iFlightPlanner

 

...
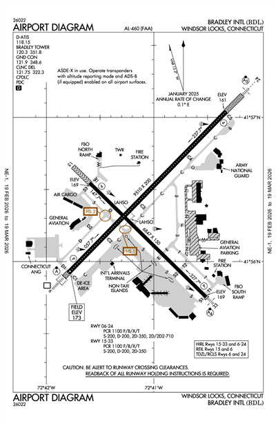
BRADLEY INTL - Airport Diagram
LiveATC.net: Live Air Traffic - From Their Headsets to You

KBDL
ICAO KBDLIATA BDLLocal BDL
BRADLEY INTL
PublicPUB

3 miles W of WINDSOR LOCKS, CT, US
LiveATC.net: Live Air Traffic - From Their Headsets to You
Status
Operational
Coordinates
41° 56' 21"N 72° 41' 04"W
Elevation
173' MSL
Pattern Alt
1173' MSL
Mag Variation
13°W
Declination
14°W
Fuel
JET A, 100LL
FSS
BRIDGEPORT (BDR)
Sectional
NEW YORK
ARTCC
BOSTON (ZBW)
Data Effective
2/19/26-3/19/26
KBDL LIFR
1:51 AM EST  
Light Freezing Rain and Mist
Overcast 6,000'
Broken 1,300'
Broken 300'
2.5sm
31°F
30°F
30.17"Hg
160° 4kts
AO2 SLP220 P0006 I1002 T10061011 $
METAR KBDL 040651Z 16004KT 2 1/2SM -FZRA BR BKN003 BKN013 OVC060 M01/M01 A3017 RMK AO2 SLP220 P0006 I1002 T10061011 $

KBDL FBOs

No FBOs (Fixed Base Operators) are listed for this airport.
X

Send Message to Airport Company
Enter your information and message below.

Your Information
 
Processing 

Weather and Advisory

Digital ATIS 118.15
(860) 386-3570
ASOS 118.15
(860) 386-3480

Common

UNICOM 122.95

Clearance

Clearance Delivery 121.75

Ground

BRADLEY GROUND 121.9

Tower

BRADLEY TOWER 120.3

Arrival

DEER PARK STAR 123.95
061-240
DEER PARK STAR 125.35
241-060
STELA STAR 125.35

Approach

BRADLEY APPROACH 123.95
Initial Contact - 061-240
BRADLEY APPROACH 125.35
Initial Contact - 241-060
BRADLEY APPROACH 127.225

Departure

BRADLEY DEPARTURE 123.95
Initial Contact - 061-240
BRADLEY DEPARTURE 125.35
Initial Contact - 241-060

Emergency

Emergency 121.5

Military

ANG OPS 138.55
NG OPS 41.9
NG OPS 123.45

Other

CLASS C 123.95
061-240
CLASS C 125.35
241-060
CLASS C 127.225

Terminal Area Forecast

KBDL
Wed, 3/4 12:20 AM EST
Wed, 3/4 1:00 AM EST - Thu, 3/5 7:00 AM EST
IFR
1:00 AM EST - 3:00 AM EST
Light Freezing Rain and Mist
Overcast 500'
2sm
Calm
LIFR
3:00 AM EST - 10:00 AM EST
Mist
Overcast 300'
3sm
Calm
VFR
10:00 AM EST - 11:00 PM EST
Scattered 25,000'
6sm
VRB° 3kts
MVFR
11:00 PM EST - 7:00 AM EST
Mist
Scattered 15,000'
3sm
Calm
TAF KBDL 040520Z 0406/0512 00000KT 2SM -FZRA BR OVC005
   FM040800 00000KT 3SM BR OVC003
   FM041500 VRB03KT P6SM SCT250
   FM050400 00000KT 3SM BR SCT150
KBDL
EffectiveExpiresCategoryNOTAM
Domestic
3/6/26
0500Z
3/6/26
1100Z
!BDL 03/039 BDL COM REMOTE TRANS/REC 119.0 U/S 2603060500-2603061100
3/4/26
1400Z
3/4/26
1900Z
!BDL 03/031 BDL NAV ILS RWY 06 CAT II NA 2603041400-2603041900
3/4/26
1400Z
3/4/26
1900Z
Runway!BDL 03/030 BDL RWY 06 ALS U/S 2603041400-2603041900
3/4/26
1400Z
3/4/26
1900Z
Runway!BDL 03/020 BDL RWY 06/24 CLSD EXC 1HR PPR 860-627-3001 2603041400-2603041900
3/4/26
1300Z
3/4/26
1700Z
Runway!BDL 03/029 BDL RWY 15 RWY END ID LGT U/S 2603041300-2603041700
3/4/26
0548Z
3/5/26
0548Z
Runway!BDL 03/042 BDL RWY 06 FICON 5/5/5 20 PCT ICE AND 80 PCT WET 180FT WID DEICED LIQUID AND DEICED SOLID AND SANDED REMAINDER 1/4IN SLUSH OBS AT 2603040548. 2603040548-2603050548
3/4/26
0306Z
3/27/26
2359Z
!BDL 03/040 BDL OBST TOWER (ASN UNKNOWN) 415612N0724056W (0.1NM SE BDL)
UNKNOWN (30FT AGL) NOT LGTD 2603040306-2603272359
3/4/26
0155Z
3/5/26
0155Z
!BDL 03/038 BDL APRON ALL FICON ICE AND 1/2IN SLUSH DEICED LIQUID AND DEICED SOLID AND SWEPT AND SANDED 50FT WID OBS AT 2603040155. 2603040155-2603050155
3/4/26
0004Z
3/27/26
2359Z
!BDL 03/035 BDL SVC SMR U/S 2603040004-2603272359
3/3/26
2319Z
3/4/26
2359Z
!BDL 03/034 BDL AD AP ALL SFC WIP SN REMOVAL 2603032319-2603042359
3/3/26
2253Z
3/4/26
2253Z
!BDL 03/033 BDL TWY ALL FICON PATCHY ICE AND PATCHY 1/8IN WET SN OBS AT 2603032253. 2603032253-2603042253
3/3/26
2025Z
3/4/26
1200Z
!BDL 03/028 BDL APRON ALL SFC MARKINGS OBSC 2603032025-2603041200
3/3/26
2025Z
3/4/26
1200Z
!BDL 03/027 BDL TWY ALL SFC MARKINGS OBSC 2603032025-2603041200
3/3/26
2024Z
3/4/26
1200Z
Runway!BDL 03/026 BDL RWY 06/24 SFC MARKINGS OBSC 2603032024-2603041200
3/3/26
2008Z
3/4/26
1200Z
!BDL 03/022 BDL TWY C3, C2, G, W, S2, S1, T2, T1, T, D1, B, TWY D BTN TWY D2 AND TWY D1, TWY D BTN RWY 15/33 AND TWY S, TWY S3 BTN TWY S AND APCH END RWY 15 CLSD 2603032008-2603041200
3/3/26
2007Z
3/4/26
1200Z
Runway!BDL 03/021 BDL RWY 15/33 CLSD EXC XNG 2603032007-2603041200
3/2/26
1255Z
5/31/26
2359Z
!BDL 03/014 BDL TWY S1 HLDG PSN MARKINGS FOR APCH END RWY 33 FADED 2603021255-2605312359
2/21/26
0250Z
3/6/26
2359Z
!BDL 02/224 BDL TWY S FICON 6FT SNOWBANKS OBS AT 2602210249. 2602210250-2603062359
2/14/26
2307Z
3/13/26
2359Z
!BDL 02/167 BDL TWY S ELEVATED RWY GUARD LGT BTN TWY D AND RWY 06/24 U/S 2602142307-2603132359
2/14/26
2003Z
3/13/26
2359Z
!BDL 02/166 BDL TWY C5 ELEVATED RWY GUARD LGT AT APCH END RWY 24 U/S 2602142003-2603132359
2/6/26
0019Z
4/30/26
2359Z
!BDL 02/053 BDL APRON DEICE PAD SPOT Z1 FICON 10FT SNOWBANKS OBS AT 2602060019. 2602060019-2604302359
1/28/26
0841Z
4/30/26
2300Z
!BDL 01/512 BDL TWY C4 ELEVATED RWY GUARD LGT AT RWY 06/24 U/S 2601280841-2604302300
1/28/26
0834Z
4/30/26
1300Z
!BDL 01/503 BDL APRON ATLANTIC EAST RAMP FICON 10FT SNOWBANKS OBS AT 2601280834. 2601280834-2604301300
1/28/26
0834Z
4/30/26
1300Z
!BDL 01/502 BDL APRON AIR CARGO SOUTH RAMP FICON 10FT SNOWBANKS OBS AT 2601280834. 2601280834-2604301300
1/28/26
0832Z
4/30/26
1300Z
!BDL 01/500 BDL APRON BOMBARDIER RAMP FICON 10FT SNOWBANKS OBS AT 2601280832. 2601280832-2604301300
1/1/26
2050Z
4/30/26
2359Z
!BDL 01/047 BDL APRON SIGNATURE RAMP FICON 10FT SNOWBANKS OBS AT 2601012050. 2601012050-2604302359
1/1/26
2050Z
4/30/26
2359Z
!BDL 01/046 BDL APRON AIR CARGO WEST RAMP FICON 10FT SNOWBANKS OBS AT 2601012050. 2601012050-2604302359
1/1/26
2049Z
4/30/26
2359Z
!BDL 01/045 BDL APRON TXL M FICON 10FT SNOWBANKS OBS AT 2601012049. 2601012049-2604302359
12/17/25
1741Z
Runway!BDL 12/210 BDL RWY 06 RWY END ID LGT DECOMMISSIONED 2512171741-PERM
11/7/25
2358Z
Runway!BDL 11/030 BDL RWY 24 LAND AND HOLD SHORT OPS LGT DECOMMISSIONED 2511072358-PERM
8/10/25
0710Z
Runway!BDL 08/027 BDL RWY 33 LAND AND HOLD SHORT OPS LGT DECOMMISSIONED 2508100710-PERM
FDC
2/24/26
1339Z
!FDC 6/9075 BDL IAP BRADLEY INTL, WINDSOR LOCKS, CT.
RNAV (GPS) RWY 33, AMDT 3A...
LPV DA 462/HAT 291 ALL CATS. LNAV/VNAV DA 518/HAT 347 ALL CATS. CIRCLING MDA CAT A/B 760/HAA 587. TEMPORARY CRANE 391FT MSL 2994FT WEST OF RWY 33 (2023-ANE-96-NRA).
2602241339-2604021339EST
2/23/26
1440Z
3/26/26
1440Z
!FDC 6/8339 BDL IAP BRADLEY INTL, WINDSOR LOCKS, CT.
ILS OR LOC RWY 24, AMDT 13B...
ILS RWY 24 (SA CAT I AND II), AMDT 13B...
MISSED APPROACH: CLIMB TO 3000 THEN CLIMBING RIGHT TURN TO 4000 DIRECT BAF VORTAC AND HOLD,
HFD VOR OUT OF SERVICE. 2602231440-2603261440EST
2/23/26
1440Z
3/26/26
1440Z
!FDC 6/8338 BDL IAP BRADLEY INTL, WINDSOR LOCKS, CT.
COPTER ILS OR LOC RWY 6, AMDT 2A...
ILS OR LOC RWY 33, AMDT 10D...
ILS OR LOC RWY 6, AMDT 38B...
ILS RWY 6 (SA CAT I), AMDT 38B...
ILS RWY 6 (CAT II AND III), AMDT 38B...
DME REQUIRED EXCEPT FOR ACFT EQUIPPED WITH SUITABLE RNAV SYSTEM WITH GPS,
HFD VOR OUT OF SERVICE. 2602231440-2603261440EST
5/6/25
1333Z
!FDC 5/6454 BDL IAP BRADLEY INTL, WINDSOR LOCKS, CT.
COPTER ILS OR LOC RWY 6, AMDT 2A...
PROCEDURE NA.
2505061333-2705061333EST
Military
2/24/26
1503Z
3/31/26
1930Z
CONNECTICUT AIR NTL GUARD RAMP OBSTRUCTIONS, SN PILE E TAXILANE ABEAM A4 82' FROM CL, 15' HIGH, 100' LONG AND ABEAM B4 SN PILE 72' FROM CL, 15' HIGH, 80' LONG. NW TAXILANE SN PILE 60' FROM CL, 15' HIGH, 130' LONG. S TAXILANE SN PILE 120' FROM CL, 20' HIGH, 200 LONG.
2/24/26
1446Z
3/6/26
1930Z
CONNECTICUT AIR NTL GUARD RAMP ALL MARKINGS OBSCURED DUE TO ICE.
Yes
ALL
CONNECTICUT AIRPORT AUTHORITY
AIRPORT ADMINISTRATION OFFICE TERMINAL A, 3RD FLOOR
WINDSOR LOCKS, CT 06096
Phone: 860-627-3001
MICHAEL W. SHEA, CPA
BRADLEY INTL AIRPORT
WINDSOR LOCKS, CT 06096
Phone: 860-292-2000
BRIDGEPORT FSS (BDR)
Toll Free: 1-800-WX-BRIEF
BDL
Sunset to Sunrise
--
N/A
Yes - Lighted
No
No
Hanger, Tie-Down
Landing Rights Airport
NOT an Airport of Entry
Major
Major
High & Low Pressure
High & Low Pressure
Air Freight
Avionics
Cargo Handling
Charter Service
Aircraft Sales

Runway 06/24

9510 ft. x 200 ft.
ASPH  
Excellent 
GRVD 
HIGH 
 
200,000lbs 
200,000lbs 
350,000lbs 
710,000lbs 
  Runway 06 Runway 24
True Heading 44°224°
Traffic Pattern Left Left
Markings PIR PIR
Markings Condition GOOD GOOD
Latitude 41° 55' 55"N 41° 57' 02"N
Longitude 72° 41' 48"W 72° 40' 20"W
Elevation 173' 161'
Threshold Crossing Height 71 ft. AGL 71 ft. AGL
Visual Glide Path Angle
Visual Slope Indicator P4L P4L
Approach Lights ALSF2 MALSR
Centerline Lights Yes Yes
Runway End Identifier Lights No No

Runway 15/33

6847 ft. x 150 ft.
ASPH  
Excellent 
GRVD 
HIGH 
 
200,000lbs 
200,000lbs 
350,000lbs 
-- 
  Runway 15 Runway 33
True Heading 134°314°
Traffic Pattern Left Left
Markings NPI PIR
Markings Condition GOOD GOOD
Latitude 41° 56' 33"N 41° 55' 45"N
Longitude 72° 41' 36"W 72° 40' 31"W
Elevation 169' 168'
Threshold Crossing Height 61 ft. AGL 72 ft. AGL
Visual Glide Path Angle 3.5°
Visual Slope Indicator P4L P4R
Approach Lights MALSF
Centerline Lights No No
Runway End Identifier Lights Yes
A110-1NMRS BIRDS FQTLY ON OR INVOF ARPT.
A110-11(E117) CT ANG AND U.S. ARMY NG.
A110-17MILITARY: ANG: NSTD WINGTIP CLNC WHITE DASHED LINES SPANNING BHND FRONT AND BACK OF ACFT PRKG ROWS AND WHITE GND EQPT BOXES PAINTED ON ANG RAMP.
A110-18MILITARY: ANG - DSN 636-7519/7520. C860-292-4519/4520.
A110-19MILITARY: ANG: AFLD MGR DOES NOT ISSUE OR STORE COMSEC FOR TRAN CREWS.
A110-2OPS CTC AUTOVON 636-8385; COML 860-627-3001.
A110-20CAUTION: ANG RAMP MRK MAY NOT BE APPROPRIATE FOR LARGE ACFT: FLW MARSHALLERS INSTR.
A110-21PARL TWY OPS ON TWY C & TWY B RSTRD TO ACFT WITH WINGSPANS OF 171 FT OR LESS.
A110-22ACFT REQG US CUST SVCS MUST PARK ON THE CUST SPOT W/ THE NOSE OF THE ACFT FACING SW. CTC CUST AT 860-292-1314 WHEN PARKED.
A110-23MILITARY: RMK: BASH PHASE II INCRD BIRD ACTVTY SEP-OCT AND MAR-APR.
A110-24FUEL: A++ (MIL).
A110-26FIXED WING ACFT USE LOW IDLE FOR TAXI, NO ENGINE CHECKS OR POWER RUNS ALLOWED ON THE ARNG RAMP DUE TO POSSIBLE FOD HAZARD.
A110-27MILITARY: ANG: WHEN CKG ATIS, BIRDS IN VCY MAY INDC HEIGHTENED BIRD WATCH CONDITION (BWC). USAF ACFT CTC ANG AIRFIELD OPS ON UHF FOR CURRENT BWC & ANY ASSOCD RSTRNS.
A110-28TWY C BTN TWY B & TWY C4 ACFT TAX SPD RSTRN OF 8 KTS/10 MPH MAX FOR ACFT WITH WINGSPAN 214 FT OR GTR.
A110-29LGTD OBST ANT 36 FT AGL/205 FT MSL (RWY 24 ILS/GS ANT) 162 FT NW OF TWY C CNTRLN MARKING BTN TWY B & TWY C4.
A110-31MILITARY: ANG: OPR 1200-2030Z++ MON, TUE, FRI; 1200-0400++ WED, THU. 41.9 149.825 335.775 (HAVOC OPS).
A110-32RWY 6 DE-ICE PAD CLSD TO ACFT WITH WINGSPAN 171 FT OR GTR EXC WITH FOLLOW-ME ESCORT BY ARPT OPS.
A110-33NON-BASED DVRSN ACRS CTC ARPT OPS 860-627-3001 PRIOR TO DIVG & PRVD CO FLT OPS CTC INFO, ACFT TYPE, POB, INTL OR DOM FLT & GND OPS AGRMTS. ONLY 1 INTL ACR JETBRIDGE AVBL FOR PAX.
A110-34MILITARY: ANG: OG/CC WAIVER ON FILE FOR C-130H/J WITH OPR WT UP TO 155000 LB. ALL OTHER ACFT OVR ANG RAMP PCN RQR WAIVER FR OG/CC THRU AFLD MGMT.
A110-4MILITARY: ANG: OPR 1200-2030Z++ MON-FRI (SAT, SUN UNIT TRNG ASSEMBLY), CLSD HOL.
A110-5MILITARY: ANG: PPR V220-2356.
A110-6NO DE-ICING AVBL AT ANG.
A110-9NO TRNG FLTS, NO PLAS, NO TGLS BTN: 2300 - 0700 MON THRU SAT & 2300 - 1200 SUN.
A24LDG FEE FOR BUS/CORPORATE & REVENUE PRODUCING ACFT.
A31-06/24245 FT BY 200 FT BLAST PAD SW END.
A31-15/33100 FT BY 200 FT BLAST PAD SE END.
A39-06/24PCR VALUE: 1100/F/B/X/T
A39-15/33PCR VALUE: 1100/F/B/X/T
E111EXISTED PRIOR TO 1959.
E1471700 FT AGL HVY ACFT.
E80CUST BY PRIOR ARNGMT.
BRADLEY INTL (ICAO: KBDL, IATA: BDL) is a public airport located in WINDSOR LOCKS, CT, US.