iFlightPlanner

 

...
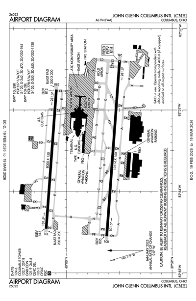
JOHN GLENN COLUMBUS INTL - Airport Diagram
LiveATC.net: Live Air Traffic - From Their Headsets to You

KCMH
ICAO KCMHIATA CMHLocal CMH
JOHN GLENN COLUMBUS INTL
PublicPUB

6 miles E of COLUMBUS, OH, US
LiveATC.net: Live Air Traffic - From Their Headsets to You
Status
Operational
Coordinates
39° 59' 49"N 82° 53' 32"W
Elevation
815' MSL
Pattern Alt
1815' MSL
Mag Variation
7°W
Declination
7°W
Fuel
JET A-1+, 100
FSS
DAYTON (DAY)
Sectional
CINCINNATI
ARTCC
INDIANAPOLIS (ZID)
Data Effective
2/19/26-3/19/26
KCMH MVFR
11:51 PM EST  
Overcast 2,400'
8sm
48°F
48°F
30.17"Hg
VRB° 3kts
AO2 RAE48 SLP219 P0000 T00890089 401060000
METAR KCMH 040451Z VRB03KT 8SM OVC024 09/09 A3017 RMK AO2 RAE48 SLP219 P0000 T00890089 401060000

KCMH FBOs

No FBOs (Fixed Base Operators) are listed for this airport.
X

Send Message to Airport Company
Enter your information and message below.

Your Information
 
Processing 

Weather and Advisory

Digital ATIS 124.6
ASOS 124.6
(614) 333-9354

Common

UNICOM 122.95

Clearance

Clearance Delivery 126.3

Ground

COLUMBUS GROUND 121.9

Tower

COLUMBUS TOWER 132.7

Arrival

CBUSS STAR 125.95
CLPRR STAR 134.0
DUBLN STAR 125.95
JAKTZ STAR 134.0
SCRLT STAR 134.0

Approach

COLUMBUS APPROACH 125.95
Initial Contact - 280-099
COLUMBUS APPROACH 134.0
100-279

Departure

COLUMBUS DEPARTURE 125.95
Initial Contact - 280-099
COLUMBUS DEPARTURE 134.0
100-279

Operations

Operations 122.775
DEICE PAD CONTROL

Flight Service

Flight Service 122.2
(DAY)

Emergency

Emergency 121.5

Other

CLASS C 125.95
280-099
CLASS C 134.0
100-279

Terminal Area Forecast

KCMH
Tue, 3/3 6:39 PM EST
Tue, 3/3 7:00 PM EST - Wed, 3/4 7:00 PM EST
IFR
7:00 PM EST - 11:00 PM EST
Rain
Overcast 1,100'
1.5sm
210° 4kts
LIFR
Temporary 7:00 PM EST - 11:00 PM EST
Light Rain and Mist
Overcast 400'
1sm
Calm
IFR
11:00 PM EST - 5:00 AM EST
Mist
Overcast 500'
1.5sm
Calm
LIFR
12:00 AM EST - 5:00 AM EST
Light Rain
Overcast 300'
1sm
Calm
LIFR
5:00 AM EST - 10:00 AM EST
Light Rain and Mist
Overcast 400'
2sm
Calm
LIFR
10:00 AM EST - 4:00 PM EST
Light Rain
Overcast 300'
2sm
Calm
LIFR
10:00 AM EST - 7:00 PM EST
Light Rain and Mist
Overcast 400'
4sm
090° 5kts
TAF KCMH 032339Z 0400/0424 21004KT 1 1/2SM RA OVC011
   TEMPO 0400/0404 1SM -RA BR OVC004
   FM040400 00000KT 1 1/2SM BR OVC005
   PROB30 0405/0410 1SM -RA OVC003
   FM041000 00000KT 2SM -RA BR OVC004
   FM041500 09005KT 4SM -RA BR OVC004
   PROB30 0415/0421 2SM -RA OVC003
KCMH
EffectiveExpiresCategoryNOTAM
Domestic
3/2/26
1500Z
3/2/26
1900Z
!CMH 02/817 CMH COM REMOTE COM OUTLET 122.2 U/S 2603021500-2603021900
2/25/26
1300Z
2/25/26
1600Z
Runway!CMH 02/816 CMH RWY 28L PAPI U/S 2602251300-2602251600
2/25/26
1300Z
2/25/26
1600Z
Runway!CMH 02/815 CMH RWY 10R PAPI U/S 2602251300-2602251600
2/25/26
1300Z
2/25/26
1600Z
Runway!CMH 02/791 CMH RWY 10R/28L CLSD 2602251300-2602251600
2/25/26
1300Z
2/25/26
1600Z
!CMH 02/665 CMH TWY B, C WIP MAINT 2602251300-2602251600
2/24/26
2339Z
2/25/26
2339Z
!CMH 02/824 CMH APRON NETJETS APN FICON 4FT SNOWBANKS OBS AT 2602242339. 2602242339-2602252339
2/24/26
2338Z
2/25/26
2338Z
!CMH 02/823 CMH APRON ALL FICON PATCHY ICE AND PATCHY 1/8IN DRY SN OBS AT 2602242338. 2602242338-2602252338
2/24/26
2337Z
2/25/26
2337Z
!CMH 02/822 CMH TWY B5 FICON PATCHY ICE OBS AT 2602242337. 2602242337-2602252337
2/24/26
2335Z
2/25/26
2335Z
Runway!CMH 02/821 CMH RWY 28R FICON 10 PCT 1/8IN DRY SN OBS AT 2602242335. 2602242335-2602252335
2/24/26
2319Z
2/25/26
2319Z
!CMH 02/820 CMH APRON SIGNATURE APN FICON 15IN SNOWBANKS OBS AT 2602242319. 2602242319-2602252319
2/24/26
2318Z
2/25/26
2318Z
!CMH 02/819 CMH APRON REPUBLIC MAINT APN, ENVOY MAINT APN FICON 3FT SNOWBANKS OBS AT 2602242318. 2602242318-2602252318
2/24/26
2318Z
2/25/26
1259Z
Runway!CMH 02/818 CMH RWY 28L FICON 10 PCT 1/8IN DRY SN OBS AT 2602242318. 2602242318-2602251259
2/23/26
1424Z
12/31/26
2200Z
!CMH 02/776 CMH OBST CRANE (ASN 2025-AGL-14286-OE) 395911N0825247W (0.9NM SE CMH) 1041FT (235FT AGL) FLAGGED 2602231424-2612312200
2/19/26
0801Z
6/19/26
0801Z
!CMH 02/647 CMH OBST TOWER LGT (ASR 1210204) 400512.50N0824402.90W (9.1NM NE CMH) 1429.8FT (256.9FT AGL) U/S 2602190801-2606190801
2/11/26
2000Z
6/30/26
2359Z
!CMH 02/465 CMH TWY B4, C5, TWY B BTN TWY D5 AND TWY B5, TWY H BTN TWY B AND TWY C CLSD TO ACFT WINGSPAN MORE THAN 118FT 2602112000-2606302359
2/11/26
0559Z
2/27/26
2359Z
!CMH 02/444 CMH TWY J EDGE LGT U/S 2602110559-2602272359
2/7/26
1516Z
5/31/26
2359Z
!CMH 02/310 CMH TWY B1, B2, B3, TWY B BTN TWY C AND TWY D5 CLSD TO ACFT WINGSPAN MORE THAN 135FT 2602071516-2605312359
2/3/26
0925Z
5/31/26
2359Z
!CMH 02/100 CMH TWY B2, C4 CL LGT U/S 2602030925-2605312359
2/2/26
1702Z
3/31/26
2359Z
!CMH 02/067 CMH OBST TOWER LGT (ASR UNKNOWN) 395736N0830007W (5.7NM SW CMH) UNKNOWN (592FT AGL) U/S 2602021702-2603312359
1/16/26
2147Z
4/1/26
2200Z
!CMH 01/205 CMH TWY H BTN TWY Z AND TWY C EDGE MARKING EAST SIDE NOT STD 2601162147-2604012200
1/5/26
1200Z
3/31/26
2100Z
!CMH 12/651 CMH TWY H BTN TWY E AND TWY Z CLSD TO ACFT WINGSPAN MORE THAN 118FT 2601051200-2603312100
12/30/25
1340Z
6/30/26
2359Z
!CMH 12/647 CMH TWY C EDGE MARKINGS BTN TWY C5 AND TWY H NORTH SIDE NOT MARKED 2512301340-2606302359
12/30/25
1228Z
6/30/26
2359Z
!CMH 12/645 CMH TWY R2 CLSD 2512301228-2606302359
3/26/25
1805Z
8/31/26
2359Z
!CMH 03/167 CMH OBST CRANE (ASN 2025-AGL-123-NRA) 395947N0825334W (0.0NM SW CMH) 959FT (150FT AGL) FLAGGED AND LGTD 2503261805-2608312359
3/26/25
1803Z
8/31/26
2359Z
!CMH 03/166 CMH OBST CRANE (ASN 2025-AGL-117-NRA) 395949N0825418W (0.6NM W CMH) 957FT (150FT AGL) FLAGGED AND LGTD 2503261803-2608312359
FDC
2/22/26
0205Z
!FDC 6/7934 CMH IAP JOHN GLENN COLUMBUS INTL, COLUMBUS, OH.
RNAV (GPS) Y RWY 28R, AMDT 3...
LPV DA 1075/HAT 262 ALL CATS. LNAV/VNAV DA 1290/HAT 477 ALL CATS, VIS RVR 5000 ALL CATS. FOR INOP ALS, INCREASE LPV ALL CATS VISIBILITY TO RVR 4500; INCREASE LNAV/VNAV ALL CATS VISIBILITY TO RVR 5500; INCREASE LNAV CAT C/D VISIBILITY TO 1 3/8 SM. TEMPORARY CRANES BEGINNING 1056 MSL 4225FT SE OF RWY 10L (2025-AGL-5241-5248-NRA). TEMPORARY CRANE 997 MSL 1.2NM E OF RWY 28R (2024-AGL-7283-OE). TEMPORARY CRANE 938 MSL 3449FT NE OF RWY 28L (2024-AGL-10254-OE). TEMPORARY CRANE 1041 MSL 2631 FT SW OF RWY 28L (2025-AGL-14286-OE).
2602220205-2802152355EST
2/22/26
0156Z
!FDC 6/7932 CMH IAP JOHN GLENN COLUMBUS INTL, COLUMBUS, OH.
ILS OR LOC RWY 10L, AMDT 20...
ILS OR LOC RWY 10R, AMDT 10...
ILS OR LOC RWY 28L, AMDT 31...
ILS OR LOC RWY 28R, AMDT 5...
RNAV (GPS) Y RWY 10L, AMDT 4...
RNAV (GPS) Y RWY 10R, AMDT 4...
RNAV (GPS) Y RWY 28L, AMDT 4...
RNAV (GPS) Y RWY 28R, AMDT 3...
CIRCLING CAT A/B MDA 1420/HAA 605, TEMPORARY CRANE 1059 MSL 2852 FT FROM RWY 10L (2025-AGL-5241 THRU 5248-NRA). TEMPORARY CRANE 1033 MSL 3431 FT FROM RWY 10L (2025-AGL-11824 THRU 11831-NRA). TEMPORARY CRANE 1041 MSL 2631 FT FROM RWY 28L (2025-AGL-14286-OE).
2602220156-2612142355EST
2/4/26
1634Z
!FDC 6/0276 CMH IAP JOHN GLENN COLUMBUS INTL, COLUMBUS, OH.
ILS OR LOC RWY 10L, AMDT 20...
S-ILS 10L DA 1121/HAT 306 ALL CATS. FOR INOP ALS, INCREASE ILS VISIBILITY TO RVR 4500 ALL CATS. TEMPORARY CRANES UP TO 1057 MSL BEGINNING 3145FT E OF RWY 10R (2025-AGL-5241-5248-NRA). TEMPORARY CRANE 1027 MSL, 2782FT SE OF RWY 10L (2025-AGL-1432-NRA). TEMPORARY CRANE 1033 MSL, 3431FT E OF RWY 10L (2025-AGL-11824 THRU 11832-NRA).
2602041634-2802152355EST
2/4/26
1624Z
!FDC 6/0274 CMH IAP JOHN GLENN COLUMBUS INTL, COLUMBUS, OH.
RNAV (GPS) Y RWY 10L, AMDT 4...
LPV DA 1121/HAT 306 ALL CATS. FOR INOP ALS, INCREASE LPV VISIBILITY TO RVR 4500 ALL CATS; LNAV VISIBILITY TO 1 3/8 CATS C/D. TEMPORARY CRANES UP TO 1059 MSL, BEGINNING 3145FT E OF RWY 10R (2025-AGL-5241-5248-NRA). TEMPORARY CRANE, 1027 MSL BEGINNING 2782 FT SE OF RWY 10L (2025-AGL-1432-NRA). TEMPORARY CRANE, 1033 MSL BEGINNING 3431FT E OF RWY 10L (2025-AGL-11824 THRU 11832-NRA).
2602041624-2802152355EST
12/30/25
1542Z
!FDC 5/3755 CMH IAP JOHN GLENN COLUMBUS INTL, COLUMBUS, OH.
RNAV (RNP) Z RWY 28R, AMDT 2...
RNP 0.16 DA 1165/HAT 352 ALL CATS. VISIBILITY ALL CATS RVR 3000. RNP 0.30 DA 1221/HAT 408 ALL CATS. VISIBILITY ALL CATS RVR 4000. FOR INOPERATIVE ALS, INCREASE RNP 0.16 ALL CATS VISIBILITY TO RVR 5500 AND INCREASE RNP 0.30 ALL CATS VISIBILITY TO RVR 6000. TEMPORARY CRANE 891FT MSL 4350FT EAST OF RWY 28R (2024-AGL-14684-OE).
2512301542-2608112355EST
11/30/25
2233Z
!FDC 5/2676 CMH IAP JOHN GLENN COLUMBUS INTL, COLUMBUS, OH.
RNAV (RNP) Z RWY 28R, AMDT 2...
RNP 0.16 DA 1165/HAT352 ALL CATS. VIS RVR 4000 ALL CATS. RNP 0.30 VIS RVR 4000. FOR INOP ALS, INCREASE ALL CATS VISIBILITY TO RVR 5500. TEMPORARY CRANE, 938 MSL, 3449FT NE OF RWY 28L (2024-AGL-10254-OE).
2511302233-2607122355EST
11/30/25
2224Z
!FDC 5/2674 CMH ODP JOHN GLENN COLUMBUS INTL, COLUMBUS, OH.
TAKEOFF MINIMUMS AND (OBSTACLE) DEPARTURE PROCEDURES AMDT 7A...
TAKEOFF OBSTACLE NOTE: RWY 10L, TEMPORARY CRANE 3827FT FROM DER, 616 RIGHT OF CENTERLINE, 150 AGL/938 MSL (2024-AGL-10254-OE). ALL OTHER DATA REMAINS AS PUBLISHED. 2511302224-2607122355EST
11/14/25
1511Z
!FDC 5/6485 CMH ODP JOHN GLENN COLUMBUS INTL, COLUMBUS, OH.
TAKEOFF MINIMUMS AND (OBSTACLE) DEPARTURE PROCEDURES AMDT 7A...
TAKEOFF MINIMUMS: RWY 10L, 300-1 3/8 OR STANDARD WITH MINIMUM CLIMB OF 208FT PER NM TO 1100, EXCEPT WHEN ADVISED BY ATCT THAT THIS CRANE IS DOWN. TEMPORARY CRANE 4814 MSL 1.2NM E OF RWY 28R (2024-AGL-7283-OE). ALL OTHER DATA REMAINS AS PUBLISHED. 2511141511-2606262355EST
11/14/25
1510Z
!FDC 5/6477 CMH IAP JOHN GLENN COLUMBUS INTL, COLUMBUS, OH.
RNAV (RNP) Z RWY 28R, AMDT 2...
RNP 0.30 DA 1282/HAT 469 ALL CATS, VIS RVR 5000 ALL CATS. FOR INOP ALS, INCREASE RNP 0.16 ALL CATS VISIBILITY TO RVR 4500 AND INCREASE RNP 0.30 ALL CATS VISIBILITY TO 1 3/8 SM. EXCEPT WHEN ADVISED BY ATCT THAT THIS CRANE IS DOWN. TEMPORARY CRANE 997 MSL 1.2NM E OF RWY 28R (2024-AGL-7283-OE).
2511141510-2606262355EST
8/15/25
0205Z
!FDC 5/8259 CMH IAP JOHN GLENN COLUMBUS INTL, COLUMBUS, OH.
ILS OR LOC RWY 28R, AMDT 5...
S-ILS 28R DA 1075/HAT 262 ALL CATS. FOR INOP ALS, INCREASE ILS VISIBILITY TO RVR 4500 ALL CATS; INCREASE LOC VISIBILITY TO 1 3/8 CATS C/D. TEMPORARY CRANES UP TO 1057 MSL, 3145FT EAST OF RWY 10R (2025-AGL-5241-5248-NRA).
2508150205-2802152355EST
8/15/25
0205Z
!FDC 5/8251 CMH IAP JOHN GLENN COLUMBUS INTL, COLUMBUS, OH.
ILS RWY 10R (SA CAT I AND II), AMDT 10 ...
PROCEDURE NA.
TEMPORARY CRANES UP TO 1059 MSL, BEGINNING 3815FT E OF RWY 10R (2025-AGL-5241-5248-NRA). TEMPORARY CRANES, UP TO 957 MSL, BEGINNING 1499FT NE OF RWY 10R (2025-AGL-116/117-NRA) 2508150205-2802152355EST
8/15/25
0205Z
!FDC 5/8250 CMH IAP JOHN GLENN COLUMBUS INTL, COLUMBUS, OH.
ILS OR LOC RWY 10R, AMDT 10...
S-ILS 10R DA 1117/HAT 308 ALL CATS. VIS RVR 2400 ALL CATS. FOR INOP ALS, INCREASE ILS VISIBILITY TO RVR 4500 ALL CATS. TEMPORARY CRANES UP TO 1059 MSL, BEGINNING 3815FT E OF RWY 10R (2025-AGL-5241-5248-NRA). TEMPORARY CRANES, UP TO 957 MSL, BEGINNING 1499FT NE OF RWY 10R (2025-AGL-116/117-NRA).
2508150205-2802152355EST
8/15/25
0205Z
!FDC 5/8249 CMH IAP JOHN GLENN COLUMBUS INTL, COLUMBUS, OH.
RNAV (GPS) Y RWY 10R, AMDT 4...
LPV DA 1117/HAT 308 ALL CATS. VIS RVR 2400 ALL CATS. TEMPORARY CRANES 1055 MSL 3815 FT E OF RWY 10R (2025-AGL-5241-5248-NRA). TEMPORARY CRANES, UP TO 957 MSL, BEGINNING 1499FT NE OF RWY 10R (2025-AGL-116/117-NRA).
2508150205-2802152355EST
3/10/25
1749Z
!FDC 5/1001 CMH IAP JOHN GLENN COLUMBUS INTL, COLUMBUS, OH.
RNAV (GPS) Y RWY 28R, AMDT 3...
LNAV/VNAV DA 1118/HAT 305 ALL CATS.
2503101749-2703101749EST
Yes
ALL
COLUMBUS REGIONAL AIRPORT AUTH
4600 INTERNATIONAL GATEWAY
COLUMBUS, OH 43219
Phone: 614-239-4000
JOE NARDONE
COLUMBUS REGIONAL AIRPORT AUTHORITY 4600 INTERNATIONAL GATEWAY
COLUMBUS, OH 43219
Phone: 614-239-4004
DAYTON FSS (DAY)
Toll Free: 1-800-WX-BRIEF
CMH
--
--
N/A
Yes
No
Yes
Hanger, Tie-Down
Landing Rights Airport
NOT an Airport of Entry
Major
Major
High & Low Pressure
None
Air Freight
Air Ambulance
Avionics
Cargo Handling
Charter Service
Pilot Instruction
Aircraft Rental
Aircraft Sales

Runway 10L/28R

8000 ft. x 150 ft.
ASPH  
Good 
GRVD 
HIGH 
 
120,000lbs 
242,000lbs 
472,000lbs 
965,000lbs 
  Runway 10L Runway 28R
True Heading 94°274°
Traffic Pattern Left Left
Markings PIR PIR
Markings Condition GOOD GOOD
Latitude 40° 00' 12"N 40° 00' 06"N
Longitude 82° 54' 27"W 82° 52' 45"W
Elevation 815' 812'
Threshold Crossing Height 51 ft. AGL 50 ft. AGL
Visual Glide Path Angle
Visual Slope Indicator P4L P4R
Approach Lights MALSR MALSR
Centerline Lights
Runway End Identifier Lights No

Runway 10R/28L

10114 ft. x 150 ft.
ASPH  
Good 
GRVD 
HIGH 
 
120,000lbs 
250,000lbs 
550,000lbs 
1,120,000lbs 
  Runway 10R Runway 28L
True Heading 94°274°
Traffic Pattern Left Left
Markings PIR PIR
Markings Condition GOOD GOOD
Latitude 39° 59' 37"N 39° 59' 30"N
Longitude 82° 54' 33"W 82° 52' 23"W
Elevation 805' 815'
Threshold Crossing Height 70 ft. AGL 68 ft. AGL
Visual Glide Path Angle
Visual Slope Indicator P4L P4L
Approach Lights MALSR MALSR
Centerline Lights Yes Yes
Runway End Identifier Lights No No
A110-1MODEL ACFT TFC WITHIN A 1 NM RDS OF A POINT 8 NM ON A 010 DEG BRG FM THE ARPT; SFC - 5000 FT AGL; SR-SS DLY.
A110-12ALL SURFACES AROUND TERMINAL; NORTH OF TWY 'D' & SOUTH OF TWY 'E' ARE NON-MOVEMENT AREAS.
A110-18NOISE BARRIER LOCATED AT SE SIDE OF AIRFIELD RESTRICTED TO ACFT WITH WINGSPAN LESS THAN 79 FT.
A110-20TO REQ LDG RIGHTS CTC US CUSTOMS BETWEEN 1230-0300Z, MON-FRI AT 614-497-1865.
A110-21FLIGHT NOTIFICATION SERVICE (ADCUS) AVBL.
A110-26TWY F1 RSTRD TO AIRCRAFT WITH WINGSPAN LESS THAN 120 FT.
A110-3BIRDS INVOF ARPT.
A110-30TWYS R2, R3, R4, R5 AND R6 RSTRD TO WINGSPAN LESS THAN 118 FT.
A110-31TWY R1 RSTRD TO ACFT WITH WINGSPAN LESS THAN 79 FT.
A110-33TAXILANE CONCOURSE A BTN TWY D3 AND TWY D4 CLSD TO ACFT WINGSPAN MORE THAN 130 FT.
A110-34TAXILANE CONCOURSE C BTN TWY J AND TWY K CLSD TO ACFT WINGSPAN MORE THAN 135 FT.
A110-35HOLD PAD FOR RWY 28L RSTRD TO ACFT WITH WINGSPAN LESS THAN 118 FT.
A110-36PILOTS CONDUCTING EFVS OPS; BE AWARE LED ALS IN USE RWY 28L.
A110-6TWY D-5 PAVEMENT (NORTH OF TWY D) IS RSTRD TO ACFT WITH WINGSPAN LESS THAN 79 FT.
A110-7BE ALERT: RY 10L/28R RESTRICTIONS ON STAGE I & II TURBOJET ACFT 2200-0800 & ON STAGE III TURBOJET ACFT 2200-0700. PRACTICE APCHS FOR HIGH NOISE LEVEL TYPE ACFT INCLUDING NON-STAGE III MIL JET ACFT SHALL NOT BE APPROVED UNLESS RY 10R/28L IS IN USE & THE APCH TERMINATES IN A FULL STOP TAXI-BACK OPN.
A30A-10LRWY 10L BLAST PAD 200 FT X 200 FT.
A30A-28RRWY 28R BLAST PAD 200 FT X 200 FT.
A39-10L/28RPCR VALUE: 557/F/A/X/T
A39-10R/28LPCR VALUE: 778/F/A/X/T
E111HEL ASP: PRVDD INGRESS/EGRESS RTES USED ARE AS DIRECTED BY PORT COLUMBUS ATCT.
E80TO REQUEST LANDING RIGHTS CTC US CUSTOMS BTN 0730-2200 MON-FRI AT 614-497-1865.
JOHN GLENN COLUMBUS INTL (ICAO: KCMH, IATA: CMH) is a public airport located in COLUMBUS, OH, US.