iFlightPlanner

 

...
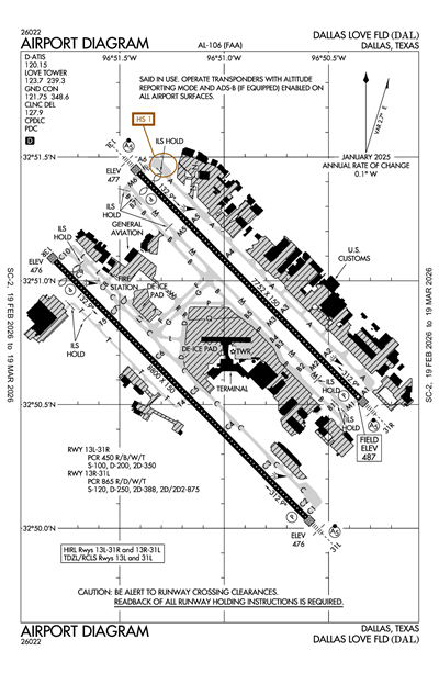
DALLAS LOVE FLD - Airport Diagram
LiveATC.net: Live Air Traffic - From Their Headsets to You

KDAL
ICAO KDALIATA DALLocal DAL
DALLAS LOVE FLD
PublicPUB

5 miles NW of DALLAS, TX, US
LiveATC.net: Live Air Traffic - From Their Headsets to You
Status
Operational
Coordinates
32° 50' 45"N 96° 51' 03"W
Elevation
487' MSL
Pattern Alt
1487' MSL
Mag Variation
3°E
Declination
3°E
Fuel
JET A, 100LL
FSS
FORT WORTH (FTW)
Sectional
DALLAS-FT WORTH
ARTCC
FORT WORTH (ZFW)
Data Effective
2/19/26-3/19/26
KDAL VFR
7:53 PM CST  
Broken 25,000'
10sm
80°F
58°F
29.94"Hg
160° 8kts
AO2 SLP133 T02670144
METAR KDAL 040153Z 16008KT 10SM BKN250 27/14 A2994 RMK AO2 SLP133 T02670144

KDAL FBOs

No FBOs (Fixed Base Operators) are listed for this airport.
X

Send Message to Airport Company
Enter your information and message below.

Your Information
 
Processing 

Weather and Advisory

Digital ATIS 120.15
(214) 358-5355
ASOS (214) 353-1551

Clearance

Clearance Delivery 127.9

Ground

LOVE GROUND 121.75

Tower

LOVE TOWER 123.7
LOVE TOWER 118.7
Secondary

Arrival

DRYYE STAR 135.975
FINGR STAR 124.3
FINGR STAR 125.275
HERBZ STAR 118.1
HIBIL STAR 124.3
MNNDO STAR 125.025
MNNDO STAR 125.2
YEAGR STAR 125.2

Approach

LONE STAR APPROACH 124.3
NORTH
LONE STAR APPROACH 125.2
SOUTH

Departure

BACHMAN DP 118.55
BOTCH DP 124.3
RY 31L/R PROPS
BOTCH DP 125.2
RY 13L/R PROPS
COYOTE DP 124.3
RWY 31L/R
COYOTE DP 125.2
RWY 13L/R
CURLO RNAV DP 125.125
DALLAS AREA DP 118.55
ESNYE DP 118.55
GARLAND DP 118.55
JOE POOL DP 118.55
RWY 31L, 31R
JOE POOL DP 125.125
RWY 13L, 13R
KINGDOM DP 124.3
RWY 31L, 31R
KINGDOM DP 125.2
RWY 13L, 13R
KKITY RNAV DP 125.125
KRUMM DP 118.55
KUSSO DP 124.3
RWY 31L, 31R
KUSSO DP 125.2
RWY 13L, 13R
LNDRE RNAV DP 118.55
LONE STAR DEPARTURE 118.55
EAST
LONE STAR DEPARTURE 118.55
TURBOJETS
LONE STAR DEPARTURE 124.3
NORTH PROPS
LONE STAR DEPARTURE 125.125
SOUTH
LONE STAR DEPARTURE 125.125
TURBOJETS
LONE STAR DEPARTURE 125.2
SOUTH PROPS
LOVE DP 118.55
RAMBL DP 126.475
SWTSR RNAV DP 118.55
TEXOMA DP 118.55
TRI-GATE DP 125.2
SOUTH
VENUS DP 125.125
WORTH DP 118.55
RWY 31L, 31R
WORTH DP 125.125
RWY 13L, 13R

Flight Service

Flight Service 122.3
(FTW)

Emergency

Emergency 121.5

Other

CLASS B 124.3
340-090
CLASS B 125.2
091-180

Terminal Area Forecast

KDAL
Tue, 3/3 5:35 PM CST
Tue, 3/3 6:00 PM CST - Wed, 3/4 6:00 PM CST
VFR
6:00 PM CST - 7:00 PM CST
Few 5,000'
6sm
180° 15kts
Gusts 25kts
VFR
7:00 PM CST - 3:00 AM CST
Scattered 25,000'
6sm
170° 12kts
MVFR
3:00 AM CST - 1:00 PM CST
Overcast 1,800'
6sm
180° 15kts
VFR
1:00 PM CST - 5:00 PM CST
Showers in vicinity
Broken 25,000'
Scattered 2,500'
6sm
190° 14kts
VFR
5:00 PM CST - 6:00 PM CST
Thunderstorm in vicinity
Broken 5,000'
6sm
200° 12kts
TAF KDAL 032335Z 0400/0424 18015G25KT P6SM FEW050
   FM040100 17012KT P6SM SCT250
   FM040900 18015KT P6SM OVC018
   FM041900 19014KT P6SM VCSH SCT025 BKN250
   FM042300 20012KT P6SM VCTS BKN050CB
KDAL
EffectiveExpiresCategoryNOTAM
Domestic
2/25/26
0527Z
2/25/26
1200Z
!DAL 02/086 DAL TWY A4 CLSD 2602250527-2602251200
2/25/26
0300Z
2/25/26
1200Z
!DAL 02/081 DAL NAV ILS RWY 31R U/S 2602250300-2602251200
2/25/26
0300Z
2/25/26
1200Z
!DAL 02/080 DAL NAV ILS RWY 13L U/S 2602250300-2602251200
2/25/26
0259Z
2/25/26
1200Z
!DAL 02/084 DAL TWY A1 CLSD 2602250259-2602251200
2/25/26
0258Z
2/25/26
1200Z
!DAL 02/083 DAL TWY A5 CLSD 2602250258-2602251200
2/25/26
0258Z
2/25/26
1200Z
Runway!DAL 02/082 DAL RWY 13L/31R CLSD 2602250258-2602251200
2/20/26
1657Z
3/13/26
2359Z
!DAL 02/069 DAL TWY A6 CL MARKINGS NOT STD 2602201657-2603132359
2/20/26
1503Z
!DAL 02/068 DAL TWY C BTN TWY C9 AND TWY C10 CLSD 2602201503-2604302200EST
2/20/26
1503Z
!DAL 02/067 DAL TWY L BTN NORTH LAKE RAMP AND TWY C10 CLSD 2602201503-2604302200EST
2/20/26
1502Z
!DAL 02/066 DAL TWY C10 CLSD 2602201502-2604302200EST
2/19/26
1148Z
Runway!DAL 02/060 DAL RWY 31R 1000FT DIST REMAINING SIGN LGT U/S 2602191148-2602261200EST
2/6/26
2052Z
2/25/26
1200Z
!DAL 02/017 DAL APRON TXL N CL LGT U/S 2602062052-2602251200
2/5/26
2210Z
2/27/26
2359Z
!DAL 02/012 DAL TWY C10 CL LGT U/S 2602052210-2602272359
2/4/26
1616Z
2/28/26
2359Z
!DAL 02/006 DAL TWY A4 CL MARKINGS NOT STD 2602041616-2602282359
1/29/26
1358Z
!DAL 01/454 DAL APRON AEROSTAR AVIATION RAMP NORTH ACCESS CLSD 2601291358-2604302300EST
1/29/26
1357Z
!DAL 01/453 DAL TWY A BTN AEROSTAR AVIATION RAMP SOUTH ACCESS AND TWY A5 WIP ADJ SOUTH EDGE 2601291357-2604302300EST
1/29/26
1357Z
!DAL 01/452 DAL TWY A BTN AEROSTAR AVIATION RAMP SOUTH ACCESS AND TWY A5 CLSD 2601291357-2604302300EST
FDC
2/23/26
1510Z
!FDC 6/8501 DAL IAP DALLAS LOVE FLD, DALLAS, TX.
ILS OR LOC RWY 13L, AMDT 34A...
ILS RWY 13L (SA CAT I AND II), AMDT 34A...
MISSED APPROACH: CLIMB TO 1000 THEN CLIMBING LEFT TURN TO 3000 ON HEADING 060 AND TTT VOR/DME R-084 TO SOLDO INT/TTT 35.79 DME AND HOLD,
CVE VOR/DME OUT OF SERVICE. 2602231510-2604151510EST
2/23/26
1510Z
4/15/26
1510Z
!FDC 6/8499 DAL SID DALLAS LOVE FLD, DALLAS, TX.
BACHMAN TWO DEPARTURE...
KRUMM ONE DEPARTURE...
LOVE SEVEN DEPARTURE...
TRINITY EIGHT DEPARTURE...
VENUS FOUR DEPARTURE...
DEPARTURE PROCEDURE TAKEOFF RWY 13R NA EXCEPT FOR ACFT EQUIPPED WITH SUITABLE RNAV SYSTEM WITH GPS,
CVE VOR/DME OUT OF SERVICE. 2602231510-2604151510EST
2/23/26
1510Z
4/15/26
1510Z
!FDC 6/8497 DAL IAP DALLAS LOVE FLD, DALLAS, TX.
ILS OR LOC RWY 13R, AMDT 6C...
MISSED APPROACH: CLIMB TO 1000 THEN CLIMBING RIGHT TURN TO 3000 ON HEADING 170 AND TTT VOR/DME R-127 TO TACKE/TTT 26.50 DME AND HOLD,
CVE VOR/DME OUT OF SERVICE. 2602231510-2604151510EST
2/23/26
1510Z
4/15/26
1510Z
!FDC 6/8496 DAL IAP DALLAS LOVE FLD, DALLAS, TX.
ILS OR LOC RWY 31R, AMDT 7B...
ILS RWY 31R (SA CAT I AND II), AMDT 7B...
MISSED APPROACH: CLIMB TO 900 THEN CLIMBING RIGHT TURN TO 5000 ON TTT VOR/DME R-050 TO FINGR/TTT 42.74 DME AND HOLD,
CVE VOR/DME OUT OF SERVICE. 2602231510-2604151510EST
2/23/26
1510Z
4/15/26
1510Z
!FDC 6/8493 DAL IAP DALLAS LOVE FLD, DALLAS, TX.
ILS OR LOC RWY 31L, AMDT 23...
MISSED APPROACH: CLIMB TO 900 THEN CLIMBING RIGHT TURN TO 5000 ON TTT VOR/DME R-050 TO FINGR/TTT 42.74 DME AND HOLD,
CVE VOR/DME OUT OF SERVICE. 2602231510-2604151510EST
2/11/26
2016Z
9/23/26
2016Z
!FDC 6/2827 DAL IAP DALLAS LOVE FLD, DALLAS, TX.
ILS OR LOC RWY 13L, AMDT 34A...
TSKED FIX MINIMUMS (DUAL VOR RECEIVERS OR DME REQUIRED):
S-LOC 13L MDA 900/HAT 415 ALL CATS. VIS CATS C/D RVR 4000.
VDP NA.
TEMPORARY CRANE, 641 MSL, 2392FT SE OF RWY 13L (2024-ASW-5151-NRA).
2602112016-2609232016EST
12/23/25
2131Z
3/27/26
2131Z
!FDC 5/2806 DAL IAP DALLAS LOVE FLD, DALLAS, TX.
ILS OR LOC RWY 13L, AMDT 34A...
ILS OR LOC RWY 31R, AMDT 7B...
RNAV (GPS) Y RWY 13L, AMDT 1D...
RNAV (GPS) Z RWY 13L, AMDT 4...
CIRCLING CAT A/B MDA 1180/HAA 693.
TEMPORARY CRANE, 785 MSL, 1.46NM SOUTH OF KDAL AIRPORT (2024-ASW-10545-OE), TEMPORARY CRANE, 817 MSL, 1.44NM SOUTH OF KDAL AIRPORT (2024-ASW-10546-OE), TEMPORARY CRANE, 785 MSL, 1.43NM SOUTH OF KDAL AIRPORT (2024-ASW-10547-OE), TEMPORARY CRANE, 735 MSL, 1.32NM SOUTH OF KDAL AIRPORT (2024-ASW-10551-OE), TEMPORARY CRANE, 703 MSL, 1.35 NM SOUTH OF KDAL AIRPORT (2024-ASW-10549-OE).
2512232131-2603272131EST
12/18/25
1955Z
!FDC 5/1008 DAL IAP DALLAS LOVE FLD, DALLAS, TX.
RNAV (GPS) Y RWY 31R, AMDT 3B...
LNAV/VNAV DA 980/HAT 493 ALL CATS, VIS RVR 5000 ALL CATS..
2512181955-2712171955EST
12/5/25
1903Z
!FDC 5/5374 DAL SID DALLAS LOVE FLD, DALLAS, TX.
KINGDOM FIVE DEPARTURE...
LUBBOCK TRANSITION, MILLSAP TRANSITION, WICHITA FALLS TRANSITION NA EXCEPT FOR AIRCRAFT EQUIPPED WITH SUITABLE RNAV SYSTEM WITH GPS\,
MQP VORTAC OUT OF SERVICE. 2512051903-2607171903EST
12/5/25
1903Z
!FDC 5/5325 DAL SID DALLAS LOVE FLD, DALLAS, TX.
WORTH ONE DEPARTURE...
ABILENE TRANSITION, CORONA TRANSITION, LUBBOCK TRANSITION, TEXICO TRANSITION: NA EXCEPT FOR AIRCRAFT EQUIPPED WITH SUITABLE RNAV SYSTEM WITH GPS,
MQP VORTAC OUT OF SERVICE. 2512051903-2607171903EST
12/5/25
1903Z
7/17/26
1903Z
!FDC 5/5294 DAL SID DALLAS LOVE FLD, DALLAS, TX.
COYOTE FOUR DEPARTURE...
LOVE SEVEN DEPARTURE...
ABILENE TRANSITION, MILLSAP TRANSITION: NA EXCEPT FOR AIRCRAFT EQUIPPED WITH SUITABLE RNAV SYSTEM WITH GPS,
MQP VORTAC OUT OF SERVICE. 2512051903-2607171903EST
11/27/25
1148Z
!FDC 5/2192 DAL SID DALLAS LOVE FLD, DALLAS, TX.
DALLAS FOUR DEPARTURE ...
DEPARTURE ROUTE DESCRIPTION PROPS: TAKEOFF ALL RWYS: CLIMB ON ASSIGNED HEADING FOR RADAR VECTORS TO TRANSITION. MAINTAIN ATC ASSIGNED ALTITUDE, EXPECT FILED ALTITUDE 10 MINUTES AFTER DEPARTURE. ALL OTHER DATA REMAINS AS PUBLISHED.
TOP ALTITUDE: JETS: RWYS 13L/R: 8000, PROPS RWY 13L/R: ASSIGNED BY ATC, RWYS 31L/R: ASSIGNED BY ATC.
TAKEOFF MINIMUMS: JETS: RWYS 31L/R: STANDARD, PROPS: RWYS 31L/R: STANDARD WITH MINIMUM CLIMB OF 235FT/NM TO 1300. ALL OTHER DATA REMAINS AS PUBLISHED. 2511271148-2711271148EST
11/19/25
0848Z
!FDC 5/8471 DAL IAP DALLAS LOVE FLD, DALLAS, TX.
RNAV (RNP) Z RWY 31R, ORIG-C...
RNP 0.30 DA 1014/HAT 527 ALL CATS, VIS RVR 5500 ALL CATS.
2511190848-2711190848EST
11/14/25
1721Z
!FDC 5/6554 DAL SID DALLAS LOVE FLD, DALLAS, TX.
WORTH ONE DEPARTURE...
NOTE: JET AIRCRAFT ONLY. 2511141721-2606261721EST
11/14/25
1721Z
!FDC 5/6551 DAL SID DALLAS LOVE FLD, DALLAS, TX.
TEXOMA FIVE DEPARTURE...
DEPARTURE ROUTE DESCRIPTION PROPS: TAKEOFF ALL RWYS: CLIMB ON ASSIGNED HEADING FOR RADAR VECTORS TO TRANSITION. MAINTAIN ATC ASSIGNED ALTITUDE, EXPECT FILED ALTITUDE 10 MINUTES AFTER DEPARTURE. ALL OTHER DATA REMAINS AS PUBLISHED.
TOP ALTITUDE: JETS: RWYS 13L/R: 8000, PROPS RWY 13L/R: ASSIGNED BY ATC, RWYS 31L/R: ASSIGNED BY ATC.
TAKEOFF MINIMUMS: JETS: RWYS 31L/R: STANDARD, PROPS: RWYS 31L/R: STANDARD WITH MINIMUM CLIMB OF 235FT/NM TO 1300. ALL OTHER DATA REMAINS AS PUBLISHED. 2511141721-2606261721EST
11/14/25
1721Z
!FDC 5/6550 DAL SID DALLAS LOVE FLD, DALLAS, TX.
GARLAND SIX DEPARTURE...
DEPARTURE ROUTE DESCRIPTION PROPS: TAKEOFF ALL RWYS: CLIMB ON ASSIGNED HEADING FOR RADAR VECTORS TO TRANSITION. MAINTAIN ATC ASSIGNED ALTITUDE, EXPECT FILED ALTITUDE 10 MINUTES AFTER DEPARTURE. ALL OTHER DATA REMAINS AS PUBLISHED.
TOP ALTITUDE: JETS: RWYS 13L/R: 8000, PROPS RWY 13L/R: ASSIGNED BY ATC, RWYS 31L/R: ASSIGNED BY ATC.
TAKEOFF MINIMUMS: JETS: RWYS 31L/R: STANDARD, PROPS: RWYS 31L/R: STANDARD WITH MINIMUM CLIMB OF 235FT/NM TO 1300. ALL OTHER DATA REMAINS AS PUBLISHED. 2511141721-2606261721EST
11/14/25
1721Z
!FDC 5/6549 DAL SID DALLAS LOVE FLD, DALLAS, TX.
KINGDOM FIVE DEPARTURE...
DEPARTURE ROUTE DESCRIPTION JETS: TAKEOFF RUNWAYS 13L/R: CLIMB ON HEADING 133 DEGREES, CROSS CVE 13 DME AT OR BELOW 6000, THEN MAINTAIN 8000 FOR RADAR VECTORS TO APPROPRIATE ROUTE AND EXPECT FILED ALTITUDE 10 MINUTES AFTER DEPARTURE. TAKEOFF RUNWAYS 31L/R: CLIMB ON HEADING 313 DEGREES UNTIL THE I-LVF 5.5 DME OR I-OVW 5.5 DME, THEN RIGHT TURN HEADING 013 DEGREES FOR RADAR VECTORS TO APPROPRIATE ROUTE, MAINTAIN ATC ASSIGNED ALTITUDE AND EXPECT FILED ALTITUDE 10 MINUTES AFTER DEPARTURE. PROPS: TAKEOFF ALL RWYS: CLIMB ON ASSIGNED HEADING FOR RADAR VECTORS TO TRANSITION. MAINTAIN ATC ASSIGNED ALTITUDE, EXPECT FILED ALTITUDE 10 MINUTES AFTER DEPARTURE.
TOP ALTITUDE: JETS: RWYS 13L/R: 8000, PROPS RWY 13L/R: ASSIGNED BY ATC, RWYS 31L/R: ASSIGNED BY ATC.
TAKEOFF MINIMUMS: JETS: RWYS 31L/R: STANDARD, PROPS: RWYS 31L/R: STANDARD WITH MINIMUM CLIMB OF 235FT/NM TO 1300. ALL OTHER DATA REMAINS AS PUBLISHED.. 2511141721-2606261721EST
11/14/25
1721Z
!FDC 5/6547 DAL SID DALLAS LOVE FLD, DALLAS, TX.
COYOTE FOUR DEPARTURE...
NOTE: PROP AIRCRAFT ONLY.
DEPARTURE ROUTE DESCRIPTION TAKEOFF ALL RWYS: CLIMB ON ASSIGNED HEADING FOR RADAR VECTORS TO TRANSITION. MAINTAIN ATC ASSIGNED ALTITUDE, EXPECT FILED ALTITUDE 10 MINUTES AFTER DEPARTURE.
MINIMUMS RWYS 31L/R: STANDARD WITH MINIMUM CLIMB OF 235FT/NM TO 1300. ALL OTHER DATA REMAINS AS PUBLISHED. 2511141721-2606261721EST
11/14/25
1721Z
!FDC 5/6545 DAL SID DALLAS LOVE FLD, DALLAS, TX.
JOE POOL EIGHT DEPARTURE...
DEPARTURE ROUTE DESCRIPTION: PROPS: TAKEOFF ALL RWYS: CLIMB ON ASSIGNED HEADING FOR RADAR VECTORS TO TRANSITION. MAINTAIN ATC ASSIGNED ALTITUDE, EXPECT FILED ALTITUDE 10 MINUTES AFTER DEPARTURE. ALL OTHER DATA REMAINS AS PUBLISHED.
TOP ALTITUDE: JETS: RWYS 13L/R: 8000, PROPS RWY 13L/R: ASSIGNED BY ATC, RWYS 31L/R: ASSIGNED BY ATC.
TAKEOFF MINIMUMS: JETS: RWYS 31L/R: STANDARD, PROPS: RWYS 31L/R: STANDARD WITH MINIMUM CLIMB OF 235 FT/NM TO 1300. ALL OTHER DATA REMAINS AS PUBLISHED. 2511141721-2606261721EST
8/11/25
1824Z
!FDC 5/5517 DAL SID DALLAS LOVE FLD, DALLAS, TX.
BOTCH ONE DEPARTURE (RNAV)...
KKITY FIVE DEPARTURE (RNAV)...
SNSET FOUR DEPARTURE (RNAV)...
BRHMA TRANSITION: RUFFS TO KATZZ, MOCA 3500. ALIAN TRANSITION: FUMED TO ALIAN, MOCA 3200. CIKAN TRANSITION, DOSXX TRANSITION, WSTEX TRANSITION: LYNDE TO WSTEX, MOCA 3300.
ALL OTHER DATA REMAINS AS PUBLISHED. 2508111824-2603231824EST
3/13/25
1300Z
6/7/26
1218Z
!FDC 5/2697 DAL SID DALLAS LOVE FLD, DALLAS, TX.
COYOTE FOUR DEPARTURE...
LOVE SEVEN DEPARTURE...
WORTH ONE DEPARTURE...
CORONA TRANSITION NA EXCEPT FOR ACFT EQUIPPED WITH SUITABLE RNAV SYSTEM WITH GPS,
CNX VORTAC OUT OF SERVICE. 2503131300-2606071218EST
2/14/25
1852Z
!FDC 5/3067 DAL IAP DALLAS LOVE FLD, DALLAS, TX.
ILS OR LOC RWY 13L, AMDT 34A...
ILS OR LOC RWY 13R, AMDT 6C...
ILS OR LOC RWY 31L, AMDT 23...
ILS OR LOC RWY 31R, AMDT 7B...
RNAV (GPS) Y RWY 13L, AMDT 1D...
RNAV (GPS) Y RWY 13R, ORIG-B...
RNAV (GPS) Y RWY 31R, AMDT 3B...
RNAV (GPS) Z RWY 13L, AMDT 4...
RNAV (GPS) Z RWY 13R, AMDT 2A...
CIRCLING CAT C MDA 1280/HAA 793, VIS CAT C 2 1/4.
BUILDINGS, UP TO 970 MSL, BEGINNING 3.29 NM SE OF KDAL AIRPORT (2022-ASW-3979 THRU 7984-OE).
2502141852-2702141852EST
Yes
ALL
CITY OF DALLAS
CITY HALL
DALLAS, TX 75201
Phone: 214-670-3011
PATRICK CARRENO
DEPARTMENT OF AVIATION 7555 LEMMON AVENUE
DALLAS, TX 75209
Phone: 214-670-5683
FORT WORTH FSS (FTW)
Toll Free: 1-800-WX-BRIEF
DAL
Sunset to Sunrise
--
N/A
Yes - Lighted
No
No
Hanger, Tie-Down
NOT a Landing Rights Airport
NOT an Airport of Entry
Major
Major
High & Low Pressure
High & Low Pressure
Air Ambulance
Avionics
Charter Service
Pilot Instruction
Aircraft Rental
Aircraft Sales

Runway 13L/31R

7752 ft. x 150 ft.
CONC  
Good 
GRVD 
HIGH 
 
100,000lbs 
200,000lbs 
350,000lbs 
-- 
  Runway 13L Runway 31R
True Heading 136°316°
Traffic Pattern Left Right
Markings PIR PIR
Markings Condition GOOD GOOD
Latitude 32° 51' 26"N 32° 50' 31"N
Longitude 96° 51' 24"W 96° 50' 21"W
Elevation 477' 487'
Threshold Crossing Height 57 ft. AGL 55 ft. AGL
Visual Glide Path Angle
Visual Slope Indicator P4R P4L
Approach Lights MALSR MALSR
Centerline Lights Yes Yes
Runway End Identifier Lights

Runway 13R/31L

8800 ft. x 150 ft.
CONC  
Good 
GRVD 
HIGH 
 
120,000lbs 
250,000lbs 
388,000lbs 
875,000lbs 
  Runway 13R Runway 31L
True Heading 136°316°
Traffic Pattern Right
Markings PIR PIR
Markings Condition GOOD GOOD
Latitude 32° 51' 05"N 32° 50' 03"N
Longitude 96° 51' 48"W 96° 50' 36"W
Elevation 476' 476'
Threshold Crossing Height 52 ft. AGL 55 ft. AGL
Visual Glide Path Angle 3.08°
Visual Slope Indicator P4R P4L
Approach Lights MALSR
Centerline Lights Yes Yes
Runway End Identifier Lights
A110-10TWY ALL CLSD TO ACFT WITH WINGSPAN 118 FT AND GTR EXC 1 HR PPR. 214-288-3069.
A110-11LDG FEE APRT
A110-12ACFT USING K RUNUP PAD BTN 0600-0000 MUST OBTAIN APVL FM ARPT OPNS CNTR 214-670-5683 PRIOR TO ENTERING.
A110-13K RUNUP PAD CLSD 0000-0600.
A110-14PILOTS CONDUCTING EFVS OPS; BE AWARE LED ALS IN USE RWY 31L & RWY 31R.
A110-3NOISE SENSITIVE AREAS ALL QUADRANTS; NOISE ABATEMENT PROCEDURES IN EFFECT JET AND AIRCRAFT OVER 12,500 LBS USE RWY 13R/31L BETWEEN 2100-0600 LCL. FOR INFORMATION CALL 214-670-5683.
A110-4BIRDS ON & INVOF ARPT. BIRD ACTIVITY TRINITY RIVER BOTTOM 3 MILES SW SIDE
A110-5PVT PILOT CERT OR BTR RQRD TO TKOF OR LAND.
A110-6NO STUDENT SOLO FLIGHTS PERMITTED.
A110-7TWY K CLSD THRU TRAFFIC.
A110-9PAEW ON ARPT.
A39-13L/31RPCR VALUE: 450/R/B/W/T
A39-13R/31LPCR VALUE: 865/R/D/W/T
A57-13RAPCH SLOPE 50:1 FM DSPLCD THR.
DALLAS LOVE FLD (ICAO: KDAL, IATA: DAL) is a public airport located in DALLAS, TX, US.