iFlightPlanner

 

...
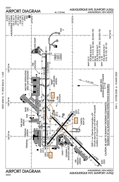
ALBUQUERQUE INTL SUNPORT - Airport Diagram
LiveATC.net: Live Air Traffic - From Their Headsets to You

KABQ
ICAO KABQIATA ABQLocal ABQ
ALBUQUERQUE INTL SUNPORT
PublicPUB

3 miles SE of ALBUQUERQUE, NM, US
LiveATC.net: Live Air Traffic - From Their Headsets to You
Status
Operational
Coordinates
35° 02' 20"N 106° 36' 30"W
Elevation
5355' MSL
Pattern Alt
6355' MSL
Mag Variation
8°E
Declination
11°E
Fuel
JET A, JET A-1, JET A-1+, 100LL
FSS
ALBUQUERQUE (ABQ)
Sectional
ALBUQUERQUE
ARTCC
ALBUQUERQUE (ZAB)
Data Effective
2/19/26-3/19/26
KABQ VFR
9:52 PM MST  
Scattered 10,000'
10sm
59°F
18°F
30.10"Hg
340° 10kts
AO2 SLP138 T01501078 $
METAR KABQ 040452Z 34010KT 10SM SCT100 15/M08 A3010 RMK AO2 SLP138 T01501078 $

KABQ FBOs

No FBOs (Fixed Base Operators) are listed for this airport.
X

Send Message to Airport Company
Enter your information and message below.

Your Information
 
Processing 

Weather and Advisory

Digital ATIS 118.0
(505) 856-4928
ASOS (505) 373-2492

Common

UNICOM 122.95

Clearance

Clearance Delivery 119.2

Ground

ALBUQUERQUE GROUND 121.9

Tower

ALBUQUERQUE TOWER 120.3
ALBUQUERQUE TOWER 123.775
Secondary

Arrival

CURLY STAR 127.4
LAVAN STAR 123.9
MIERA STAR 123.9

Approach

ALBUQUERQUE APPROACH 123.9
Initial Contact - SOUTH OF V12
ALBUQUERQUE APPROACH 127.4
ON OR NORTH OF V12
ALBUQUERQUE APPROACH 126.3
Secondary

Departure

ALBUQUERQUE DEPARTURE 123.9
Initial Contact - SOUTH OF V12
ALBUQUERQUE DEPARTURE 127.4
ON OR NORTH OF V12

Flight Service

Flight Service 122.3

Emergency

Emergency 121.5

Other

CLASS C 123.9
SOUTH OF V12
CLASS C 127.4
ON OR NORTH OF V12

Terminal Area Forecast

KABQ
Tue, 3/3 4:20 PM MST
Tue, 3/3 5:00 PM MST - Wed, 3/4 5:00 PM MST
VFR
5:00 PM MST - 7:00 PM MST
Few 12,000'
6sm
290° 12kts
Gusts 22kts
VFR
7:00 PM MST - 11:00 PM MST
Few 12,000'
6sm
330° 9kts
VFR
11:00 PM MST - 8:00 AM MST
Sky Clear
6sm
010° 6kts
VFR
Temporary 2:00 AM MST - 5:00 AM MST
No Clouds
N/A
070° 11kts
VFR
8:00 AM MST - 5:00 PM MST
Sky Clear
6sm
VRB° 4kts
TAF KABQ 032320Z 0400/0424 29012G22KT P6SM FEW120
   FM040200 33009KT P6SM FEW120
   FM040600 01006KT P6SM SKC
   TEMPO 0409/0412 07011KT
   FM041500 VRB04KT P6SM SKC
KABQ
EffectiveExpiresCategoryNOTAM
Domestic
2/25/26
1600Z
2/25/26
2200Z
!ABQ 02/274 ABQ AIRSPACE MIL AIRDROP WI AN AREA DEFINED AS 5NM RADIUS OF 345721N1063046W (7.4NM SE ABQ) SFC-6500FT AGL 2602251600-2602252200
2/25/26
1500Z
2/25/26
1700Z
!ABQ 02/266 ABQ SVC MBST/WS DETECTION SYSTEM NOT AVBL 2602251500-2602251700
2/25/26
1500Z
2/25/26
1700Z
!ABQ 02/265 ABQ SVC TAR U/S 2602251500-2602251700
2/25/26
0200Z
2/25/26
0900Z
!ABQ 02/260 ABQ AIRSPACE AIRDROP WI AN AREA DEFINED AS 5NM RADIUS OF 345721N1063046W (7.4NM SE ABQ) SFC-6500FT AGL 2602250200-2602250900
2/23/26
1700Z
2/26/26
0030Z
!ABQ 02/246 ABQ TWY A BTN TWY A1 AND TWY A12 WIP MAINT 2602231700-2602260030
2/23/26
1500Z
2/28/26
0001Z
!ABQ 02/237 ABQ TWY E1 BTN APCH END RWY 08 AND K RAMP CLSD 2602231500-2602280001
2/18/26
1618Z
!ABQ 02/196 ABQ NAV VOT U/S 2602181618-2606302111EST
2/16/26
0528Z
5/1/26
0559Z
Runway!ABQ 02/164 ABQ RWY 08/26 RCLL NOT STD 2602160528-2605010559
2/10/26
1450Z
Runway!ABQ 02/104 ABQ RWY 03 DECLARED DIST: TORA 10000FT TODA 10000FT ASDA 9754FT LDA 9754FT. 2602101450-PERM
2/2/26
1300Z
2/28/26
0500Z
!ABQ 01/324 ABQ AIRSPACE UAS WI AN AREA DEFINED AS 0.4NM RADIUS OF
350009N1063225W (4.0NM ESE ABQ) SFC-400FT AGL DLY 1300-0500
2602021300-2602280500
1/9/26
1445Z
4/10/26
2300Z
Runway!ABQ 01/086 ABQ RWY 08/26 CL MARKINGS OBSC 2601091445-2604102300
1/9/26
1400Z
7/10/26
2300Z
!ABQ 01/053 ABQ OBST CRANE (ASN 2024-ASW-8675-OE) 350229N1063228W (3.3NM E ABQ) 5606FT (180FT AGL) FLAGGED AND LGTD FRI MON TUE WED THU 1400-2300 2601091400-2607102300
1/7/26
1300Z
1/1/27
0300Z
!ABQ 01/037 ABQ AIRSPACE UAS WI AN AREA DEFINED AS 0.3NM RADIUS OF
350259N1063211W (3.6NM ENE ABQ) SFC-150FT AGL WED THU FRI MON TUE
1300-0300 2601071300-2701010300
1/7/26
1300Z
1/1/27
0300Z
!ABQ 01/036 ABQ AIRSPACE UAS WI AN AREA DEFINED AS 1.7NM RADIUS OF
345825N1062927W (7.0NM ESE ABQ) SFC-700FT AGL WED THU FRI MON TUE
1300-0300 2601071300-2701010300
12/17/25
0209Z
5/1/26
2300Z
!ABQ 12/333 ABQ TWY G LOCATION SIGN BTN TWY C AND TWY G2 LGT U/S 2512170209-2605012300
12/17/25
0207Z
5/1/26
2300Z
!ABQ 12/332 ABQ TWY G HLDG PSN SIGN FOR RWY 03/21 LGT U/S 2512170207-2605012300
12/17/25
0203Z
5/1/26
2300Z
Runway!ABQ 12/331 ABQ RWY 30 HLDG PSN SIGN AT RWY 03/21 LGT U/S
2512170203-2605012300
12/17/25
0202Z
5/1/26
2300Z
Runway!ABQ 12/330 ABQ RWY 12 HLDG PSN SIGN AT RWY 03/21 LGT U/S
2512170202-2605012300
12/16/25
0518Z
5/1/26
2300Z
!ABQ 12/318 ABQ TWY E LOCATION SIGN BTN TWY D AND TWY E6 LGT U/S 2512160518-2605012300
12/16/25
0515Z
5/1/26
2300Z
!ABQ 12/317 ABQ TWY E HLDG PSN SIGN EAST SIDE FOR APCH END RWY 21 LGT U/S 2512160515-2605012300
12/16/25
0514Z
5/1/26
2300Z
!ABQ 12/316 ABQ TWY E HLDG PSN SIGN WEST SIDE FOR APCH END RWY 21 LGT U/S 2512160514-2605012300
12/8/25
2035Z
5/1/26
2300Z
!ABQ 12/145 ABQ TWY D BTN RWY 03/21 AND TWY E CLSD 2512082035-2605012300
12/1/25
1755Z
5/1/26
2300Z
!ABQ 12/013 ABQ NAV ILS RWY 03 U/S 2512011755-2605012300
12/1/25
1539Z
5/1/26
2300Z
!ABQ 12/010 ABQ TWY F8, F7, TWY F BTN TWY F8 AND TWY F6 CLSD 2512011539-2605012300
12/1/25
1532Z
5/1/26
2300Z
Runway!ABQ 12/009 ABQ RWY 03 ALS U/S 2512011532-2605012300
12/1/25
1531Z
5/1/26
2300Z
Runway!ABQ 12/008 ABQ RWY 21 PAPI U/S 2512011531-2605012300
12/1/25
1530Z
5/1/26
2300Z
Runway!ABQ 12/007 ABQ RWY 03 PAPI U/S 2512011530-2605012300
12/1/25
1500Z
5/1/26
2300Z
Runway!ABQ 11/406 ABQ RWY 03/21 CLSD 2512011500-2605012300
8/20/25
0012Z
!ABQ 08/213 ABQ OBST TOWER LGT (ASR 1259646) 345726.60N1062934.60W (7.5NM SE ABQ) 5996.1FT (295.9FT AGL) U/S 2508200012-PERM
FDC
12/20/25
0121Z
!FDC 5/2159 ABQ ODP ALBUQUERQUE INTL SUNPORT, ALBUQUERQUE, NM.
TAKEOFF MINIMUMS AND (OBSTACLE) DEPARTURE PROCEDURES AMDT 7...
TAKEOFF OBSTACLE NOTES: RWY 03, TEMPORARY CONSTRUCTION EQUIPMENT, BEGINNING 378 FT FROM DER, BEGINNING 207 FT RIGHT OF CENTERLINE, 35 AGL/UP TO 5350 MSL (2021-ASW-7386 AND 7390-NRA). ALL OTHER DATA REMAINS AS PUBLISHED. 2512200121-2608012355EST
10/30/25
1344Z
!FDC 5/8850 ABQ IAP ALBUQUERQUE INTL SUNPORT, ALBUQUERQUE, NM.
ILS OR LOC RWY 8, AMDT 6B...
S-ILS 8 DA 5570/HAT 250 ALL CATS.
TEMPORARY MISCELLANEOUS EQUIPMENT, 5367 MSL, 545FT NW OF RWY 08 (2023-ASW-2058-NRA), TEMPORARY CRANE, 5452 MSL, 1419FT NORTH OF RWY 08 (2022-ASW-7887-NRA).
2510301344-2606112355EST
10/30/25
1338Z
!FDC 5/8826 ABQ IAP U.S. DOD ALBUQUERQUE INTL SUNPORT, ALBUQUERQUE, NM.
HI - ILS OR LOC RWY 8, AMDT 2A...
S-ILS 8* CAT C/D/E DA 5580/HAT 260 ALL CATS.
TEMPORARY MISCELLANEOUS EQUIPMENT, 5367 MSL, 545FT NW OF RWY 08 (2023-ASW-2058-NRA), TEMPORARY CRANE, 5452 MSL, 1419FT NORTH OF RWY 08 (2022-ASW-7887-NRA).
2510301338-2606112355EST
8/8/25
1416Z
!FDC 5/3808 ABQ IAP U.S. DOD ALBUQUERQUE INTL SUNPORT, ALBUQUERQUE, NM.
HI - ILS OR LOC RWY 8, AMDT 2A...
S-ILS 8* DA 5570/HAT 250 ALL CATS.
2508081416-2708081416EST
8/8/25
1410Z
!FDC 5/3803 ABQ IAP ALBUQUERQUE INTL SUNPORT, ALBUQUERQUE, NM.
ILS OR LOC RWY 8, AMDT 6B...
S-ILS 8 DA 5570/HAT 250 ALL CATS.
2508081410-2708081410EST
3/13/25
1300Z
6/7/26
1218Z
!FDC 5/2692 ABQ SID ALBUQUERQUE INTL SUNPORT, ALBUQUERQUE, NM.
BOSQE THREE DEPARTURE (RNAV)...
SOCORRO TRANSITION: GPS REQUIRED,
CNX VORTAC OUT OF SERVICE. 2503131300-2606071218EST
3/13/25
1300Z
6/7/26
1218Z
!FDC 5/2684 ABQ SID ALBUQUERQUE INTL SUNPORT, ALBUQUERQUE, NM.
BOSQE THREE DEPARTURE (RNAV)...
SOCORRO TRANSITION: GPS REQUIRED,
CNX VORTAC OUT OF SERVICE. 2503131300-2606071218EST
3/11/25
1304Z
!FDC 5/1470 ABQ IAP ALBUQUERQUE INTL SUNPORT, ALBUQUERQUE, NM.
VOR RWY 8, AMDT 21...
PROCEDURE NA EXCEPT FOR ACFT EQUIPPED WITH SUITABLE RNAV SYSTEM WITH GPS.
ABQ DME RESTRICTED.
2503111304-2703111304EST
3/11/25
1303Z
!FDC 5/1468 ABQ IAP U.S. DOD ALBUQUERQUE INTL SUNPORT, ALBUQUERQUE, NM.
HI - ILS OR LOC RWY 8, AMDT 2A...
HI - TACAN RWY 8, AMDT 2A...
PROCEDURE NA EXCEPT FOR ACFT EQUIPPED WITH SUITABLE RNAV SYSTEM WITH GPS.
ABQ DME RESTRICTED.
2503111303-2703111303EST
Military
2/24/26
1818Z
2/27/26
1818Z
M0056/26 NOTAMC M0052/26
2/24/26
1816Z
3/3/26
1400Z
ALL ALL AIRCRAFT RESCUE AND FIRE FIGHTING (ARFF) CAPABILITIES REDUCED. ARFF CAT IS: CAT 1-8 RLS, CAT 9-10 CLS. 17 PERSONNEL AND 9,300 GALLONS AVAILABLE. CONTACT AM OPS DSN 246-8335 FOR MORE INFORMATION
2/19/26
1627Z
3/5/26
2359Z
PAD 3 WIND CONE UNSERVICEABLE
12/12/25
1330Z
3/10/26
2359Z
E RAMP C130 AIRCRAFT WING WALKERS REQUIRED WHEN TAXIING SOUTH OF SPOTS E21-E29 IF AIRCRAFT AND/OR AGE IS PRESENT.
Yes
ALL
CITY OF ALBUQUERQUE
PO BOX 1293
ALBUQUERQUE, NM 87103
Phone: 505-768-3000
RICHARD MCCURLEY
PO BOX 9948
ALBUQUERQUE, NM 87119
Phone: 505-244-7700
ALBUQUERQUE FSS (ABQ)
Toll Free: 1-800-WX-BRIEF
ABQ
Sunset to Sunrise
--
N/A
Yes - Lighted
No
No
Hanger, Tie-Down
Landing Rights Airport
NOT an Airport of Entry
Major
Major
High & Low Pressure
High & Low Pressure
Air Ambulance
Avionics
Cargo Handling
Charter Service
Pilot Instruction
Aircraft Rental
Aircraft Sales
Annual Surveying

Runway 03/21

10000 ft. x 150 ft.
CONC  
Good 
GRVD 
HIGH 
 
100,000lbs 
210,000lbs 
360,000lbs 
720,000lbs 
  Runway 03 Runway 21
True Heading 45°225°
Traffic Pattern Right Left
Markings PIR PIR
Markings Condition GOOD GOOD
Latitude 35° 01' 20"N 35° 02' 30"N
Longitude 106° 37' 50"W 106° 36' 25"W
Elevation 5,305' 5,316'
Threshold Crossing Height 59 ft. AGL 74 ft. AGL
Visual Glide Path Angle
Visual Slope Indicator P4L P4L
Approach Lights MALSR
Centerline Lights Yes Yes
Runway End Identifier Lights No Yes

Runway 08/26

13793 ft. x 150 ft.
CONC  
Good 
GRVD 
HIGH 
 
100,000lbs 
210,000lbs 
360,000lbs 
720,000lbs 
  Runway 08 Runway 26
True Heading 90°270°
Traffic Pattern Right Left
Markings PIR PIR
Markings Condition GOOD GOOD
Latitude 35° 02' 40"N 35° 02' 39"N
Longitude 106° 37' 18"W 106° 34' 32"W
Elevation 5,312' 5,355'
Threshold Crossing Height 55 ft. AGL 83 ft. AGL
Visual Glide Path Angle 2.95°
Visual Slope Indicator V6L P4L
Approach Lights MALSR
Centerline Lights Yes Yes
Runway End Identifier Lights Yes

Runway 12/30

6000 ft. x 150 ft.
CONC  
Good 
GRVD 
MED 
 
65,000lbs 
120,000lbs 
155,000lbs 
-- 
  Runway 12 Runway 30
True Heading 129°309°
Traffic Pattern Right Left
Markings BSC BSC
Markings Condition GOOD GOOD
Latitude 35° 02' 37"N 35° 01' 60"N
Longitude 106° 37' 15"W 106° 36' 19"W
Elevation 5,312' 5,314'
Threshold Crossing Height -- 46 ft. AGL
Visual Glide Path Angle --
Visual Slope Indicator -- P4L
Approach Lights
Centerline Lights
Runway End Identifier Lights Yes
A110-17ACR GND HANDLING NA 0100-0430.
A110-2BIRD HAZ OCT-DEC & MAR-MAY; STUDENT HEL TFC.
A110-21TWY H MIL USE ONLY.
A110-22FIGHTER ACFT DEP S ONLY.
A110-24TWY E5 CLSD.
A110-25SVC: MIL FUEL A++; A++ 100.
A110-26MIL WX SVC AVBL 1300-0600Z++ MON-FRI; CLSD WKEND, HOL & DOWN DAYS. AFT HR MSN WX SUPPORT BRIEFINGS - 25 OWS/DAVIS-MONTHAN AFB D228-6604/C520-228-6604. NWS KABQ FCST - D246-9707/C505-846-9707. FAA OBS H24 - C505-246-4200.
A110-27MISC: FOR TMPRY DUTY OF 2 OR MORE DAYS, OR MSN REQ SPECIAL HANDLING, CTC 377ABW/IG AT DSN 253-4376/1304 OR C505-853-4376/1304 NLT 14 DAYS PRIOR TO ANTICIPATED ARR DATE.
A110-28AF - MIL WX SVC AVBL 1300-0600Z++ MON-FRI.
A110-29AF - KIRTLAND AFB AFLD MGMNT OPR 1400-0300Z++ MON-FRI.
A110-6CTL FIRING AREA S.
A110-8ARFF PRVDD BY USAF.
A14RICHARD MCCURLEY
A30A-03DEP RSTRD; PPR - ATCT.
A30A-08RWY 08 & 12 APCH END DECOUPLED; COMMON HOLD SHORT LINE SHARED.
A30A-12TKOF VIA TXY E; FULL LEN AVBL VIA BACK TAX. RWY 08 & 12 APCH ENDS DECOUPLED; COMMON HOLD SHORT LINE SHARED.
A30A-30LNDG: LAST AVBL EXIT TXY E; EXIT E1 NOT PSBL.
A39-03/21PCR VALUE: 800/R/D/W/T
A39-08/26PCR VALUE: 700/R/B/W/T
A39-12/30PCR VALUE: 460/R/D/W/T
A43-26PAPI DOES NOT PRVD OBST CLNC BYD 3.5 NM FM THR; UNUSBL BYD 3.5 NM.
A57-08APCH RATIO 50:1 TO DTHR.
ALBUQUERQUE INTL SUNPORT (ICAO: KABQ, IATA: ABQ) is a public airport located in ALBUQUERQUE, NM, US.