iFlightPlanner

 

...
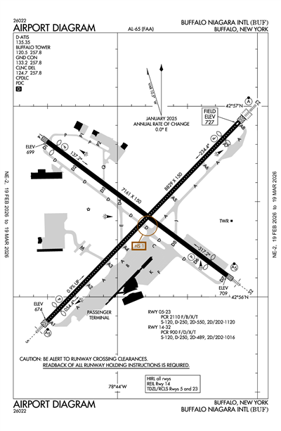
BUFFALO NIAGARA INTL - Airport Diagram
LiveATC.net: Live Air Traffic - From Their Headsets to You

KBUF
ICAO KBUFIATA BUFLocal BUF
BUFFALO NIAGARA INTL
PublicPUB

5 miles E of BUFFALO, NY, US
LiveATC.net: Live Air Traffic - From Their Headsets to You
Status
Operational
Coordinates
42° 56' 26"N 78° 43' 50"W
Elevation
727' MSL
Pattern Alt
1727' MSL
Mag Variation
11°W
Declination
11°W
Fuel
JET A, 100LL
FSS
BUFFALO (BUF)
Sectional
DETROIT
ARTCC
CLEVELAND (ZOB)
Data Effective
2/19/26-3/19/26
KBUF LIFR
10:54 PM EST  
Mist
Overcast 200'
1sm
33°F
33°F
30.18"Hg
VRB° 3kts
AO2 RAE43 SLP228 P0000 T00060006 $
METAR KBUF 040354Z VRB03KT 1SM R23/5500VP6000FT BR OVC002 01/01 A3018 RMK AO2 RAE43 SLP228 P0000 T00060006 $

KBUF FBOs

No FBOs (Fixed Base Operators) are listed for this airport.
X

Send Message to Airport Company
Enter your information and message below.

Your Information
 
Processing 

Weather and Advisory

Digital ATIS 135.35
ASOS (716) 587-0517

Clearance

BUFFALO CLEARANCE DELIVERY 124.7

Ground

BUFFALO GROUND 133.2

Tower

BUFFALO TOWER 120.5

Approach

BUFFALO APPROACH 126.15
Initial Contact - 053-233
BUFFALO APPROACH 126.5
234-052

Departure

BUFFALO DEPARTURE 126.15
Initial Contact - 053-233
BUFFALO DEPARTURE 126.5
234-052

Flight Service

Flight Service 122.2

Emergency

Emergency 121.5

Other

CLASS C 126.15
053-233
CLASS C 126.5
234-052

Terminal Area Forecast

KBUF
Tue, 3/3 6:26 PM EST
Tue, 3/3 7:00 PM EST - Wed, 3/4 7:00 PM EST
IFR
7:00 PM EST - 10:00 PM EST
Light Drizzle and Mist
Broken 900'
1sm
VRB° 3kts
MVFR
Temporary 8:00 PM EST - 10:00 PM EST
Light Showers and Rain and Mist
No Clouds
3sm
Calm
IFR
10:00 PM EST - 1:00 AM EST
Mist
Overcast 700'
1sm
Calm
MVFR
1:00 AM EST - 3:00 AM EST
Mist
Overcast 1,200'
4sm
VRB° 3kts
IFR
3:00 AM EST - 8:00 AM EST
Mist
Broken 3,500'
2sm
VRB° 3kts
MVFR
8:00 AM EST - 12:00 PM EST
Mist
Broken 17,000'
4sm
VRB° 3kts
VFR
12:00 PM EST - 7:00 PM EST
Scattered 20,000'
6sm
230° 4kts
TAF KBUF 032326Z 0400/0424 VRB03KT 1SM -DZ BR BKN009
   TEMPO 0401/0403 3SM -SHRA BR
   FM040300 00000KT 1SM BR OVC007
   FM040600 VRB03KT 4SM BR OVC012
   FM040800 VRB03KT 2SM BR BKN035
   FM041300 VRB03KT 4SM BR BKN170
   FM041700 23004KT P6SM SCT200
KBUF
EffectiveExpiresCategoryNOTAM
Domestic
2/25/26
0457Z
2/26/26
0457Z
!BUF 02/540 BUF APRON ALL FICON PATCHY ICE AND 1/2IN DRY SN OVER COMPACTED SN BA MEDIUM OBS AT 2602250457. 2602250457-2602260457
2/25/26
0456Z
2/26/26
0456Z
!BUF 02/539 BUF TWY ALL FICON 1/2IN DRY SN OVER PATCHY COMPACTED SN AND PATCHY ICE BA GOOD TO MEDIUM OBS AT 2602250456. 2602250456-2602260456
2/25/26
0409Z
2/25/26
2300Z
Runway!BUF 02/538 BUF RWY 14/32 CLSD 2602250409-2602252300
2/25/26
0402Z
2/26/26
0402Z
Runway!BUF 02/534 BUF RWY 23 FICON 5/5/5 100 PCT 1/8IN DRY SN OBS AT 2602250402. 2602250402-2602260402
2/24/26
1404Z
2/27/26
2300Z
!BUF 02/526 BUF APRON ALL SFC MARKINGS OBSC 2602241404-2602272300
2/24/26
1404Z
2/27/26
2300Z
!BUF 02/525 BUF TWY ALL SFC MARKINGS OBSC 2602241404-2602272300
2/24/26
1404Z
2/25/26
1600Z
!BUF 02/524 BUF APRON TXL F CLSD 2602241404-2602251600
2/23/26
1216Z
3/2/26
2359Z
Runway!BUF 02/490 BUF RWY 23 RWY EXIT SIGN AT TWY A5 LGT U/S 2602231216-2603022359
2/23/26
1216Z
3/2/26
2359Z
Runway!BUF 02/489 BUF RWY 23 RWY EXIT SIGN AT TWY A2 LGT U/S 2602231216-2603022359
2/23/26
1215Z
3/2/26
2300Z
Runway!BUF 02/488 BUF RWY 14 3000FT DIST REMAINING SIGN LGT U/S 2602231215-2603022300
2/23/26
1215Z
3/2/26
2300Z
Runway!BUF 02/487 BUF RWY 32 4000FT DIST REMAINING SIGN LGT U/S 2602231215-2603022300
2/23/26
1214Z
2/28/26
2300Z
!BUF 02/486 BUF TWY A4 HLDG PSN SIGN FOR RWY 05/23 LGT U/S 2602231214-2602282300
2/23/26
1213Z
2/27/26
2300Z
!BUF 02/485 BUF AD AP ALL SFC WIP SN REMOVAL 2602231213-2602272300
2/21/26
2037Z
2/28/26
2359Z
!BUF 02/427 BUF APRON WEST REMAIN OVERNIGHT RAMP WIP SN REMOVAL 15FT SN PILE ADJ TERMINAL RAMP 2602212037-2602282359
2/20/26
0607Z
3/6/26
2300Z
Runway!BUF 02/394 BUF RWY 23 RWY EXIT SIGN AT TWY A5 LGT U/S 2602200607-2603062300
2/19/26
2248Z
3/5/26
2300Z
!BUF 02/388 BUF TWY A EDGE LGT BTN TWY A1 AND TWY A4 NOT STD 2602192248-2603052300
2/19/26
1927Z
!BUF 02/384 BUF NAV ILS RWY 23 GP U/S 2602191927-2602272000EST
2/18/26
0333Z
Runway!BUF 02/354 BUF RWY 23 SEQUENCED FLG LGT U/S 2602180333-2603062000EST
2/15/26
1908Z
2/27/26
2300Z
!BUF 02/330 BUF TWY P HLDG PSN SIGN FOR APCH END RWY 14 LGT U/S 2602151908-2602272300
2/5/26
1754Z
3/6/26
2300Z
!BUF 02/068 BUF APRON AIR CARGO RAMP WIP SN REMOVAL 20FT SN PILE N EDGE 2602051754-2603062300
1/5/26
1647Z
3/31/26
2359Z
!BUF 01/114 BUF OBST TOWER (ASN UNKNOWN) 425720N0783903W (3.8NM E BUF)
1028FT (300FT AGL) NOT LGTD 2601051647-2603312359
12/8/25
2210Z
3/8/26
0500Z
!BUF 12/178 BUF OBST TOWER LGT (ASR 1308960) 425446.28N0784254.10W (1.8NM SSE BUF) 795FT (126FT AGL) U/S 2512082210-2603080500
11/25/25
1519Z
!BUF 11/274 BUF NAV ILS RWY 05 OM U/S 2511251519-2605262111EST
11/25/25
1518Z
!BUF 11/273 BUF NAV ILS RWY 23 OM U/S 2511251518-2605262111EST
11/3/25
1205Z
5/31/26
2300Z
!BUF 11/012 BUF TWY D EDGE MARKINGS FADED 2511031205-2605312300
11/3/25
1204Z
5/31/26
2300Z
!BUF 11/011 BUF TWY E EDGE MARKINGS FADED 2511031204-2605312300
11/3/25
1204Z
5/31/26
2300Z
!BUF 11/010 BUF TWY ALL CL MARKINGS FADED 2511031204-2605312300
10/27/25
1430Z
5/31/26
2300Z
!BUF 10/207 BUF APRON TERMINAL RAMP NONMOVEMENT AREA BDRY MARKINGS FADED 2510271430-2605312300
9/30/25
1124Z
6/1/26
2300Z
!BUF 09/230 BUF APRON TXL B, C, F SFC MARKINGS NOT STD 2509301124-2606012300
FDC
3/10/25
1359Z
!FDC 5/0863 BUF IAP BUFFALO NIAGARA INTL, BUFFALO, NY.
RNAV (GPS) Y RWY 23, AMDT 2D...
LNAV/VNAV DA 1101/HAT 375 ALL CATS. VISIBILITY ALL CATS RVR 3500.
2503101359-2703101359EST
Yes
ALL
NIAGARA FRONTIER TRAN AUTH
181 ELLICOTT ST, PO BOX 5008
BUFFALO, NY 14205
Phone: 716-855-7300
LEE WEITZ
4200 GENESEE ST
BUFFALO, NY 14225
Phone: (716) 630-6030
BUFFALO FSS (BUF)
Toll Free: 1-800-WX-BRIEF
BUF
--
--
N/A
Yes - Lighted
No
Yes
Hanger, Tie-Down
Landing Rights Airport
NOT an Airport of Entry
Major
Major
High & Low Pressure
High & Low Pressure
Air Freight
Air Ambulance
Avionics
Cargo Handling
Charter Service
Pilot Instruction
Aircraft Rental
Aircraft Sales
Annual Surveying

Runway 05/23

8829 ft. x 150 ft.
ASPH  
Good 
GRVD 
HIGH 
 
120,000lbs 
250,000lbs 
550,000lbs 
1,120,000lbs 
  Runway 05 Runway 23
True Heading 44°224°
Traffic Pattern Left Left
Markings PIR PIR
Markings Condition GOOD GOOD
Latitude 42° 55' 52"N 42° 56' 55"N
Longitude 78° 44' 30"W 78° 43' 08"W
Elevation 674' 727'
Threshold Crossing Height 50 ft. AGL 52 ft. AGL
Visual Glide Path Angle
Visual Slope Indicator P4L P4R
Approach Lights MALSR ALSF2
Centerline Lights Yes Yes
Runway End Identifier Lights

Runway 14/32

7161 ft. x 150 ft.
ASPH  
Good 
GRVD 
HIGH 
 
120,000lbs 
250,000lbs 
489,000lbs 
1,016,000lbs 
  Runway 14 Runway 32
True Heading 127°307°
Traffic Pattern Left Left
Markings NPI PIR
Markings Condition GOOD GOOD
Latitude 42° 56' 49"N 42° 56' 07"N
Longitude 78° 44' 30"W 78° 43' 13"W
Elevation 699' 709'
Threshold Crossing Height 53 ft. AGL 54 ft. AGL
Visual Glide Path Angle
Visual Slope Indicator P4L P4L
Approach Lights MALSR
Centerline Lights
Runway End Identifier Lights Yes No
A110-2HEAVY CONCENTRATION OF GULLS; BLACKBIRDS & STARLINGS UP TO 5000 FT ON & INVOF ARPT.
A110-3DEER ON & INVOF ARPT.
A110-5FOR FBO SVCS CTC 131.75; FOR CARGO SVCS CTC 122.95.
A110-6TWY A SW RUNUP AREA/HLDG BAY MKD DESIGN GROUP 3 ACFT (GENERALLY B737 A321 OR SMALLER) UNAVBL DESIGN GROUP 4 (INCL BUT NOT LTD TO B757 767).
A110-7TWY 'K1' CLSD 2100-0800 DAILY.
A110-8TWY P BTN APCH END RWY 14 AND TWY P2 CLSD TO ACFT WINGSPAN MORE THAN 117 FT.
A26ARFF INDEX D EQUIPMENT COVERAGE PROVIDED.
A39-05/23PCR VALUE: 2110/F/B/X/T
A39-14/32PCR VALUE: 900/F/D/X/T
A57-05RWY 05 APCH SLOPE 45:1 TO DSPLCD THLD.
A57-14RWY 14 APCH SLOPE 29:1 TO DSPLCD THLD.
A58-05RWY 05 HAS +3 FT POLE LIGHT POLE 59 FT FM RWY END, 497 FT RIGHT.
A58-32+7 FT OBSTRUCTION LIGHTED FENCE , 0 FT FM RWY END, 480 FT LEFT.
E111EXISTED PRIOR TO 1959.
BUFFALO NIAGARA INTL (ICAO: KBUF, IATA: BUF) is a public airport located in BUFFALO, NY, US.