iFlightPlanner

 

...
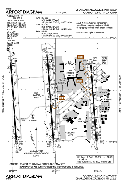
CHARLOTTE/DOUGLAS INTL - Airport Diagram
LiveATC.net: Live Air Traffic - From Their Headsets to You

KCLT
ICAO KCLTIATA CLTLocal CLT
CHARLOTTE/DOUGLAS INTL
PublicPUB

5 miles W of CHARLOTTE, NC, US
LiveATC.net: Live Air Traffic - From Their Headsets to You
Status
Operational
Coordinates
35° 12' 47"N 80° 57' 05"W
Elevation
748' MSL
Pattern Alt
1748' MSL
Mag Variation
8°W
Declination
7°W
Fuel
JET A, JET A+, CILI, 100LL
FSS
RALEIGH (RDU)
Sectional
CHARLOTTE
ARTCC
ATLANTA (ZTL)
Data Effective
2/19/26-3/19/26
KCLT MVFR
3:52 AM EST  
Overcast 2,500'
8sm
50°F
47°F
30.29"Hg
200° 3kts
AO2 SLP272 T01000083 58008
METAR KCLT 040852Z 20003KT 8SM OVC025 10/08 A3029 RMK AO2 SLP272 T01000083 58008

KCLT FBOs

No FBOs (Fixed Base Operators) are listed for this airport.
X

Send Message to Airport Company
Enter your information and message below.

Your Information
 
Processing 

Weather and Advisory

Digital ATIS 121.15
ARR
Digital ATIS 132.1
DEP
ASOS (704) 255-5973

Common

UNICOM 122.95

Clearance

Clearance Delivery 127.15

Ground

CHARLOTTE GROUND 121.8
WEST
CHARLOTTE GROUND 121.9
EAST

Tower

CHARLOTTE TOWER 118.1
RWY 18L/36R
CHARLOTTE TOWER 126.4
RWY 18C/36C
CHARLOTTE TOWER 133.35
RWY 18R/36L

Arrival

BANKR STAR 135.6
BTSEY STAR 125.35
CHSLY STAR 126.15
FILPZ STAR 125.35
JONZE STAR 135.6
JOOLS STAR 135.6
LIINN STAR 125.35
MAJIC STAR 126.15
MLLET STAR 126.15
PARQR STAR 125.35
RASLN STAR 126.15
STOCR STAR 126.15
UNARM STAR 135.6

Approach

CHARLOTTE APPROACH 120.05
Initial Contact - 120-295 8000 FT & BLW
CHARLOTTE APPROACH 120.5
Initial Contact - 246-074 ABV 8000 FT
CHARLOTTE APPROACH 124.0
Initial Contact - 075-245 ABV 8000 FT
CHARLOTTE APPROACH 126.15
CHARLOTTE APPROACH 128.325
Initial Contact - 001-119 8000 FT & BLW
CHARLOTTE APPROACH 134.75
Initial Contact - 296-360 8000 FT & BLW

Departure

BARMY DP 124.0
BEAVY DP 120.5
RWY 36L, 36C
BEAVY DP 124.0
RWY 18L, 18R, 18C, 36R
BOBZY DP 120.5
CHARLOTTE DEPARTURE 120.05
Initial Contact - 120-295 8000 FT & BLW
CHARLOTTE DEPARTURE 120.5
Initial Contact - 246-074 ABV 8000 FT
CHARLOTTE DEPARTURE 124.0
Initial Contact - 075-245 ABV 8000 FT
CHARLOTTE DEPARTURE 128.325
Initial Contact - 001-119 8000 FT & BLW
CHARLOTTE DEPARTURE 134.75
Initial Contact - 296-360 8000 FT & BLW
CHARLOTTE DP 120.5
HARAY & PITTY TRANSITIONS. RWY 36L, 36C
CHARLOTTE DP 124.0
BUCKL, GANTS, LILLS & RUNIE TRANSITIONS.
CHARLOTTE DP 124.0
RWY 18L, 18R, 18C, 36R
ESTRR DP 120.5
ICONS DP 120.5
RWY 36L, 36C
ICONS DP 124.0
RWY 18L, 18R, 18C, 36R
JOJJO DP 120.5
KERMIT DP 120.5
235-055
KERMIT DP 124.0
055-235
KILNS DP 124.0
KNIGHTS DP 120.05
DEBIE, NEANO TRANSITIONS
KNIGHTS DP 120.05
FLYYN, CEGAL TRANSITIONS, 18L, 18C, 18R
KNIGHTS DP 120.5
FLYYN, CEGAL TRANSITIONS RWY 36L, 36C, 36R
KNIGHTS DP 128.325
055-235
KNIGHTS DP 128.325
PEKNN, LILLS, HAMLN, ANDYS TRANSITIONS
KRITR DP 120.5
KWEEN DP 120.5
RWY 36L, 36C
KWEEN DP 124.0
RWY 18L, 18R, 18C, 36R
LILLS DP 124.0
WEAZL DP 120.5

Flight Service

Flight Service 122.4
(RDU)

Emergency

Emergency 121.5

Other

CLASS B 120.05
120-295 8000 FT & BLW
CLASS B 120.5
246-074 ABV 8000 FT
CLASS B 124.0
075-245 ABV 8000 FT
CLASS B 128.325
001-119 8000 FT & BLW
CLASS B 134.75
296-360 8000 FT & BLW

Terminal Area Forecast

KCLT
Wed, 3/4 12:31 AM EST
Wed, 3/4 1:00 AM EST - Thu, 3/5 7:00 AM EST
MVFR
1:00 AM EST - 6:00 AM EST
Broken 2,300'
6sm
220° 3kts
VFR
6:00 AM EST - 9:00 AM EST
Mist
Scattered 2,000'
6sm
230° 3kts
VFR
9:00 AM EST - 12:00 AM EST
Scattered 4,000'
6sm
210° 6kts
MVFR
12:00 AM EST - 7:00 AM EST
Broken 2,900'
6sm
200° 4kts
TAF KCLT 040531Z 0406/0512 22003KT P6SM BKN023
   FM041100 23003KT 6SM BR SCT020
   FM041400 21006KT P6SM SCT040
   FM050500 20004KT P6SM BKN029
KCLT
EffectiveExpiresCategoryNOTAM
Domestic
3/4/26
1500Z
3/4/26
2200Z
!CLT 03/042 CLT NAV ILS RWY 36C GP U/S 2603041500-2603042200
3/4/26
1500Z
3/4/26
1930Z
!CLT 02/569 CLT SVC TAR/SSR U/S 2603041500-2603041930
3/4/26
0453Z
3/4/26
1200Z
!CLT 03/049 CLT TWY C10, C11, C12 CLSD 2603040453-2603041200
3/4/26
0453Z
3/4/26
1200Z
!CLT 03/048 CLT TWY C BTN TWY M AND TWY C12 CLSD 2603040453-2603041200
3/4/26
0453Z
3/4/26
1200Z
Runway!CLT 03/047 CLT RWY 18L/36R CLSD 2603040453-2603041200
3/4/26
0400Z
4/15/26
1000Z
!CLT 03/022 CLT OBST CRANE (ASN UNKNOWN) 351312N0805636W (0.38NM NE CLT)
UNKNOWN (325FT AGL) FLAGGED AND LGTD DLY 0400-1000 2603040400-2604151000
3/4/26
0358Z
3/4/26
1200Z
!CLT 03/046 CLT TWY J BTN TWY B AND TWY G CLSD 2603040358-2603041200
3/4/26
0358Z
3/4/26
1030Z
Runway!CLT 03/045 CLT RWY 18C/36C CLSD 2603040358-2603041030
3/4/26
0302Z
4/4/26
1800Z
!CLT 03/044 CLT TWY T EDGE LGT U/S 2603040302-2604041800
3/4/26
0301Z
4/4/26
1800Z
!CLT 03/043 CLT TWY V EDGE LGT U/S 2603040301-2604041800
3/3/26
0300Z
3/11/26
1100Z
!CLT 02/556 CLT OBST CRANE (ASN 2024-ASO-10020-NRA) 351315N0805643W (0.5NM NNE CLT) 826FT (120FT AGL) FLAGGED AND LGTD 2603030300-2603111100
3/2/26
1600Z
4/4/26
1600Z
!CLT 03/021 CLT OBST CRANE (ASN 2024-ASO-5205-NRA) 351147N0805709W (1.1NM S CLT) 768FT (75FT AGL) FLAGGED AND LGTD 2603021600-2604041600
3/2/26
1600Z
4/4/26
1600Z
!CLT 03/020 CLT OBST CRANE (ASN 2024-ASO-5204-NRA) 351150N0805712W (1.0NM SSW CLT) 760FT (75FT AGL) FLAGGED AND LGTD 2603021600-2604041600
3/2/26
1553Z
4/4/26
1600Z
!CLT 03/019 CLT OBST CRANE (ASN 2024-ASO-5203-NRA) 351154N0805712W (1.0NM SSW CLT) 753FT (75FT AGL) FLAGGED AND LGTD 2603021553-2604041600
3/2/26
0102Z
1/1/27
1800Z
!CLT 03/009 CLT TWY D EDGE MARKINGS BTN TWY J AND TWY M NORTHEAST SIDE NOT STD 2603020102-2701011800
3/2/26
0039Z
1/1/27
1800Z
!CLT 03/008 CLT TWY D EDGE MARKINGS BTN TWY A AND TWY J NORTHEAST SIDE NOT STD 2603020039-2701011800
2/28/26
2330Z
!CLT 02/580 CLT NAV ILS RWY 36C CAT III NA 2602282330-2603072000EST
2/28/26
0539Z
3/31/26
2359Z
!CLT 02/575 CLT TWY A EDGE MARKINGS BTN TWY D AND TWY A7 NOT STD 2602280539-2603312359
2/25/26
1842Z
4/3/26
1100Z
!CLT 02/512 CLT TWY E9 CL LGT U/S 2602251842-2604031100
2/25/26
1840Z
3/27/26
1100Z
!CLT 02/511 CLT TWY V BTN TWY S AND TWY V4 CLSD 2602251840-2603271100
2/25/26
1839Z
3/27/26
1100Z
!CLT 02/510 CLT TWY S BTN TWY W AND RWY 18C/36C CLSD 2602251839-2603271100
2/25/26
1717Z
3/4/26
1030Z
!CLT 02/508 CLT APRON TERMINAL TXL CLSD SPOT 22C 2602251717-2603041030
2/25/26
1716Z
3/4/26
1030Z
!CLT 02/507 CLT APRON TERMINAL TXL CLSD SPOT 22S 2602251716-2603041030
2/25/26
1716Z
3/4/26
1030Z
!CLT 02/506 CLT TWY G BTN TERMINAL RAMP AND TWY J CLSD TO ACFT WINGSPAN MORE THAN 118FT 2602251716-2603041030
2/24/26
1808Z
4/3/26
1200Z
!CLT 02/497 CLT TWY E6, E7, E8 CLSD 2602241808-2604031200
2/24/26
1805Z
4/3/26
1200Z
!CLT 02/496 CLT TWY V5 BTN RWY 18C/36C AND TWY E CLSD 2602241805-2604031200
2/24/26
1802Z
4/3/26
1200Z
!CLT 02/495 CLT TWY E BTN TWY E14 AND TWY E17 CLSD 2602241802-2604031200
2/24/26
1801Z
4/3/26
1200Z
!CLT 02/494 CLT TWY E16 CLSD 2602241801-2604031200
2/24/26
1800Z
4/3/26
1200Z
!CLT 02/493 CLT TWY E15 CLSD 2602241800-2604031200
2/20/26
1756Z
Runway!CLT 02/447 CLT RWY 18C PAPI HIGH INTST U/S 2602201756-2603062000EST
2/19/26
1233Z
8/31/26
1200Z
!CLT 02/404 CLT OBST CRANE (ASN 2024-ASO-12983-NRA) 351302N0805716W (0.3NM NW CLT) 818FT (100FT AGL) FLAGGED AND LGTD 2602191233-2608311200
2/19/26
1232Z
8/31/26
1200Z
!CLT 02/403 CLT OBST CRANE (ASN 2024-ASO-12982-NRA) 351243N0805715W (0.3NM WSW CLT) 810FT (100FT AGL) FLAGGED AND LGTD 2602191232-2608311200
2/19/26
1231Z
8/31/26
1200Z
!CLT 02/402 CLT OBST CRANE (ASN 2024-ASO-12981-NRA) 351243N0805717W (0.3NM WSW CLT) 812FT (100FT AGL) FLAGGED AND LGTD 2602191231-2608311200
2/19/26
1229Z
8/31/26
1200Z
!CLT 02/401 CLT OBST CRANE (ASN 2024-ASO-12980-NRA) 351302N0805719W (0.4NM NW CLT) 822FT (100FT AGL) FLAGGED AND LGTD 2602191229-2608311200
2/19/26
1220Z
8/31/26
1200Z
!CLT 02/400 CLT OBST CRANE (ASN 2024-ASO-12974-NRA) 351242N0805722W (0.4NM WSW CLT) 813FT (100FT AGL) FLAGGED AND LGTD 2602191220-2608311200
2/19/26
1220Z
8/31/26
1200Z
!CLT 02/399 CLT OBST CRANE (ASN 2024-ASO-12973-NRA) 351241N0805724W (0.4NM WSW CLT) 812FT (100FT AGL) FLAGGED AND LGTD 2602191220-2608311200
2/19/26
1219Z
8/31/26
1200Z
!CLT 02/398 CLT OBST CRANE (ASN 2024-ASO-12972-NRA) 351311N0805727W (0.5NM NW CLT) 829FT (100FT AGL) FLAGGED AND LGTD 2602191219-2608311200
2/19/26
1208Z
8/31/26
1200Z
!CLT 02/397 CLT OBST CRANE (ASN 2024-ASO-12971-NRA) 351312N0805724W (0.5NM NW CLT) 828FT (100FT AGL) FLAGGED AND LGTD 2602191208-2608311200
2/16/26
1324Z
3/16/26
2300Z
Runway!CLT 02/349 CLT RWY 18R PAPI U/S 2602161324-2603162300
2/14/26
1130Z
Runway!CLT 02/316 CLT RWY 18R SEQUENCED FLG LGT U/S 2602141130-2603062000EST
2/10/26
1005Z
6/30/26
1200Z
Runway!CLT 02/257 CLT RWY 18C/36C EDGE MARKINGS W SIDE NOT STD 2602101005-2606301200
2/9/26
1053Z
5/10/26
0500Z
!CLT 02/236 CLT OBST TOWER LGT (ASR 1062168) 351820.70N0805112.00W (7.4NM NE CLT) 1053.1FT (230.0FT AGL) U/S 2602091053-2605100500
1/25/26
1102Z
7/31/26
1200Z
!CLT 01/327 CLT APRON TERMINAL TXL SFC MARKINGS NOT STD 2601251102-2607311200
1/21/26
1415Z
3/31/26
1200Z
Runway!CLT 01/236 CLT RWY 18C/36C REDL NOT STD 2601211415-2603311200
1/12/26
1100Z
11/30/26
1700Z
!CLT 01/101 CLT TWY D2 CLSD TO ACFT WINGSPAN MORE THAN 171FT 2601121100-2611301700
1/12/26
1100Z
11/30/26
1700Z
!CLT 01/100 CLT TWY D1 CLSD TO ACFT WINGSPAN MORE THAN 171FT 2601121100-2611301700
1/12/26
1100Z
11/30/26
1700Z
!CLT 01/099 CLT TWY D BTN TWY D3 AND TWY D1 CLSD TO ACFT WINGSPAN MORE THAN 171FT 2601121100-2611301700
12/12/25
0521Z
!CLT 12/149 CLT NAV ILS RWY 36L IM U/S 2512120521-2603182111EST
12/3/25
1445Z
12/23/26
1700Z
!CLT 12/048 CLT TWY A6 CLSD 2512031445-2612231700
12/3/25
1445Z
12/23/26
1700Z
!CLT 12/047 CLT TWY A5 CLSD 2512031445-2612231700
12/2/25
1418Z
8/20/26
1200Z
!CLT 12/027 CLT OBST CRANE (ASN 2025-ASO-566-NRA) 351315N0805628W (0.7NM NE CLT) 849FT (124FT AGL) FLAGGED AND LGTD 2512021418-2608201200
11/23/25
0921Z
3/27/26
1200Z
!CLT 11/232 CLT TWY U CL MARKINGS BTN TWY F AND APCH END RWY 36C NOT STD 2511230921-2603271200
11/18/25
1100Z
5/20/26
1600Z
!CLT 11/154 CLT TWY N BTN TWY W AND TWY V WIP HAUL ROUTE XNG 2511181100-2605201600
11/17/25
1226Z
3/27/26
1200Z
!CLT 11/151 CLT TWY M EDGE MARKINGS BTN RWY 18L/36R AND TWY M3 NOT MARKED 2511171226-2603271200
11/17/25
1223Z
3/27/26
1200Z
!CLT 11/150 CLT TWY A9 EDGE MARKINGS NOT STD 2511171223-2603271200
10/31/25
0946Z
3/31/26
1200Z
!CLT 10/297 CLT TWY V15 TWY DIRECTION SIGN SOUTH SIDE FOR TWY V NOT STD 2510310946-2603311200
10/27/25
0359Z
10/27/26
0359Z
!CLT 10/240 CLT AIRSPACE UAS WI AN AREA DEFINED AS .5NM RADIUS OF 351934N0805958W (6.3NM NNW CLT) SFC-400FT AGL 2510270359-2610270359
8/31/25
1200Z
8/31/26
1200Z
!CLT 08/599 CLT AIRSPACE UAS WI AN AREA DEFINED AS .5NM RADIUS OF 351637N0805508W (3.5NM NNE CLT) SFC-200FT AGL 2508311200-2608311200
6/30/25
0821Z
!CLT 06/708 CLT NAV ILS RWY 36C IM U/S 2506300821-2606252111EST
6/30/25
0807Z
!CLT 06/707 CLT NAV ILS RWY 18R IM U/S 2506300807-2606182111EST
FDC
3/4/26
1330Z
3/11/26
0029Z
!FDC 6/3200 CLT SID CHARLOTTE/DOUGLAS INTL, CHARLOTTE, NC.
CHARLOTTE THREE DEPARTURE...
KERMIT FOUR DEPARTURE...
KNIGHTS THREE DEPARTURE...
DEPARTURE PROCEDURE NA EXCEPT FOR ACFT EQUIPPED WITH SUITABLE RNAV SYSTEM WITH GPS,
CLT DME OUT OF SERVICE. 2603041330-2603110029EST
3/4/26
1330Z
3/10/26
2355Z
!FDC 6/3021 CLT SID CHARLOTTE/DOUGLAS INTL, CHARLOTTE, NC.
CHARLOTTE THREE DEPARTURE...
KERMIT FOUR DEPARTURE...
KNIGHTS THREE DEPARTURE...
DEPARTURE PROCEDURE NA EXCEPT FOR ACFT EQUIPPED WITH SUITABLE RNAV SYSTEM WITH GPS,
CLT VOR/DME OUT OF SERVICE. 2603041330-2603102355EST
3/4/26
1330Z
3/10/26
2355Z
!FDC 6/3013 CLT IAP CHARLOTTE/DOUGLAS INTL, CHARLOTTE, NC.
ILS OR LOC RWY 18R, AMDT 2A...
ILS RWY 18R (SA CAT I), AMDT 2A...
ILS RWY 18R (CAT II-III), AMDT 2A...
PROCEDURE NA EXCEPT FOR ACFT EQUIPPED WITH SUITABLE RNAV SYSTEM WITH GPS.
CLT VOR/DME OUT OF SERVICE AND BZM VOR OUT OF SERVICE.
2603041330-2603102355EST
3/4/26
1330Z
3/10/26
2355Z
!FDC 6/3012 CLT IAP CHARLOTTE/DOUGLAS INTL, CHARLOTTE, NC.
ILS OR LOC RWY 36L, AMDT 1B...
ILS RWY 36L (SA CAT I), AMDT 1B...
ILS RWY 36L (CAT II-III) AMDT 1B...
PROCEDURE NA EXCEPT FOR ACFT EQUIPPED WITH SUITABLE RNAV SYSTEM WITH GPS.
CLT VOR/DME OUT OF SERVICE AND BZM VOR OUT OF SERVICE.
2603041330-2603102355EST
3/4/26
1330Z
3/10/26
2355Z
!FDC 6/3011 CLT IAP CHARLOTTE/DOUGLAS INTL, CHARLOTTE, NC.
ILS OR LOC RWY 36C, AMDT 17...
ILS RWY 36C (CAT II-III), AMDT 17...
PROCEDURE NA EXCEPT FOR ACFT EQUIPPED WITH SUITABLE RNAV SYSTEM WITH GPS.
CLT VOR/DME OUT OF SERVICE AND BZM VOR OUT OF SERVICE.
2603041330-2603102355EST
3/4/26
1330Z
3/10/26
2355Z
!FDC 6/3009 CLT IAP CHARLOTTE/DOUGLAS INTL, CHARLOTTE, NC.
ILS OR LOC RWY 36R, AMDT 12A...
ILS RWY 36R (SA CAT I), AMDT 12A...
ILS RWY 36R (CAT II AND III), AMDT 12A...
MISSED APPROACH: CLIMB TO 1320 THEN CLIMBING RIGHT TURN TO 4000 ON HEADING 065 AND GSO VORTAC R-226 TO EDDEL/GSO 54.04 DME AND HOLD (DME REQUIRED),
CLT VOR/DME OUT OF SERVICE. 2603041330-2603102355EST
3/4/26
1330Z
3/10/26
2355Z
!FDC 6/3007 CLT IAP CHARLOTTE/DOUGLAS INTL, CHARLOTTE, NC.
ILS OR LOC RWY 18C, AMDT 11...
MISSED APPROACH: CLIMB TO 3000 ON HEADING 183 AND CTF VOR/DME R-304 TO DENNE/CTF 37.94 DME/RADAR AND HOLD,
CLT VOR/DME OUT OF SERVICE. 2603041330-2603102355EST
3/4/26
1330Z
3/10/26
2355Z
!FDC 6/3006 CLT IAP CHARLOTTE/DOUGLAS INTL, CHARLOTTE, NC.
ILS OR LOC RWY 18L, AMDT 10A...
MISSED APPROACH: CLIMB TO 1300 THEN CLIMBING LEFT TURN TO 4000 ON HEADING 090 AND ON CTF VOR/DME R-349 TO LOCAS/CTF 34.06 DME AND HOLD (DME REQUIRED),
CLT VOR/DME OUT OF SERVICE. 2603041330-2603102355EST
3/1/26
0152Z
!FDC 6/1773 CLT IAP CHARLOTTE/DOUGLAS INTL, CHARLOTTE, NC.
RNAV (GPS) Y RWY 36R, AMDT 4C...
LPV DA 979/HAT 252 ALL CATS. TEMPORARY CRANES 1049 MSL 1.2NM NW OF RWY 36R (2025-ASO-12304 THRU 12315-NRA).
2603010152-2604300152EST
3/1/26
0152Z
!FDC 6/1772 CLT IAP CHARLOTTE/DOUGLAS INTL, CHARLOTTE, NC.
RNAV (GPS) Y RWY 36C, AMDT 3F...
LPV DA 996/HAT 289 ALL CATS, VIS ALL CATS RVR 4000. FOR INOP ALS, INCREASE LPV ALL CATS VISIBILITY TO RVR 4500. TEMPORARY CRANES 1049 MSL 1.2NM NE OF RWY 36C (2025-ASO-12304 THRU 12315-NRA).
2603010152-2604300152EST
3/1/26
0152Z
!FDC 6/1771 CLT IAP CHARLOTTE/DOUGLAS INTL, CHARLOTTE, NC.
ILS OR LOC RWY 36C, AMDT 17...
S-ILS 36C DA 996/HAT 289 ALL CATS, VIS ALL CATS RVR 4000. TEMPORARY CRANES 1049 MSL 1.2NM NE OF RWY 36C (2025-ASO-12304 THRU 12315-NRA).
2603010152-2604300152EST
3/1/26
0152Z
!FDC 6/1770 CLT IAP CHARLOTTE/DOUGLAS INTL, CHARLOTTE, NC.
ILS RWY 36R (SA CAT I), AMDT 12A ...
ILS RWY 36R (CAT II-III), AMDT 12A ...
PROCEDURE NA. TEMPORARY CRANES 1049 MSL 1.2NM NW OF RWY 36R (2025-ASO-12304 THRU 12315-NRA) 2603010152-2604300152EST
3/1/26
0152Z
!FDC 6/1769 CLT IAP CHARLOTTE/DOUGLAS INTL, CHARLOTTE, NC.
ILS OR LOC RWY 36R, AMDT 12A...
S-ILS 36R DA 979/HAT 252 ALL CATS. S-LOC 36R MDA 1200/HAT 473 ALL CATS, VIS CATS C/D RVR 5000. TEMPORARY CRANES 1049 MSL 1.2NM NW OF RWY 36R (2025-ASO-12304 THRU 12315-NRA).
2603010152-2604300152EST
3/1/26
0151Z
!FDC 6/1768 CLT IAP CHARLOTTE/DOUGLAS INTL, CHARLOTTE, NC.
RNAV (GPS) Y RWY 18L, AMDT 5...
LNAV/VNAV DA 1260/HAT 512 ALL CATS, VIS ALL CATS 1 3/8. LNAV MDA 1360/HAT 612 ALL CATS, VIS CATS C/D 1 3/4. VDP 1.7 NM TO RW18L. TEMPORARY CRANES 1049 MSL 2506FT SW OF RWY 18L (2025-ASO-12304 THRU 12315-NRA). TEMPORARY CRANES UP TO 939 MSL BEGINNING 3188FT W OF RWY 18L (2023-ASO-9540 THRU 9547-NRA). TEMPORARY CRANE 959 MSL 2365FT W OF RWY 18L (2024-ASO-3023-NRA).
2603010151-2609010151EST
3/1/26
0151Z
!FDC 6/1765 CLT IAP CHARLOTTE/DOUGLAS INTL, CHARLOTTE, NC.
RNAV (GPS) Y RWY 18C, AMDT 4...
LPV DA 1055/HAT 313 ALL CATS. LNAV/VNAV DA 1170/HAT 428 ALL CATS, VIS ALL CATS RVR 4000. LNAV MDA 1260/HAT 518 ALL CATS, VIS CATS C/D RVR 5500. VDP 1.4 NM TO RW18C. FOR INOP ALS, INCREASE LPV ALL CATS VISIBILITY TO RVR 4500 AND LNAV CAT C/D VISIBILITY TO 1 3/8 SM. TEMPORARY CRANES UP TO 939 MSL BEGINNING 1610FT SE OF RWY 18C (2023-ASO-9540 THRU 9547-NRA). TEMPORARY CRANE 959 MSL 3141FT SE OF RWY 18C (2024-ASO-3023-NRA). TEMPORARY CRANES 1049 MSL 3670FT SE OF RWY 18C (2025-ASO-12304 THRU 12315-NRA).
2603010151-2609010151EST
2/20/26
1345Z
!FDC 6/7398 CLT SID CHARLOTTE/DOUGLAS INTL, CHARLOTTE, NC.
CHARLOTTE THREE DEPARTURE...
KERMIT FOUR DEPARTURE...
KNIGHTS THREE DEPARTURE...
TAKEOFF MINIMUMS: RWY 18C, 300-1 1/4 OR STANDARD WITH MINIMUM CLIMB OF 229 FT PER NM TO 1000 (2025-ASO-25005-OE). TEMPORARY CRANE 858 MSL 5986FT SW OF DEPT END RWY 18C (2025-ASO-25005-OE). ALL OTHER DATA REMAINS AS PUBLISHED. 2602201345-2607151345EST
2/20/26
1345Z
!FDC 6/7397 CLT ODP CHARLOTTE/DOUGLAS INTL, CHARLOTTE, NC.
TAKEOFF MINIMUMS AND (OBSTACLE) DEPARTURE PROCEDURES AMDT 8A...
TAKEOFF MINIMUMS: RWY 18C, 300-1 1/4 OR STANDARD WITH MINIMUM CLIMB OF 229 FT PER NM TO 1000 (2025-ASO-25005-OE). TEMPORARY CRANE 858 MSL 5986FT SW OF DEPT END RWY 18C (2025-ASO-25005-OE). ADD TAKEOFF OBSTACLE NOTES: RWY 18C, TEMPORARY CRANE 1273FT FROM DER, 469FT LEFT OF CENTERLINE, 60FT AGL/726FT MSL (2024-ASO-6889-NRA). RWY 36C, TEMPORARY CRANE 2547FT FROM DER, 1153FT LEFT OF CENTERLINE, 100FT AGL/ 809FT MSL (2024-ASO-5362-NRA). RWY 36R, TEMPORARY CRANES BEGINNING 1091FT FROM DER, BEGINNING 394FT RIGHT OF CENTERLINE, 36FT AGL/ 786FT MSL (2023-ASO-1332 THRU 1335-NRA). ALL OTHER DATA REMAINS AS PUBLISHED. 2602201345-2607151345EST
2/19/26
1848Z
!FDC 6/6937 CLT IAP CHARLOTTE/DOUGLAS INTL, CHARLOTTE, NC.
ILS RWY 36C (CAT II-III) AMDT 17 ...
PROCEDURE NA. TEMPORARY CRANE 810FT MSL 4436FT NORTH OF RWY 36C (2024-ASO-12982-NRA). TEMPORARY CRANE 818FT MSL 1.05NM NORTH OF RWY 36C (2024-ASO-12983-NRA) 2602191848-2611151848EST
2/11/26
1908Z
!FDC 6/2700 CLT IAP CHARLOTTE/DOUGLAS INTL, CHARLOTTE, NC.
RNAV (GPS) Y RWY 36L, AMDT 1C...
LNAV MDA 1300/HAT 556 ALL CATS, VIS CATS C/D RVR 6000. VDP 1.5 NM TO RW36L. TEMPORARY CRANE 993 MSL 1.8NM S OF RWY 36L (2026-ASO-1369-OE).
2602111908-2604181908EST
2/11/26
1908Z
!FDC 6/2697 CLT IAP CHARLOTTE/DOUGLAS INTL, CHARLOTTE, NC.
ILS OR LOC RWY 36L, AMDT 1B...
S-LOC 36L MDA 1260/HAT 516 ALL CATS, VIS CATS C/D RVR 5500. VDP AT I-XUU 2.7 DME; DISTANCE VDP TO THLD 1.4NM. TEMPORARY CRANE 993 MSL 1.8NM S OF RWY 36L (2026-ASO-1369-OE).
2602111908-2604181908EST
1/20/26
1541Z
!FDC 6/5021 CLT IAP CHARLOTTE/DOUGLAS INTL, CHARLOTTE, NC.
RNAV (RNP) Z RWY 18C, AMDT 1...
RNP 0.11 DA 1099/HAT 357 ALL CATS, VIS ALL CATS RVR 3000. FOR INOP ALS, INCREASE RNP 0.11 ALL CATS VISIBILITY TO RVR 5500. TEMPORARY CRANES UP TO 939 MSL BEGINNING 1610FT SE OF RWY 18C (2023-ASO-9540 THRU 9547-NRA). TEMPORARY CRANES 830 MSL BEGINNING 4690FT N OF RWY 18C (2022-ASO-6704 THRU 6707-NRA).
2601201541-2609012355EST
1/20/26
1540Z
!FDC 6/5019 CLT IAP CHARLOTTE/DOUGLAS INTL, CHARLOTTE, NC.
ILS OR LOC RWY 18C, AMDT 11...
S-ILS 18C DA 1054/HAT 312 ALL CATS. CHANGE NOTE TO READ: FOR INOP ALS, INCREASE S-ILS 18C ALL CATS VISIBILITY TO RVR 4500, AND S-LOC 18C CAT C/D VISIBILITY TO 1 3/8 SM. TEMPORARY CRANES UP TO 939 MSL BEGINNING 1610FT SE OF RWY 18C (2023-ASO-9540 THRU 9547-NRA).
2601201540-2609012355EST
1/6/26
1728Z
!FDC 6/0944 CLT IAP CHARLOTTE/DOUGLAS INTL, CHARLOTTE, NC.
ILS RWY 36L (CAT II-III), AMDT 1B ...
S-ILS 36L CAT II NA EXCEPT FOR AIRCRAFT EQUIPPED WITH RADAR ALTIMETER, I-XUU IM OUT OF SERVICE 2601061728-2608181728EST
1/6/26
1728Z
!FDC 6/0943 CLT IAP CHARLOTTE/DOUGLAS INTL, CHARLOTTE, NC.
ILS OR LOC RWY 36C, AMDT 17...
ILS RWY 36C (CAT II-III), AMDT 17...
DISREGARD NOTE: DQG ILS LLZ RWY 36C UNUSABLE FOR ROLLOUT GUIDANCE.
2601061728-2608181728EST
12/15/25
1803Z
!FDC 5/9340 CLT IAP CHARLOTTE/DOUGLAS INTL, CHARLOTTE, NC.
RNAV (GPS) Y RWY 36C, AMDT 3F...
DISREGARD NOTE: LNAV PROCEDURE NA DURING SIMULTANEOUS OPERATIONS. I-DQG ILS OR GLIDESLOPE OUT OF SERVICE.
2512151803-2604061803EST
10/3/25
1526Z
!FDC 5/5815 CLT IAP CHARLOTTE/DOUGLAS INTL, CHARLOTTE, NC.
ILS RWY 36C (CAT II AND III), AMDT 17 ...
S-ILS 36C CAT II NA EXCEPT FOR AIRCRAFT EQUIPPED WITH RADAR ALTIMETER. I-DQG INNER MARKER OUT OF SERVICE. 2510031526-2605151526EST
4/10/25
1701Z
!FDC 5/4889 CLT IAP CHARLOTTE/DOUGLAS INTL, CHARLOTTE, NC.
ILS OR LOC RWY 18L, AMDT 10A...
S-ILS 18L DA 1100/HAT 352 ALL CATS, VIS ALL CATS RVR 5500. ZIMOG FIX MINIMUMS (DME REQUIRED): S-LOC 18L MDA 1160/HAT 412 ALL CATS.
2504101701-2704101701EST
4/10/25
1701Z
!FDC 5/4888 CLT IAP CHARLOTTE/DOUGLAS INTL, CHARLOTTE, NC.
RNAV (GPS) Y RWY 18L, AMDT 5...
LPV DA 1100/HAT 352 ALL CATS, VIS ALL CATS RVR 5500.
2504101701-2704101701EST
4/4/25
1642Z
!FDC 5/2381 CLT SID CHARLOTTE/DOUGLAS INTL, CHARLOTTE, NC.
CHARLOTTE THREE DEPARTURE...
RUNIE TRANSITION MOCA 2600.
ALL OTHER DATA REMAINS AS PUBLISHED. 2504041642-2704041642EST
3/21/25
1545Z
!FDC 5/6307 CLT IAP CHARLOTTE/DOUGLAS INTL, CHARLOTTE, NC.
RNAV (GPS) Y RWY 36L, AMDT 1C...
LNAV/VNAV DA 1120/HAT 376 VIS RVR 3500.
2503211545-2703211545EST
9/13/24
1606Z
!FDC 4/5047 CLT IAP CHARLOTTE/DOUGLAS INTL, CHARLOTTE, NC.
ILS OR LOC RWY 36C, AMDT 17...
ILS RWY 36C (CAT II-III), AMDT 17...
RADAR REQUIRED EXCEPT FOR ACFT EQUIPPED WITH SUITABLE RNAV SYSTEM WITH GPS.
CLT DME UNUSABLE R185-R205.
2409131606-2609131604EST
3/21/24
0901Z
!FDC 4/9229 CLT SID CHARLOTTE/DOUGLAS INTL, CHARLOTTE, NC.
KNIGHTS THREE DEPARTURE ...
ANDYS TRANSITION: NA EXCEPT FOR ACFT EQUIPPED WITH SUITABLE RNAV SYSTEM WITH GPS. CLT VOR/DME 185-205 UNUSABLE. 2403210901-2603211732EST
3/21/24
0901Z
!FDC 4/9228 CLT SID CHARLOTTE/DOUGLAS INTL, CHARLOTTE, NC.
KERMIT FOUR DEPARTURE ...
ANDYS TRANSITION, TREAL TRANSITION: NA EXCEPT FOR ACFT EQUIPPED WITH SUITABLE RNAV SYSTEM WITH GPS. CLT VOR/DME 185-205 UNUSABLE. 2403210901-2603211732EST
Yes
ALL
J8 FUEL ALSO AVBL.
CITY OF CHARLOTTE
600 EAST FOURTH ST
CHARLOTTE, NC 28202
Phone: 704-336-2241
HALEY GENTRY
5601 WILKINSON BLVD.
CHARLOTTE, NC 28208
Phone: 704-359-4000
RALEIGH FSS (RDU)
Toll Free: 1-800-WX-BRIEF
CLT
Sunset to Sunrise
--
N/A
Yes - Lighted
No
No
Tie-Down
Landing Rights Airport
NOT an Airport of Entry
Major
Major
None
High & Low Pressure
Air Freight
Air Ambulance
Avionics
Cargo Handling
Charter Service
Aircraft Rental
Aircraft Sales
Annual Surveying

Runway 18C/36C

10000 ft. x 150 ft.
CONC  
Good 
GRVD 
HIGH 
 
93,000lbs 
200,000lbs 
350,000lbs 
650,000lbs 
  Runway 18C Runway 36C
True Heading 176°356°
Traffic Pattern
Markings PIR PIR
Markings Condition GOOD GOOD
Latitude 35° 13' 39"N 35° 11' 60"N
Longitude 80° 57' 11"W 80° 57' 03"W
Elevation 742' 692'
Threshold Crossing Height 69 ft. AGL 72 ft. AGL
Visual Glide Path Angle
Visual Slope Indicator P4R P4L
Approach Lights MALSR ALSF2
Centerline Lights Yes Yes
Runway End Identifier Lights

Runway 18L/36R

8676 ft. x 150 ft.
ASPH CONC  
Good 
GRVD 
HIGH 
 
93,000lbs 
200,000lbs 
350,000lbs 
650,000lbs 
  Runway 18L Runway 36R
True Heading 176°356°
Traffic Pattern Left Left
Markings PIR PIR
Markings Condition GOOD GOOD
Latitude 35° 13' 29"N 35° 12' 03"N
Longitude 80° 56' 10"W 80° 56' 03"W
Elevation 746' 723'
Threshold Crossing Height 76 ft. AGL 71 ft. AGL
Visual Glide Path Angle
Visual Slope Indicator P4L P4R
Approach Lights ALSF2
Centerline Lights Yes Yes
Runway End Identifier Lights Yes

Runway 18R/36L

9000 ft. x 150 ft.
CONC  
Excellent 
GRVD 
HIGH 
 
93,000lbs 
200,000lbs 
350,000lbs 
650,000lbs 
  Runway 18R Runway 36L
True Heading 176°356°
Traffic Pattern
Markings PIR PIR
Markings Condition GOOD GOOD
Latitude 35° 13' 31"N 35° 12' 02"N
Longitude 80° 58' 03"W 80° 57' 55"W
Elevation 744' 744'
Threshold Crossing Height 65 ft. AGL 70 ft. AGL
Visual Glide Path Angle 2.8°
Visual Slope Indicator P4R P4L
Approach Lights ALSF2 ALSF2
Centerline Lights Yes Yes
Runway End Identifier Lights
A110-1RWY SFC COND INFO DURG DUTY HRS PHONE ANG OPS V583-9177/9144 OR AIRBORNE 292.2.
A110-10RWY STATUS LGTS IN OPR.
A110-11TWY C4 AND C6: WHEN TAXIING AIRCRAFT WITH COCKPIT TO MAIN GEAR DISTANCE GREATER THAN 90 FT, PILOT MUST PERFORM JUDGEMENTAL OVERSTEERING INSTEAD OF COCKPIT OVER CENTERLINE STEERING.
A110-12GROUP IV ACFT WITH A WINGSPAN GTR THAN 118 FT ARE PROHIBITED FM EXITING RWY 18L/36R AT TWY C10.
A110-13TWY C10 UNUSBL FOR TXG ONTO RWY 18L/36R.
A110-14CLT RAMP, NON-MOVMT AREA, IS CTLD RAMP; CTC RAMP CTL PRIOR TO ENTERING.
A110-18GROUP III ACFT WITH A WINGSPAN GTR THAN 79 FT ARE PROHIBITED FM MAKING A NBND TURN ONTO TWY C WHEN TAXIING WB ON TWY A.
A110-19TWY D, RESTRICTED TO 15 MPH OR LESS WITH WINGSPAN 171 FT AND GREATER.
A110-20GROUP III ACFT WITH A WINGSPAN GTR THAN 79 FT ARE PROHIBITED FM MAKING A SBND TURN ONTO TWY C WHEN TAXIING NWBND ON TWY R.
A110-21TWY C FROM THE APCH OF RWY 18L TO TWY J AND TWY M FROM THE APRON TO RWY 18L/36R RSTRD TO 15 MPH OR LESS WITH WINGSPAN 171 FT AND GTR.
A110-22GROUP VI ACFT WITH A WINGSPAN GTR THAN 214 FT (65M) ARE PROHIBITED ON TWY M BETWEEN THE TRML RAMP AND TWY C, AS WELL AS TWY C NORTH OF TWY M.
A110-23ALL ACFT ARE PROHIBITED FM EXITING RWY 36R SEBD AT TWY R.
A110-24TRML RAMP ORANGE TXL FROM SPOT 1W TO SPOT 27E MAX WINGSPAN 118 FT.
A110-25TRML RAMP ORANGE TXL FROM SPOT 26S TO SPOT 27E MAX WINGSPAN 118 FT.
A110-26TRML RAMP BLUE TXL FROM SPOT 1E TO SPOT 27W MAX WINGSPAN 118 FT.
A110-27TRML RAMP ORANGE TXL FROM SPOT 29E TO SPOT 34N MAX WINGSPAN 82 FT.
A110-28TRML RAMP BLUE TXL AT SPOT 28S BTN CONCOURSE D & E ALLEY MAX WINGSPAN 118 FT.
A110-29TRML RAMP BLUE TXL FROM SPOT 26N TO SPOT 27W MAX WINGSPAN 118 FT.
A110-30TRML RAMP ORANGE TXL AT SPOT 28N BETWEEN CONCOURSE D & E ALLEY MAX WINGSPAN 94 FT.
A110-31AIRPLANE DESIGN GROUP-V AND ABV ACFT ARE PROHIBITED FM DEP RWY 18L.
A110-32ACFT WITH WINGSPAN GTR THAN 118 FT USE JUDGMENTAL OVERSTEER INSTEAD OF COCKPIT OVER CNTRLN STEERING ENTERING AND EXITING RWY 18L/36R.
A110-4BE ALERT FOR FLOCKS OF MIGRATORY BIRDS ON & INVOF ARPT.
A110-8MILITARY: ANG: CTC COMD POST 30 MIN PRIOR LDG. AMOPS/COMD POST - 292.25 (CALL NEWSREEL).
A110-9SUCCESSIVE OR SIMULTANEOUS DEPARTURES FROM RWY 18L AND RWY 18C ARE APPROVED WITH COURSE DIVERGENCE BEGINNING NO FURTHER THAN 4 MILES FROM END OF RWY.
A17-M1J8 FUEL ALSO AVBL.
A30-18L/36RENGINEERED MATERIALS ARRESTING GEAR SYSTEM (EMAS) 255 FT IN LENGTH BY 170 FT IN WIDTH AT THE DEPARTURE END OF RWY 36R.
A39-18C/36CPCR VALUE: 1009/R/C/W/T
A39-18L/36RPCR VALUE: 1076/R/D/W/T
A39-18R/36LPCR VALUE: 627/R/C/W/T
A70-100LLA++(MIL), 100 & O-156 AVBL.
A74LIQUID OXYGEN ALSO AVBL.
E111ARPT EXISTED PRIOR TO 1958.
CHARLOTTE/DOUGLAS INTL (ICAO: KCLT, IATA: CLT) is a public airport located in CHARLOTTE, NC, US.