 01/122 HSV TWY E CL MARKINGS BTN TWY E4 AND TWY J REMOVED 2601281506-2602272100
1/28/26
1506Z
2/27/26
2100Z
!HSV 01/121 HSV TWY F1 SFC MARKINGS NOT STD 2601281506-2602272100
1/28/26
1506Z
2/27/26
2100Z
!HSV 01/120 HSV TWY E CL MARKINGS BTN TWY F1 AND TWY J NOT STD 2601281506-2602272100
1/20/26
1324Z
4/2/26
2300Z
Runway!HSV 01/037 HSV RWY 18R/36L LEAD ON/OFF CL MARKINGS AT TWY W2, W6 OBSC 2601201324-2604022300
1/17/26
2020Z
3/3/26
2019Z
!HSV 01/036 HSV OBST TOWER LGT (ASR 1213056) 344216.10N0864103.60W (6.1NM NE HSV) 824.8FT (148.0FT AGL) U/S 2601172020-2603032019
1/6/26
1557Z
3/13/26
2000Z
!HSV 01/020 HSV TWY C1, C2, C3, C4, C6, C7, E1, E2, E3, E4, E5, E7, E8, E9, F2, F3 CLSD 2601061557-2603132000
1/6/26
1550Z
3/31/26
2100Z
!HSV 01/019 HSV TWY E BTN TWY E1 AND TWY F1 CLSD 2601061550-2603312100
1/2/26
1807Z
4/2/26
2300Z
Runway!HSV 01/007 HSV RWY 18R/36L CL MARKINGS OBSC 2601021807-2604022300
12/29/25
1446Z
3/13/26
2000Z
!HSV 12/045 HSV TWY C BTN TWY C5 AND TWY C7 CLSD 2512291446-2603132000
12/29/25
1445Z
3/13/26
2000Z
!HSV 12/044 HSV TWY E BTN TWY E6 AND TWY E9 CLSD 2512291445-2603132000
12/29/25
1445Z
3/13/26
2000Z
!HSV 12/043 HSV TWY C5 SFC MARKINGS NOT STD 2512291445-2603132000
12/29/25
1444Z
3/13/26
2000Z
!HSV 12/041 HSV TWY C BTN TWY C1 AND AIR CARGO APN CLSD 2512291444-2603132000
12/29/25
1443Z
3/13/26
2000Z
Runway!HSV 12/040 HSV RWY 18L/36R CLSD 2512291443-2603132000
11/21/25
1200Z
9/16/26
2000Z
!HSV 11/030 HSV TWY E BTN TWY L AND TWY E7 WIP DIRT WORK WEST SIDE 2511211200-2609162000
9/30/25
1530Z
9/30/26
2000Z
!HSV 09/089 HSV TWY L WIP CONST NORTH SIDE EAST OF FUEL FARM 2509301530-2609302000
6/10/25
1827Z
!HSV 06/027 HSV OBST CRANE (ASN UNKNOWN) 343419N0864606W (3.25NM S APCH END RWY 36R)
UNKNOWN (220FT AGL) NOT LGTD 2506101827-2612312200EST
FDC
2/19/25
0732Z
!FDC 5/4144 HSV IAP HUNTSVILLE INTL-CARL T JONES FLD, HUNTSVILLE, AL.
ILS OR LOC RWY 36L, AMDT 12...
DISREGARD NOTE: DME FROM RQZ VORTAC.
DISREGARD NOTE: DME USE REQUIRES SIMULTANEOUS RECEPTION OF I-ELL DME AND RQZ DME.
2502190732-2702190732EST
Yes
ALL
HUNTSVILLE MADISON COUNTY
1000 GLENN HEARN BLVD,
HUNTSVILLE, AL 35824
Phone: 256-772-9395
BUTCH ROBERTS
1000 GLENN HEARN BLVD, BOX 20008
HUNTSVILLE, AL 35824
Phone: 256-258-1958
ANNISTON FSS (ANB)
Toll Free: 1-800-WX-BRIEF
HSV
--
ACTVT MALSR RWY 18L, 36L & 36R; HIRL RWY 18L/36R & 18R/36L - CTAF. RWY 18R ALSF ON STEP 2 WHEN ATCT CLSD.
N/A
Yes - Lighted
Yes
No
Hanger, Tie-Down
Landing Rights Airport
NOT an Airport of Entry
Major
Major
High & Low Pressure
High & Low Pressure
Air Freight
Avionics
Cargo Handling
Charter Service
Pilot Instruction
Aircraft Rental
Annual Surveying

Runway 18L/36R

10001 ft. x 150 ft.
ASPH  
Excellent 
GRVD 
HIGH 
 
120,000lbs 
247,000lbs 
435,000lbs 
972,000lbs 
  Runway 18L Runway 36R
True Heading 181°
Traffic Pattern Left Right
Markings PIR PIR
Markings Condition GOOD GOOD
Latitude 34° 39' 11"N 34° 37' 32"N
Longitude 86° 45' 56"W 86° 45' 58"W
Elevation 609' 589'
Threshold Crossing Height 73 ft. AGL 72 ft. AGL
Visual Glide Path Angle
Visual Slope Indicator P4R P4R
Approach Lights MALSR MALSR
Centerline Lights
Runway End Identifier Lights No No

Runway 18R/36L

12600 ft. x 150 ft.
ASPH CONC  
Excellent 
GRVD 
HIGH 
 
120,000lbs 
250,000lbs 
550,000lbs 
1,114,000lbs 
  Runway 18R Runway 36L
True Heading 181°
Traffic Pattern Right Left
Markings PIR PIR
Markings Condition GOOD GOOD
Latitude 34° 39' 10"N 34° 37' 05"N
Longitude 86° 46' 56"W 86° 46' 58"W
Elevation 628' 611'
Threshold Crossing Height -- --
Visual Glide Path Angle -- --
Visual Slope Indicator -- --
Approach Lights ALSF2 MALSR
Centerline Lights Yes Yes
Runway End Identifier Lights No No
A11AIRPORT AUTHORITY
A110-10LINE UP AND WAIT NA.
A110-13FOR CD WHEN TWR CLSD, IF UNA TO CTC ON FSS FREQ, CTC MEMPHIS ARTCC AT 901-368-8453/8449.
A110-14FLT NOTIFICATION SVC (ADCUS) AVBL.
A110-5INTXN OF TWY J AND SERVICE RD IS UNCONTROLLED.
A26-CCTC HSV ARFF ON CTAF OR PHONE 256-461-1115 FOR EMERG WHEN ATCT CLSD.
A39-18L/36RPCR VALUE: 620/F/B/X/T
A39-18R/36LPCR VALUE: 768/F/B/X/T
A57-36ROBSTN CLNC SLOPE 50:1 AT DSPLCD THR.
A81-APTACTVT MALSR RWY 18L, 36L & 36R; HIRL RWY 18L/36R & 18R/36L - CTAF. RWY 18R ALSF ON STEP 2 WHEN ATCT CLSD.
HUNTSVILLE INTL-CARL T JONES FLD (ICAO: KHSV, IATA: HSV) is a public airport located in HUNTSVILLE, AL, US.