iFlightPlanner
»
Sign In
X
Home
Features
Join
Resources
A/FD - Airport/Facility Directory
Aviation Charts & Wx on Google Maps
Flight Instructor Directory
METAR & TAF Translator
Coded Departure Route Lookup
Preferred Route Lookup
Data Services
Aviation Chart Map Tile Service
Business & Fuel Price Data
Blog
Contact Us
KHMT
HEMET-RYAN
Public
PUB
3 miles SW of HEMET, CA
View on
Map
Status
Operational
Coordinates
33° 44' 02"N
117° 01' 20"W
Elevation
1515' MSL
Pattern Alt
2515' MSL
Mag Variation
13E
Fuel
JET A, 100LL
FSS
RIVERSIDE (RAL)
Sectional
LOS ANGELES
ARTCC
LOS ANGELES (ZLA)
Data Effective
4/17/25-5/15/25
KHMT
VFR
3:55 AM PDT
RAW
Clear
Viz
10sm
Temp
55°F
Dew
48°F
Pres
29.87"Hg
Wind
180° 7kts
RMK
AO2
METAR KHMT 141055Z AUTO 18007KT 10SM CLR 13/09 A2987 RMK AO2
Services
Frequencies & Documents
Freqs & Docs
TAF
NOTAM
Operations
Runways
Remarks
Add Your Business
KHMT FBOs
No FBOs (Fixed Base Operators) are listed for this airport.
X
Send Message to Airport Company
Enter your information and message below.
Your Information
Business
x
UNICOM
123.0
CTAF
123.0
AWOS-3PT
AWOS-3PT
951-925-6886
118.375
FAA A/FD Pages
FAA A/FD Page
Airport Diagrams
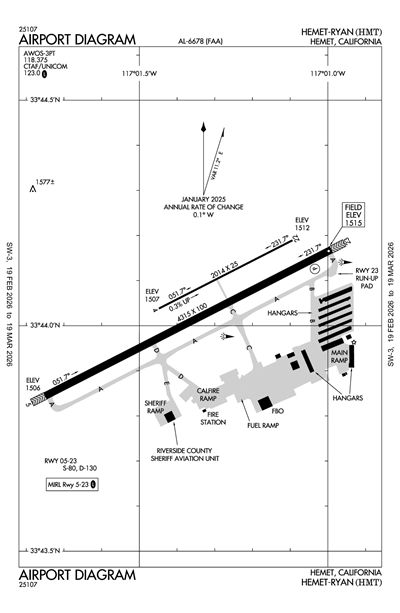
AIRPORT DIAGRAM
Airport Minimums
ALTERNATE MINIMUMS
TAKEOFF MINIMUMS
Departure Procedures
No Documents
Hotspot
No Documents
Standard Term. Arrival
No Documents
Instrument Approach
RNAV (GPS) RWY 05
Terminal Area Forecast
KRIV (14nm)
RAW
Reported
Tue, 10/14 12:30 AM PDT
Valid
Tue, 10/14 12:00 AM PDT - Wed, 10/15 3:00 AM PDT
MVFR
Becoming
3:00 AM PDT - 4:00 AM PDT
Showers in vicinity
Overcast 2,000'
Broken 1,500'
Viz
6sm
Pres
29.82"Hg
Wind
150° 10kts
Gusts 15kts
Turbulence
Light Turbulence: up to 9,000'
VFR
12:00 AM PDT - 3:00 AM PDT
Broken 4,000'
Scattered 2,500'
Viz
6sm
Pres
29.82"Hg
Wind
150° 10kts
Gusts 15kts
Turbulence
Light Turbulence: up to 9,000'
VFR
Temporary
9:00 AM PDT - 1:00 PM PDT
No Clouds
Viz
N/A
Wind
150° 15kts
Gusts 25kts
IFR
Becoming
8:00 AM PDT - 2:00 PM PDT
Light Rain and Mist
Overcast 2,500'
Broken 800'
Viz
4.97sm
Pres
29.85"Hg
Wind
150° 12kts
Gusts 20kts
Turbulence
Light Turbulence: up to 1,000'
Moderate, In Cloud, Occasional: 1,000 - 10,000'
MVFR
Becoming
11:00 PM PDT - 3:00 AM PDT
Overcast 2,000'
Broken 1,500'
Viz
6sm
Pres
30.00"Hg
Wind
VRB° 4kts
MVFR
Becoming
6:00 PM PDT - 11:00 PM PDT
Overcast 2,500'
Scattered 1,800'
Viz
6sm
Pres
29.94"Hg
Wind
150° 6kts
MVFR
Becoming
4:00 PM PDT - 6:00 PM PDT
Showers in vicinity
Overcast 2,500'
Broken 1,500'
Few 1,000'
Viz
6sm
Pres
29.91"Hg
Wind
210° 9kts
Turbulence
Light Turbulence: 1,000 - 4,000'
Moderate, In Cloud, Occasional: 4,000 - 10,000'
IFR
Becoming
2:00 PM PDT - 4:00 PM PDT
Light Rain and Mist
Overcast 1,200'
Broken 500'
Viz
2.98sm
Pres
29.88"Hg
Wind
240° 9kts
Turbulence
Moderate, In Cloud, Occasional: 1,000 - 10,000'
Light Turbulence: 4,000 - 1,000'
MVFR
Becoming
4:00 AM PDT - 8:00 AM PDT
Light Rain and Mist
Broken 2,500'
Broken 1,200'
Scattered 800'
Viz
5.59sm
Pres
29.85"Hg
Wind
150° 12kts
Gusts 18kts
Turbulence
Light Turbulence: 1,000 - 9,000'
TAF AMD KRIV 140730Z 1407/1510 15010G15KT 9999 SCT025 BKN040 510009 QNH2982INS
BECMG 1410/1411 15010G15KT 9999 VCSH BKN015 OVC020 510009 QNH2983INS
BECMG 1411/1412 15012G18KT 9000 -RA BR SCT008 BKN012 BKN025 620804 510009 QNH2984INS
BECMG 1415/1416 15012G20KT 8000 -RA BR BKN008 OVC025 620806 510001 540109 QNH2985INS WND 110V210
TEMPO 1416/1420 15015G25KT
BECMG 1421/1422 24009KT 4800 -RA BR BKN005 OVC012 620804 510001 540109 QNH2989INS WND 200V300
BECMG 1423/1424 21009KT 9999 VCSH FEW010 BKN015 O
KHMT
Effective
Expires
Category
NOTAM
Domestic
8/27/25
2322Z
11/27/25
2359Z
!RAL 08/125 HMT OBST TOWER LGT (ASN 2010-AWP-5773-OE) 334947N1165713W (6.6NM NNE HMT) 3876FT (161FT AGL) U/S 2508272322-2511272359
FDC
5/28/25
1442Z
1/7/26
1442Z
!FDC 5/5864 HMT ODP HEMET-RYAN, HEMET, CA.
TAKEOFF MINIMUMS AND (OBSTACLE) DEPARTURE PROCEDURES AMDT 3...
DEPARTURE PROCEDURE NA EXCEPT FOR ACFT EQUIPPED WITH SUITABLE RNAV SYSTEM WITH GPS,
HDF VOR
OUT OF SERVICE
. 2505281442-2601071442EST
11/14/23
1424Z
!FDC 3/0716 HMT ODP HEMET-RYAN, HEMET, CA.
TAKEOFF MINIMUMS AND (OBSTACLE) DEPARTURE PROCEDURES AMDT 3...
TEXTUAL DEPARTURE PROCEDURE RWYS 4, 22 NA.
2311141424-2511141423EST
ATC Tower
No
Attendance
DALGT
Owner
COUNTY OF RIVERSIDE
4080 LEMON STREET, 14TH FLOOR
RIVERSIDE, CA 92501
Phone: 951-955-9722
Manager
ANGELA JAMISON
4080 LEMON STREET, 14TH FLOOR
RIVERSIDE, CA 92501
Phone: 951-955-9418
FSS
RIVERSIDE FSS (RAL)
Toll Free: 1-800-WX-BRIEF
NOTAM
RAL
Light Schedule
--
Lights
ACTVT MIRL RY 05/23 & TWY LGTS - CTAF.
Beacon
N/A
Wind Indicator
Yes - Lighted
Segmented Cir.
Yes
Landing Fee
No
Parking
Tie-Down
Int'l Operations
NOT a Landing Rights Airport
NOT an Airport of Entry
Airframe Repair
Major
Pwrplant Repair
Major
Bottled Oxygen
None
Bulk Oxygen
None
Other Services
Air Ambulance
Glider Service
Pilot Instruction
Aircraft Rental
Glider Towing
Runway 04/22
Dimensions
2014 ft. x 25 ft.
Surface Type
ASPH
Surface Cond
Fair
Treatment
NONE
Rwy Edge Lgts
Pavement Class
Single Wheel
--
Double Wheel
--
Double Tandem
--
Dual Dbl Tand
--
Runway 04
Runway 22
True Heading
63°
243°
Traffic Pattern
Left
Right
Markings
BSC
BSC
Markings Condition
FAIR
GOOD
Latitude
33° 44' 02"N
33° 44' 11"N
Longitude
117° 01' 27"W
117° 01' 06"W
Elevation
1,507'
1,512'
Threshold Crossing Height
--
--
Visual Glide Path Angle
--
--
Visual Slope Indicator
--
--
Approach Lights
Centerline Lights
No
No
Runway End Identifier Lights
No
No
Runway 05/23
Dimensions
4315 ft. x 100 ft.
Surface Type
ASPH
Surface Cond
Good
Treatment
NONE
Rwy Edge Lgts
MED
Pavement Class
Single Wheel
80,000lbs
Double Wheel
130,000lbs
Double Tandem
--
Dual Dbl Tand
--
Runway 05
Runway 23
True Heading
63°
243°
Traffic Pattern
Right
Left
Markings
NPI
BSC
Markings Condition
GOOD
GOOD
Latitude
33° 43' 51"N
33° 44' 10"N
Longitude
117° 01' 45"W
117° 00' 59"W
Elevation
1,506'
1,515'
Threshold Crossing Height
--
26 ft. AGL
Visual Glide Path Angle
--
3°
Visual Slope Indicator
--
P2L
Approach Lights
Centerline Lights
No
No
Runway End Identifier Lights
No
No
A110-1
AIR TANKER ACTIVITY MAY-NOV; FOREST SVC FIRE FIGHTING ACFT FREQUENTLY FLY THE CONVENTIONAL RECTANGULAR PAT WITH FOUR 90 DEG CLEARING TURNS ENTERING THE DOWN WIND LEG ABEAM MIDPOINT OF RY.
A110-2
WATCH FOR USFS FIRE FIGHTING ACFT.
A110-3
GLIDER, ULTRALIGHT ACT NORTH SIDE OF ARPT.
A110-4
FOR CD CTC SOCAL APCH AT 800-448-3724.
HEMET-RYAN (ICAO: KHMT, IATA: HMT) is a public airport located in HEMET, CA.
© iFlightPlanner | Web, iPad, & iPhone Flight Planning
|
Site Map
|
Privacy Policy