iFlightPlanner

 

...
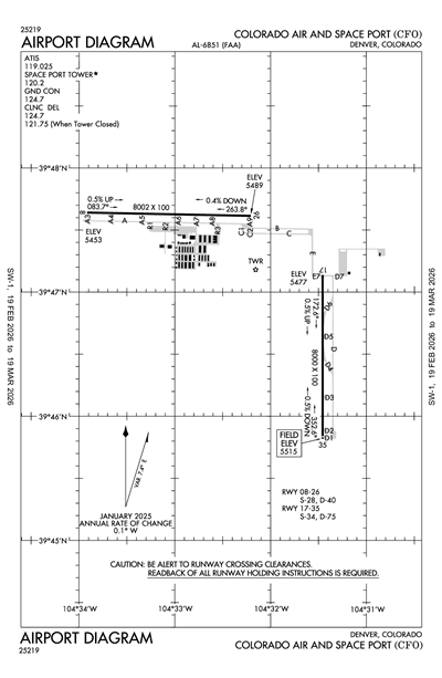
COLORADO AIR AND SPACE PORT - Airport Diagram
LiveATC.net: Live Air Traffic - From Their Headsets to You

KCFO
COLORADO AIR AND SPACE PORT
PublicPUB

19 miles E of DENVER, CO
LiveATC.net: Live Air Traffic - From Their Headsets to You
Operational
39° 47' 03"N 104° 32' 15"W
5515' MSL
6503' MSL
08E
JET A, 100LL
DENVER (DEN)
DENVER
DENVER (ZDV)
4/17/25-5/15/25
KCFO IFR
3:47 PM MST  
Overcast 800'
10sm
32°F
30°F
29.74"Hg
010° 8kts
METAR KCFO 082247Z 01008KT 10SM OVC008 00/M01 A2974

KCFO FBOs

No FBOs (Fixed Base Operators) are listed for this airport.
X

Send Message to Airport Company
Enter your information and message below.

Your Information
 
Processing 

Terminal Area Forecast

KDEN (7nm)
Thu, 1/8 2:00 PM MST
Thu, 1/8 2:00 PM MST - Fri, 1/9 5:00 PM MST
MVFR
2:00 PM MST - 5:00 PM MST
Showers in vicinity
Overcast 2,500'
Scattered 1,500'
Few 600'
6sm
360° 9kts
IFR
2:00 PM MST - 5:00 PM MST
Light Showers and Snow
Broken 600'
2sm
Calm
IFR
5:00 PM MST - 9:00 PM MST
Light Snow and Mist
Overcast 1,200'
Scattered 800'
1.5sm
Calm
MVFR
5:00 PM MST - 10:00 PM MST
Overcast 2,500'
Scattered 1,200'
6sm
VRB° 5kts
LIFR
Temporary 10:00 PM MST - 2:00 AM MST
Light Showers and Snow and Mist
Overcast 800'
0.75sm
Calm
MVFR
10:00 PM MST - 3:00 AM MST
Light Snow
Overcast 2,000'
Scattered 800'
3sm
360° 10kts
IFR
Temporary 3:00 AM MST - 5:00 AM MST
Light Showers and Snow
Broken 800'
3sm
Calm
MVFR
3:00 AM MST - 6:00 AM MST
Showers in vicinity
Overcast 4,000'
Broken 2,000'
Scattered 1,200'
6sm
360° 13kts
VFR
6:00 AM MST - 11:00 AM MST
Broken 3,500'
Scattered 1,500'
6sm
350° 14kts
Gusts 22kts
VFR
11:00 AM MST - 5:00 PM MST
Few 5,000'
6sm
360° 14kts
Gusts 22kts
TAF KDEN 082100Z 0821/0924 36009KT P6SM VCSH FEW006 SCT015 OVC025
   PROB30 0821/0824 2SM -SHSN BKN006
   FM090000 VRB05KT P6SM SCT012 OVC025
   PROB30 0900/0904 1 1/2SM -SN BR SCT008 OVC012
   FM090500 36010KT 3SM -SN SCT008 OVC020
   TEMPO 0905/0909 3/4SM -SHSN BR OVC008
   FM091000 36013KT P6SM VCSH SCT012 BKN020 OVC040
   TEMPO 0910/0912 3SM -SHSN BKN008
   FM091300 35014G22KT P6SM SCT015 BKN035
   FM091800 36014G22KT P6SM FEW050
KCFO
EffectiveExpiresCategoryNOTAM
Domestic
1/5/26
2001Z
1/10/26
0600Z
!CFO 01/003 CFO OBST RIG (ASN 2025-ANM-5438-OE) 394742N1043731W (4.1NM W CFO) 5534FT (116FT AGL) FLAGGED AND LGTD 2601052001-2601100600
1/5/26
1713Z
1/19/26
2330Z
!CFO 01/002 CFO OBST CRANE (ASN 2025-ANM-1174-OE) 394552N1043054W (1.6NM SE CFO) 5704FT (185FT AGL) FLAGGED AND LGTD 2601051713-2601192330
12/29/25
1649Z
1/31/26
2359Z
!CFO 12/066 CFO OBST TOWER LGT (ASR 1024258) 393959.00N1043928.00W (9.0NM SW CFO) 5941.6FT (265.7FT AGL) U/S 2512291649-2601312359
FDC
1/7/26
1545Z
1/14/26
2345Z
!FDC 6/0918 CFO SID COLORADO AIR AND SPACE PORT, DENVER, CO.
ROCKIES SEVEN DEPARTURE ...
MEEKER TRANSITION: NA EXCEPT FOR ACFT EQUIPPED WITH SUITABLE RNAV SYSTEM WITH GPS, EKR VOR/DME OUT OF SERVICE. 2601071545-2601142345EST
1/6/26
1730Z
1/19/26
2030Z
!FDC 6/0662 CFO SID COLORADO AIR AND SPACE PORT, DENVER, CO.
ROCKIES SEVEN DEPARTURE...
DEPARTURE PROCEDURE.
KREMMLING TRANSITION, MEEKER TRANSITION, NA EXCEPT FOR ACFT EQUIPPED WITH SUITABLE RNAV SYSTEM WITH GPS.
BLUE MESA TRANSITION, DOVE CREEK TRANSITION, MONTROSE TRANSITION DME REQUIRED EXCEPT FOR ACFT EQUIPPED WITH SUITABLE RNAV SYSTEM WITH GPS,
RLG VOR/DME OUT OF SERVICE. 2601061730-2601192030EST
1/5/26
1625Z
3/3/26
1625Z
!FDC 6/0549 CFO IAP COLORADO AIR AND SPACE PORT, DENVER, CO.
ILS OR LOC RWY 35, AMDT 2B...
ALTERNATE MINIMUMS NA EXCEPT FOR ACFT EQUIPPED WITH SUITABLE RNAV SYSTEM WITH GPS,
DVV VORTAC UNMONITORED. 2601051625-2603031625EST
1/5/26
1434Z
8/17/26
1434Z
!FDC 6/0374 CFO SID COLORADO AIR AND SPACE PORT, DENVER, CO.
PIKES THREE DEPARTURE...
ALAMOSA TRANSITION, BINKE TRANSITION NA EXCEPT FOR ACFT EQUIPPED WITH SUITABLE RNAV SYSTEM WITH GPS,
ALS VORTAC OUT OF SERVICE. 2601051434-2608171434EST
12/29/25
1445Z
1/29/26
1445Z
!FDC 5/3427 CFO IAP COLORADO AIR AND SPACE PORT, DENVER, CO.
ILS OR LOC RWY 17, AMDT 1C...
ILS OR LOC RWY 26, AMDT 6B...
ILS OR LOC RWY 35, AMDT 2B...
ALTERNATE MINIMUMS NA EXCEPT FOR ACFT EQUIPPED WITH SUITABLE RNAV SYSTEM WITH GPS,
FQF VORTAC UNMONITORED. 2512291445-2601291445EST
12/11/25
1820Z
!FDC 5/7991 CFO IAP COLORADO AIR AND SPACE PORT, DENVER, CO.
ILS OR LOC RWY 17, AMDT 1C...
ALTERNATE MINIMUMS NA EXCEPT FOR ACFT EQUIPPED WITH SUITABLE RNAV SYSTEM WITH GPS,
TXC VORTAC UNMONITORED. 2512111820-2602181820EST
11/21/25
1455Z
!FDC 5/0338 CFO SID COLORADO AIR AND SPACE PORT, DENVER, CO.
PLAINS TWO DEPARTURE...
GARDEN CITY TRANSITION NA EXCEPT FOR ACFT EQUIPPED WITH SUITABLE RNAV SYSTEM WITH GPS,
GCK VORTAC OUT OF SERVICE. 2511211455-2602111455EST
9/26/25
1700Z
9/26/27
2359Z
!FDC 5/0968 CFO STAR COLORADO AIR AND SPACE PORT AIRPORT, DENVER,
CO.
DANDD ONE ARRIVAL: INCREASE ALL MOCA VALUES TO 8300. ALL OTHER DATA
REMAINS AS PUBLISHED 2509261700-2709262359
9/16/25
1846Z
!FDC 5/5228 CFO IAP COLORADO AIR AND SPACE PORT, DENVER, CO.
RNAV (GPS) RWY 17, AMDT 1D...
MISSED APPROACH: CLIMB TO 8500 DIRECT VIBPU AND ON TRACK 160 TO HUNTN AND HOLD, CONTINUE CLIMB-IN-HOLD TO 8500.
2509161846-2709161846EST
8/22/25
1532Z
!FDC 5/1813 CFO SID COLORADO AIR AND SPACE PORT, DENVER, CO.
ROCKIES SEVEN DEPARTURE...
DOVE CREEK TRANSITION AND MONTROSE TRANSITION NA EXCEPT FOR ACFT EQUIPPED WITH SUITABLE RNAV SYSTEM WITH GPS,
MTJ VOR/DME OUT OF SERVICE.
2508221532-2604031532EST
7/9/25
2000Z
!FDC 5/4206 CFO IAP COLORADO AIR AND SPACE PORT, DENVER, CO.
ILS OR LOC RWY 17, AMDT 1C...
ILS OR LOC RWY 26, AMDT 6B...
ILS OR LOC RWY 35, AMDT 2B...
RNAV (GPS) RWY 17, AMDT 1D...
RNAV (GPS) RWY 26, AMDT 2A...
CIRCLING MDA 6060/HAA 545 CAT A/B. TEMPORARY CRANE 5697FT MSL 2.38NM SOUTH OF CFO AIRPORT (2024-ANM-5099-OE).
2507092000-2601151621EST
7/9/25
2000Z
!FDC 5/4205 CFO IAP COLORADO AIR AND SPACE PORT, DENVER, CO.
RNAV (GPS) RWY 35, AMDT 2A...
LNAV/VNAV DA 6049/HAT 534 ALL CATS. VISIBILITY ALL CATS 1. CIRCLING MDA 6060/HAA 545 CAT A/B. TEMPORARY CRANE 5697FT MSL 1.02NM SOUTH OF RWY 35 (2024-ANM-5099-OE).
2507092000-2601151621EST
7/9/25
2000Z
!FDC 5/4203 CFO ODP COLORADO AIR AND SPACE PORT, DENVER, CO.
TAKEOFF MINIMUMS AND (OBSTACLE) DEPARTURE PROCEDURES AMDT 3B...
TAKE-OFF MINIMUMS: RWY 17, 300-1 1/4 OR STANDARD WITH MINIMUM CLIMB OF 325 FT PER NM TO 5900. TEMPORARY CRANE 5747FT FROM DER, 1459FT LEFT OF CENTERLINE, 115FT AGL/5697FT MSL (2024-ANM-5099-OE).
2507092000-2601151621EST
Yes
0700-2100
AFT HR SVC - AMGR.
ADAMS COUNTY
4430 SOUTH ADAMS COUNTY PKWY
BRIGHTON, CO 80601
Phone: (303) 659-2120
JEFF KLOSKA
5200 FRONT RANGE PKWY
WATKINS, CO 80137
Phone: 303-261-9100
DENVER FSS (DEN)
Toll Free: 1-800-WX-BRIEF
CFO
--
ACTVT MALSR RWY 26 & 35; REIL RWY 08 & 17; PAPI RWY 08 & 26, 17 & 35; HIRL RWY 08/26; MIRL RWY 17/35 - CTAF.
N/A
Yes - Lighted
Yes
No
Hanger, Tie-Down
No
Major
Major
None
High & Low Pressure
Crop Dusting
Avionics
Charter Service
Pilot Instruction
Aircraft Rental
Aircraft Sales

Runway 08/26

8002 ft. x 100 ft.
ASPH  
Good 
NONE 
HIGH 
 
28,000lbs 
40,000lbs 
-- 
-- 
  Runway 08 Runway 26
True Heading 91°271°
Traffic Pattern Right
Markings PIR PIR
Markings Condition FAIR FAIR
Latitude 39° 47' 38"N 39° 47' 37"N
Longitude 104° 33' 55"W 104° 32' 12"W
Elevation 5,453' 5,489'
Threshold Crossing Height 50 ft. AGL 50 ft. AGL
Visual Glide Path Angle
Visual Slope Indicator P2L P2L
Approach Lights MALSR
Centerline Lights
Runway End Identifier Lights Yes

Runway 17/35

8000 ft. x 100 ft.
ASPH  
Good 
NONE 
MED 
 
34,000lbs 
75,000lbs 
-- 
-- 
  Runway 17 Runway 35
True Heading 180°360°
Traffic Pattern Right
Markings PIR PIR
Markings Condition FAIR FAIR
Latitude 39° 47' 08"N 39° 45' 49"N
Longitude 104° 31' 27"W 104° 31' 27"W
Elevation 5,476' 5,515'
Threshold Crossing Height 55 ft. AGL 56 ft. AGL
Visual Glide Path Angle
Visual Slope Indicator P4L P4L
Approach Lights MALSR
Centerline Lights
Runway End Identifier Lights Yes
A110-1TWY EDGE LIGHTS ALONG A, B, C, D, & E.
A110-2NOISE SENSITIVE AREAS SE, S & SW OF ARPT. AVOID FLT BLW 1000 FT OVR POPULATED AREAS.
A110-4CTN: USAF TRNG ACT INVOF COLORADO SPRINGS & PUEBLO ARPT.
A17AFT HR SVC - AMGR.
A70-FUEL-100LL 100LL SELF SVC AVBL H24 WITH CREDIT CARD.
A81-APTACTVT MALSR RWY 26 & 35; REIL RWY 08 & 17; PAPI RWY 08 & 26, 17 & 35; HIRL RWY 08/26; MIRL RWY 17/35 - CTAF.
COLORADO AIR AND SPACE PORT (ICAO: KCFO, IATA: CFO) is a public airport located in DENVER, CO.